Login
Register
ECG
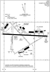
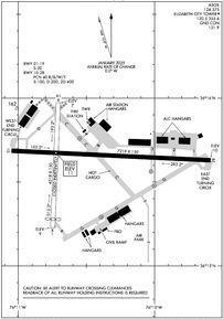
Elizabeth City Cg Air Station/Regional Airport
Official FAA Data Effective 2025-11-27 0901Z
VFR Chart of KECG
Sectional Charts at SkyVector.com
IFR Chart of KECG
Enroute Charts at SkyVector.com
Location Information for KECG
Coordinates: N36°15.63' / W76°10.47'Located 03 miles SE of Elizabeth City, North Carolina on 850 acres of land. View all Airports in North Carolina.
Surveyed Elevation is 10 feet MSL.
TPA: ROTARY WING 1000 FT AGL/1011 FT MSL, FIXED WING 1500 FT AGL/1511 FT MSL.
Operations Data
|
|
Airport Communications
| ASOS: | 124.375 Tel. 252-338-4750 |
|---|---|
| ELIZABETH CITY TOWER: | 120.5 355.6 |
| ELIZABETH CITY GROUND: | 121.9 |
| NORFOLK APPROACH: | 119.55 269.425 |
| NORFOLK DEPARTURE: | 119.55 269.425 |
| UNICOM: | 122.950 |
| CG OPS: | 345.0 ;E CITY AIR 381.8 ;ELIZABETH CITY AIR |
| CTAF: | 120.500 |
| EMERG: | 121.5 243.0 |
| AWOS-3 at ONX (11.3 NE): | 119.775 252-453-8939 |
| AWOS-3 at EDE (23.6 SW): | 118.275 252-482-0757 |
| AWOS-3 at CPK (25.3 N): | 123.675 757-204-4290 |
- 24 HOUR SEARCH AND RESCUE ACFT OPERATIONS MAY REQUIRE ATCT TO BE STAFFED 2200-0700; TRANSMIT INTENTIONS IN THE BLIND ON 120.5.
Nearby Navigation Aids
|
| ||||||||||||||||||||||||||||||||||||||||||||||||||||||||||||
Runway 10/28
| Dimensions: | 7219 x 150 feet / 2200 x 46 meters | |
|---|---|---|
| Surface: | Concrete in Good Condition | |
| Weight Limits: | 40 /R/B/W/T, S-100, D-200, ST-400
TWIN-TANDEM WEIGHT BEARING CAPACITY 400000 LBS.
| |
| Edge Lighting: | High Intensity | |
| Runway 10 | Runway 28 | |
| Coordinates: | N36°15.68' / W76°11.05' | N36°15.63' / W76°9.58' |
| Elevation: | 10.5 | 10.0 |
| Traffic Pattern: | Right | Left |
| Runway Heading: | 92° True | 272° True |
| Markings: | Precision Instrument in good condition. | Precision Instrument in good condition. |
| Glide Slope Indicator | P2L (3.00° Glide Path Angle) | P2L (3.00° Glide Path Angle) |
| Approach Lights: | SALS SALS | |
| REIL: | Yes | Yes |
| Obstacles: | 15 ft Road 800 ft from runway | 22 ft Trees 428 ft from runway, 260 ft left of center HAS +11 FT ROAD 156 FT FM THR OFFSET 337 L OF CNTRLN. |
Runway 01/19
RWY 01/19 CLSD INDEFLY. | ||
| Dimensions: | 4518 x 150 feet / 1377 x 46 meters | |
|---|---|---|
| Surface: | Asphalt-Concrete in Poor Condition PAVEMENT IS FAILED, NMRS RUTS, HEAVES, STRUCTURAL INTEGRITY UNKN. FOD POTENTIAL. SFC MRKS OBSC. NOT AUZD FOR USE. | |
| Weight Limits: | S-20 | |
| Edge Lighting: | Medium Intensity | |
| Runway 01 | Runway 19 | |
| Coordinates: | N36°15.23' / W76°10.74' | N36°15.97' / W76°10.70' |
| Elevation: | 9.3 | 7.3 |
| Traffic Pattern: | Right | Right |
| Runway Heading: | 2° True | 182° True |
| Displaced Threshold: | 299 Feet | |
| Markings: | Non-Precision Instrument in poor condition. | Non-Precision Instrument in poor condition. |
| Glide Slope Indicator | V4L (2.75° Glide Path Angle) | V4L (2.75° Glide Path Angle) |
