Login
Register
MOB
Mobile Regional Airport
Official FAA Data Effective 2025-11-27 0901Z
VFR Chart of KMOB
Sectional Charts at SkyVector.com
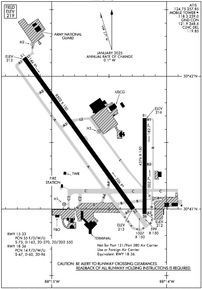
IFR Chart of KMOB
Enroute Charts at SkyVector.com
Location Information for KMOB
Coordinates: N30°41.49' / W88°14.57'Located 11 miles W of Mobile, Alabama on 1717 acres of land. View all Airports in Alabama.
Surveyed Elevation is 218 feet MSL.
TPA: HEL/SNGL SRS CAT I 800 FT AGL, 1300 FT AGL FIXED WING ACFT, OVHD 1800 FT AGL.
Operations Data
|
|
Airport Communications
| ATIS: | 124.75 257.85 |
|---|---|
| ASOS: | 124.75 Tel. 251-206-0328 |
| MOBILE TOWER: | 118.3 239.0 |
| MOBILE GROUND: | 121.9 348.6 |
| MOBILE APPROACH: | 118.5 ;320-139 121.0 ;140-319 269.3 ;320-139 307.1 ;140-319 |
| MOBILE DEPARTURE: | 118.5 ;320-139 121.0 ;140-319 269.3 ;320-139 307.1 ;140-319 |
| IC: | 118.5 ;320-139 269.3 ;320-139 |
| CLEARANCE DELIVERY: | 119.85 |
| CG OPS: | 3123X ;MOBILE AIR 5696X ;MOBILE AIR 8984X ;MOBILE AIR |
| UNICOM: | 122.950 |
| CLASS C: | 118.5 ;320-139 121.0 ;140-319 269.3 ;320-139 307.1 ;140-319 |
| EMERG: | 121.5 243.0 |
| CTAF: | 118.300 |
| ASOS at BFM (9.8 SE): | 251-431-6762 |
| ATIS at BFM (9.8 SE): | 135.575 |
| ATIS at PQL (20.2 SW): | 135.175 |
- APCH/DEP SVC PRVDD BY HOUSTON ARTCC (ZHU) ON FREQS 127.65/285.475 (MOBILE RCAG) WHEN MOBILE APCH CTL (MOB) CLSD.
Nearby Navigation Aids
|
| ||||||||||||||||||||||||||||||||||||||||||||||||||||||||||||
Runway 15/33
| Dimensions: | 8502 x 150 feet / 2591 x 46 meters | |
|---|---|---|
| Surface: | Asphalt / Grooved in Good Condition | |
| Weight Limits: | 55 /F/D/W/U, S-75, D-162, ST-270, DT-550 | |
| Edge Lighting: | High Intensity | |
| Runway 15 | Runway 33 | |
| Coordinates: | N30°42.14' / W88°15.24' | N30°41.00' / W88°14.29' |
| Elevation: | 212.9 | 213.2 |
| Traffic Pattern: | Left | Left |
| Runway Heading: | 144° True | 324° True |
| Markings: | Precision Instrument in good condition. | Precision Instrument in good condition. |
| Glide Slope Indicator | P4L (3.00° Glide Path Angle) | P4L (3.00° Glide Path Angle) |
| RVR Equipment | Touchdown | Touchdown |
| Approach Lights: | MALSR 1,400 Foot Medium-intensity Approach Lighting System with runway alignment indicator lights. | MALSR 1,400 Foot Medium-intensity Approach Lighting System with runway alignment indicator lights. |
Runway 18/36
RWY 18/36 NOT AVBL FOR PART 121/PART 380 OPS WITH SKED PAX CARRYING OPS MORE THAN 9 PAX SEATS AND NON-SKED PAX CARRYING OPS MORE THAN 30 PAX SEATS. CLSD 2200-0700 EXCP FOR EMERG OPNS. | ||
| Dimensions: | 4376 x 150 feet / 1334 x 46 meters | |
|---|---|---|
| Surface: | Asphalt / Grooved in Good Condition | |
| Weight Limits: | 14 /F/D/W/U, S-47, D-60, ST-96 | |
| Edge Lighting: | Medium Intensity | |
| Runway 18 | Runway 36 | |
| Coordinates: | N30°41.68' / W88°14.19' | N30°40.96' / W88°14.19' |
| Elevation: | 216.4 | 211.9 |
| Traffic Pattern: | Left | Left |
| Runway Heading: | 180° True | 360° True |
