Login
Register
NPA
Pensacola NAS (Forrest Sherman Field) Airport
Official FAA Data Effective 2026-01-22 0901Z
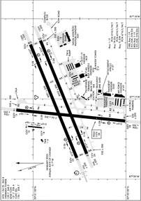
VFR Chart of KNPA
Sectional Charts at SkyVector.com
IFR Chart of KNPA
Enroute Charts at SkyVector.com
Location Information for KNPA
Coordinates: N30°21.20' / W87°19.08'Located 06 miles SW of Pensacola, Florida. View all Airports in Florida.
Surveyed Elevation is 28 feet MSL.
Operations Data
|
|
Airport Communications
| ATIS: | 124.35 266.8 |
|---|---|
| SHERMAN TOWER: | 120.7 340.2 |
| SHERMAN GROUND: | 121.7 336.4 |
| PENSACOLA APPROACH: | 120.65 120.65 270.8 |
| PENSACOLA DEPARTURE: | 120.65 120.65 270.8 |
| CLEARANCE DELIVERY: | 134.1 268.7 |
| BASE OPS: | 312.1 |
| CLASS C: | 120.65 270.8 |
| PMSV METRO: | 359.6 |
| ATIS at PNS (9.9 NE): | 121.25 |
| ASOS at PNS (9.9 NE): | 121.25 850-436-4799 |
| AWOS-3PT at JKA (18.7 W): | 251-923-5615 |
- SFA.
- DEP ACFT CTC CLNC DEL PRIOR TAXI.
- DEP ACFT CTC CLNC DEL PRIOR TAXI.
Nearby Navigation Aids
|
| ||||||||||||||||||||||||||||||||||||||||||||||||||||||||||||
Runway 07L/25R
| Dimensions: | 8001 x 200 feet / 2439 x 61 meters | |
|---|---|---|
| Surface: | Asphalt | |
| Weight Limits: | 47 /R/C/W/T | |
| Edge Lighting: | High Intensity | |
| Runway 07L | Runway 25R | |
| Coordinates: | N30°21.05' / W87°19.75' | N30°21.53' / W87°18.33' |
| Elevation: | 23.4 | 16.1 |
| Glide Slope Indicator | P4L (3.00° Glide Path Angle) | P4L (3.00° Glide Path Angle) |
| Approach Lights: | ALSF1 Standard 2,400 Foot High-intensity Approach Lighting System with sequenced flashers, CATEGORY I Configuration. | |
| REIL: | Yes | |
Runway 07R/25L
| Dimensions: | 8000 x 200 feet / 2438 x 61 meters | |
|---|---|---|
| Surface: | Asphalt | |
| Weight Limits: | 43 /R/C/W/T | |
| Edge Lighting: | High Intensity | |
| Runway 07R | Runway 25L | |
| Coordinates: | N30°20.94' / W87°19.70' | N30°21.43' / W87°18.28' |
| Elevation: | 24.1 | 15.2 |
| Glide Slope Indicator | P4L (3.00° Glide Path Angle) | P4L (3.00° Glide Path Angle) |
Runway 01/19
| Dimensions: | 7136 x 200 feet / 2175 x 61 meters | |
|---|---|---|
| Surface: | Asphalt | |
| Weight Limits: | 59 /R/C/W/T | |
| Edge Lighting: | High Intensity | |
| Runway 01 | Runway 19 | |
| Coordinates: | N30°20.52' / W87°19.29' | N30°21.69' / W87°19.15' |
| Elevation: | 27.8 | 16.1 |
| Glide Slope Indicator | P4L (3.00° Glide Path Angle) | P4L (3.00° Glide Path Angle) |
Services Available
| Fuel: | NONE |
|---|---|
| Transient Storage: | NONE |
| Airframe Repair: | NONE |
| Engine Repair: | NONE |
| Bottled Oxygen: | NONE |
| Bulk Oxygen: | NONE |
Ownership Information
| Ownership: | Owned by the Navy | |
|---|---|---|
| Owner: | US NAVY | |
| OCEANOGRAPHIC OFC-CODE 3142 | ||
| WASHINGTON, DC 20373 | ||
| Manager: | COMMANDING OFFICER | |
| NAVAL AIR STATION | ||
| PENSACOLA, FL 32508 | ||
| 850-452-2735 | ||
Other Remarks
- TFC PAT: LDG/TAXI LGT RQR ALL LDG WHEN WX COND PERMIT. WHEELS WATCH NOT ON STN. SEE MANDATORY IFR ARR PRO-FLIP AP/1 SUPPLEMENTARY ARPT RMK. REDUCED RWY SEPARATION STD IN EFF CNATRA ACFT ONLY. MULTIPLE APCH SEVERELY LTD DUR SINGLE RWY OPR.
- NS ABTMT: REQ ALL ACFT REMAIN AT OR ABV 500' AND 0.5 NM OFF-SHORE FR NAVARRE BEACH TO W OF JOHNSON BEACH DUE TO NESTING OF PROTECTED SPECIES APR-OCT.
- CSTMS/AG/IMG: CSTMS, AG AVBL IF PRIOR ARNG MADE WITH MIN 48 HR ADVANCE NTC.
- CAUTION: EXPECT SIMULTANEOUS OPR DUR DUAL RY OPERATIONS. PONDING OCCURS AFTER MODERATE TO HVY RAIN AT ALL RY INT AND HOLD SHORT AREAS. RY 7L-R/25L-R GROOVED. RY 1/19 NOT GROOVED.
- MISC- SECTOR CONTROL PENSACOLA, FL KNPA (CALL SIGN SEABREEZE) C850-452-2041, SKEDS HOURS 1200-2100Z++ MON-FRI, MAR-NOV; 1300-2200Z MON-FRI; NOV-MAR. (R) CTL SVC AND SKED PROVIDED IN W155 TO ALL MIL AND DESIGNATED CIV AIR OPR. ALL ACFT OPR IN W155 SHALL BE SKED, CHECK IN/OUT ON PRIM FREQ AND REMAIN IN CONTINUOUS RDO COM WITH SEABREEZE OR WITH THE MIL RADAR UNIT/FAC SPECIFICALLY AUTH BY SEABREEZE TO PROVIDE CTL/CONTAINMENT SVC. ACFT OPR BLW 3500- MAY NOT RECEIVE RADAR SVC DUE TO LIMITED RADAR/RADIO COVERAGE. FOR DETAILED WARNING OP AREA SKED/USE PRO, CTC SECTOR CONTROL PENSACOLA. SEABREEZE - (PRIM)-(E) (127.45 351.625) 348.0 3102.4 6835.4 H-5D, L18E, F. FLT PLANS FOR NAS PENSACOLA CAN BE SUBMITTED TO BASE OPS VIA FAX AT C850-452-8105 OR E-MAIL: CNIC_SE_PNSC_NPA_BASE_OPS@US.NAVY.MIL. TO CONFIRM RECEIPT OF FLT PLANS CTC FLT PLANNING DISPATCHER C850-452-2265/2041. KNPA ASOS DIAL-IN C850-452-3040.
- ACFT EXP TO CONDUCT OPR FR SHERMAN FLD CTC FLEET LIAISON OFFICE DSN 459-4333, C850-452-4333 FOR SKED.
- CIV ACFT LDG PMT CTC DEPUTY AIR OPS OFFICER DSN:459-2547 C:850-452-2547.
- RSTD - B-52 OPS PROH. PPR REQ FOR ALL TRANSIENT AIRCRAFT. PPR VALID PLUS OR MINUS 30 MIN. OF APPRVD TIME NOT TO EXCEED BEYOND NORMAL AIRFLD CLOSURE TIME. FAILURE TO ARRIVE WITHIN THE ASSIGNED WINDOW MAY RESULT IN DENIAL OF LANDING CLEARANCE., CTC TRAN LINE DSN 850-459-2672, C850-452-2672.
- A-GEAR: 15 MIN NTC FOR SHORT FIELD ARRESTMENT.
- JASU - 2(NC-10) 2(MSU-200)
- FUEL: JET A++
- FLUID - SP LHOX LOX OXRB ACFT NITROGEN AND OX SVCG AVBL MAR-NOV 1200-0300Z, MON-FRI, NOV-MAR 1300-0300Z, CLSD SAT-SUN, OPEN BY NOTAM, AND HOL BY NOTAM.
- OIL: O-128-148-156
- TRAN SVC AVBL, CTC FOR HOURS, CLSD SAT-SUN, HOL BY NOTAM ; OT NO TRAN ACFT AUTH.
- AVBL ONLY DURING HRS OF OPERATION.
- FSS-GAINESVILLE GNV- NOTAM PNS
- HOOK E28(B)(1554')
- HOOK E28(B) (1200')
- HOOK E28(B) (1300')
- HOOK E28(B) (1100')
- HOOK E28(B) (1450')
- HOOK E28(B) (1300')
Weather Minimums
Instrument Approach Procedure (IAP) Charts
- ILS Z OR LOC Z RWY 07L

