Login
Register
HWO
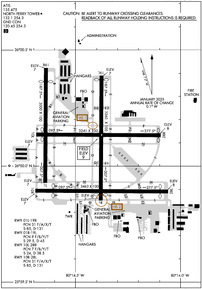
North Perry Airport
Official FAA Data Effective 2026-02-19 0901Z
From the Flight Deck
VFR Chart of KHWO
Sectional Charts at SkyVector.com
IFR Chart of KHWO
Enroute Charts at SkyVector.com
Location Information for KHWO
Coordinates: N26°0.08' / W80°14.44'Located 05 miles W of Hollywood, Florida on 536 acres of land. View all Airports in Florida.
Surveyed Elevation is 8 feet MSL.
Operations Data
|
|
Airport Communications
| ATIS: | 135.475 |
|---|---|
| ASOS: | 135.475 Tel. 954-983-5904 |
| NORTH PERRY TOWER: | 132.1 134.3 254.3 |
| NORTH PERRY GROUND: | 120.45 254.3 |
| MIAMI APPROACH: | 128.6 306.975 |
| MIAMI DEPARTURE: | 128.6 306.975 |
| KYAKS STAR: | 128.6 306.975 |
| FORTL STAR: | 133.775 285.6 |
| MIAMI DP: | 125.5 ;GWAVA, KETLL, MAYNR TRANSITIONS 126.85 ;ALTNN,BEECH,BNGOS,DORRL,FLMGO,HURCN,FOLZZ,ZFP 290.325 ;ALTNN,BEECH,BNGOS,DORRL,FLMGO,HURCN,FOLZZ,ZFP 354.1 ;GWAVA, KETLL, MAYNR TRANSITIONS |
| TOREZ STAR: | 126.85 290.325 |
| DEKAL STAR: | 126.85 290.325 |
| UNICOM: | 122.950 |
| CTAF: | 132.100 |
| LUUCE STAR: | 126.05 ;9000 FT 133.775 ;7000 FT 251.1 ;9000 FT 371.9 ;7000 FT |
| TARPN STAR: | 126.05 ;9000 FT 133.775 ;7000 FT 251.1 ;9000 FT 371.9 ;7000 FT 124.6 ;12000 FT 317.4 ;12000 FT |
| ATIS at OPF (6.0 S): | 125.9 |
| ASOS at OPF (6.0 S): | 125.9 305-681-4063 |
| ASOS at FLL (6.4 NE): | 135.0 954-359-7857 |
- MIAMI APCH/DEP FREQS USABLE 4000' AND BELOW.
Nearby Navigation Aids
|
| ||||||||||||||||||||||||||||||||||||||||||||||||||||||
Runway 10R/28L
| Dimensions: | 3463 x 100 feet / 1056 x 30 meters | |
|---|---|---|
| Surface: | Asphalt in Fair Condition | |
| Weight Limits: | 31 /F/A/X/T, S-85, D-131 | |
| Edge Lighting: | Medium Intensity | |
| Runway 10R | Runway 28L | |
| Coordinates: | N25°59.89' / W80°14.69' | N25°59.89' / W80°14.06' |
| Elevation: | 7.2 | 7.8 |
| Traffic Pattern: | Right | Left |
| Runway Heading: | 90° True | 270° True |
| Displaced Threshold: | 464 Feet | 210 Feet |
| Declared Distances: | TORA:3463 TODA:3463 ASDA:3463 LDA:2999 | TORA:3463 TODA:3463 ASDA:3463 LDA:3253 |
| Markings: | Non-Precision Instrument in good condition. | Basic in good condition. |
| Glide Slope Indicator | P4L (3.50° Glide Path Angle) | P2L (3.50° Glide Path Angle) |
| REIL: | Yes | Yes |
| Obstacles: | 59 ft Building 1618 ft from runway, 35 ft right of center RY 10R APCH SLOPE 32:1 TO THE DSPLCD THLD. |
47 ft Tree 1005 ft from runway, 215 ft left of center RWY 28L APCH SLOPE 26:1 TO THE DSPLCD THR. |
Runway 01R/19L
| Dimensions: | 3260 x 100 feet / 994 x 30 meters | |
|---|---|---|
| Surface: | Asphalt in Good Condition | |
| Weight Limits: | 9 /F/B/Y/T, S-29, D-45 | |
| Runway 01R | Runway 19L | |
| Coordinates: | N25°59.85' / W80°14.38' | N26°0.39' / W80°14.38' |
| Elevation: | 7.3 | 6.8 |
| Traffic Pattern: | Right | Left |
| Runway Heading: | 0 | 180° True |
| Displaced Threshold: | 185 Feet | 111 Feet |
| Markings: | Basic in fair condition. | Basic in fair condition. |
| Glide Slope Indicator | P2L (3.50° Glide Path Angle) | P2L (3.50° Glide Path Angle) |
| Obstacles: | 50 ft Trees 1060 ft from runway, 140 ft right of center RWY 01R APCH SLOPE 25:1 TO THE DSPLCD THR. |
54 ft Tree 1380 ft from runway, 125 ft left of center |
Runway 10L/28R
| Dimensions: | 3241 x 100 feet / 988 x 30 meters | |
|---|---|---|
| Surface: | Asphalt in Good Condition | |
| Weight Limits: | 7 /F/B/Y/T, S-24, D-38 | |
| Runway 10L | Runway 28R | |
