Login
Register
NBC
Beaufort MCAS (Merritt Field) Airport
Official FAA Data Effective 2025-12-25 0901Z
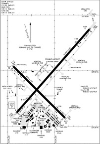
VFR Chart of KNBC
Sectional Charts at SkyVector.com
IFR Chart of KNBC
Enroute Charts at SkyVector.com
Location Information for KNBC
Coordinates: N32°28.83' / W80°43.15'Located 03 miles NW of Beaufort, South Carolina. View all Airports in South Carolina.
Surveyed Elevation is 37 feet MSL.
Operations Data
|
|
Airport Communications
| ATIS: | 279.525 |
|---|---|
| BEAUFORT TOWER: | 119.05 342.875 363.15 |
| BEAUFORT GROUND: | 128.15 348.625 |
| BEAUFORT APPROACH: | 123.7 ;3000 FT & BLW 125.125 ;ABV 3000 FT 269.125 ;3000 FT & BLW 292.125 ;ABV 3000 FT |
| BEAUFORT DEPARTURE: | 123.7 ;3000 FT & BLW 125.125 ;ABV 3000 FT 269.125 ;3000 FT & BLW 292.125 ;ABV 3000 FT |
| CLEARANCE DELIVERY: | 128.15 254.375 |
| PTD: | 281.8 ;BASE OPS |
| PMSV METRO: | 264.5 |
| SFA: | 298.875X 317.775X 323.275X 372.0X 379.275X |
| EMERG: | 121.5 243.0 |
| AWOS-3 at ARW (6.1 SE): | 119.675 843-524-1000 |
| AWOS-3PT at 3J1 (13.8 W): | 118.450 843-547-8419 |
| AWOS-3PT at HXD (15.3 S): | 121.4 843-342-5072 |
- APCH/DEP SVC PRVDD BY JACKSONVILLE ARTCC (SAVANNAH RCAG) ON FREQS 132.925/363.2 WHEN BEAUFORT APCH CTL CLSD.
- OPR 1200-0400Z++ MON-THU; 1200-2300Z++ FRI; CLSD SAT SUN & HOL; JACKSONVILLE CENTER.
- OPR 1200-0400Z++ MON-THU; 1200-2300Z++ FRI; CLSD SAT SUN & HOL.
- OPR 1200-0400Z++ MON-THU; 1200-2300Z++ FRI; CLSD SAT SUN & HOL.
- OPR 1200-0400Z++ MON-THU; 1200-2300Z++ FRI; CLSD SAT SUN & HOL.
Nearby Navigation Aids
|
| ||||||||||||||||||||||||||||||||||||||||||||||||||||||||||||
Runway 05/23
| Dimensions: | 12202 x 200 feet / 3719 x 61 meters | |
|---|---|---|
| Surface: | PEM | |
| Weight Limits: | 59 /R/C/W/T | |
| Edge Lighting: | High Intensity | |
| Runway 05 | Runway 23 | |
| Coordinates: | N32°28.23' / W80°43.83' | N32°29.73' / W80°42.24' |
| Elevation: | 36.9 | 12.9 |
| Runway Heading: | 42° True | 222° True |
| Markings: | Precision Instrument in good condition. | Precision Instrument in good condition. |
| Glide Slope Indicator | P4L (3.00° Glide Path Angle) | P4L (3.00° Glide Path Angle) |
| Approach Lights: | SALSF SALSF | ALSF1 Standard 2,400 Foot High-intensity Approach Lighting System with sequenced flashers, CATEGORY I Configuration. |
Runway 14/32
| Dimensions: | 8001 x 200 feet / 2439 x 61 meters | |
|---|---|---|
| Surface: | PEM | |
| Weight Limits: | 64 /R/D/W/T | |
| Edge Lighting: | High Intensity | |
| Runway 14 | Runway 32 | |
| Coordinates: | N32°29.08' / W80°43.88' | N32°28.14' / W80°42.79' |
| Elevation: | 32.2 | 23.1 |
| Runway Heading: | 135° True | 315° True |
| Markings: | Precision Instrument in good condition. | Precision Instrument in good condition. |
| Glide Slope Indicator | P4L (3.00° Glide Path Angle) | P4L (3.00° Glide Path Angle) |
Services Available
| Fuel: | NONE |
|---|---|
| Transient Storage: | NONE |
| Airframe Repair: | NOT AVAILABLE |
| Engine Repair: | NOT AVAILABLE |
| Bottled Oxygen: | NONE |
| Bulk Oxygen: | HIGH/LOW |
Ownership Information
| Ownership: | Owned by the Navy | |
|---|---|---|
| Owner: | US NAVY | |
| OCEANOGRAPHIC OFC-CODE 3142 | ||
| WASHINGTON, DC 20373 | ||
| Manager: | COMMANDING OFFICER | |
| MARINE CORPS AIR STATION | ||
| BEAUFORT, SC 29902 | ||
Other Remarks
- TRAN ALERT: TRANS SVC AVBL 1200-2300Z++ MON-FRI ONLY, CLSD NATL HOL. (SEE RTSD FOR ADDNL TRAN ACFT INFO) TRAN ACFT EXP TRUCK REFUEL. TRAN ACFT MAINT UNAVBL. TRAN AVN ORDNANCE SVC AVBL. LAVATORY SVC UNAVBL. JASU, FLUID, AND OIL UNAVBL.
- RSTD: RSTD - PPR, 24 HR PN RQR, CTC AFLD BASE OPS DSN 335-7301/7302/7303 C843-228-7301/7302.
