Login
Register
EWR
Newark Liberty International Airport
Official FAA Data Effective 2025-11-27 0901Z
VFR Chart of KEWR
Sectional Charts at SkyVector.com
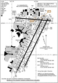
IFR Chart of KEWR
Enroute Charts at SkyVector.com
Location Information for KEWR
Coordinates: N40°41.55' / W74°10.12'Located 03 miles S of Newark, New Jersey on 2027 acres of land. View all Airports in New Jersey.
Surveyed Elevation is 17 feet MSL.
Operations Data
|
|
Airport Communications
| D-ATIS: | 115.7 ;ARR (973-824-4417) 134.825 ;ARR/DEP (973-824-4417) |
|---|---|
| ASOS: | Tel. 862-381-4743 |
| NEWARK TOWER: | 118.3 134.05 257.6 ;WITHIN 6.5 NM ARE TWR CONTROLLED FREQS |
| NEWARK GROUND: | 121.8 126.15 |
| NEWARK APPROACH: | 127.6 ;270-330 128.55 ;090-240 132.7 ;331-089 132.8 ;241-269 379.9 |
| NEWARK DEPARTURE: | 119.2 379.9 |
| IC: | 128.55 ;090-240 |
| CLEARANCE DELIVERY: | 118.85 |
| PHLBO STAR: | 128.55 379.9 |
| UNICOM: | 122.950 |
| RAMP CTL: | 132.45 |
| BRAND STAR: | 124.55 317.425 119.75 128.55 269.25 379.9 |
| CLASS B: | 127.85 ;WITHIN 6.5 NM ARE TWR CONTROLLED FREQS 257.6 ;WITHIN 6.5 NM ARE TWR CONTROLLED FREQS 125.7 ;071-142 126.4 ;329-071 127.6 ;270-328 128.125 ;142-231 128.55 ;231-270 |
| SHAFF STAR: | 121.15 379.9 |
| PRE TAXI CLNC: | 118.85 |
| EMERG: | 121.5 243.0 |
| AWOS-3 at LDJ (5.8 SW): | 124.025 908-862-7383 |
| AWOS-3PT at JRB (7.3 E): | 128.175 212-425-1534 |
| D-ATIS at TEB (10.7 NE): | 114.2 |
- ASDE-X IN USE. OPERATE TRANSPONDERS WITH ALTITUDE REPORTING MODE AND ADS-B (IF EQUIPPED) ENABLED ON ALL AIRPORT SURFACES.
- (CLASS_B_AIRSPACE) EXPECT TO LEAVE AND RE-ENTER CLASS B ASP DURG MOD TO HVY ARR PDS.
Nearby Navigation Aids
|
| ||||||||||||||||||||||||||||||||||||||||||||||||||||||||||||
Runway 04L/22R
| Dimensions: | 11000 x 150 feet / 3353 x 46 meters | |
|---|---|---|
| Surface: | Asphalt-Concrete / Grooved in Excellent Condition S 1779 FT CONC, N 1228 FT CONC, CENTER 7993 FT ASPH. | |
| Weight Limits: | D-210, ST-520, DT-1000
PCR VALUE: 960/F/C/X/T
| |
| Edge Lighting: | High Intensity | |
| Runway 04L | Runway 22R | |
| Coordinates: | N40°40.52' / W74°10.77' | N40°42.15' / W74°9.73' |
| Elevation: | 9.8 | 8.5 |
| Traffic Pattern: | Left | Left |
| Runway Heading: | 26° True | 206° True |
| Displaced Threshold: | 2541 Feet | 1441 Feet |
| Declared Distances: | TORA:11000 TODA:11000 ASDA:11000 LDA:8459 | TORA:11000 TODA:11000 ASDA:11000 LDA:9559 |
| Markings: | Precision Instrument in good condition. | Precision Instrument in good condition. |
| Glide Slope Indicator | P4L (3.10° Glide Path Angle) | P4L (3.10° Glide Path Angle) |
| RVR Equipment | Touchdown Midfield Rollout | Touchdown Midfield Rollout |
| Approach Lights: | MALSR 1,400 Foot Medium-intensity Approach Lighting System with runway alignment indicator lights. | MALSR 1,400 Foot Medium-intensity Approach Lighting System with runway alignment indicator lights. |
| REIL: | Yes | |
| Centerline Lights: | Yes | Yes |
| Obstacles: | 65 ft Tree 1926 ft from runway, 572 ft left of center APCH RATIO 50:1 TO DTHR. |
28 ft Pole 295 ft from runway, 477 ft right of center APCH RATIO 50:1 TO DTHR. |
Runway 04R/22L
| Dimensions: | 9999 x 150 feet / 3048 x 46 meters | |
|---|---|---|
| Surface: | Asphalt / Grooved in Excellent Condition | |
| Weight Limits: | D-210, ST-520, DT-1000
PCR VALUE: 1020/F/C/X/T
| |
| Edge Lighting: | High Intensity | |
| Runway 04R | Runway 22L | |
| Coordinates: | N40°40.66' / W74°10.45' | N40°42.14' / W74°9.51' |
| Elevation: | 11.0 | 9.0 |
| Traffic Pattern: | Left | |
| Runway Heading: | 26° True | 206° True |
| Displaced Threshold: | 1190 Feet | 1794 Feet |
| Declared Distances: | TORA:9999 TODA:9999 ASDA:9999 LDA:8809 | TORA:9999 TODA:9999 ASDA:9999 LDA:8205 |
| Markings: | Precision Instrument in good condition. | Precision Instrument in good condition. |
| Glide Slope Indicator | P4L (2.95° Glide Path Angle) | P4L (3.00° Glide Path Angle) |
| RVR Equipment | Touchdown Midfield Rollout | Touchdown Midfield Rollout |
| Approach Lights: | ALSF2 Standard 2,400 Foot High-intensity Approach Lighting System with sequenced flashers, CATEGORY II or III Configuration. | ALSF2 Standard 2,400 Foot High-intensity Approach Lighting System with sequenced flashers, CATEGORY II or III Configuration. |
| Centerline Lights: | Yes | Yes |
