Login
Register
SPG
Albert Whitted Airport
Official FAA Data Effective 2026-01-22 0901Z
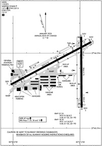
VFR Chart of KSPG
Sectional Charts at SkyVector.com
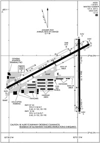
IFR Chart of KSPG
Enroute Charts at SkyVector.com
Location Information for KSPG
Coordinates: N27°45.91' / W82°37.62'Located 00 miles E of St Petersburg, Florida on 119 acres of land. View all Airports in Florida.
Surveyed Elevation is 6 feet MSL.
Operations Data
|
|
Airport Communications
| ASOS: | 118.875 Tel. 727-821-4334 |
|---|---|
| WHITTED TOWER: | 127.4 257.6 |
| WHITTED GROUND: | 121.8 |
| TAMPA APPROACH: | 119.65 ;EAST 125.3 ;WEST 316.05 |
| TAMPA DEPARTURE: | 119.65 ;EAST 125.3 ;WEST 316.05 |
| UNICOM: | 122.950 |
| CTAF: | 127.400 |
| ATIS at MCF (7.6 NE): | 270.1 |
| ATIS at PIE (9.2 N): | 134.5 |
| ASOS at PIE (9.4 N): | 134.5 727-502-6385 |
- FREQ 121.5 NOT MONITORED.
Nearby Navigation Aids
|
| ||||||||||||||||||||||||||||||||||||||||||
Runway 07/25
| Dimensions: | 3676 x 75 feet / 1120 x 23 meters | |
|---|---|---|
| Surface: | Asphalt in Good Condition | |
| Weight Limits: | 9 /F/B/X/T, S-60, D-105, ST-190 | |
| Edge Lighting: | Medium Intensity | |
| Runway 07 | Runway 25 | |
| Coordinates: | N27°45.79' / W82°38.02' | N27°46.07' / W82°37.41' |
| Elevation: | 5.3 | 5.9 |
| Traffic Pattern: | Right | Left |
| Runway Heading: | 62° True | 242° True |
| Displaced Threshold: | 557 Feet | 263 Feet |
| Declared Distances: | TORA:3646 TODA:3646 ASDA:3376 LDA:2849 | TORA:3180 TODA:3180 ASDA:3312 LDA:3042 |
| Markings: | Non-Precision Instrument in fair condition. | Basic in fair condition. |
| Glide Slope Indicator | P2L (3.31° Glide Path Angle) | P2L (3.90° Glide Path Angle) |
| REIL: | Yes | Yes |
| Obstacles: | 19 ft Building 201 ft from runway CONTROLLING OBSTN EXCEEDS A 45 DEG SLP. BLAST FENCE 6 FT BFR AER. RWY 07 APCH RATIOS 20:1 FM DTHR. 19 FT BLAST FENCE AT RWY END, 15 FT STREET 5 FT FM RWY END, 24 FT BLDG 100 FT FM RWY END. |
52 ft Boat 1020 ft from runway RWY 25 APCH RATIO 25:1 FM DTHR. |
Runway 18/36
| Dimensions: | 2864 x 75 feet / 873 x 23 meters | |
|---|---|---|
| Surface: | Asphalt in Excellent Condition | |
| Weight Limits: | 14 /F/A/X/T, S-60, D-105, ST-190 | |
| Edge Lighting: | Medium Intensity | |
| Runway 18 | Runway 36 | |
| Coordinates: | N27°46.11' / W82°37.49' | N27°45.64' / W82°37.49' |
| Elevation: | 5.3 | 4.6 |
| Traffic Pattern: | Right | |
| Runway Heading: | 180° True | 360° True |
| Displaced Threshold: | 190 Feet | 115 Feet |
