Login
Register
GPT
Gulfport-Biloxi International Airport
Official FAA Data Effective 2025-11-27 0901Z
VFR Chart of KGPT
Sectional Charts at SkyVector.com
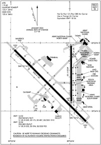
IFR Chart of KGPT
Enroute Charts at SkyVector.com
Location Information for KGPT
Coordinates: N30°24.44' / W89°4.21'Located 03 miles NE of Gulfport, Mississippi on 1400 acres of land. View all Airports in Mississippi.
Surveyed Elevation is 28 feet MSL.
TPA: 800 FT AGL LGT SNGL-ENG, 1200 FT AGL CONVENTIONAL, 1500 FT AGL JETS.
Operations Data
|
|
Airport Communications
| ATIS: | 119.45 |
|---|---|
| ASOS: | 119.45 Tel. 228-867-9937 |
| GULFPORT TOWER: | 123.7 339.8 |
| GULFPORT GROUND: | 120.4 348.6 |
| GULFPORT APPROACH: | 124.6 ;130-309 127.5 ;310-129 254.25 ;310-129 354.1 ;130-309 |
| GULFPORT DEPARTURE: | 124.6 ;130-309 127.5 ;310-129 254.25 ;310-129 354.1 ;130-309 |
| IC: | 127.5 ;310-129 254.25 ;310-129 |
| FINAL CTL: | 126.75 397.95 |
| TRSA: | 124.6 ;130-309 127.5 ;310-129 254.25 ;310-129 354.1 ;130-309 |
| EMERG: | 121.5 243.0 |
| CTAF: | 123.700 |
| UNICOM: | 122.950 |
| ATIS at BIX (7.5 E): | 281.55 |
| AWOS-3PT at HSA (20.0 W): | 118.375 228-466-9320 |
| ASOS at PQL (28.1 E): | 135.175 228-474-2836 |
- APCH/DEP SVC PRVDD BY HOUSTON ARTCC (ZHU) ON FREQS 127.65/285.475 (MOBILE RCAG) WHEN GULFPORT APCH CTL (GPT) CLSD.
Nearby Navigation Aids
|
| ||||||||||||||||||||||||||||||||||||||||||||||||||||||||||||
Runway 14/32
| Dimensions: | 9002 x 150 feet / 2744 x 46 meters | |
|---|---|---|
| Surface: | Asphalt-Concrete / Grooved in Good Condition RWY END 14 FIRST 2000 FT CONC; RWY END 32 FIRST 1500 FT CONC. | |
| Weight Limits: | S-120, D-250, ST-487, DT-1010
2S-175.
PCR VALUE: 960/R/C/W/T
| |
| Edge Lighting: | High Intensity | |
| Runway 14 | Runway 32 | |
| Coordinates: | N30°24.90' / W89°4.94' | N30°23.85' / W89°3.73' |
| Elevation: | 18.9 | 22.0 |
| Traffic Pattern: | Left | Left |
| Runway Heading: | 135° True | 315° True |
| Markings: | Precision Instrument in good condition. | Precision Instrument in good condition. |
| Glide Slope Indicator | P4R (3.00° Glide Path Angle) | P4L (3.00° Glide Path Angle) |
| RVR Equipment | Touchdown | Touchdown |
| Approach Lights: | MALSR 1,400 Foot Medium-intensity Approach Lighting System with runway alignment indicator lights. | MALSR 1,400 Foot Medium-intensity Approach Lighting System with runway alignment indicator lights. |
Runway 18/36
RWY 18/36 NOT AVBL FOR PART 121/PART 380 OPS WITH SKED PAX CARRYING OPS MORE THAN 9 PAX SEATS AND NON-SKED PAX CARRYING OPS MORE THAN 30 PAX SEATS. | ||
| Dimensions: | 4935 x 150 feet / 1504 x 46 meters | |
|---|---|---|
| Surface: | Asphalt / Grooved in Fair Condition | |
| Weight Limits: | S-120, D-232, ST-394, DT-923
PCR VALUE: 580/F/B/X/T
| |
| Edge Lighting: | Medium Intensity | |
| Runway 18 | Runway 36 | |
| Coordinates: | N30°24.96' / W89°3.98' | N30°24.14' / W89°3.97' |
| Elevation: | 23.5 | 25.5 |
| Traffic Pattern: | Left | Left |
| Runway Heading: | 180° True | 360° True |
| Markings: | Non-Precision Instrument in good condition. | Non-Precision Instrument in good condition. |
| Glide Slope Indicator | P4R (3.00° Glide Path Angle) | P4L (3.00° Glide Path Angle) |
Services Available
| Fuel: | 100LL (blue), Jet-A, Jet A+ |
|---|---|
| Transient Storage: | Hangars,Tiedowns |
| Airframe Repair: | MAJOR |
| Engine Repair: | MAJOR |
| Bottled Oxygen: | HIGH/LOW |
| Bulk Oxygen: | NONE |
| Other Services: | AIR FREIGHT SERVICES,AIR AMBULANCE SERVICES,AVIONICS,CARGO HANDLING SERVICES,CHARTER SERVICE,PILOT INSTRUCTION,AIRCRAFT RENTAL,AIRCRAFT SALES,ANNUAL SURVEYING |
Ownership Information
| Ownership: | Publicly owned | |
|---|---|---|
| Owner: | GULFPORT-BILOXI RGNL APT AUTH | |
| 14035-L AIRPORT RD | ||
| GULFPORT, MS 39503 | ||
| 228-863-5951 | ||
| Manager: | CLAY WILLIAMS | |
| 14035-L AIRPORT RD | ||
| GULFPORT, MS 39503 | ||
| 228-863-5951 | ||
Other Remarks
- NMRS LOW FLYING FISH SPOTTER ACFT OPERG THE SHORELINE BTN PASCAGOULA & GULFPORT SR-SS.
