Login
Register
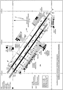
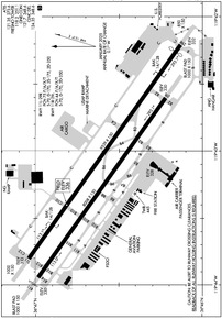
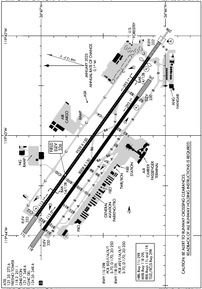
FAT
Fresno Yosemite International Airport
Official FAA Data Effective 2026-02-19 0901Z
VFR Chart of KFAT
Sectional Charts at SkyVector.com
IFR Chart of KFAT
Enroute Charts at SkyVector.com
Location Information for KFAT
Coordinates: N36°46.59' / W119°43.13'Located 05 miles NE of Fresno, California on 1728 acres of land. View all Airports in California.
Surveyed Elevation is 335 feet MSL.
TPA: 967 FT AGL 1303 FT MSL SINGLE ENGINE ACFT ; 1467 FT AGL 1803 FT MSL MULTI-ENGINE ACFT; 1967 FT AGL 2303 FT MSL TURBOJET; HELICOPTERS 467 FT AGL 803 FT MSL.
Operations Data
|
|
Airport Communications
| ATIS: | 121.35 (559-484-9845) 273.6 (559-484-9845) |
|---|---|
| ASOS: | Tel. 559-203-3918 |
| FRESNO TOWER: | 118.2 251.1 |
| FRESNO GROUND: | 121.7 348.6 |
| FRESNO APPROACH: | 118.5 ;S/SE VISALIA AREA 119.6 ;240-090 132.35 ;091-239 268.7 ;S/SE VISALIA AREA 323.25 ;091-239 351.95 ;240-090 |
| FRESNO DEPARTURE: | 118.5 ;S/SE VISALIA AREA 119.6 ;240-090 132.35 ;091-239 268.7 ;S/SE VISALIA AREA 323.25 ;091-239 351.95 ;240-090 |
| IC: | 119.6 ;240-090 351.95 ;240-090 |
| CLEARANCE DELIVERY: | 124.35 348.6 |
| CLASS C: | 119.6 ;240-090 132.35 ;091-239 323.25 ;091-239 351.95 ;240-090 |
| EMERG: | 121.5 243.0 |
| ANG OPS: | 140.0 298.3 |
| NG OPS: | 132.0 255.8 40.95 |
| UNICOM: | 122.950 |
| AWOS-3 at FCH (5.5 SW): | 135.225 559-488-1040 |
| AWOS-3PT at O32 (14.5 SE): | 120.175 559-637-9453 |
| ASOS at MAE (22.7 NW): | 134.725 559-674-1781 |
- ANG OPNS CALL IS GRIFFIN OERATIONS.
Nearby Navigation Aids
|
| ||||||||||||||||||||||||||||||||||||||||||||||||
Runway 11L/29R
RY 11L/29R RY 11L 1000 FT BLAST PAD; RY 29R 850 FT BLAST PAD. | ||
| Dimensions: | 9539 x 150 feet / 2907 x 46 meters | |
|---|---|---|
| Surface: | Asphalt / Grooved in Fair Condition | |
| Weight Limits: | S-70, D-170, ST-250
PCR VALUE: 505/F/A/X/T
| |
| Edge Lighting: | High Intensity | |
| Runway 11L | Runway 29R | |
| Coordinates: | N36°47.04' / W119°43.81' | N36°46.13' / W119°42.21' |
| Elevation: | 333.0 | 332.0 |
| Traffic Pattern: | Left | Right |
| Runway Heading: | 125° True | 305° True |
| Displaced Threshold: | 312 Feet | |
| Declared Distances: | TORA:9539 TODA:9539 ASDA:9279 LDA:9279 | TORA:9539 TODA:9539 ASDA:9539 LDA:9227 |
| Markings: | Precision Instrument in good condition. | Precision Instrument in good condition. |
| Glide Slope Indicator | P4L (3.00° Glide Path Angle) | P4L (3.00° Glide Path Angle) |
| RVR Equipment | Touchdown Midfield Rollout | Touchdown Midfield Rollout |
| Approach Lights: | ALSF2 Standard 2,400 Foot High-intensity Approach Lighting System with sequenced flashers, CATEGORY II or III Configuration. | |
| REIL: | Yes | |
| Centerline Lights: | Yes | Yes |
| Obstacles: | 67 ft Tree 755 ft from runway, 780 ft left of center | 16 ft Road 750 ft from runway, 580 ft right of center |
Runway 11R/29L
RY 11R/29L RY 11R 1000 FT BLAST PAD; RY 29L 1000 FT BLAST PAD. | ||
| Dimensions: | 8008 x 150 feet / 2441 x 46 meters | |
|---|---|---|
| Surface: | Asphalt / Grooved in Good Condition | |
| Weight Limits: | S-70, D-170, ST-250
PCR VALUE: 492/F/A/X/T
| |
| Edge Lighting: | Medium Intensity | |
| Runway 11R | Runway 29L | |
| Coordinates: | N36°46.98' / W119°43.95' | N36°46.22' / W119°42.61' |
| Elevation: | 330.0 | 329.9 |
| Traffic Pattern: | Right | Left |