| Declared Distances: | TORA:2864 TODA:2864 ASDA:2749 LDA:2559 | TORA:2864 TODA:2864 ASDA:2674 LDA:2559 |
| Markings: | Non-Precision Instrument in good condition. | Non-Precision Instrument in good condition. |
| Glide Slope Indicator | P2R (4.00° Glide Path Angle) | P2L (4.00° Glide Path Angle) |
| REIL: | Yes | Yes |
| Obstacles: | 40 ft Boat 1000 ft from runway RWY 18 APRCH SLP 29:1 TO DTHR. |
37 ft Boat 614 ft from runway |
Services Available
| Fuel: | 100LL (blue), Jet-A, Jet A-1 |
|---|---|
| Transient Storage: | Hangars,Tiedowns |
| Airframe Repair: | MAJOR |
| Engine Repair: | MAJOR |
| Bottled Oxygen: | LOW |
| Bulk Oxygen: | NONE |
| Other Services: | AIR AMBULANCE SERVICES,AVIONICS,CHARTER SERVICE,PILOT INSTRUCTION,AIRCRAFT RENTAL,AIRCRAFT SALES,ANNUAL SURVEYING |
Ownership Information
| Ownership: | Publicly owned | |
|---|---|---|
| Owner: | CITY OF ST PETERSBURG | |
| 107 8TH AVENUE, S.E. | ||
| ST PETERSBURG, FL 33701 | ||
| 727-892-5715 | ||
| Manager: | RICH LESNIAK | |
| ALBERT WHITTED AIRPORT, 107 8TH AVENUE SOUTHEAST | ||
| ST PETERSBURG, FL 33701 | ||
| 727-893-7657 | ||
Other Remarks
- +/- 100 FT LIT/UNLIT BOAT MASTS IN RWY 18, 25 & 36 APCH AREA.
- EMERG HELI WITH ROTG BCN 1/2 MI W OF ARPT.
- WHEN ATCT CLSD; FOR CD CTC TAMPA APCH - 813-878-2528.
- BANNER TOWING E OF RWY 18/36.
- BIRDS ON & INVOF ARPT; GULLS ON RWY DURG INCLEMENT WX.
- OCEAN VESSELS IN SHIP CHANNELS.
- ALERT - HEAVY JET ACFT INVOF ARPT 1600 FT & ABV.
- TGL NA.
- SHIP CHANNEL & OCEAN VESSELS IN APCH AREA.
- ACTVT MIRL RWY 18/36 & RWY 07/25 - CTAF, REIL RWYS 7, 25, & 36 ACTVT WHEN MIRL ACTVT, REIL RWY 18 ONLY ACTVT ON STEP 3 MIRL, PAPI RWYS 07, 25, 18 & 36 OPERATE CONTINUOUSLY.
Weather Minimums
Standard Terminal Arrival (STAR) Charts
Instrument Approach Procedure (IAP) Charts
Nearby Airports with Instrument Procedures
| ID | Name | Heading / Distance | ||
|---|---|---|---|---|
![]() |
KMCF | Macdill AFB Airport | 048° | 7.6 |
![]() |
KPIE | St Pete-Clearwater International Airport | 339° | 9.2 |
![]() |
KTPF | Peter O Knight Airport | 046° | 13.0 |
![]() |
KTPA | Tampa International Airport | 021° | 13.5 |
![]() |
KCLW | Clearwater Exec Airport | 331° | 14.5 |
![]() |
KVDF | Tampa Exec Airport | 045° | 21.1 |
![]() |
KSRQ | Sarasota/Bradenton International Airport | 170° | 22.5 |
![]() |
KPCM | Plant City Airport | 060° | 28.4 |
![]() |
KLAL | Lakeland Linder International Airport | 067° | 35.0 |
![]() |
KZPH | Zephyrhills Municipal Airport | 042° | 37.3 |
![]() |
KCHN | Wauchula Municipal Airport | 110° | 42.5 |
![]() |
KVNC | Venice Municipal Airport | 166° | 42.7 |















