Login
Register
SBD
San Bernardino International Airport
Official FAA Data Effective 2026-01-22 0901Z
From the Flight Deck
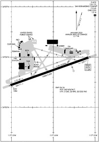
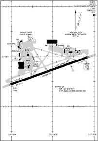
VFR Chart of KSBD
Sectional Charts at SkyVector.com
IFR Chart of KSBD
Enroute Charts at SkyVector.com
Location Information for KSBD
Coordinates: N34°5.72' / W117°14.09'Located 02 miles SE of San Bernardino, California on 1329 acres of land. View all Airports in California.
Surveyed Elevation is 1159 feet MSL.
Operations Data
|
|
Airport Communications
| D-ATIS: | 124.175 |
|---|---|
| AWOS-3: | Tel. 909-382-0067 |
| SAN BERNARDINO TOWER: | 119.45 |
| SAN BERNARDINO GROUND: | 121.8 |
| SOCAL APPROACH: | 127.0 ;NORTH-NE 134.0 ;NORTHEAST-SOUTH 135.4 ;SOUTH-SW 278.3 ;EAST-SOUTH 278.3 ;NE-SOUTH 318.2 ;NORTH-NE 377.125 ;SOUTH-SW |
| SOCAL DEPARTURE: | 127.0 ;NORTH-NE 134.0 ;NORTHEAST-SOUTH 135.4 ;SOUTH-SW 278.3 ;EAST-SOUTH 278.3 ;NE-SOUTH 318.2 ;NORTH-NE 377.125 ;SOUTH-SW |
| UNICOM: | 122.975 |
| OPS: | 279.65 |
| CTAF: | 119.450 |
| ZIGGY STAR: | 127.0 318.2 |
| SETER STAR: | 127.0 318.2 |
| CLASS C: | 125.5 ;SW-NORTH 127.0 ;NORTH-NE 134.0 ;NORTHEAST-SOUTH 278.3 ;EAST-SOUTH 278.3 ;NE-SOUTH 318.2 ;NORTH-NE 349.0 ;SW-NORTH |
| ATIS at RIV (12.9 S): | 134.75 |
| ATIS at RAL (13.6 SW): | 128.8 |
| ASOS at RAL (13.6 SW): | 128.8 951-352-4392 |
- ATCT OPER BY SERCO, INC.
Nearby Navigation Aids
|
| ||||||||||||||||||||||||||||||||||||||||||
Runway 06/24
| Dimensions: | 10000 x 200 feet / 3048 x 61 meters | |
|---|---|---|
| Surface: | Concrete / Grooved in Excellent Condition | |
| Weight Limits: | S-97, D-265, ST-890, DT-960
PCR VALUE: 1260/R/B/W/T
| |
| Edge Lighting: | High Intensity | |
| Runway 06 | Runway 24 | |
| Coordinates: | N34°5.45' / W117°15.03' | N34°6.00' / W117°13.16' |
| Elevation: | 1084.4 | 1159.3 |
| Traffic Pattern: | Right | Left |
| Runway Heading: | 70° True | 250° True |
| Declared Distances: | TORA:10000 TODA:10000 ASDA:10000 LDA:10000 | TORA:10000 TODA:10000 ASDA:10000 LDA:10000 |
| Markings: | Precision Instrument in good condition. | Precision Instrument in good condition. |
| Glide Slope Indicator | P4L (3.00° Glide Path Angle) | P4L (3.00° Glide Path Angle) |
| RVR Equipment | Touchdown Midfield Rollout | Touchdown Midfield Rollout |
| REIL: | Yes | Yes |
Services Available
| Fuel: | 100LL (blue), Jet-A |
|---|---|
| Transient Storage: | Tiedowns |
| Airframe Repair: | MAJOR |
| Engine Repair: | MAJOR |
| Bottled Oxygen: | NOT AVAILABLE |
| Bulk Oxygen: | HIGH |
| Other Services: | AIR FREIGHT SERVICES,AVIONICS,CARGO HANDLING SERVICES |
Ownership Information
| Ownership: | Publicly owned | |
|---|---|---|
| Owner: | SAN BERNARDINO INTL AIRPORT AUTH | |
| 1601 E 3RD STREET | ||
| SAN BERNARDINO, CA 92408 | ||
| 909-382-4100 | ||
| Manager: | JONATHAN GALVAN | |
| 1601 EAST 3RD STREET | ||
| SAN BERNARDINO, CA 92408 | ||
| 909-382-4100 | ||
Other Remarks
- RY 06/24 STRENGTH RATED FOR THE A380 AT 1,300,000 LBS.
- PERIODIC LIVE FIREFIGHTING TRAINING PRODUCING SMOKE AND LIGHT EMMISIONS APPROX 6,000 FT NE OF RY 6 THLD.
- ATCT NON VISIBLE AREA ON TWY ALPHA 425 FT WEST OF TWY ALPHA 1.
- AFTER HOURS GENERAL AVIATION ACCESS AND FUEL AVBL WITH PPR CALL FIXED BASE OPERATORS AT 909-382-6068.
- AIRFIELD SFC COND NOT MNT BTN THE HRS 2000-0500.
- TWY A, A1, E, ACFT WINGSPAN MORE THAN 171 FT USE INBOARD ENGS DRG TAX.
- FOR CD WHEN ATCT CLSD CTC SOCAL APCH AT 800-448-3724.
- REDLANDS ARPT (REI) 4.5 NM EAST TPA 2500 MSL CTAF/AUNICOM 123.05. AEROBATIC AREA 6.2 NM EAST 3500-7000 MSL. RMN VIGILANT TO SEE AND AVOID.
- HIGH TERRAIN N AND E OF APT.
- RY 06 DESIGNATED CALM WIND RY.
- FIRE FIGHTING ACFT CTC US FOREST SVC TANKER BASE ON GND FREQ 123.975.
- WHEN ATCT CLSD HIRL PRESET LOW INTST, TO INCREASE INTST AND ACTVT REILS RYS 06 & 24 ACTVT - CTAF. PAPI RYS 06 AND RY 24 OPER CONTINUOUSLY.
Weather Minimums
Standard Terminal Arrival (STAR) Charts
Instrument Approach Procedure (IAP) Charts
Departure Procedure (DP) Charts
Nearby Airports with Instrument Procedures
| ID | Name | Heading / Distance | ||
|---|---|---|---|---|
![]() |
KREI | Redlands Municipal Airport | 097° | 4.5 |
![]() |
KRIR | Flabob Airport | 233° | 10.8 |
![]() |
KRIV | March Arb Airport | 185° | 12.8 |
![]() |
KRAL | Riverside Airport | 230° | 13.6 |
![]() |
KONT | Ontario International Airport | 262° | 18.4 |
![]() |
KCNO | Chino Airport | 250° | 21.3 |
![]() |
L35 | Big Bear City Airport | 061° | 21.4 |
![]() |
KAJO | Corona Municipal Airport | 237° | 21.8 |
![]() |
KCCB | Cable Airport | 272° | 22.6 |
![]() |
KHMT | Hemet-Ryan Airport | 153° | 24.1 |
![]() |
KPOC | Brackett Field Airport | 269° | 27.3 |
![]() |
KAPV | Apple Valley Airport | 004° | 28.9 |





















