Login
Register
ABQ
Albuquerque International Sunport Airport
Official FAA Data Effective 2026-02-19 0901Z
From the Flight Deck
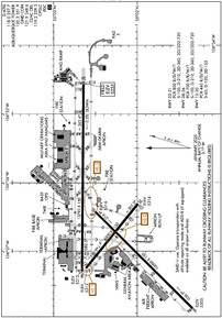
VFR Chart of KABQ
Sectional Charts at SkyVector.com
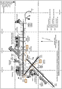
IFR Chart of KABQ
Enroute Charts at SkyVector.com
Location Information for KABQ
Coordinates: N35°2.34' / W106°36.50'Located 03 miles SE of Albuquerque, New Mexico on 2039 acres of land. View all Airports in New Mexico.
Surveyed Elevation is 5354 feet MSL.
Operations Data
|
|
Airport Communications
| D-ATIS: | 118.0 (505-856-4928) 257.7 (505-856-4928) |
|---|---|
| ASOS: | Tel. 505-373-2492 |
| ALBUQUERQUE TOWER: | 120.3 123.775 351.9 |
| ALBUQUERQUE GROUND: | 121.9 348.6 |
| ALBUQUERQUE APPROACH: | 123.9 ;SOUTH OF V12 126.3 127.4 ;ON OR NORTH OF V12 253.5 ;ON OR NORTH OF V12 354.1 ;SOUTH OF V12 |
| ALBUQUERQUE DEPARTURE: | 123.9 ;SOUTH OF V12 127.4 ;ON OR NORTH OF V12 253.5 ;ON OR NORTH OF V12 354.1 ;SOUTH OF V12 |
| IC: | 123.9 ;SOUTH OF V12 354.1 ;SOUTH OF V12 |
| CLEARANCE DELIVERY: | 119.2 259.3 |
| UNICOM: | 122.950 |
| MIERA STAR: | 123.9 354.1 |
| CURLY STAR: | 127.4 253.5 |
| CLASS C: | 123.9 ;SOUTH OF V12 127.4 ;ON OR NORTH OF V12 253.5 ;ON OR NORTH OF V12 354.1 ;SOUTH OF V12 |
| PMSV METRO: | 342.3 |
| PTD: | 372.2 |
| LAVAN STAR: | 123.9 354.1 |
| EMERG: | 121.5 243.0 |
| AWOS-3PT at AEG (11.2 NW): | 505-842-2009 |
| ATIS at AEG (11.2 NW): | 119.025 |
| AWOS-3PT at BRG (26.1 SW): | 118.55 505-864-4375 |
- OTHER OPNS CALLS ARE KING/JOLLY/SAVE AND TAM OPERATED BY ANG AND NAVY.
- SAID IN USE. OPERATE TRANSPONDERS WITH ALTITUDE REPORTING MODE AND ADS-B (IF EQUIPPED) ENABLED ON ALL AIRPORT SURFACES.
- PMSV OTS; LTD BLW 10000 FT 010-070.
- PTD OTS.
Nearby Navigation Aids
|
| ||||||||||||||||||||||||||||||||||||||||||
Runway 08/26
| Dimensions: | 13793 x 150 feet / 4204 x 46 meters | |
|---|---|---|
| Surface: | Concrete / Grooved in Good Condition | |
| Weight Limits: | S-100, D-210, ST-360, DT-720
PCR VALUE: 700/R/B/W/T
| |
| Edge Lighting: | High Intensity | |
| Runway 08 | Runway 26 | |
| Coordinates: | N35°2.66' / W106°37.30' | N35°2.64' / W106°34.53' |
| Elevation: | 5311.9 | 5354.9 |
| Traffic Pattern: | Right | Left |
| Runway Heading: | 90° True | 270° True |
| Displaced Threshold: | 1000 Feet | |
| Declared Distances: | TORA:13793 TODA:13793 ASDA:13793 LDA:12793 | TORA:13793 TODA:13793 ASDA:13793 LDA:13793 |
| Markings: | Precision Instrument in good condition. | Precision Instrument in good condition. |
| Glide Slope Indicator | V6L (2.95° Glide Path Angle) | P4L (3.00° Glide Path Angle) PAPI DOES NOT PRVD OBST CLNC BYD 3.5 NM FM THR; UNUSBL BYD 3.5 NM. |
| RVR Equipment | Touchdown | Rollout |
| Approach Lights: | MALSR 1,400 Foot Medium-intensity Approach Lighting System with runway alignment indicator lights. | |
| REIL: | Yes | |
| Centerline Lights: | Yes | Yes |
Runway 03/21
| Dimensions: | 10000 x 150 feet / 3048 x 46 meters | |
|---|---|---|
| Surface: | Concrete / Grooved in Good Condition | |
| Weight Limits: | S-100, D-210, ST-360, DT-720
PCR VALUE: 800/R/D/W/T
| |
| Edge Lighting: | High Intensity | |
| Runway 03 | Runway 21 | |
| Coordinates: | N35°1.33' / W106°37.84' | N35°2.50' / W106°36.42' |
| Elevation: | 5305.1 | 5316.1 |
| Traffic Pattern: | Right | Left |
| Runway Heading: | 45° True | 225° True |
| Declared Distances: | TORA:10000 TODA:10000 ASDA:10000 LDA:10000 | TORA:10000 TODA:10000 ASDA:10000 LDA:10000 |
| Markings: | Precision Instrument in good condition. | Precision Instrument in good condition. |
| Glide Slope Indicator | P4L (3.00° Glide Path Angle) | P4L (3.00° Glide Path Angle) |
| RVR Equipment | Touchdown Rollout | Touchdown Rollout |
