Login
Register
HSV
Huntsville International-Carl T Jones Field Airport
Official FAA Data Effective 2024-04-18 0901Z
From the Flight Deck
VFR Chart of KHSV
Sectional Charts at SkyVector.com
IFR Chart of KHSV
Enroute Charts at SkyVector.com
Location Information for KHSV
Coordinates: N34°38.23' / W86°46.50'Located 09 miles SW of Huntsville, Alabama on 6000 acres of land. View all Airports in Alabama.
Surveyed Elevation is 628 feet MSL.
Operations Data
|
|
Airport Communications
| ATIS: | 121.25 |
|---|---|
| ASOS: | 121.25 Tel. 256-772-8074 |
| HUNTSVILLE TOWER: | 127.6 350.35 |
| HUNTSVILLE GROUND: | 121.9 269.525 |
| HUNTSVILLE APPROACH: | 118.05 ;185-004 118.75 125.6 ;005-184 239.0 ;185-004 354.1 ;005-184 |
| HUNTSVILLE DEPARTURE: | 118.05 ;185-004 125.6 ;005-184 239.0 ;185-004 354.1 ;005-184 |
| IC: | 125.6 ;005-184 354.1 ;005-184 |
| CLEARANCE DELIVERY: | 120.35 |
| UNICOM: | 122.950 |
| CTAF: | 127.600 |
| EMERG: | 121.5 243.0 |
| CLASS C: | 118.05 ;185-004 125.6 ;005-184 239.0 ;185-004 354.1 ;005-184 |
| ATIS at HUA (5.1 NE): | 120.65 |
| ASOS at DCU (8.5 W): | 118.375 256-350-4270 |
| AWOS-3PT at MDQ (17.1 NE): | 120.000 256-829-1242 |
- APCH/DEP SVC PRVDD BY MEMPHIS ARTCC ON FREQS 120.8/307.0 (HUNTSVILLE RCAG) WHEN HUNTSVILLE APCH CTL CLSD.
Nearby Navigation Aids
|
| ||||||||||||||||||||||||||||||||||||||||||||||||||||||
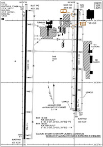
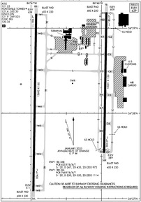
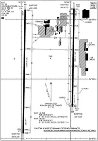
Runway 18R/36L
| Dimensions: | 12600 x 150 feet / 3840 x 46 meters | |
|---|---|---|
| Surface: | Asphalt-Concrete / Grooved in Excellent Condition | |
| Weight Limits: | 120/F/A/X/T, S-120, D-250, ST-550 | |
| Edge Lighting: | High Intensity | |
| Runway 18R | Runway 36L | |
| Coordinates: | N34°39.17' / W86°46.93' | N34°37.09' / W86°46.97' |
| Elevation: | 628.4 | 611.2 |
| Traffic Pattern: | Right | Left |
| Runway Heading: | 181° True | 1° True |
| Declared Distances: | TORA:12600 TODA:12600 ASDA:12600 LDA:12600 | TORA:12600 TODA:12600 ASDA:12600 LDA:12600 |
| Markings: | Precision Instrument in good condition. | Precision Instrument in good condition. |
| RVR Equipment | Touchdown Midfield Rollout | Touchdown Midfield Rollout |
| Approach Lights: | ALSF2 Standard 2,400 Foot High-intensity Approach Lighting System with sequenced flashers, CATEGORY II or III Configuration. | MALSR 1,400 Foot Medium-intensity Approach Lighting System with runway alignment indicator lights. |
| Centerline Lights: | Yes | Yes |
Runway 18L/36R
| Dimensions: | 10001 x 150 feet / 3048 x 46 meters | |
|---|---|---|
| Surface: | Asphalt / Grooved in Fair Condition | |
| Weight Limits: | 105/F/B/W/T, S-120, D-250, ST-550 | |
| Edge Lighting: | High Intensity | |
| Runway 18L | Runway 36R | |
| Coordinates: | N34°39.19' / W86°45.93' | N34°37.54' / W86°45.96' |
| Elevation: | 609.3 | 588.6 |
| Traffic Pattern: | Left | Right |
| Runway Heading: | 181° True | 1° True |
| Displaced Threshold: | 200 Feet | |
| Declared Distances: | TORA:10001 TODA:10001 ASDA:9801 LDA:9801 | TORA:10001 TODA:10001 ASDA:10001 LDA:9801 |
