Login
Register
SAV
Savannah/Hilton Head International Airport
Official FAA Data Effective 2025-11-27 0901Z
From the Flight Deck
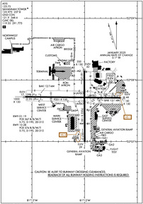
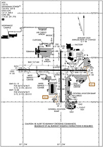
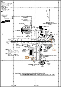
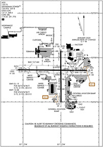
VFR Chart of KSAV
Sectional Charts at SkyVector.com
IFR Chart of KSAV
Enroute Charts at SkyVector.com
Location Information for KSAV
Coordinates: N32°7.65' / W81°12.13'Located 07 miles NW of Savannah, Georgia on 3650 acres of land. View all Airports in Georgia.
Surveyed Elevation is 50 feet MSL.
MILITARY JET-OVHDS 2000 FT.
Operations Data
|
|
Airport Communications
| ATIS: | 123.75 |
|---|---|
| ASOS: | Tel. 912-226-2578 |
| SAVANNAH TOWER: | 125.975 257.8 |
| SAVANNAH GROUND: | 121.9 348.6 |
| SAVANNAH APPROACH: | 118.4 ;270-010 120.4 ;110-269 121.1 125.3 ;011-109 307.225 ;270-010 353.775 ;110-269 371.875 ;011-109 |
| SAVANNAH DEPARTURE: | 118.4 ;270-010 120.4 ;110-269 121.1 125.3 ;011-109 307.225 ;270-010 353.775 ;110-269 371.875 ;011-109 |
| IC: | 125.3 ;011-109 371.875 ;011-109 |
| CLEARANCE DELIVERY: | 119.55 291.775 |
| CTAF: | 125.975 |
| CLASS C: | 118.4 ;270-010 120.4 ;110-269 125.3 ;011-109 307.225 ;270-010 353.775 ;110-269 371.875 ;011-109 |
| UNICOM: | 122.950 |
| COMD POST: | 225.75 ;DAWG OPNS |
| OPS: | 297.1 ;COMBAT READINESS TRNG CNTR |
| EMERG: | 121.5 243.0 |
| PMSV METRO: | 309.0 |
| ATIS at SVN (7.6 S): | 127.525 |
| ATIS at LHW (23.3 SW): | 118.475 |
| AWOS-3PT at 3J1 (24.7 NE): | 118.450 843-547-8419 |
- APCH/DEP SVC PRVDD BY JACKSONVILLE ARTCC ON FREQS 132.925/363.2 (SAVANNAH RCAG) WHEN APCH CTL CLSD.
- ARPT FIRE DEPT MONITORS FREQ 125.975 WHEN ATCT CLSD.
- TWR PH# 912-964-3700.
Nearby Navigation Aids
|
| ||||||||||||||||||||||||||||||||||||||||||||||||||||||||||||
Runway 10/28
| Dimensions: | 9351 x 150 feet / 2850 x 46 meters | |
|---|---|---|
| Surface: | Concrete / Grooved in Good Condition RY 10/28 CENTER 75 FT KEEL SECTION CONCRETE FULL LENGTH; ALL TWY INTERSECTIONS CONCRETE EXCEPT TWY C2 AND C3. REMAINDER OF RY 10/28 ASPHALT. | |
| Weight Limits: | S-75, D-190, ST-310
PCR VALUE: 576/R/B/W/T
| |
| Edge Lighting: | High Intensity | |
| Runway 10 | Runway 28 | |
| Coordinates: | N32°7.73' / W81°13.13' | N32°7.71' / W81°11.32' |
| Elevation: | 16.9 | 46.2 |
| Traffic Pattern: | Left | Left |
| Runway Heading: | 91° True | 271° True |
| Declared Distances: | TORA:9351 TODA:9351 ASDA:9351 LDA:9351 | TORA:9351 TODA:9351 ASDA:9351 LDA:9351 |
| Markings: | Precision Instrument in good condition. | Precision Instrument in good condition. |
| Glide Slope Indicator | P4L (3.00° Glide Path Angle) | P4L (3.00° Glide Path Angle) |
| RVR Equipment |
Touchdown
Midfield
NO RVR WHEN ATCT CLSD.