| Obstacles: | 28 ft Pole 953 ft from runway, 600 ft right of center APCH RATIO 50:1 TO DTHR. +5 FT POLE 25 FT FROM RWY END 175 FT RIGHT. |
30 ft Antenna 540 ft from runway, 534 ft right of center APCH RATIO 50:1 TO DTHR. |
Runway 11/29
| Dimensions: | 6725 x 150 feet / 2050 x 46 meters | |
|---|---|---|
| Surface: | Asphalt / Grooved in Excellent Condition | |
| Weight Limits: | D-210, ST-520, DT-1000
PCR VALUE: 950/F/C/X/T
| |
| Edge Lighting: | High Intensity | |
| Runway 11 | Runway 29 | |
| Coordinates: | N40°42.17' / W74°10.84' | N40°42.07' / W74°9.39' |
| Elevation: | 17.5 | 9.9 |
| Traffic Pattern: | Left | Left |
| Runway Heading: | 95° True | 275° True |
| Displaced Threshold: | 224 Feet | |
| Declared Distances: | TORA:6725 TODA:6725 ASDA:6725 LDA:6725 | TORA:6725 TODA:6725 ASDA:6725 LDA:6501 |
| Markings: | Precision Instrument in good condition. | Non-Precision Instrument in good condition. |
| Glide Slope Indicator | P4R (3.00° Glide Path Angle) | P4R (3.00° Glide Path Angle) PAPI UNUSBL 4 DEGS LEFT OF CNTRLN. |
| RVR Equipment | Touchdown Midfield Rollout | |
| REIL: | Yes | Yes |
| Centerline Lights: | Yes | Yes |
| Obstacles: | 158 ft Building 6197 ft from runway, 1437 ft left of center | 54 ft Sign 818 ft from runway, 514 ft right of center APCH RATIO 13:1 TO DTHR. |
Helipad H1
BREWSTER PAD; H1 LCTD ON TWY Z5. OPS LIMITS ARE D65. | ||
| Dimensions: | 54 x 54 feet / 16 x 16 meters | |
|---|---|---|
| Surface: | Asphalt in Excellent Condition | |
| Edge Lighting: | Perimeter | |
| Coordinates: | N40°42.26' / W74°10.08' | N0°0.00' / E0°0.00' |
| Elevation: | 8.0 | |
| Markings: | Non-Precision Instrument in good condition. | |
Services Available
| Fuel: | 100LL (blue), Jet-A |
|---|---|
| Transient Storage: | Hangars |
| Airframe Repair: | MAJOR |
| Engine Repair: | MAJOR |
| Bottled Oxygen: | HIGH |
| Bulk Oxygen: | NOT AVAILABLE |
| Other Services: | AIR FREIGHT SERVICES,CARGO HANDLING SERVICES |
Ownership Information
| Ownership: | Publicly owned | |
|---|---|---|
| Owner: | PORT AUTHORITY OF NY & NJ | PROPERTY OWNED BY CITY OF NEWARK. |
| 4 WTC 150 GREENWICH ST, 18TH FLOOR | ||
| NEW YORK, NY 10006 | ||
| 212-435-3720 | ||
| Manager: | AIDAN O'DONNELL | |
| BUILDING #1- CONRAD ROAD | ||
| NEWARK, NJ 07114 | ||
| 973-961-6161 | ||
Other Remarks
- RWY 4R & 4L DEP USE UPPER ANT FOR ATC COM.
- HIGH VOLUME OF LOW LEVEL HEL TFC ARR AND DEP HELO KEARNY HELI (65NJ) LCTD 3.5 MILES NE OF ARPT.
- RWY STATUS LIGHTS IN OPR.
- CPDLC DEPARTURE CLEARANCE SERVICE AVAILABLE.
- ADG IV ACFT RSTR FM PSG TWY Z3 ON Z.
- TWY Z EAST OF TWY U ACFT SPEED RSTR OF 17 KTS/20 MPH MAX FOR ALL ACFT WITH WINGSPANS IN EXCESS OF 171 FT.
- FLOCKS OF BIRDS ON & INVOF ARPT.
- ALL TWYS SURROUNDING "BALLPARK" PRKG AREA (TWY Y BTN TWY S AND TWY U, TWY S BTN TWY Y AND TWY K, TWAY K BTN TWY S AND TWY B, TWY B BTN TWY K AND TWY U, AND TWY U BTN TWY B AND TWY Y) ACFT SPEED RSTR OF 17KTS/20MPH FOR ALL AFCT WITH WINGSPANS IN EXCESS OF 171 FT.
- TWY EE BTN RWY 4R-22L AND RWY 11-29 CLSD TO AFCT WITH WINGSPANS IN EXCESS OF 171 FT.
- TWY Y BTN RM AND TWY U, SPEED RESTRICTION OF 17KT (20MPH).
- TWY Z5 CLSD TO ACFT WITH WINGSPANS IN EXCESS OF 118 FT.
- TWY A BTN TWY AA AND RAMP CLSD TO ACFT WITH WINGSPANS IN EXCESS OF 171 FT.
- TWY A11 W OF TWY A ACFT SPD RSTR OF 17 KTS/20 MPH MAX FOR ALL ACFT WITH WINGSPANS IN EXCESS OF 171 FT.
- ACFT WITH WINGSPANS IN EXCESS OF 118 FEET PROHIBITED FROM TURNING S ON TWY R FROM TWY B1.
- DURNG ATC ZERO EVENTS; ARPT OPS WILL MNT 118.3 AND PROVIDE EMERG NOTIFICATIONS TO ARFF.
- NOISE RSTR CALL 212-435-3784 DRG NML BUS HRS.
- WHEN RWY 04R/L IN USE, ACFT PRKG AT TRML A CAN EXP TO ENTER RAMP VIA TWY A8, UNLESS ADZD BY ATC.
- WHEN RWY 22L/R IN USE, ACFT PRKG AT TRML A CAN EXP TO ENTER RAMP VIA TWY A10 OR A12, UNLESS ADZD BY ATC.
- PARA-SAIL & BANNER TOWING OPS 1000 FT & BLO IN UPPER & LOWER NY BAYS INCLUDING ROCKAWAY INLET INDEF.
- TWY Z BTN TWY Z2 & Z4 CLSD TO ACFT WITH WINGSPANS IN EXCESS OF 171 FT.
- ENGINEERED MATERIALS ARRESTING SYSTEM (EMAS) 182 FT IN LENGTH BY 170 FT IN WIDTH LCTD AT THE DER.
- ENGINEERED MATERIALS ARRESTING SYSTEM (EMAS) 437 FT IN LENGTH BY 178 FT IN WIDTH LCTD AT THE DER.
Weather Minimums
Standard Terminal Arrival (STAR) Charts
Instrument Approach Procedure (IAP) Charts
- ILS OR LOC RWY 04R