| Markings: | Precision Instrument in good condition. | Precision Instrument in good condition. |
| Glide Slope Indicator | P4R (3.00° Glide Path Angle) | P4R (3.00° Glide Path Angle) |
| RVR Equipment | Touchdown Rollout | Touchdown Rollout |
| Approach Lights: | MALSR 1,400 Foot Medium-intensity Approach Lighting System with runway alignment indicator lights. | MALSR 1,400 Foot Medium-intensity Approach Lighting System with runway alignment indicator lights. |
Services Available
| Fuel: | 100LL (blue), Jet-A |
|---|---|
| Transient Storage: | Hangars,Tiedowns |
| Airframe Repair: | MAJOR |
| Engine Repair: | MAJOR |
| Bottled Oxygen: | HIGH/LOW |
| Bulk Oxygen: | HIGH/LOW |
| Other Services: | AIR FREIGHT SERVICES,AVIONICS,CARGO HANDLING SERVICES,CHARTER SERVICE,PILOT INSTRUCTION,AIRCRAFT RENTAL,ANNUAL SURVEYING |
Ownership Information
| Ownership: | Publicly owned | |
|---|---|---|
| Owner: | HUNTSVILLE MADISON COUNTY | AIRPORT AUTHORITY |
| 1000 GLENN HEARN BLVD, | ||
| HUNTSVILLE, AL 35824 | ||
| 256-772-9395 | ||
| Manager: | BUTCH ROBERTS | |
| 1000 GLENN HEARN BLVD,, BOX 20008 | ||
| HUNTSVILLE, AL 35824 | ||
| 256-258-1958 | ||
Operational Statistics
| Single Engine Aircraft Based on Field: | 63 | Statistics collected for 12 month period ending 2023-06-30 | |
|---|---|---|---|
| Multi-Engine Aircraft Based on Field: | 15 | Annual Commercial Operations: | 14050 |
| Jet Aircraft Based on Field: | 6 | Annual Commuter Operations: | none |
| Helicopters Based on Field: | none | Annual Air Taxi Operations: | 9674 |
| Military Aircraft Based on Field: | none | Annual Military Operations: | 19918 |
| Gliders Based on Field: | none | Annual GA Local Operations: | 3880 |
| Ultralights Based on Field: | 1 | Annual GA Itinerant Operations: | 16081 |
Other Remarks
- LINE UP AND WAIT NA.
- FOR CD WHEN TWR CLSD, IF UNA TO CTC ON FSS FREQ, CTC MEMPHIS ARTCC AT 901-368-8453/8449.
- FLT NOTIFICATION SVC (ADCUS) AVBL.
- INTXN OF TWY J AND SERVICE RD IS UNCONTROLLED.
- ACTVT MALSR RWY 18L, 36L & 36R; HIRL RWY 18L/36R & 18R/36L - CTAF. RWY 18R ALSF ON STEP 2 WHEN ATCT CLSD.
Weather Minimums
Instrument Approach Procedure (IAP) Charts
Departure Procedure (DP) Charts
Nearby Airports with Instrument Procedures
| ID | Name | Heading / Distance | ||
|---|---|---|---|---|
![]() |
KDCU | Pryor Field Regional Airport | 276° | 8.5 |
![]() |
5M0 | Hartselle/Morgan County Regional Airport | 209° | 15.8 |
![]() |
KMDQ | Huntsville Exec Tom Sharp Jr Field Airport | 038° | 17.1 |
![]() |
KCMD | Cullman Regional/Folsom Field Airport | 190° | 22.5 |
![]() |
KFYM | Fayetteville Municipal Airport | 022° | 27.4 |
![]() |
9A4 | Courtland Airport | 272° | 28.4 |
![]() |
8A1 | Guntersville Municipal/Joe Starnes Field Airport | 118° | 29.0 |
![]() |
KGZS | Abernathy Field Airport | 335° | 33.9 |
![]() |
4A6 | Scottsboro Municipal-Word Field Airport | 085° | 38.2 |
![]() |
KMSL | Northwest Alabama Regional Airport | 279° | 41.8 |
![]() |
2M2 | Lawrenceburg-Lawrence County Airport | 326° | 43.0 |
![]() |
20A | Robbins Field Airport | 153° | 44.4 |