| Runway Heading: | 125° True | 305° True |
| Declared Distances: | TORA:8008 TODA:8008 ASDA:8008 LDA:8008 | TORA:8008 TODA:8008 ASDA:8008 LDA:8008 |
| Markings: | Precision Instrument in good condition. | Precision Instrument in poor condition. |
| Glide Slope Indicator | P4L (3.00° Glide Path Angle) | |
| REIL: | Yes | |
Services Available
| Fuel: | 100 (green), Jet-A, A++ |
|---|---|
| Transient Storage: | Hangars,Tiedowns |
| Airframe Repair: | MAJOR |
| Engine Repair: | MAJOR |
| Bottled Oxygen: | HIGH/LOW |
| Bulk Oxygen: | HIGH |
| Other Services: | AIR FREIGHT SERVICES,AVIONICS,CARGO HANDLING SERVICES,CHARTER SERVICE,PILOT INSTRUCTION,AIRCRAFT RENTAL,AIRCRAFT SALES,ANNUAL SURVEYING |
Ownership Information
| Ownership: | Publicly owned | |
|---|---|---|
| Owner: | CITY OF FRESNO | |
| 4995 E CLINTON WAY | ||
| FRESNO, CA 93727 | ||
| 559-621-4500 | ||
| Manager: | HENRY L. THOMPSON | OPS MGR - SEVAN GHAZARIANS: OFC 559-621-4508; CELL 559-840-7315; 24 HR OPNS 559-978-1835. |
| 4995 E CLINTON WAY | ||
| FRESNO, CA 93722 | ||
| 559-621-4600 | ||
Other Remarks
- NUMEROUS BIRDS INVOF ARPT.
- LGTD RY DISTANCE REMAINING MARKERS ON SOUTH SIDE OF RY 11R/29L; LGTD RY DISTANCE REMAINING MARKERS BOTH SIDES OF RY 11L/29R- 11L DRM ON NORTH SIDE; 29R DRM ON SOUTH SIDE.
- RETRACTABLE BAK-12/14 AVBL ON RY 11L AND RY 29R ARE KEPT IN RECESSED POSITION UNTIL REQ FOR USE; TWR MUST BE NOTIFIED AT LEAST 5 SECONDS PRIOR TO ENGAGEMENT SO THAT THE AG CABLE MAY BE RAISED.
- SERVICE-FUEL: SIGNATURE FLIGHT SUPPORT, C559-981-2490
- SERVICE - FUEL: ROSS AVIATION, C559-251-1555
- MILITARY: ANG: CTC ANG OPS FOR LCL BIRD WATCH COND (BWC).
- MILITARY: SVC: RWY 29R AND 11L A-GEAR CABLE AVBL UPON REQ ONLY; DEFAULT POSN DOWN.
- TWY B3 CLSD BTN RWY 11L/29R AND RWY 11R/29L.
- TWY A LTD TO ACFT DESIGN GROUP II.
- ATCT CLNC RQRD TO PUSH ON MOV AREA.
- PPR FOR ENG START AT ACR TRML GATES & ENG RUN-UP.
- FRESNO YOSEMITE INTL IS NOISE SENSITIVE; NOISE ABATEMENT PROCEDURES IN EFFECT.
- NO MULT APCHS AND LNDGS MON-SAT 2200-0700 AND SUN 1800-1000.
- POSSIBLE WAKE TURBULENCE OR WIND SHEAR ARR TO RY 29L OR DEP FM RY 11R. JET TESTING CONDUCTED AT AIR NATIONAL GUARD RAMP LCTD AT SE CORNER OF ARPT.
- FEE FOR ACFT OVER 12500 LBS GWT.
- RUBBER BUILD-UP OBSCS THE CNTRLN MRKGS IN TDZ.
- TPA: 967 FT AGL 1303 FT MSL SINGLE ENGINE ACFT ; 1467 FT AGL 1803 FT MSL MULTI-ENGINE ACFT; 1967 FT AGL 2303 FT MSL TURBOJET; HELICOPTERS 467 FT AGL 803 FT MSL.
- BAK-14 BAK-12B(B) (1500')
- BAK-14 BAK-12B(B) (1310')
Weather Minimums
Standard Terminal Arrival (STAR) Charts
Instrument Approach Procedure (IAP) Charts
Departure Procedure (DP) Charts
Nearby Airports with Instrument Procedures
| ID | Name | Heading / Distance | ||
|---|---|---|---|---|
![]() |
KFCH | Fresno Chandler Exec Airport | 241° | 5.6 |
![]() |
O32 | Reedley Municipal Airport | 116° | 14.4 |
![]() |
KMAE | Madera Municipal Airport | 303° | 22.8 |
![]() |
KHJO | Hanford Municipal Airport | 170° | 27.9 |
![]() |
KVIS | Visalia Municipal Airport | 150° | 31.6 |
![]() |
F34 | Firebaugh Airport | 278° | 36.3 |
![]() |
KTLR | Mefford Field Airport | 152° | 41.7 |
![]() |
C80 | New Coalinga Municipal Airport | 217° | 46.2 |
![]() |
KMPI | Mariposa-Yosemite Airport | 340° | 46.6 |
![]() |
KMCE | Merced Yosemite Regional Airport | 308° | 48.9 |
![]() |
KMER | Castle Airport | 311° | 54.5 |
![]() |
KPTV | Porterville Municipal Airport | 144° | 54.9 |