- ILS OR RNAV (GPS) Y RWY 07L

- RNAV (GPS) RWY 01

- RNAV (GPS) RWY 07R

- RNAV (GPS) RWY 19

- RNAV (GPS) RWY 25L

- RNAV (GPS) RWY 25R

- HI-VOR Z RWY 19

- VOR Y RWY 19

- HI-TACAN Z RWY 01

- HI-TACAN Z RWY 07L

- HI-TACAN Z RWY 07R

- HI-TACAN Z RWY 25L

- HI-TACAN Z RWY 25R

- TACAN Y RWY 01

- TACAN Y RWY 07L

- TACAN Y RWY 07R

- TACAN Y RWY 19

- TACAN Y RWY 25L

- TACAN Y RWY 25R

Nearby Airports with Instrument Procedures
| ID | Name | Heading / Distance | ||
|---|---|---|---|---|
![]() |
KPNS | Pensacola International Airport | 043° | 9.9 |
![]() |
KJKA | Gulf Shores International/Jack Edwards Field Airport | 258° | 18.8 |
![]() |
5R4 | Holk Field At Foley Municipal Airport | 282° | 20.4 |
![]() |
2R4 | Peter Prince Field Airport | 044° | 23.9 |
![]() |
KNDZ | Whiting Field NAS South Airport | 037° | 26.0 |
![]() |
KNSE | Whiting Field NAS North Airport | 034° | 26.8 |
![]() |
KCQF | H L Sonny Callahan Airport | 282° | 29.7 |
![]() |
KHRT | Hurlburt Field Airport | 081° | 33.0 |
![]() |
0R1 | Atmore Municipal Airport | 350° | 40.2 |
![]() |
1R8 | Bay Minette Municipal Airport | 320° | 40.4 |
![]() |
KVPS | Eglin AFB/Destin-Ft Walton Beach Airport | 079° | 41.8 |
![]() |
KBFM | Mobile International Airport | 293° | 42.2 |