|
Midfield
Rollout
NO RVR WHEN ATCT CLSD.
|
| Approach Lights: | MALSR 1,400 Foot Medium-intensity Approach Lighting System with runway alignment indicator lights. MALSR RWY 10 NSTD SPACING. | |
| REIL: | Yes | |
| Centerline Lights: | Yes | Yes |
Runway 01/19
| Dimensions: | 7002 x 150 feet / 2134 x 46 meters | |
|---|---|---|
| Surface: | Concrete / Grooved in Good Condition RY 1/19 CENTER 75 FT KEEL SECTION OF RY CONCRETE FULL LENGTH; LAST 500 FT CONCRETE, FULL WIDTH, BOTH ENDS. ALL TWY INTERSECTIONS CONCRETE EXCEPT TWY B AT THE NORTH END OF THE RY AND TWY B2. REMAINDER OF RY 1/19 ASPHALT. | |
| Weight Limits: | S-75, D-190, ST-310
PCR VALUE: 567/R/B/W/T
| |
| Edge Lighting: | High Intensity | |
| Runway 01 | Runway 19 | |
| Coordinates: | N32°6.99' / W81°12.00' | N32°8.15' / W81°12.01' |
| Elevation: | 29.3 | 41.8 |
| Traffic Pattern: | Left | Left |
| Runway Heading: | 360° True | 180° True |
| Declared Distances: | TORA:7002 TODA:7002 ASDA:7002 LDA:7002 | TORA:7002 TODA:7002 ASDA:7002 LDA:7002 |
| Markings: | Precision Instrument in good condition. | Precision Instrument in good condition. |
| Glide Slope Indicator | P4L (3.00° Glide Path Angle) | V4R (3.00° Glide Path Angle) |
| RVR Equipment |
Touchdown
Midfield
NO RVR WHEN ATCT CLSD.
|
Midfield
Rollout
NO RVR WHEN ATCT CLSD.
|
| REIL: | Yes | |
Services Available
| Fuel: | 100LL (blue), Jet-A, Jet A+, A++ |
|---|---|
| Transient Storage: | Hangars,Tiedowns |
| Airframe Repair: | MAJOR |
| Engine Repair: | MAJOR |
| Bottled Oxygen: | HIGH/LOW |
| Bulk Oxygen: | HIGH/LOW |
| Other Services: | AIR FREIGHT SERVICES,CARGO HANDLING SERVICES,CHARTER SERVICE,PILOT INSTRUCTION,AIRCRAFT RENTAL,AIRCRAFT SALES |
Ownership Information
| Ownership: | Publicly owned | |
|---|---|---|
| Owner: | SAVANNAH AIRPORT COMMISSION | |
| 400 AIRWAYS AVE. | ||
| SAVANNAH, GA 31408 | ||
| 912-964-0514 | ||
| Manager: | GREG B. KELLY, A.A.E. | |
| 400 AIRWAYS AVE. | ||
| SAVANNAH, GA 31408 | ||
| 912-964-0514 | ||
Other Remarks
- BIRDS & DEER ON & INVOF OF ARPT. AIR CARRIER ACFT CTC GND PRIOR TO PUSH BACK FROM ALL GATES. PILOTS SHOULD COMPLETE ALL CALCULATIONS PRIOR TO PUSH BACK FM TRML GATE. OPR TRANSPONDERS WITH ALT REPORTING MODE AND ADS-B (IF EQUIPPED) ENABLED ON ALL AIRPORT SURFACES.
- TWY 'E2' CONNECTOR CLSD TO ACFT LANDING RY 28. DISTANCE FM TOUCHDOWN TOO SHORT FOR SAFE TURN.
- ANG: COMBAT READINESS TRNG CNTR (CRTC)/AIR DOMINANCE CENTER (ADC) AFLD MGMT DSN 860-3145/3497, C912-963-3145/3497. DUTY HR 1230-2100Z++ MON-FRI. CTC ADC BASE OPS ON UHF 237.00 (CALL SIGN "ADC OPS").
