Login
Register
DHN
Dothan Regional Airport
Official FAA Data Effective 2026-02-19 0901Z
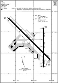
VFR Chart of KDHN
Sectional Charts at SkyVector.com
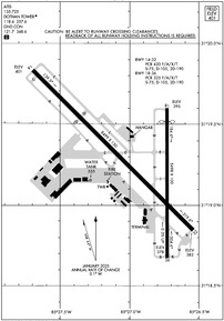
IFR Chart of KDHN
Enroute Charts at SkyVector.com
Location Information for KDHN
Coordinates: N31°19.26' / W85°26.97'Located 05 miles NW of Dothan, Alabama on 1150 acres of land. View all Airports in Alabama.
Surveyed Elevation is 400 feet MSL.
Operations Data
|
|
Airport Communications
| ATIS: | 135.725 |
|---|---|
| ASOS: | Tel. 334-983-5999 |
| DOTHAN TOWER: | 118.4 257.6 |
| DOTHAN GROUND: | 121.7 348.6 |
| CAIRNS APPROACH: | 125.4 327.125 |
| CAIRNS DEPARTURE: | 125.4 327.125 |
| CTAF: | 118.400 |
| VFR ADZY: | 118.4 |
| UNICOM: | 122.950 |
| AWOS-3PT at HDL (7.6 E): | 119.575 334-693-0508 |
| ATIS at HEY (10.6 W): | 141.375 |
| ATIS at OZR (13.8 W): | 111.2 |
- APCH/DEP SVC PRVDD BY JACKSONVILLE ARTCC ON FREQS 134.3/322.55 (DOTHAN RCAG) WHEN CAIRNS APCH/DEP CLSD.
Nearby Navigation Aids
|
| ||||||||||||||||||||||||||||||||||||||||||||||||||||||||||||
Runway 14/32
| Dimensions: | 8500 x 150 feet / 2591 x 46 meters | |
|---|---|---|
| Surface: | Asphalt / Grooved in Good Condition | |
| Weight Limits: | S-75, D-105, ST-190
PCR VALUE: 420/F/A/X/T
| |
| Edge Lighting: | High Intensity | |
| Runway 14 | Runway 32 | |
| Coordinates: | N31°19.84' / W85°27.70' | N31°18.84' / W85°26.54' |
| Elevation: | 400.5 | 381.6 |
| Traffic Pattern: | Left | Left |
| Runway Heading: | 135° True | 315° True |
| Declared Distances: | TORA:8500 TODA:8500 ASDA:8500 LDA:8500 | TORA:8500 TODA:8500 ASDA:8500 LDA:8500 |
| Markings: | Precision Instrument in good condition. | Precision Instrument in good condition. |
| Glide Slope Indicator | P2L (3.00° Glide Path Angle) | |
| RVR Equipment | Rollout | Touchdown |
| Approach Lights: | MALSR 1,400 Foot Medium-intensity Approach Lighting System with runway alignment indicator lights. | |
| REIL: | Yes | |
Runway 18/36
| Dimensions: | 5501 x 102 feet / 1677 x 31 meters | |
|---|---|---|
| Surface: | Asphalt / Grooved in Excellent Condition | |
| Weight Limits: | S-75, D-105, ST-190
PCR VALUE: 325/F/A/X/T
| |
| Edge Lighting: | Medium Intensity | |
| Runway 18 | Runway 36 | |
| Coordinates: | N31°19.59' / W85°26.73' | N31°18.69' / W85°26.73' |
| Elevation: | 394.7 | 378.3 |
| Traffic Pattern: | Left | Left |
| Runway Heading: | 180° True | 360° True |
| Displaced Threshold: | 100 Feet | |
| Declared Distances: | TORA:5501 TODA:5501 ASDA:5501 LDA:5401 | TORA:5401 TODA:5401 ASDA:5501 LDA:5501 |
| Markings: | Non-Precision Instrument in good condition. | Non-Precision Instrument in good condition. |
| Glide Slope Indicator | P4L (3.00° Glide Path Angle) | |
| REIL: | Yes | |
| Obstacles: | 48 ft Trees 1400 ft from runway, 100 ft left of center | 80 ft Trees 2050 ft from runway, 450 ft left of center |
Services Available
| Fuel: | 100LL (blue), Jet-A |
|---|---|
| Transient Storage: | Hangars,Tiedowns |
| Airframe Repair: | MAJOR |
| Engine Repair: | MAJOR |
| Bottled Oxygen: | NONE |
| Bulk Oxygen: | NONE |
| Other Services: | AIR FREIGHT SERVICES,AVIONICS,CARGO HANDLING SERVICES,CHARTER SERVICE,PILOT INSTRUCTION,AIRCRAFT RENTAL,AIRCRAFT SALES,GLIDER TOWING SERVICES |
Ownership Information
| Ownership: | Publicly owned | |
|---|---|---|
| Owner: | DOTHAN-HOUSTON CO ARPT AUTH | |
| 800 ARPT DR SUITE 15 | ||
| DOTHAN, AL 36303 | ||
| 334-983-8100 | ||
| Manager: | ADAM HARTZOG | |
| 800 ARPT DR SUITE 15 | ||
| DOTHAN, AL 36303 | ||
| 334-983-8108 | ||
Other Remarks
- MAXI WID TWY A IS 75 FT FOR RWY 14/32.
- RSTD: USAF NA TO OPER C130 ACFT ON RWY 18/36.
- ARFF PSNL ON DUTY AT ARPT 24 HRS.
- FUEL A, A+ (C334 983 4541) (NC 100LL).
- LN OF SIGHT FROM DOTHAN ATC TO A PTN OF TXY BRAVO BTN TXY ALPHA AND THE APCH END OF RWY 36 OBSTD BY THE AP BLDG.
- FOR CD WHEN TWR CLSD IF UNA RDO, CTC CAIRNS APCH C334-255-8402. WHEN APCH CLSD CTC JACKSONVILLE ARTCC C904-845-1592.
- APRON NORTH CLSD EXC MIL. 24 HR PPR OTRW 334-873-2408.
- MISC: LDG FEE FOR PART 135 OPS.
- WHEN ATCT CLSD, ACTVT MALSR RWY 32; REIL RWY 14 & 18; PAPI RWY 14; HIRL RWY 14/32 - CTAF. PAPI RWY 18; MIRL RWY 18/36 AVBL BY PRIOR REQ DURG ATNDD HRS, CALL 334-983-8100/8103.
Weather Minimums
Instrument Approach Procedure (IAP) Charts
Nearby Airports with Instrument Procedures
| ID | Name | Heading / Distance | ||
|---|---|---|---|---|
![]() |
KHDL | Headland Municipal Airport | 069° | 7.5 |
![]() |
71J | Ozark/Blackwell Field Airport | 307° | 11.0 |
![]() |
KOZR | Cairns AAF (Fort Rucker) Airport | 258° | 13.8 |
![]() |
KEDN | Enterprise Municipal Airport | 266° | 23.2 |
![]() |
33J | Geneva Municipal Airport | 233° | 26.9 |
![]() |
KBIJ | Early County Airport | 080° | 28.9 |
![]() |
KBCR | Tri-County Airport | 195° | 29.6 |
![]() |
KMAI | Marianna Municipal Airport | 154° | 32.0 |
![]() |
11A | Clayton Municipal Airport | 356° | 33.7 |
![]() |
17J | Donalsonville Municipal Airport | 122° | 34.9 |
![]() |
KEUF | Weedon Field Airport | 023° | 41.2 |
![]() |
KTOI | Troy Municipal At N Kenneth Campbell Field Airport | 318° | 43.3 |








