Login
Register
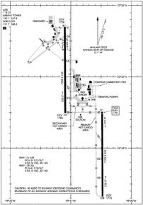
ABI
Abilene Regional Airport
Official FAA Data Effective 2026-01-22 0901Z
VFR Chart of KABI
Sectional Charts at SkyVector.com
IFR Chart of KABI
Enroute Charts at SkyVector.com
Location Information for KABI
Coordinates: N32°24.68' / W99°40.91'Located 03 miles SE of Abilene, Texas on 1644 acres of land. View all Airports in Texas.
Surveyed Elevation is 1790 feet MSL.
Operations Data
|
|
Airport Communications
| ATIS: | 118.25 (325-201-9495) |
|---|---|
| ASOS: | Tel. 325-238-3987 |
| ABILENE TOWER: | 120.1 257.8 |
| ABILENE GROUND: | 121.7 348.6 |
| ABILENE APPROACH: | 125.0 ;EAST 127.2 ;WEST 282.3 ;WEST 338.3 ;EAST |
| ABILENE DEPARTURE: | 125.0 ;EAST 127.2 ;WEST 282.3 ;WEST 338.3 ;EAST |
| CLASS C: | 125.0 ;EAST 127.2 ;WEST 282.3 ;WEST 338.3 ;EAST |
| EMERG: | 121.5 243.0 |
| UNICOM: | 122.950 |
| ATIS at DYS (8.9 W): | 269.175 |
| ASOS at DYS (8.9 W): | 269.175 |
| AWOS-4 at GZN (33.4 E): | 118.0 254-442-1185 |
Nearby Navigation Aids
|
| ||||||||||||||||||||||||||||||||||||||||||
Runway 17R/35L
| Dimensions: | 7208 x 150 feet / 2197 x 46 meters | |
|---|---|---|
| Surface: | Asphalt / Grooved in Good Condition | |
| Weight Limits: | S-120, D-218, ST-289, DT-768
PCR VALUE: 680/F/D/W/T
| |
| Edge Lighting: | High Intensity | |
| Runway 17R | Runway 35L | |
| Coordinates: | N32°25.69' / W99°41.10' | N32°24.50' / W99°41.09' |
| Elevation: | 1758.4 | 1786.1 |
| Traffic Pattern: | Right | Left |
| Runway Heading: | 180° True | 360° True |
| Declared Distances: | TORA:7202 TODA:7202 ASDA:7202 LDA:7202 | TORA:7202 TODA:7202 ASDA:7202 LDA:7202 |
| Markings: | Non-Precision Instrument in good condition. | Non-Precision Instrument in good condition. |
| Glide Slope Indicator | P4L (3.00° Glide Path Angle) | P4L (3.00° Glide Path Angle) |
| REIL: | Yes | |
Runway 17L/35R
| Dimensions: | 7198 x 150 feet / 2194 x 46 meters | |
|---|---|---|
| Surface: | Asphalt / Grooved in Good Condition | |
| Weight Limits: | S-120, D-194, ST-259, DT-715
PCR VALUE: 600/F/D/W/T
| |
| Edge Lighting: | High Intensity | |
| Runway 17L | Runway 35R | |
| Coordinates: | N32°24.51' / W99°40.49' | N32°23.32' / W99°40.48' |
| Elevation: | 1790.6 | 1775.9 |
| Traffic Pattern: | Left | Right |
| Runway Heading: | 180° True | 360° True |
| Declared Distances: | TORA:7198 TODA:7198 ASDA:7198 LDA:7198 | TORA:7198 TODA:7198 ASDA:7198 LDA:7198 |
| Markings: | Precision Instrument in good condition. | Precision Instrument in good condition. |
| Glide Slope Indicator | P4L (3.00° Glide Path Angle) | |
| RVR Equipment | Rollout | Touchdown |
| Approach Lights: | MALSR 1,400 Foot Medium-intensity Approach Lighting System with runway alignment indicator lights. | |
| Obstacles: | 2 ft Ground 200 ft from runway | |
Services Available
| Fuel: | 100LL (blue), Jet-A |
|---|---|
| Transient Storage: | Hangars,Tiedowns |
| Airframe Repair: | MAJOR |
| Engine Repair: | MAJOR |
| Bottled Oxygen: | NONE |
| Bulk Oxygen: | HIGH/LOW |
| Other Services: | AIR FREIGHT SERVICES,AVIONICS,CHARTER SERVICE,PILOT INSTRUCTION,AIRCRAFT SALES |
Ownership Information
| Ownership: | Publicly owned | |
|---|---|---|
| Owner: | CITY OF ABILENE | |
| PO BOX 60 | ||
| ABILENE, TX 79604 | ||
| 325-676-6206 | ||
| Manager: | DON GREEN | |
| 2933 AIRPORT BLVD SUITE 200 | ||
| ABILENE, TX 79602 | ||
| 325-676-6367 | ||
Other Remarks
- UNCTLD ARPT 2 NM NE OF ARPT, PAT ALT 2300 FT.
- MIL AVN SVCS AVBL AT ARPT.
- HIGH BIRD ACTVTY ON AND INVOF ARPT.
Weather Minimums
Instrument Approach Procedure (IAP) Charts
Nearby Airports with Instrument Procedures
| ID | Name | Heading / Distance | ||
|---|---|---|---|---|
![]() |
KDYS | Dyess AFB Airport | 272° | 8.9 |
![]() |
T23 | Albany Municipal Airport | 048° | 28.0 |
![]() |
F56 | Arledge Field Airport | 354° | 30.0 |
![]() |
77F | Winters Municipal Airport | 209° | 31.8 |
![]() |
KGZN | Gregory M Simmons Memorial Airport | 094° | 33.6 |
![]() |
KCOM | Coleman Municipal Airport | 157° | 37.0 |
![]() |
KSWW | Avenger Field Airport | 275° | 40.0 |
![]() |
KBKD | Stephens County Airport | 065° | 44.1 |
![]() |
KETN | Eastland Municipal Airport | 089° | 44.3 |
![]() |
E30 | Bruce Field Airport | 198° | 46.6 |
![]() |
15F | Haskell Municipal Airport | 357° | 46.8 |
![]() |
KBWD | Brownwood Regional Airport | 134° | 52.3 |