- ACFT OPERG AS SKED OR CHTR PAX SVC SHALL NOT TAX ON TWY A N OF TWY B INT WO ESCORT FM GND HANDLING AGENT OR ARPT AUTH.
- CIV ACFT WITH WINGSPAN OF 132 FT OR GTR & ALL ACR ACFT MUST BE ESCORTED ALG TWY A N OF TWY C BY GND HANDLING AGENT.
- MIL ACFT OR ACFT SUPPORTING A MIL MISSION WITH WINGSPAN OF 132 FT OR GTR MUST HAVE ESCORT OR COORD TAX PROCS WITH GND HANDLING AGENT PRIOR TO TAX ON TWY A.
- MAVERICK PAD APN AREA ON N END OF TWY C RSTRD TO MIL ACFT USE ONLY.
- A-GEAR AVBL DRG ANG OPS WITH 30 MIN PPR.
- CUST & IMG 48 HR PPR.
- MILITARY: RSTD: C-5 ACFT PRKG RSTD TO 1 ACFT AT A TIME DUE TO TWY WID UNLESS COORDD.
- MILITARY: ANG: NO COMSEC STOR. CRTC AFLD MGMT OPS OPR 1300-2130Z++ MON; 1300-2230Z++ TUES-FRI & UNIT TRNG ASSEMBLY (UTA) WKNDS, NORMALLY FIRST WKND OF MONTH; CLSD HOL. 48 HR PN PPR RQR CTC CRTC AM OPS. CTC GUARD OPS 15 MIN PRIOR TO ARR 377.800. DSN 363-6027; C228-214-6027; FAX DSN 363-6031; C228-214-6031.
- MILITARY: CAUTION: BASH PHASE II IN EFCT APR-MAY AND AUG-OCT. CTC AFLD MGMT FOR CURRENT BIRD WATCH COND.
- PWR CHK PAD BTN RWY 18/36 AND TWY A RSTD TO MIL ACFT ONLY.
- TXL F20 BTN FBO & TXL G CLSD TO ACFT WITH WINGSPAN GTR THAN 49 FT. POLE ADJ TXL F20 NOT LGTD.
- FUEL A+ (MIL) A (C228-701-0400).
- MILITARY: RSTD: PRKG RSTD WI 100 FT LOX FAC LCTD NE CORNER APN 1.
- MILITARY: ANG: LTD SVC AVBL, SPACE A PSNL, NO PAX TRML.
- MILITARY: ARNG: MSAVCRAD OPS OPR 1300-2130Z++ MON; 1300-2230Z++ TUE-FRI & UNIT TRNG ASSEMBLY (UTA) WKND. PPR RQR CTC ARNG OPS, DSN 293-1378/1312, C228-214-1378/1312. ACFT INBD TO ARNG RAMP CTC BLACKJACK OPS (241.0/41.6) 10 MIN PRIOR TO LDG FOR PRK INSTR.
- ACFT OVR 115000 LBS ARE RSTRD FM 180 DEG TURNS ON RWY 18/36. ACFT WITH WINGSPAN GTR THAN 223 FT ARE RSTRD FM OPRG ON TWY C BTN TWY A & AER 32.
- ACFT OVR 155000 LBS ARE RSTRD FM USING THE N PART OF TWY A AT RWY 18/36. ACFT OVR 316000 LBS ARE RSTRD FM USING THE S PART OF TWY A BTN TWY C & RWY 14/32.
- DUE TO APN ACTVTY ACFT WITH WINGSPAN GTR THAN 170 FT SHOULD BE ALERT ON TWY A BTN TWY C & TWY B.
- 150 FT AGL CRANE 4600 FT N OF RWY 18 THLD.
- WHEN ATCT CLSD ACTVT MALSR RWY 14 & 32; HIRL RWY 14/32; MIRL RWY 18/36 - CTAF. MIRL RWY 18/36 NOT AVBL WHEN ATCT CLSD & RWY 14/32 ACTV.
- TPA: 800 FT AGL LGT SNGL-ENG, 1200 FT AGL CONVENTIONAL, 1500 FT AGL JETS.
- BAK-14 BAK-12B(B) (1800 FT).
- BAK-14 BAK-12B(B) (1300 FT).
Weather Minimums
Instrument Approach Procedure (IAP) Charts
Nearby Airports with Instrument Procedures
| ID | Name | Heading / Distance | ||
|---|---|---|---|---|
![]() |
KBIX | Keesler AFB Airport | 088° | 7.6 |
![]() |
KHSA | Stennis International Airport | 263° | 20.1 |
![]() |
M24 | Dean Griffin Memorial Airport | 349° | 26.5 |
![]() |
KPQL | Trent Lott International Airport | 083° | 28.3 |
![]() |
KMJD | Picayune Municipal Airport | 279° | 30.5 |
![]() |
M13 | Poplarville/Pearl River County Airport | 315° | 32.0 |
![]() |
KASD | Slidell Airport | 264° | 39.1 |
![]() |
2R5 | St Elmo Airport | 081° | 41.6 |
![]() |
KMOB | Mobile Regional Airport | 068° | 46.1 |
![]() |
KBXA | George R Carr Memorial Air Field Airport | 300° | 47.8 |
![]() |
KHBG | Hattiesburg Bobby L Chain Municipal Airport | 349° | 52.2 |
![]() |
KBFM | Mobile International Airport | 075° | 53.6 |