| Approach Lights: | MALSR 1,400 Foot Medium-intensity Approach Lighting System with runway alignment indicator lights. | |
| REIL: | Yes | |
| Centerline Lights: | Yes | Yes |
Runway 12/30
| Dimensions: | 6000 x 150 feet / 1829 x 46 meters | |
|---|---|---|
| Surface: | Concrete / Grooved in Good Condition | |
| Weight Limits: | S-65, D-120, ST-155
PCR VALUE: 460/R/D/W/T
| |
| Edge Lighting: | Medium Intensity | |
| Runway 12 | Runway 30 | |
| Coordinates: | N35°2.61' / W106°37.25' | N35°1.99' / W106°36.31' |
| Elevation: | 5312.4 | 5313.6 |
| Traffic Pattern: | Right | Left |
| Runway Heading: | 129° True | 309° True |
| Declared Distances: | TORA:6000 TODA:6000 ASDA:6000 LDA:6000 | TORA:6000 TODA:6000 ASDA:6000 LDA:6000 |
| Markings: | Basic in good condition. | Basic in good condition. |
| Glide Slope Indicator | P4L (3.00° Glide Path Angle) | |
| RVR Equipment | Rollout | Touchdown |
| REIL: | Yes | |
Services Available
| Fuel: | 100LL (blue), Jet-A, Jet A-1, Jet A-1+ |
|---|---|
| Transient Storage: | Hangars,Tiedowns |
| Airframe Repair: | MAJOR |
| Engine Repair: | MAJOR |
| Bottled Oxygen: | HIGH/LOW |
| Bulk Oxygen: | HIGH/LOW |
| Other Services: | AIR AMBULANCE SERVICES,AVIONICS,CARGO HANDLING SERVICES,CHARTER SERVICE,PILOT INSTRUCTION,AIRCRAFT RENTAL,AIRCRAFT SALES,ANNUAL SURVEYING |
Ownership Information
| Ownership: | Publicly owned | |
|---|---|---|
| Owner: | CITY OF ALBUQUERQUE | |
| PO BOX 1293 | ||
| ALBUQUERQUE, NM 87103 | ||
| 505-768-3000 | ||
| Manager: | RICHARD MCCURLEY | RICHARD MCCURLEY |
| PO BOX 9948 | ||
| ALBUQUERQUE, NM 87119 | ||
| 505-244-7700 | ||
Other Remarks
- ACR GND HANDLING NA 0100-0430.
- BIRD HAZ OCT-DEC & MAR-MAY; STUDENT HEL TFC.
- TWY H MIL USE ONLY.
- FIGHTER ACFT DEP S ONLY.
- TWY E5 CLSD.
- SVC: MIL FUEL A++; A++ 100.
- MIL WX SVC AVBL 1300-0600Z++ MON-FRI; CLSD WKEND, HOL & DOWN DAYS. AFT HR MSN WX SUPPORT BRIEFINGS - 25 OWS/DAVIS-MONTHAN AFB D228-6604/C520-228-6604. NWS KABQ FCST - D246-9707/C505-846-9707. FAA OBS H24 - C505-246-4200.
- MISC: FOR TMPRY DUTY OF 2 OR MORE DAYS, OR MSN REQ SPECIAL HANDLING, CTC 377ABW/IG AT DSN 253-4376/1304 OR C505-853-4376/1304 NLT 14 DAYS PRIOR TO ANTICIPATED ARR DATE.
- AF - MIL WX SVC AVBL 1300-0600Z++ MON-FRI.
- AF - KIRTLAND AFB AFLD MGMNT OPR 1400-0300Z++ MON-FRI.
- CTL FIRING AREA S.
- ARFF PRVDD BY USAF.
- DEP RSTRD; PPR - ATCT.
- RWY 08 & 12 APCH END DECOUPLED; COMMON HOLD SHORT LINE SHARED.
- TKOF VIA TXY E; FULL LEN AVBL VIA BACK TAX. RWY 08 & 12 APCH ENDS DECOUPLED; COMMON HOLD SHORT LINE SHARED.
- LNDG: LAST AVBL EXIT TXY E; EXIT E1 NOT PSBL.
Weather Minimums
Standard Terminal Arrival (STAR) Charts
Instrument Approach Procedure (IAP) Charts
Departure Procedure (DP) Charts
Nearby Airports with Instrument Procedures
| ID | Name | Heading / Distance | ||
|---|---|---|---|---|
![]() |
KAEG | Double Eagle II Airport | 304° | 11.2 |
![]() |
KBRG | Belen Regional Airport | 205° | 26.1 |
![]() |
0E0 | Moriarty Municipal Airport | 096° | 30.2 |
![]() |
KSAF | Santa Fe Regional Airport | 036° | 43.0 |
![]() |
KLAM | Los Alamos Airport | 018° | 53.0 |
![]() |
KONM | Socorro Municipal Airport | 193° | 62.6 |
![]() |
KGNT | Grants-Milan Municipal Airport | 277° | 64.2 |
![]() |
KLVS | Las Vegas Municipal Airport | 062° | 80.8 |
![]() |
KSKX | Taos Regional Airport | 028° | 96.2 |
![]() |
KAXX | Angel Fire Airport | 037° | 104.9 |
![]() |
KSRR | Sierra Blanca Regional Airport | 150° | 108.7 |
![]() |
KGUP | Gallup Municipal Airport | 285° | 110.8 |












Comments
Charts Not Appearing for KABQ
As of 26 AUG 2016, KABQ only displays 4 non-RNAV STARs while using the primary graphic interface. This has been the case for some time.
All charts are available on the airport data page though.