| Markings: | Non-Precision Instrument in good condition. | Non-Precision Instrument in good condition. |
| Obstacles: | 32 ft Tree 850 ft from runway, 50 ft right of center | 62 ft Trees 1760 ft from runway, 200 ft left of center |
Helipad H1
| Dimensions: | 100 x 100 feet / 30 x 30 meters | |
|---|---|---|
| Surface: | Asphalt in Good Condition | |
| Coordinates: | N30°41.03' / W88°14.89' | N0°0.00' / E0°0.00' |
| Elevation: | 214.0 | |
Helipad H2
| Dimensions: | 60 x 40 feet / 18 x 12 meters | |
|---|---|---|
| Surface: | Asphalt | |
| Coordinates: | N30°42.24' / W88°15.17' | N0°0.00' / E0°0.00' |
| Elevation: | 208.0 | |
Helipad H3
MIL USE ONLY HELIPAD LCTD AT USCG APRON. | ||
| Dimensions: | 60 x 60 feet / 18 x 18 meters | |
|---|---|---|
| Surface: | Concrete | |
| Coordinates: | N30°41.58' / W88°14.59' | N0°0.00' / E0°0.00' |
| Elevation: | 215.0 | |
Services Available
| Fuel: | 100LL (blue), Jet-A, Jet A+ |
|---|---|
| Transient Storage: | Hangars,Tiedowns |
| Airframe Repair: | MAJOR |
| Engine Repair: | MAJOR |
| Bottled Oxygen: | LOW |
| Bulk Oxygen: | LOW |
| Other Services: | AIR FREIGHT SERVICES,AIR AMBULANCE SERVICES,AVIONICS,CARGO HANDLING SERVICES,CHARTER SERVICE,PILOT INSTRUCTION,AIRCRAFT RENTAL,AIRCRAFT SALES |
Ownership Information
| Ownership: | Publicly owned | |
|---|---|---|
| Owner: | MOBILE AIRPORT AUTHORITY | |
| P O BOX 88004 | ||
| MOBILE, AL 36608-0004 | ||
| 251-633-4510 | ||
| Manager: | ANDY WILSON | |
| P O BOX 88004 | ||
| MOBILE, AL 36608-0004 | ||
| 251-633-4510 | ||
Other Remarks
- THIS AIRPORT HAS BEEN SURVEYED BY THE NATIONAL GEODETIC SURVEY.
- RVR UNAVBL WHEN ATCT CLSD.
- COAST GUARD; W APRON , E APRON.
- CONDS NOT MNTD WHEN ATCT CLSD.
- FOR CD IF UNA TO CTC ON FSS FREQ, CTC HOUSTON ARTCC AT 281-230-5622.
- MOB TWY C BTN TWY A AND TWY C3 CLSD TO ACFT WINGSPAN MORE THAN 78FT
- WHEN ATCT CLSD ACTVT MALSR RWYS 15 & 33 - CTAF. PAPI RWYS 15 & 33 OPR CONSLY. HIRL RWY 15/33 PRESET STEP 3 OR HYR, BASED ON WX CONDS.
- TPA: HEL/SNGL SRS CAT I 800 FT AGL, 1300 FT AGL FIXED WING ACFT, OVHD 1800 FT AGL.
Weather Minimums
Instrument Approach Procedure (IAP) Charts
Nearby Airports with Instrument Procedures
| ID | Name | Heading / Distance | ||
|---|---|---|---|---|
![]() |
KBFM | Mobile International Airport | 113° | 9.8 |
![]() |
2R5 | St Elmo Airport | 188° | 11.5 |
![]() |
KPQL | Trent Lott International Airport | 227° | 20.2 |
![]() |
KCQF | H L Sonny Callahan Airport | 126° | 23.5 |
![]() |
1R8 | Bay Minette Municipal Airport | 063° | 24.4 |
![]() |
5R4 | Holk Field At Foley Municipal Airport | 119° | 32.2 |
![]() |
KJKA | Gulf Shores International/Jack Edwards Field Airport | 128° | 38.1 |
![]() |
KBIX | Keesler AFB Airport | 244° | 39.1 |
![]() |
0R1 | Atmore Municipal Airport | 064° | 45.5 |
![]() |
5R1 | Roy Wilcox Airport | 003° | 45.6 |
![]() |
KGPT | Gulfport-Biloxi International Airport | 248° | 46.1 |
![]() |
M24 | Dean Griffin Memorial Airport | 281° | 48.3 |