| Obstacles: | 15 ft Road 200 ft from runway, 230 ft left of center CLSD INDEFLY APCH RATIO 20:1 FROM DSPLCD THR. CLSD INDEFLY HAS +6 FT FENCE 0-200 FT FM THR 200-250 FT L. |
|
Helipad H4
| Dimensions: | 100 x 100 feet / 30 x 30 meters | |
|---|---|---|
| Surface: | Concrete in Good Condition | |
| Edge Lighting: | Perimeter | |
| Coordinates: | N36°15.56' / W76°10.02' | N0°0.00' / E0°0.00' |
| Elevation: | 11.0 | |
| Markings: | Basic in good condition. | |
Helipad H1
| Dimensions: | 60 x 55 feet / 18 x 17 meters | |
|---|---|---|
| Surface: | Asphalt in Good Condition | |
| Coordinates: | N36°15.29' / W76°10.39' | N0°0.00' / E0°0.00' |
| Elevation: | 8.0 | |
| Markings: | Basic in good condition. | |
| Obstacles: | 24 ft Acft 1071 ft from runway, 41 ft right of center | |
Helipad H2
| Dimensions: | 50 x 50 feet / 15 x 15 meters | |
|---|---|---|
| Surface: | Asphalt in Good Condition | |
| Coordinates: | N36°15.48' / W76°10.00' | N0°0.00' / E0°0.00' |
| Elevation: | 7.0 | |
| Markings: | Numbers Only in good condition. | |
| Obstacles: | 23 ft Acft 1168 ft from runway, 22 ft left of center | |
Helipad H3
| Dimensions: | 50 x 50 feet / 15 x 15 meters | |
|---|---|---|
| Surface: | Asphalt in Good Condition | |
| Coordinates: | N36°15.76' / W76°10.55' | N0°0.00' / E0°0.00' |
| Elevation: | 7.0 | |
| Markings: | Numbers Only in good condition. | |
Services Available
| Fuel: | 100LL (blue), Jet A-1+ |
|---|---|
| Transient Storage: | Tiedowns |
| Airframe Repair: | MAJOR |
| Engine Repair: | MAJOR |
| Bottled Oxygen: | NONE |
| Bulk Oxygen: | NONE |
| Other Services: | CHARTER SERVICE,PILOT INSTRUCTION,AIRCRAFT RENTAL |
Ownership Information
| Ownership: | Publicly owned THIS IS A SHARED-USE ARPT. THE USCG OWNS AND OPERATES ALL RWYS AND THE MAJORITY OF THE TWYS. THE PASQUOTANK COUNTY AIRPORT AUTHORITY OPERATES THE FBO, CIVILIAN TERMINAL AND ASSOCIATED TAXIWAYS. | |
|---|---|---|
| Owner: | USCG BASE ELIZABETH CITY | USCG BASE - ELIZABETH CITY, AIRFIELD MANAGER: ROBERT POPP, PHONE: 252-334-5388; EMAIL: ROBERT.A.POPP@USCG.MIL |
| USCG BASE-ELIZABETH CITY OPS MNGR, 1664 WEEKSVILLE RD | ||
| ELIZABETH CITY, NC 27909 | ||
| 252-334-5388 | ||
| Manager: | ROBERT POPP, CIV USCG | MR. SCOTT HINTON IS THE ELIZABETH CITY RGNL ARPT DIR FOR THE ELIZABETH CITY-PASQUOTANK COUNTY ARPT AUTH. EMAIL: MANAGER@ECGAIRPORT.COM; PHONE: 252-335-5634. |
| 1664 WEEKSVILLE RD | ||
| ELIZABETH CITY, NC 27909 | ||
| (252) 334-5388 | ||
Other Remarks
- NO LINE-OF-SIGHT BETWEEN RWY ENDS.
- COAST GUARD COMPLEX HAS NUMEROUS BLDGS WI THE BLDG RSTRN LINES.
- RWY 01/19 & TWY K WEST OF THE CIVIL RAMP CLSD TO ALL OPNS.
- ALL DOD TBJT ACFT FULL STOP ONLY, PRACTICE APCHS AND VFR TOUCH-N-GOS PROHIBITED.
- FLUID: SP LHOX OIL: O-133-156 TRAN ALERT- NO TRANS MAINT, LTD SVC, TRAN A/C MUST REMAIN WITH ACFT TO PROVIDE TECH DRCT/ASSIST IN SVCG.
- ACFT WITH TAIL HEIGHTS TO 50 FT PARKED ON APRON FIRST 2000 FT FM RWY 28 R SIDE 250 FT FM RWY CNTRLN.
