Login
Register
NGU
Norfolk Ns (Chambers Field) Airport
Official FAA Data Effective 2026-01-22 0901Z
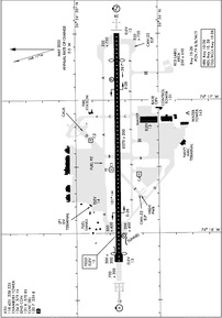
VFR Chart of KNGU
Sectional Charts at SkyVector.com
IFR Chart of KNGU
Enroute Charts at SkyVector.com
Location Information for KNGU
Coordinates: N36°56.25' / W76°17.36'Located 00 miles NW of Norfolk, Virginia. View all Airports in Virginia.
Surveyed Elevation is 14 feet MSL.
Operations Data
|
|
Airport Communications
| ATIS: | 118.425 338.225 |
|---|---|
| CHAMBERS TOWER: | 124.3 126.375 ;NAVY NORFOLK HELIN 290.5 ;NAVY NORFOLK HELIN 379.15 |
| CHAMBERS GROUND: | 121.8 298.95 ;NAVY NORFOLK HELIN 370.85 |
| NORFOLK APPROACH: | 118.9 ;010-310 125.7 ;311-009 273.475 ;010-310 335.625 335.625 ;311-009 353.7 ;010-310 |
| NORFOLK DEPARTURE: | 125.7 ;311-009 335.625 363.125 |
| CLEARANCE DELIVERY: | 120.7 339.8 |
| DRONE STAR: | 118.9 353.7 |
| TERKS STAR: | 118.9 353.7 |
| AMC/ATOC: | 130.65 349.5 |
| BASE OPS: | 126.2 268.8 |
| EMERG: | 121.5 243.0 |
| PMSV METRO: | 271.6 |
| ATIS at ORF (4.9 SE): | 127.15 |
| ASOS at ORF (5.5 SE): | 276-200-0952 |
| ATIS at LFI (9.4 N): | 270.1 |
- NOTIFY CHAMBERS OPNS ON FREQ 268.8 ON ALL VIP FLIGHTS 15 MIN PRIOR TO ARRIVAL.
- ALL RADAR FREQUENCIES ARE ON REQUEST.
Nearby Navigation Aids
|
| ||||||||||||||||||||||||||||||||||||||||||||||||||||||
Runway 10/28
| Dimensions: | 8370 x 200 feet / 2551 x 61 meters | |
|---|---|---|
| Surface: | Asphalt / Grooved | |
| Weight Limits: | 56 /R/B/W/T | |
| Edge Lighting: | High Intensity | |
| Runway 10 | Runway 28 | |
| Coordinates: | N36°56.25' / W76°18.22' | N36°56.25' / W76°16.50' |
| Elevation: | 13.2 | 12.5 |
| Traffic Pattern: | Left | Right |
| Runway Heading: | 90° True | 270° True |
| Displaced Threshold: | 299 Feet | 995 Feet |
| Declared Distances: | TORA:8370 LDA:8071 | TORA:8370 LDA:7375 |
| Markings: | Precision Instrument in good condition. | Precision Instrument in good condition. |
| Glide Slope Indicator | P4R (3.00° Glide Path Angle) | P4R (3.00° Glide Path Angle) |
| Approach Lights: | ALSF2 Standard 2,400 Foot High-intensity Approach Lighting System with sequenced flashers, CATEGORY II or III Configuration. OLS RWY 10. | SSALF Simplified Short Approach Lighting System with sequenced flashers. OLS RWY 28. |
| REIL: | Yes | Yes |
| Centerline Lights: | Yes | Yes |
Services Available
| Fuel: | NONE |
|---|---|
| Transient Storage: | NONE |
| Airframe Repair: | NOT AVAILABLE |
| Engine Repair: | NOT AVAILABLE |
| Bottled Oxygen: | NONE |
| Bulk Oxygen: | HIGH/LOW |
Ownership Information
| Ownership: | Owned by the Navy | |
|---|---|---|
| Owner: | U.S. NAVY | |
| OCEANOGRAPHIC OFC-CODE 3142 | ||
| WASHINGTON, DC 20373 | ||
| Manager: | COMMANDING OFFICER | |
| NAVAL AIR STATION | ||
| NORFOLK, VA 23511 | ||
Other Remarks
- AOE.
- CAUTION: EXTV FISH SPOTTER ACFT ACT (SENG GENERAL AVIATION ACFT) UPWARDS FR 1500 FT OVER CHESAPEAKE BAY AND ADJ COASTAL WATERS. EXTV VFR TFC OPR W OF CHAMBERS CLASS D AND NORFOLK CLASS C AIRSPACE. BIRD HAZ.
- TFC PAT: R TFC RWY 28. BASIC F/W/VFR MIN 1000 FT AND 3 NM.
- NS ABTMT: NO PRACTICE APCH 0400-1200Z++ MON-SAT; 0400-1800Z++ SUN. OT BY NOTAM. NO COPTER OVFT WILLOUGHBY SPIT EXC VIA PT XRAY (CHAMBERS TACAN R-042/1.5 DME) OR PT YANKEE (CHAMBERS TACAN R-009/1.8 DME) AT 500 FT.
- CSTMS/AG/IMG: CSTMS AVBL WITH 2 HR PN. AG AVBL 1300-2400Z++ MON-FRI. IMG AVBL 1300-2100Z++ MON-FRI. AG/IMG AVBL OT ON OVERTIME BASIS ONLY, PRIOR ARNG RQR.