- REMARKS: OPR 1200-0400Z++ MON-THU, 1200-2400Z++ FRI, 2000-2200Z++ SUN, CLSD SAT AND HOL, OT BY NOTAM.
- RWY: FIRST 1000 FT ALL RWYS CONC, INTERIOR PORTIONS ASPHALT. VERTICAL LANDING PADS WITH HIGH TEMP CONCR AVBL FOR V/STOL AND R/W ACFT. WT BRG WAIVERS CTC BASE OPS.
- COMMUNICATIONS: SFA REMARKS: AS ASGN.
- CLOSED FIELD OPNS (CFO) ARE RSTRD AND RQR PPR. FOR ANY FURTHER QUESTIONS PLEASE CONTACT MARINE CORPS AIR STATION BEAUFORT AIRFIELD OPERATIONS AT 843-228-7301.
- SEE TERMINAL FLIP FOR RADAR MINIMA.
- SERVICE: A-GEAR - E-28 ON ALL RWY IN RAISED POSITION, EXC ON LDG RWY.
- FUEL: J5 TRANS ALERT - TRANS SVC AVBL 1200-2300Z++ MON-FRI, CLSD HOL. TRANS HOT PIT AVBL BY PPR NO LATER THAN 1 HR PRIOR TO TRANS ALERT CLOSING. NO LCL, ROUND ROBIN TRANS SUP. WEAPONS ARM/DE-ARM SAFEING NOT AVBL. GND SVCG NOT AVBL WHEN LIGHTNING WI 10 NM. QUESTIONS REG SPECIFIC ACFT EQUIP SUP CTC TRANS ALERT DSN 228-7110, C 843-228-7110.
- RSTD: OFFL BUS, PPR ALWAYS, MIN 24 HR NOTICE CTC BASE OPS DSN 335-7301, C 843-228-7301 OR EMAIL: BFRT_BASE_OPERATIONS@USMC.MIL. PN ALL INBD TRAN ACFT TO INCL AMC, JOSAC, ALTN AFLD, AND DIVERTS. PN APVL GOOD FOR +/- 1 HR OF COORD TIME. INBD ACFT WITH VIP, CARGO, PAX CTC BASE OPS VIA PTD 281.8 AT LEAST 20 MINS PRIOR TO LDG. WHEN NEC 180 DEGREE TURNS ON RWY EXECUTE LAST 1000 FT FOR C-130 ACFT AND LARGER.
- CAUTION: RWY 14/32 CONC ENDS WITH NSTD OVRN LEN 200 FT. F-35B SHORT TAKEOFF OR LIMITED TO CONC ENDS OF RWYS. F-35B/AV-8 HOVER LDG RSTD TO VERTICAL LANDING PADS. ACFT RSTD FR TAXIING ON TOWWAY RD BTN RWY 5 AND TEST CELL; TOW ONLY. BIRD, DEER AND COYOTE HAZ. BIRD ACT INCR BTN OCT-APR. HVY AND LARGE 4 ENG ACFT ARE REQ TO IDLE OUTBOARD ENGS ON TWY A/B ADJ TO ACFT PARKING RAMPS DUE TO FOD HAZ. PORTIONS OF ACFT RAMPS NOT VIS FR TWR. UNCTL VEH TFC ON RAMPS.
- TFC PAT: OVERHEAD 1500 FT, CONVL 800 FT, COPTER CALL ENTERING CLASS D AIRSPACE BLW 800 FT. MSTD RSRS APPLIED TO USN/USMC ACFT ONLY. SIMULTANEOUS RUNWAY OPR AND F-35B VSTOL LANDING PADS.
- MISC: DURING SINGLE RWY OPS NON-TENANT ACFT EXP DELAYS. LTD CSTMS/AG AVBL 24 HR PN CTC DSN 335-6161, C 843-228-6161. COMSEC NOT AVBL. INTL GARBAGE CAP UNAVBL. ARFF CAT 3/FAA INDEX D. CLASS D AIRSPACE REVERTS TO CLASS E WHEN TWR CLSD. AFTER HRS URGENT AIRFIELD MATTERS CTC DUTY OFFICER DSN 335-7121, C 843-228-7121.
- SALSF RWY 05; ALSF-1 RWY 23; PAPI RWY 05, 14, 23 & 32; HIRL RWY 05/23, 14/32 OPR CONSLY.
- HOOK E28(B) (2050')
- HOOK E28(B) (1249')
- HOOK E28(B) (1900')
- HOOK E28(B) (1250')
Weather Minimums
Instrument Approach Procedure (IAP) Charts
Nearby Airports with Instrument Procedures
| ID | Name | Heading / Distance | ||
|---|---|---|---|---|
![]() |
KARW | Beaufort Exec Airport | 133° | 5.9 |
![]() |
KHXD | Hilton Head Airport | 175° | 15.4 |
![]() |
KRBW | Lowcountry Regional Airport | 008° | 26.7 |
![]() |
KSAV | Savannah/Hilton Head International Airport | 229° | 32.4 |
![]() |
KSVN | Hunter AAF Airport | 217° | 35.6 |
![]() |
KJZI | Charleston Exec Airport | 069° | 38.6 |
![]() |
KDYB | Summerville Airport | 032° | 41.3 |
![]() |
KAQX | Allendale County Airport | 318° | 41.6 |
![]() |
KCHS | Charleston AFB/International Airport | 053° | 42.5 |
![]() |
6J2 | St George Airport | 013° | 44.1 |
![]() |
KJYL | Plantation Airpark Airport | 282° | 45.6 |
![]() |
KTBR | Statesboro-Bulloch County Airport | 270° | 51.7 |