- CG ALC RAMP ATTENDED 1200-2000Z++.
- CIV RAMP ATNDD M-F 0800-2100, SAT-SUN 0800-1700 FOR CIV ATTENDANT AFTER HRS & HOL C252-562-2472 DUR HR ATNDD.
- SAR MAY RQR H24 ATCT STAFF 0200-1300Z++; TRANS INTENTIONS IN THE BLIND ON 120.5.
- SEE FLIP AP/1 SUPP ARPT INFO.
- NOISE ABATEMENT PROCEDURES IN EFFECT, CALL AMGR 252-334-5388.
- ALL ACFT DESTINED FOR CG AIR STATION CTC ELIZABETH CITY AIR ON 345.0, 10 MIN PRIOR TO LDG. ALL ACFT DESTINED FOR CG ALC CTC ALC DUTY OFFICER (C252-333-5389) NLT 24HRS FOR PPR AND CTC ALC FLT OPS 123.1 PRIOR TO LANDING.
- RWY AND TWY SFC COND NOT MNT WKENDS OR MON-FRI BTN 2000Z-1200Z.
- MISC: NON-FRANGIBLE HIGH VOLTAGE BOXES LOCATED ON S EDGE OF ALC RAMP.
- FACILITIES AND RAMPS NORTH OF RWY 10/28 RSTRD TO OFFL CG BUS ONLY.
- MISC: PORTIONS OF ALC PRK RAMP NOT VIS FROM TWR.
- MISC: RWY 01/19 RWY HOLD SIGNS AT TWY K AND D NOT COINCIDENTAL WITH COR PAINTED RWY HOLD MARKINGS.
- MISC: AFLD MOWING SEASON APR-OCT. EXPCT INCREASED BIRD ACT IN VCNTY OF MOWERS OPR ON AFLD.
- PPR IF ACN EXCEEDS PUBL PCN. CTC CG AFLD MGR C252-334-5388 TO OBTAIN APVL.
- FOR CD WHEN ATCT CLSD, CTC NORFOLK APCH AT 757-464-0757.
- RWY 10/28 INCRD POTENTIAL FOR HYDROPLANING DUE TO RUBBER DEPOSITS, CNTRLN OBSC.
- INTERMITTENT TETHERED BLN OPNS 3 NM SE; DALGT HRS AT 3000 FT.
- SEASONAL LOW-FLYING AGRI ACFT BASED IN THE LOCAL AREA.
- MKD WITH X CLOSED.
- 0LL 100LL FUEL 24 HR CREDIT CARD SVC AVBL.
- + DLA MILITARY FUELING CONTRACT SVC AVBL ON GA RAMP, US GOVT AIRCARD ACCEPTED, NO DELAY FOR FUEL.
- ACTVT SALS RWY 10; HIRL RWY 10/28 - CTAF. WHEN ATCT CLSD, REILS RWY 10 & 28; PAPI RWY 10 & 28 OPR CONSLY. VASI RWY 01 & 19; MIRL RWY 01/19; TWY RWY 19 - OTS INDEFLY.
- TPA: ROTARY WING 1000 FT AGL/1011 FT MSL, FIXED WING 1500 FT AGL/1511 FT MSL.
Weather Minimums
Instrument Approach Procedure (IAP) Charts
Nearby Airports with Instrument Procedures
| ID | Name | Heading / Distance | ||
|---|---|---|---|---|
![]() |
KONX | Currituck County Regional Airport | 042° | 11.4 |
![]() |
KEDE | Northeastern Regional Airport | 234° | 23.7 |
![]() |
KCPK | Chesapeake Regional Airport | 343° | 25.3 |
![]() |
KFFA | First Flight Airport | 120° | 28.5 |
![]() |
KMQI | Dare County Regional Airport | 131° | 31.0 |
![]() |
KSFQ | Suffolk Exec Airport | 321° | 32.6 |
![]() |
KPVG | Hampton Roads Exec Airport | 336° | 33.9 |
![]() |
KNTU | Oceana NAS (Apollo Soucek Field) Airport | 011° | 34.4 |
![]() |
KORF | Norfolk International Airport | 358° | 38.0 |
![]() |
KPMZ | Plymouth Municipal Airport | 226° | 39.2 |
![]() |
KNGU | Norfolk Ns (Chambers Field) Airport | 352° | 40.9 |
![]() |
7W6 | Hyde County Airport | 165° | 43.2 |








