Login
Register
NLC
Lemoore NAS (Reeves Field) Airport
Official FAA Data Effective 2025-11-27 0901Z
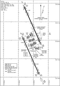
VFR Chart of KNLC
Sectional Charts at SkyVector.com
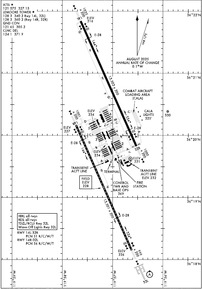
IFR Chart of KNLC
Enroute Charts at SkyVector.com
Location Information for KNLC
Coordinates: N36°19.99' / W119°57.13'Located 07 miles W of Lemoore, California. View all Airports in California.
Surveyed Elevation is 228 feet MSL.
Operations Data
|
|
Airport Communications
| ATIS: | 121.575 327.15 |
|---|---|
| AWOS-3: | 121.575 Tel. 559-998-2336 |
| LEMOORE TOWER TOWER: | 128.3 340.2 ;RWY 14L, 32L 360.2 ;RWY 14R, 32R |
| LEMOORE TOWER GROUND: | 121.65 305.2 |
| LEMOORE APPROACH: | 118.15 ;SOUTH 124.1 ;NORTH 269.025 |
| LEMOORE DEPARTURE: | 118.15 ;RWY 14L, 14R 124.1 ;RWY 32L, 32R 318.8 |
| CLEARANCE DELIVERY: | 124.1 371.9 |
| EMERG: | 121.5 243.0 |
| NAF OPS: | 6723 |
| ADZY: | 134.225 ;MOA ADZY 290.325 ;MOA ADZY |
| PMSV METRO: | 259.0 |
| BASE OPS: | 299.3 |
| ASOS at HJO (16.0 E): | 134.75 559-585-8076 |
| AWOS-3 at C80 (19.4 SW): | 119.275 559-935-5960 |
| AWOS-3 at FCH (24.9 N): | 135.225 559-488-1040 |
Nearby Navigation Aids
|
| ||||||||||||||||||||||||||||||||||||||||||||||||
Runway 14L/32R
| Dimensions: | 13502 x 200 feet / 4115 x 61 meters | |
|---|---|---|
| Surface: | Concrete | |
| Weight Limits: | 51 /R/C/W/T | |
| Edge Lighting: | High Intensity | |
| Runway 14L | Runway 32R | |
| Coordinates: | N36°21.85' / W119°57.64' | N36°19.82' / W119°56.52' |
| Elevation: | 216.2 | 221.0 |
| Runway Heading: | 156° True | 336° True |
| REIL: | Yes | Yes |
Runway 14R/32L
| Dimensions: | 13501 x 200 feet / 4115 x 61 meters | |
|---|---|---|
| Surface: | Concrete | |
| Weight Limits: | 56 /R/C/W/T | |
| Edge Lighting: | High Intensity | |
| Runway 14R | Runway 32L | |
| Coordinates: | N36°20.16' / W119°57.74' | N36°18.13' / W119°56.62' |
| Elevation: | 227.0 | 225.7 |
| Runway Heading: | 156° True | 336° True |
| Approach Lights: | OLS | ALSF2 Standard 2,400 Foot High-intensity Approach Lighting System with sequenced flashers, CATEGORY II or III Configuration. SF, OLS, WAVE-OFF |
| REIL: | Yes | Yes |
| Centerline Lights: | Yes | Yes |
Services Available
| Fuel: | NONE |
|---|---|
| Transient Storage: | NONE |
| Airframe Repair: | NONE |
| Engine Repair: | NONE |
| Bottled Oxygen: | NONE |
| Bulk Oxygen: | NONE |
Ownership Information
| Ownership: | Owned by the Navy | |
|---|---|---|
| Owner: | US NAVY | |
| OCEANOGRAPHIC OFC - CODE 3142 | ||
| WASHINGTON, DC 20373 | ||
| Manager: | COMMANDING OFFICER | |
| NAVAL AIR STATION | ||
| LEMOORE, CA 93245 | ||
Other Remarks
- FLUID: SP PRESAIR OXRB (LOX AVBL 1600-2400Z++ MON-FRI ONLY.)
- TRAN ALERT: LTD TRAN SVC/MAINT AVBL DUR ARPT OPR HR. HI-SPEED FUEL LANES NOT AVBL TO TRAN ACFT.
- RSTD: PPR/AIREVAC C559-364-6620. CIV ACFT LDG PMT (CALP) RQRD DSN 949-1727, C559-998-1727. BASE ACES REQ RQRD FOR NON-MIL TSNT DSN 949-3386, C559-998-3386. PRIOR COORD OR FLT ADVSY RQRD FOR AMC AND SKED AIRLIFTS. 24 HR PN RQRD FOR ACFT WITH HAZ CARGO.
- CAUTION: BIRD HAZ. HI INTS JET OPR 25 NM RAD 0-15,000' MON-FRI. BLACK TOP AREAS ADJ TO TWY AND HGR FOR EROSION CTL ONLY, WILL NOT SUPPORT ACFT.
- TFC PAT: HVY ACFT EXECUTING PRACTICE INST APCH LTD TO LO APCH. REDUCED RWY SEPARATION STD IN EFF USN/USMC ACFT.
- OIL: O-128-133-156.
- SERVICE LGT - CARRIER DECK LGT RWY 14L AND RWY 32L
- MISC: PRIOR COORD REQ FOR PRACTICE INST APCH DSN 949-1099 C559-998-1099.
- JASU: 2(GTC-85) 2(NC-5) 2(NC-8) 1(NCPP-105).
- FUEL: J5.
- FIELD HOURS SUBJECT TO CHANGE VIA NOTAM. SEE FLIP AP/1 SUPPLEMENTARY ARPT RMK FOR HOL SKED.
- AVBL ONLY DURING HRS OF OPERATION.
- ROT BCN NOT OPR WHEN ARPT CLSD.
- HOOK E28(B) (1849')
- HOOK E28(B) (1600')
- HOOK E28(B) (3495')
- HOOK E28(B) (1756')
Weather Minimums
Instrument Approach Procedure (IAP) Charts
Departure Procedure (DP) Charts
Nearby Airports with Instrument Procedures
| ID | Name | Heading / Distance | ||
|---|---|---|---|---|
![]() |
KHJO | Hanford Municipal Airport | 093° | 15.8 |
![]() |
C80 | New Coalinga Municipal Airport | 238° | 19.5 |
![]() |
KFCH | Fresno Chandler Exec Airport | 014° | 24.7 |
![]() |
KVIS | Visalia Municipal Airport | 091° | 27.1 |
![]() |
KFAT | Fresno Yosemite International Airport | 022° | 28.9 |
![]() |
O32 | Reedley Municipal Airport | 049° | 31.6 |
![]() |
KTLR | Mefford Field Airport | 109° | 32.2 |
![]() |
KMAE | Madera Municipal Airport | 348° | 40.0 |
![]() |
F34 | Firebaugh Airport | 322° | 40.1 |
![]() |
KPTV | Porterville Municipal Airport | 112° | 46.9 |
![]() |
KDLO | Delano Municipal Airport | 135° | 49.5 |
![]() |
KPRB | Paso Robles Municipal Airport | 219° | 51.4 |







