Login
Register
DYS
Dyess AFB Airport
Official FAA Data Effective 2025-12-25 0901Z
VFR Chart of KDYS
Sectional Charts at SkyVector.com
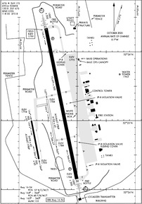
IFR Chart of KDYS
Enroute Charts at SkyVector.com
Location Information for KDYS
Coordinates: N32°25.11' / W99°51.39'Located 05 miles SW of Abilene, Texas. View all Airports in Texas.
Surveyed Elevation is 1790 feet MSL.
TPA: 1210 FT AGL RECTANGULAR, 1710 FT AGL OVERHEAD.
Operations Data
|
|
Airport Communications
| ATIS: | 269.175 |
|---|---|
| ASOS: | 269.175 |
| DYESS TOWER: | 133.0 257.675 |
| DYESS GROUND: | 118.35 275.8 |
| ABILENE APPROACH: | 125.0 ;EAST 127.2 ;WEST 282.3 ;WEST 338.3 ;EAST |
| ABILENE DEPARTURE: | 125.0 ;EAST 127.2 ;WEST 282.3 ;WEST 338.3 ;EAST |
| PTD: | 139.3 372.2 |
| PMSV METRO: | 383.25 |
| COMD POST: | 311.0 ;CALL - RAYMOND 37 |
| EMERG: | 121.5 243.0 |
| ASOS at ABI (8.9 E): | 325-238-3987 |
| ATIS at ABI (8.9 E): | 118.25 |
| AWOS-3 at SWW (31.0 W): | 119.025 325-236-9652 |
- SFA.
- ALTN PMSV: SHEPPARD AFB 339.65.
Nearby Navigation Aids
|
| ||||||||||||||||||||||||||||||||||||||||||
Runway 16/34
| Dimensions: | 13500 x 300 feet / 4115 x 91 meters | |
|---|---|---|
| Surface: | PEM | |
| Weight Limits: | 57 /R/C/W/T | |
| Edge Lighting: | High Intensity | |
| Runway 16 | Runway 34 | |
| Coordinates: | N32°26.34' / W99°51.53' | N32°24.15' / W99°51.02' |
| Elevation: | 1790.3 | 1787.6 |
| Traffic Pattern: | Left | Left |
| Markings: | Precision Instrument in good condition. | Precision Instrument in good condition. |
| Glide Slope Indicator | P4L (2.60° Glide Path Angle) | P4L (2.50° Glide Path Angle) |
| RVR Equipment | Touchdown | Touchdown |
| Approach Lights: | ALSF1 Standard 2,400 Foot High-intensity Approach Lighting System with sequenced flashers, CATEGORY I Configuration. | ALSF1 Standard 2,400 Foot High-intensity Approach Lighting System with sequenced flashers, CATEGORY I Configuration. |
Runway 163/343
RWY USED AS AN ASSAULT STRIP. | ||
| Dimensions: | 3500 x 60 feet / 1067 x 18 meters | |
|---|---|---|
| Surface: | GRE | |
| Runway 163 | Runway 343 | |
| Coordinates: | N32°25.26' / W99°51.56' | N32°24.69' / W99°51.43' |
Runway 164/344
| Dimensions: | 3498 x 60 feet / 1066 x 18 meters | |
|---|---|---|
| Surface: | Asphalt | |
| Weight Limits: | 40 /F/B/W/T | |
| Runway 164 | Runway 344 | |
| Coordinates: | N32°25.00' / W99°51.80' | N32°24.43' / W99°51.67' |
| Elevation: | 1793.9 | 1798.7 |
Services Available
| Fuel: | Jet A+ |
|---|---|
| Transient Storage: | NONE |
| Airframe Repair: | MAJOR |
| Engine Repair: | MAJOR |
| Bottled Oxygen: | NONE |
| Bulk Oxygen: | LOW |
Ownership Information
| Ownership: | Owned by the Air Force | |
|---|---|---|
| Owner: | USAF | |
| DYESS AFB | ||
| ABILENE, TX 79607 | ||
| Manager: | COMMANDER | |
| DYESS AFB | ||
| ABILENE, TX 79607 | ||
Other Remarks
- RSTD: INBD ACFT WITH DV CODE 6 OR ABV CTC AFLD OPS 20 MIN PRIOR ARR MON-FRI, CTC COMD POST ON UHF OR DSN 461-1921. 45 MIN PRIOR WKEND AND HOL.
- CAUTION: ACFT LRGR THAN C130 ONLY ALLOWED 180 DEG TURNS ON CONC SFC AT N AND S ENDS OF RWY 16-34.
- TFC PAT: DUR VMC DEP ACFT MUST REMAIN AT OR BLW 3000' TIL FLD BDRY TO ENSURE SEPARATION FR VFR OVERHEAD.
- BEARING STRENGTH RWY 161-341: AUW 155.
- TFC PAT: RSRS APPLIES TO ALL LOCAL ACFT. B1 8000', C130 5000' SEPARATION, B1 RQR MIN CEIL/VIS 1500'/3 SM AND RWY SFC DRY.
- JASU: 1(MD-3) 1(MA-1A) 1(AM32A-60A) 1(A/M32A-86).
- FLUID: LPOX DE-ICE.
- OIL: O-133-148-156.
- CAUTION: EXTV VFR ASSAULT STRIP TFC W OF RWY 16-34.
- CAUTION: AFLD SIGNS RQR B52 ACFT EXIT RWY 16-34 AT TWY F.
- SERVICE: TRAN ALERT SVC AVBL MON-FRI 1400-0400Z++; CLSD WKEND AND HOL.