- MISC: RWY 10/28 GROOVED.
- CAUTION: ARR/DEP TCAS EQUIPPED ACFT SHOULD EXPECT NUMEROUS TCAS ALERTS FROM SHIP TRANSPONDER HARBORED OR TRANSITING INTO/OUT OF THE CHESAPEAKE AND COASTAL WATERS.
- ARR/DEP TCAS EQUIPED ACFT SHOULD EXPECT NUMEROUS TCAS ALERTS FROM SHIP TRANSPONDER OR TRANSMITTING INTO/OUT OF THE CHESAPEAKE AND COASTAL WATERS.
- CAUTION - DO NOT MISTAKE NORFOLK INTL 5 NM SE FOR CHAMBERS FIELD, WHILE INBD ON TACAN/RNAV RWY 28 APCHS. CHAMBERS FIELD HAS A SINGLE RWY; NORFOLK INTL HAS INTERSECTING RWYS.
- RSTD - PPR FOR NON CHAMBERS FIELD BASED ACFT. DSN 262-3419/3429 C757-322-3419/3429.
- AMC/ATOC DSN 341-9926/7/8, C757-341-9926/7/8. ACFT UTILIZING AMC TRML CTC ATOC/AMC TRML 15 MIN PRIOR ARR WITH LOAD RPT. ACFT OVERSEAS CTC AMC/ATOC VIA FONE PATCH 2 HR PRIOR ARR FOR CSTM. ALL OTHER ACFT, CTC BASE OPS 15 MIN PRIR ARR.
- MISC- FLT PLANS FOR NS NORFOLK, CHAMBERS FLD, AND NAS OCEANA SHOULD BE FAXED TO DSN 565-9680, C757-445-9680, OR EMAILED TO W_CNI_NRFK_NSNORFOLK_N32_ATC_USERS@NAVY.MIL. TO CFM RECEIPT OF FLT PLANS CALL NS NORFOLK, CHAMBERS FLD FLT PLANNING SUPERVISOR AT DSN 262-3419/3429, C757-322-3419/3429.
- CAUTION - RWY 28 MULTIPLE CRANES 1.2 NM TO 1.3 NM FM DER 1600 FT L TO 4000 FT R OF CNTRLN, 260 FT MSL.
- FOR CIVIL ACFT LNDG PERMIT (CALP) INFO CTC AFLD MGR C757-322-3419/3429.
- ILS/TACAN/RADAR - ILS OR LOC/DME RWY 10 - BC UNUSED. ILS AND TACAN NO NOTAM MP WED 1230-1630Z++. RADAR - SEE TERMINAL FLIP FOR RADAR MINIMA.
- A-GEAR: AVOID CNTRLN LGT RWY 10/28 DUR CABLE ENGAGEMENT TO PREVENT TAILHOOK SKIP. DIST RWY 28 MEASURED FR DISPL THR. E-28(B) IN RAISED POSN AT DEP END OF RWY NMLLY. SHORTFLD GEAR AVBL WITH 20 MIN PN.
- JASU:(NC-10C) (NC-8A/A1) (NCPP-105 CTC AIR OPS DUTY OFFICER TO ENSURE AVBL).
- FUEL: NO TRAN COPTER HOT PIT WO PRIOR COORD WITH HOST SQUADRON. J5.
- FLUID: ADI SP PRESAIR LHOX LOX.
- OIL: UNAVBL.
- TRAN ALERT: LTD TRAN MAINT AVBL WKEND ONLY 1200-2000Z++. TRAN MAINT UNAVBL OT. 2 HR PN RQR FOR LOX. LAVATORY SVC UNAVBL FOR C-130 ACFT. POTABLE WATER UNAVBL. NO TRAN WORK/MSN PLANNING/BRIEFING SPACES OR COMSEC STOR FOR DETS.
- RSTD: TWY B CLSD S OF TWY F AND TWY D CLSD E OF TWY S UFN.
- AVBL ONLY DURING HRS OF OPERATION.
- HOOK E28(B) (1799 FT).
- HOOK E28 (B) (2056 FT).
Weather Minimums
Standard Terminal Arrival (STAR) Charts
Instrument Approach Procedure (IAP) Charts
Departure Procedure Obstacles (DPO) Charts
Nearby Airports with Instrument Procedures
| ID | Name | Heading / Distance | ||
|---|---|---|---|---|
![]() |
KORF | Norfolk International Airport | 121° | 5.0 |
![]() |
KLFI | Langley AFB Airport | 338° | 9.4 |
![]() |
KPVG | Hampton Roads Exec Airport | 219° | 12.2 |
![]() |
KNTU | Oceana NAS (Apollo Soucek Field) Airport | 118° | 14.2 |
![]() |
KPHF | Newport News/Williamsburg International Airport | 320° | 15.2 |
![]() |
KCPK | Chesapeake Regional Airport | 185° | 16.4 |
![]() |
KFAF | Felker AAF Airport | 307° | 19.3 |
![]() |
KSFQ | Suffolk Exec Airport | 224° | 21.4 |
![]() |
KJGG | Waltrip Williamsburg Exec Airport Airport | 311° | 27.3 |
![]() |
KFKN | Franklin Regional Airport | 244° | 32.8 |
![]() |
KAKQ | Wakefield Municipal Airport | 275° | 34.4 |
![]() |
KONX | Currituck County Regional Airport | 157° | 34.8 |