| Coordinates: | N26°0.14' / W80°14.69' | N26°0.13' / W80°14.09' |
| Elevation: | 6.9 | 7.5 |
| Traffic Pattern: | Left | Right |
| Runway Heading: | 90° True | 270° True |
| Displaced Threshold: | 181 Feet | 61 Feet |
| Markings: | Basic in good condition. | Non-Precision Instrument in good condition. |
| Glide Slope Indicator | P2L (3.50° Glide Path Angle) | P2L (3.50° Glide Path Angle) |
| Obstacles: | 63 ft Tree 1335 ft from runway, 165 ft left of center RWY 10L APCH SLOPE 24:1 TO THE DSPLCD THR. |
42 ft Trees 1145 ft from runway, 75 ft right of center RWY 28R APCH SLOPE 31:1 TO THE DSPLCD THR. |
Runway 01L/19R
| Dimensions: | 3000 x 100 feet / 914 x 30 meters | |
|---|---|---|
| Surface: | Asphalt in Good Condition | |
| Weight Limits: | 31 /F/A/X/T, S-85, D-131 | |
| Edge Lighting: | Medium Intensity | |
| Runway 01L | Runway 19R | |
| Coordinates: | N25°59.93' / W80°14.64' | N26°0.42' / W80°14.64' |
| Elevation: | 7.2 | 7.2 |
| Traffic Pattern: | Left | Right |
| Runway Heading: | 0 | 180° True |
| Displaced Threshold: | 350 Feet | |
| Markings: | Basic in good condition. | Basic in good condition. |
| Glide Slope Indicator | P2L (3.50° Glide Path Angle) | P2L (3.50° Glide Path Angle) |
| REIL: | Yes | Yes |
| Obstacles: | 45 ft Tree 1170 ft from runway, 85 ft left of center | 42 ft Tree 990 ft from runway, 160 ft left of center RWY 19R APCH SLOPE 32:1 TO THE DSPLCD THR. |
Services Available
| Fuel: | 100LL (blue), Jet-A |
|---|---|
| Transient Storage: | Hangars,Tiedowns |
| Airframe Repair: | MAJOR |
| Engine Repair: | MAJOR |
| Bottled Oxygen: | NONE |
| Bulk Oxygen: | NONE |
| Other Services: | AVIONICS,CHARTER SERVICE,PILOT INSTRUCTION,AIRCRAFT RENTAL,AIRCRAFT SALES |
Ownership Information
| Ownership: | Publicly owned | |
|---|---|---|
| Owner: | BROWARD COUNTY | CONTACT PERSON: MARK GALE A.A.E. 954-359-6100 |
| 320 TERMINAL DR SUITE 200 | ||
| FT LAUDERDALE, FL 33315 | ||
| 954-359-6100 | ||
| Manager: | NINA MACPHERSON | |
| 101 SOUTHWEST 77TH WAY | ||
| PEMBROKE PINES, FL 33023 | ||
| 954-359-1016 | ||
Other Remarks
- ARPT CLSD TO ACFT OVER 12500 LBS MAX CERTD TOG.
- NUMEROUS TALL TOWERS SE OF ARPT CAUSE RADIO INTFC.
- HIGH VOL OF BANNER TOWING AND STUDENT FLT INVOF ARPT.
- BIRD ACTIVITY ON & INVOF AIRPORT.
- RWY CONDITION NOT MONITORED WHEN TOWER CLOSED.
- 24 HR PPR FOR ACFT EQUIPPED WITH WEATHER MODIFICATION OR GEOENGINEERING EQPT 954-336-2973.
- ATC-CTL. WHEN ATCT CLSD ACTVT MIRL RWY 10R/28L, 01L/19R - CTAF.
Weather Minimums
Standard Terminal Arrival (STAR) Charts
Instrument Approach Procedure (IAP) Charts
Departure Procedure (DP) Charts
Nearby Airports with Instrument Procedures
| ID | Name | Heading / Distance | ||
|---|---|---|---|---|
![]() |
KOPF | Miami-Opa Locka Exec Airport | 199° | 6.0 |
![]() |
KFLL | Fort Lauderdale/Hollywood International Airport | 049° | 6.5 |
![]() |
KFXE | Fort Lauderdale Exec Airport | 017° | 12.3 |
![]() |
KMIA | Miami International Airport | 192° | 12.6 |
![]() |
KPMP | Pompano Beach Airpark Airport | 025° | 16.3 |
![]() |
KTMB | Miami Exec Airport | 206° | 23.6 |
![]() |
KBCT | Boca Raton Airport | 017° | 23.7 |
![]() |
KHST | Homestead Arb Airport | 194° | 31.6 |
![]() |
X51 | Miami Homestead General Aviation Airport | 209° | 34.5 |
![]() |
KTNT | Dade-Collier Training and Transition Airport | 256° | 36.5 |
![]() |
KLNA | Palm Beach County Park Airport | 013° | 36.4 |
![]() |
07FA | Ocean Reef Club Airport | 182° | 40.5 |