- CAUTION: DURING BWC MODERATE AND SEVERE, AIRCREWS SHOULD COMPLY WITH OWNING MAJCOM/UNIT GUIDANCE; AIRCREWS CAN OBTAIN CURRENT BWC FR ATIS/PTD. BASH PHASE II IN EFFECT APR - JUN AND SEP - NOV.
- CAUTION: COMSEC STORED AT COMMAND POST.
- RSTD: NO ARR/DEP WHEN LIGHTNING WI 5 NM WO OG/CC APVL.
- RSTD: QUIET HR POLICY 0400-1000Z++.
- MISC: AFLD WX MNT BY AN/FMQ-19 ASOS, AUGMENTED BY HUMAN OBSN WHEN RQR. ATC WILL RELAY TWR PREV VIS, RCR/RSC AND VIRGA RMK TO ACFT. AUGMENTED SFC VIS RSTD 090-160 BY BLDG.
- MISC: FOR CUSTOMS REFER TO FCG OR AP-1.
- RSTD: PPR VALID +/- 30 MINUTES. PPR WILL NOT BE ISSUED FOR TRAN ACFT REQ RWY 163/343 AND RWY 164/344. LZ164/344 HAS A NON-STD LTG SYS. TRAN ACFT MUST OBTAIN BRIEFING FM 317 OSK PRIOR TO NGT OPNS. WITHOUT FORMAL NOTIFICATION FROM 317 OSK, TRAN ACFT USING RWY 163/343 OR 164/344 AT NGT WITHOUT LGT (OVERT OR COVERT) AND WITH RESPECTIVE MAJCOM/A3 APVL MUST NOTIFY AFLD MGMT AND REQ SEPARATE NOTAM FOR UNLGTD LZ OPNS.
- PARK SPOTS A1 AND B1 USED FOR TAXI OPNS ONLY.
- RSTD: PRK SPOTS A12, A13 AND A20 ARE DESIGNATED ACFT GRD EQPT (AGE) SPOTS.
- RSTD: TYE RAMP CLSD.
- CAUTION: INTS TRNG AND FORMATION FLT OF HVY ACFT IN THE IMMED VCNTY.
- RSTD: TWY G RSTD TO DAYLT OPS ONLY; EXC NVG OPS AND MAINT TOW.
- SERVICE-FUEL: A+ IS NATO F-24 EQUIVALENT WITH EXTRA ADDITIVES (CI/LI AND SDA).
- RSTD: PRK SPOTS A1 & B1 AVBL FOR TAXI ONLY.
- COMMUNICATIONS-TWR: UHF EQUIPPED ACFT SHALL USE 257.675 TO MAX EXTENT POSSIBLE.
- MISC: ALL AMC ACFT CTC AMCC PRIOR TO ARR DSN 461-1984, C325-696-1984..
- MISC: WX FCST SVC AVBL DUR AFLD OPR HRS; DSN 461-2524, C325-696-2524. ALL 175-1 WX REQ RQR 2 HR NOTICE.
- TRAN ALERT: NO MIL FLEET SVC AVBL, LTD TRAN SVC AVBL.
- CAUTION: NMRS UNMKD SPALLS THRU OUT RWY 16/34. CTC AFLD MGMT OPS DSN 461-2515 FOR FURTHER INFO.
- RSTD: B-52 ACFT APCH/LDG DYESS AFB MUST PRVD AT LEAST 2-4 HRS NOTICE BFR ARR FOR AFLD PREP.
- OPRG HRS: OPR 1300-0559Z++ MON-FRI FOR ALL ACFT, 1500-2300Z++ SAT-SUN FOR 7 BW AND 317 AW ONLY; CLSD HOL, HOL WKEND AND AFGSC FAM DAYS. IN CASE OF AFT HR EMERG NTFY 7 BW COMD POST AT 325-696-1921.
- MISC: FIRE BOTTLES LCTD AT N AND S HAMMERHEADS.
- PPR CTC AFLD MGMT AT 7OSS.OSAA.AMOPS@US.AF.MIL FOR PPR REQ FORM DSN 461-2515/2258. MIN 24 HR NOTICE RQR AND REQ NO MORE THAN 7 DAYS PRIOR. PPR VALID +/- 30 MINUTES OF SKED LDG. ALL DIVERTS MUST CTC AFLD MGMT TO CONFIRM RAMP SPACE/TRAN SVC AVBL.
- CSTMS/AG/IMG: CSTMS AVBL, CTC SECURITY FORCES DSN 461-2131/2132 24 HR IN ADVANCE.
- TPA: 1210 FT AGL RECTANGULAR, 1710 FT AGL OVERHEAD.
Weather Minimums
Instrument Approach Procedure (IAP) Charts
Nearby Airports with Instrument Procedures
| ID | Name | Heading / Distance | ||
|---|---|---|---|---|
![]() |
KABI | Abilene Regional Airport | 092° | 8.9 |
![]() |
77F | Winters Municipal Airport | 193° | 29.0 |
![]() |
F56 | Arledge Field Airport | 011° | 30.1 |
![]() |
KSWW | Avenger Field Airport | 275° | 31.1 |
![]() |
T23 | Albany Municipal Airport | 058° | 34.9 |
![]() |
KCOM | Coleman Municipal Airport | 146° | 41.6 |
![]() |
KGZN | Gregory M Simmons Memorial Airport | 094° | 42.4 |
![]() |
E30 | Bruce Field Airport | 187° | 45.0 |
![]() |
15F | Haskell Municipal Airport | 008° | 46.8 |
![]() |
KBKD | Stephens County Airport | 069° | 52.1 |
![]() |
KETN | Eastland Municipal Airport | 089° | 53.2 |
![]() |
KSNK | Winston Field Airport | 286° | 57.9 |