- 165AW (C130 UNIT) AFLD MGMT DSN 860-8184/8433, C912-966-8184. DUTY HR 1230-2100Z++MON-THUR, 1230-1900Z++ FRI. ACFT INBD TO 165AW CTC COMD POST DSN 860-8244, C912-966-8244 OR UHF 225.75 WITHIN 50 NM WITH ETA AND REQ. ADC COMSEC STORAGE UNAVBL. 165AW COMSEC STORAGE UP TO SECRET AVBL VIA COMD POST DUR NORMAL DUTY HR ONLY.
- TRAN ALERT: TRAN ACFT PROHIBITED WHEN TRAN ALERT UNAVBL. FLEET SVC UNAVBL.
- ACFT/VEHICLES ON THE SOUTH END OF TWY A AND THE EAST END OF TWY E NOT VSB FROM THE ATCT.
- BASH PHASE II 01 APR - 31 OCT. CTC TWR OR COMD POST FOR BIRD HAZ. WILDLIFE MOST ACTIVE +/- 1 HR OF SS OR SR.
- ANG: MIL E2 TAXILANE.
- FOR CD IF UNA TO CTC ON FSS FREQ, CTC SAVANNAH APCH AT 912-964-3205, WHEN APCH CLSD CTC JACKSONVILLE ARTCC AT 904-845-1592.
- ARPT CLSD TO INTL GA ARR EXC 24HR PPR CTC US CUST 912-232-7507 OR 912-210-0348 AND SERVICING FIXED BASE OPR FOR PROCESSING AND INSTRUCTIONS.
- MILITARY: A-GEAR BAK-12B CABLE RAISED BY BAK-14M DEVICE O/R TO TWR.
- PILOTS CONDUCTING EFVS OPS; BE AWARE LED ALS IN USE RWY 10.
- NO 180 DEG TURNS ON ASPH FOR ACFT OVER 12500 LBS GROSS.
- PPR FOR ACES OF GEN AVN ACFT ON THE ACR TRML RAMP CTC 912-964-7501.
- TWY A, TWY B TWY C, TWY D, TWY E, TWY F, TWY G AND TWY H ARE LTD TO DUAL WHEEL ACFT UP TO 173,000 LBS AND DUAL TANDEM WHEEL ACFT UP TO 310,000 LBS.
- TWY B2, C2 ARE LIMITED TO 12500 LBS.
- TWY E CLSD FM RY 28 TO BUT NOT INCLUDING TWY E2 TO ACFT WITH WING SPAN OF 175 FT OR GREATER.
- FUEL: A++100(MIL), (NC-100LL).
- AVBL 1100-0300Z++ C912-964-1557, OT 2 HR PN, C912-313-6310. SVC FEE.
- WHEN ATCT CLSD ACTVT MALSR RWY 10; REIL RWYS 19 & 28; HIRL RWYS 01/19 & 10/28 - CTAF. VASI RWY 19 AND PAPI RWYS 01, 10, & 28 OPER CONTINUOUSLY.
- MILITARY JET-OVHDS 2000 FT.
- BAK-12 BAK 14M(B) (1500FT).
- BAK-12 BAK 14M(B) (1977 FT).
Weather Minimums
Instrument Approach Procedure (IAP) Charts
Nearby Airports with Instrument Procedures
| ID | Name | Heading / Distance | ||
|---|---|---|---|---|
![]() |
KSVN | Hunter AAF Airport | 157° | 7.6 |
![]() |
KLHW | Wright AAF (Fort Stewart)/Midcoast Regional Airport | 232° | 23.3 |
![]() |
KHXD | Hilton Head Airport | 077° | 26.4 |
![]() |
KARW | Beaufort Exec Airport | 059° | 33.5 |
![]() |
KCWV | Claxton-Evans County Airport | 276° | 34.2 |
![]() |
KTBR | Statesboro-Bulloch County Airport | 308° | 34.5 |
![]() |
KJYL | Plantation Airpark Airport | 327° | 36.9 |
![]() |
KMHP | John Edwin Jones Sr Field/Metter Municipal Airport | 288° | 47.1 |
![]() |
KRVJ | Swinton Smith Field At Reidsville Municipal Airport | 265° | 48.7 |
![]() |
KJES | Jesup-Wayne County Airport | 225° | 48.9 |
![]() |
KAQX | Allendale County Airport | 356° | 52.1 |
![]() |
KBQK | Brunswick Golden Isles Airport | 194° | 53.7 |
