- ILS OR LOC RWY 11

- ILS OR LOC RWY 22L

- ILS OR LOC RWY 22R

- ILS Z OR LOC Z RWY 04L

- ILS RWY 22L (SA CAT I)

- ILS Z RWY 04L (SA CAT I - II)

- ILS RWY 04R (CAT II - III)

- ILS RWY 22L (CAT II - III)

- GLS RWY 04L

- GLS RWY 04R

- GLS RWY 11

- GLS RWY 22L

- GLS RWY 22R

- RNAV (RNP) Y RWY 22L

- RNAV (RNP) Y RWY 29

- RNAV (RNP) Z RWY 04R

- RNAV (RNP) Z RWY 29

- RNAV (GPS) RWY 04L

- RNAV (GPS) RWY 11

- RNAV (GPS) RWY 22R

- RNAV (GPS) T RWY 29

- RNAV (GPS) W RWY 29

- RNAV (GPS) X RWY 29

- RNAV (GPS) Y RWY 04R

- RNAV (GPS) Z RWY 22L

- COPTER ILS Y OR LOC Y RWY 04L

- COPTER ILS/DME RWY 22L

- BRIDGE VISUAL RWY 29

- STADIUM VISUAL RWY 29

Departure Procedure (DP) Charts
Nearby Airports with Instrument Procedures
| ID | Name | Heading / Distance | ||
|---|---|---|---|---|
![]() |
KLDJ | Linden Airport | 217° | 5.7 |
![]() |
KJRB | Downtown Manhattan/Wall St Heliport | 085° | 7.3 |
![]() |
KJRA | West 30th St Heliport | 063° | 8.2 |
![]() |
6N5 | East 34th Street Heliport | 071° | 9.5 |
![]() |
KTEB | Teterboro Airport | 027° | 10.7 |
![]() |
KCDW | Essex County Airport | 334° | 12.1 |
![]() |
KMMU | Morristown Municipal Airport | 299° | 12.9 |
![]() |
KLGA | Laguardia Airport | 069° | 14.4 |
![]() |
N07 | Lincoln Park Airport | 336° | 16.7 |
![]() |
KJFK | John F Kennedy International Airport | 099° | 18.1 |
![]() |
47N | Central Jersey Regional Airport | 242° | 22.1 |
![]() |
KSMQ | Somerset Airport | 260° | 23.2 |









