Login
Register
BZN
Bozeman Yellowstone International Airport
Official FAA Data Effective 2025-11-27 0901Z
From the Flight Deck
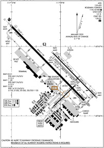
VFR Chart of KBZN
Sectional Charts at SkyVector.com
IFR Chart of KBZN
Enroute Charts at SkyVector.com
Location Information for KBZN
Coordinates: N45°46.63' / W111°9.02'Located 07 miles NW of Bozeman, Montana on 2481 acres of land. View all Airports in Montana.
Surveyed Elevation is 4473 feet MSL.
Operations Data
|
|
Airport Communications
| ATIS: | 135.425 (406-388-4767) |
|---|---|
| ASOS: | Tel. 406-388-4882 |
| BOZEMAN TOWER: | 118.2 |
| BOZEMAN GROUND: | 121.8 |
| BIG SKY APPROACH: | 118.975 226.675 |
| BIG SKY DEPARTURE: | 118.975 226.675 |
| CLEARANCE DELIVERY: | 124.05 |
| UNICOM: | 122.950 |
| CTAF: | 118.200 |
| ASOS at LVM (29.8 E): | 135.275 406-222-2338 |
| AWOS-3P at EKS (36.8 SW): | 119.85 406-682-3835 |
| AWOS-3PT at 7S6 (44.3 N): | 118.525 406-547-3511 |
- COMMUNICATIONS PRVDD BY GREAT FALLS RADIO ON FREQ 122.5 (BOZEMAN RCO).
- APCH/DEP CTL SVC PRVDD BY BIG SKY APCH CTL (BOI) ON FREQ 118.975/226.675 FM 0600-0015 LCL. SALT LAKE ARTCC (ZLC) PRVDD'S APCH/DEP SVC ON 118.975/226.675 ( BOZEMAN A RCAG) FM 0015-0600 LCL.
Nearby Navigation Aids
|
| ||||||||||||||||||||||||||||||||||||||||||
Runway 12/30
| Dimensions: | 8994 x 150 feet / 2741 x 46 meters | |
|---|---|---|
| Surface: | Asphalt / Grooved in Good Condition | |
| Weight Limits: | S-120, D-250, ST-550, DT-1120
PCR VALUE: 1410/F/A/X/U
| |
| Edge Lighting: | High Intensity | |
| Runway 12 | Runway 30 | |
| Coordinates: | N45°47.29' / W111°9.99' | N45°46.22' / W111°8.51' |
| Elevation: | 4424.9 | 4462.3 |
| Traffic Pattern: | Left | Left |
| Runway Heading: | 136° True | 316° True |
| Declared Distances: | TORA:8994 TODA:8994 ASDA:8994 LDA:8994 | TORA:8994 TODA:8994 ASDA:8994 LDA:8994 |
| Markings: | Precision Instrument in good condition. | Precision Instrument in good condition. |
| Glide Slope Indicator | P4L (3.00° Glide Path Angle) | P4L (3.00° Glide Path Angle) |
| Approach Lights: | MALSR 1,400 Foot Medium-intensity Approach Lighting System with runway alignment indicator lights. | |
| REIL: | Yes | |
Runway 11/29
| Dimensions: | 5050 x 75 feet / 1539 x 23 meters | |
|---|---|---|
| Surface: | Asphalt / Grooved in Good Condition | |
| Weight Limits: | S-12
PCR VALUE: 260/F/A/X/U
| |
| Edge Lighting: | Medium Intensity | |
| Runway 11 | Runway 29 | |
| Coordinates: | N45°46.89' / W111°9.13' | N45°46.29' / W111°8.30' |
| Elevation: | 4441.8 | 4461.4 |
| Runway Heading: | 136° True | 316° True |
| Declared Distances: | TORA:5050 TODA:5050 ASDA:5050 LDA:5050 | TORA:5050 TODA:5050 ASDA:5050 LDA:5050 |
| Markings: | Basic in good condition. | Basic in good condition. |
| Glide Slope Indicator | P4L (3.00° Glide Path Angle) | P4L (3.00° Glide Path Angle) |
Runway 11G/29G
240 FT S OF RWY 11/29; AVBL WHEN DRY WITH ATC APVL. | ||
| Dimensions: | 2802 x 80 feet / 854 x 24 meters | |
|---|---|---|
| Surface: | Turf in Good Condition | |
| Runway 11G | Runway 29G | |
| Coordinates: | N45°46.82' / W111°9.11' | N45°46.49' / W111°8.65' |
| Elevation: | 4444.2 | 4453.2 |
| Runway Heading: | 136° True | 316° True |
| Markings: | Non-Standard | Non-Standard |
Runway 03/21
| Dimensions: | 2650 x 75 feet / 808 x 23 meters | |
|---|---|---|
| Surface: | Asphalt / Grooved in Good Condition | |
| Weight Limits: | S-12
PCR VALUE: 465/F/A/X/U
| |
| Runway 03 | Runway 21 | |
| Coordinates: | N45°46.13' / W111°9.15' | N45°46.44' / W111°8.71' |
| Elevation: | 4473.4 | 4454.7 |
| Traffic Pattern: | Left | Left |
| Runway Heading: | 46° True | 226° True |
| Declared Distances: | TORA:2650 TODA:2650 ASDA:2650 LDA:2650 | TORA:2650 TODA:2650 ASDA:2650 LDA:2650 |
| Markings: | Basic in good condition. | Basic in good condition. |
Services Available
| Fuel: | 100 (green), 100LL (blue), Jet-A |
|---|---|
| Transient Storage: | Hangars,Tiedowns |
| Airframe Repair: | MAJOR |
| Engine Repair: | MAJOR |
| Bottled Oxygen: | HIGH/LOW |
| Bulk Oxygen: | HIGH/LOW |
| Other Services: | AIR FREIGHT SERVICES,CROP DUSTING SERVICES,CHARTER SERVICE,GLIDER SERVICE,PILOT INSTRUCTION,PARACHUTE JUMP ACTIVITY,AIRCRAFT RENTAL,AIRCRAFT SALES,ANNUAL SURVEYING,GLIDER TOWING SERVICES |
Ownership Information
| Ownership: | Publicly owned | |
|---|---|---|
| Owner: | GALLATIN AIRPORT AUTHORITY | |
| 850 GALLATIN FIELD RD, SUITE 6 | ||
| BELGRADE, MT 59714 | ||
| 406-388-6632 | ||
| Manager: | BRIAN SPRENGER | |
| 850 GALLATIN FIELD RD, SUITE 6 | ||
| BELGRADE, MT 59714 | ||
| 406-388-6632 | ||
Other Remarks
- BIRDS INVOF ARPT.
- STUDENT TRNG ACT WI 15 MI.
- 180 DEG TURN NA ON TRML RAMP.
- PILOTS CONDUCTING EFVS OPS; BE AWARE LED ALS IN USE RWY 12.
- FOR CD WHEN ATCT CLSD CTC BIG SKY APCH AT 208-364-5860, WHEN ATCT AND APCH CLSD CTC SALT LAKE ARTCC AT 801-320-2568.
- NOISE: TRAINING TRAFFIC - CHECK VOLUNTARY NOISE ABATEMENT PRO
- SNOW REMOVAL EQUIP - CTAF.
- COLD TEMPERATURE AIRPORT. ALTITUDE CORRECTION REQUIRED AT OR BELOW -21C.
- TKOF NA UNTIL CFMG NO TFC USING RWY 12.
- ARR & DEP OPS WHEN WIND LESS THAN 10 KT; OTR RWY MAY BE USED; EXPC DLA.
- LCTD BTN RWY 12/30 & TWY A; AVBL GTR THAN 12500 LB DAY/VFR ONLY.
- CONES.
- CONES.
- WHEN ATCT CLSD ACTVT MALSR RWY 12; REIL RWY 30; HIRL RWY 12/30; MIRL RWY 11/29 - CTAF. PAPI RWY 12 & 30 OPR CONSLY.
- U.S. CUSTOMS AVBL 1600Z-2400Z THU-MON.
Weather Minimums
Standard Terminal Arrival (STAR) Charts
Instrument Approach Procedure (IAP) Charts
Departure Procedure (DP) Charts
Departure Procedure Obstacles (DPO) Charts
Nearby Airports with Instrument Procedures
| ID | Name | Heading / Distance | ||
|---|---|---|---|---|
![]() |
KLVM | Mission Field Airport | 098° | 29.9 |
![]() |
KEKS | Ennis Big Sky Airport | 215° | 36.7 |
![]() |
7S6 | White Sulphur Springs Airport | 012° | 44.2 |
![]() |
6S0 | Big Timber At Howard Field Airport | 087° | 49.2 |
![]() |
KRVF | Ruby Valley Field Airport | 253° | 50.6 |
![]() |
KBTM | Bert Mooney Airport | 281° | 57.5 |
![]() |
KHLN | Helena Regional Airport | 325° | 60.7 |
![]() |
KWYS | Yellowstone Airport | 178° | 65.4 |
![]() |
KDLN | Dillon Airport | 242° | 66.9 |
![]() |
KHWQ | Wheatland County At Harlowton Airport | 052° | 67.5 |
![]() |
3U3 | Bowman Field Airport | 288° | 75.3 |
![]() |
38S | Deer Lodge-City-County Airport | 299° | 76.7 |








