Login
Register
MFR
Rogue Valley International/Medford Airport
Official FAA Data Effective 2026-05-14 0901Z
VFR Chart of KMFR
Sectional Charts at SkyVector.com
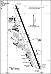
IFR Chart of KMFR
Enroute Charts at SkyVector.com
Location Information for KMFR
Coordinates: N42°22.50' / W122°52.40'Located 03 miles N of Medford, Oregon on 938 acres of land. View all Airports in Oregon.
Surveyed Elevation is 1335 feet MSL.
969 FT AGL FOR PROP ACFT; 1469 FT AGL FOR TURBO ACFT.
Operations Data
|
|
Airport Communications
| ATIS: | 127.25 |
|---|---|
| ASOS: | 127.25 Tel. 541-204-0136 |
| MEDFORD TOWER: | 119.4 257.8 |
| MEDFORD GROUND: | 121.8 |
| CASCADE APPROACH: | 124.3 ;0600-2300 379.9 ;0600-2300 |
| CASCADE DEPARTURE: | 124.3 ;0600-2300 379.9 ;0600-2300 |
| UNICOM: | 122.950 |
| EMERG: | 121.5 243.0 |
| CTAF: | 119.400 |
| AWOS-3PT at 3S8 (24.2 W): | 120.0 541-955-3392 |
| ASOS at SXT (25.7 NW): | 118.375 541-716-0438 |
| ASOS at SIY (40.4 SE): | 121.125 530-459-0267 |
- APCH/DEP SVC PRVDD BY SEATTLE ARTCC (ZSE) ON FREQS 124.85/306.3 (KING MOUNTAIN RCAG) WHEN CASCADE APCH CLSD.
Nearby Navigation Aids
|
| ||||||||||||||||||||||||||||||||||||||||||
Runway 14/32
| Dimensions: | 8800 x 150 feet / 2682 x 46 meters | |
|---|---|---|
| Surface: | Asphalt / Grooved in Good Condition | |
| Weight Limits: | S-75, D-200, ST-400
PCR VALUE: 1110/F/D/X/T
| |
| Edge Lighting: | High Intensity | |
| Runway 14 | Runway 32 | |
| Coordinates: | N42°23.17' / W122°52.75' | N42°21.82' / W122°52.04' |
| Elevation: | 1294.0 | 1335.3 |
| Traffic Pattern: | Left | Left |
| Runway Heading: | 158° True | 338° True |
| Declared Distances: | TORA:8800 TODA:8800 ASDA:8800 LDA:8800 | TORA:8800 TODA:8800 ASDA:8800 LDA:8800 |
| Markings: | Precision Instrument in good condition. | Non-Precision Instrument in good condition. |
| Glide Slope Indicator | P4L (3.00° Glide Path Angle) | P4R (3.00° Glide Path Angle) PAPI RWY 32 DOES NOT PRVD OBS CLNC BYD 6.5 NM FM THR. |
| RVR Equipment | Touchdown | Rollout |
| Approach Lights: | MALSR 1,400 Foot Medium-intensity Approach Lighting System with runway alignment indicator lights. | |
| REIL: | Yes | |
| Centerline Lights: | Yes | Yes |
Services Available
| Fuel: | 100LL (blue), Jet-A, Jet A+ |
|---|---|
| Transient Storage: | Hangars,Tiedowns |
| Airframe Repair: | MAJOR |
| Engine Repair: | MAJOR |
| Bottled Oxygen: | HIGH |
| Bulk Oxygen: | NOT AVAILABLE |
| Other Services: | AIR FREIGHT SERVICES,AIR AMBULANCE SERVICES,AVIONICS,CARGO HANDLING SERVICES,PILOT INSTRUCTION,AIRCRAFT SALES |
Ownership Information
| Ownership: | Publicly owned | |
|---|---|---|
| Owner: | JACKSON COUNTY | |
| CO COURT HOUSE; 10 SO OAKDALE | ||
| MEDFORD, OR 97501 | ||
| 541-774-6035 | ||
| Manager: | AMBER JUDD | |
| 1000 TERMINAL LOOP PKWY, STE 201 | ||
| MEDFORD, OR 97504 | ||
| 541-776-7222 | ||
Other Remarks
- SFC COND UNMNT 2400-0400.
- COLD TEMPERATURE AIRPORT. ALTITUDE CORRECTION REQUIRED AT OR BELOW -2C.
- FOR CD IF UNA TO CTC ON FSS FREQ, CTC SEATTLE ARTCC AT 253-351-3694.
- FUEL AFT HR - 541-842-2254.
- PILOTS CONDUCTING EFVS OPS; BE AWARE LED ALS IN USE RWY 14.
- WATERFOWL INVOF ARPT NOV-MAY.
- TRML APRON CLSD EXCP SKED ACR & PPR.
- TSNT TIE DOWN & HNGR AVBLTY - FBO.
- ACTVT MALSR RWY 14; REIL RWY 32; TDZ RWY 14; CNTRLN LGTS RWY 14/32; PAPI RWY 14 & 32; HIRL RWY 14/32; TWY LGTS - CTAF.
- 969 FT AGL FOR PROP ACFT; 1469 FT AGL FOR TURBO ACFT.
- CORPORATE & GTR THAN 12500 LB LNDG FEE.
Weather Minimums
Instrument Approach Procedure (IAP) Charts
Departure Procedure (DP) Charts
Nearby Airports with Instrument Procedures
| ID | Name | Heading / Distance | ||
|---|---|---|---|---|
![]() |
3S8 | Grants Pass Airport | 289° | 24.3 |
![]() |
KLMT | Crater Lake/Klamath Regional Airport | 104° | 52.5 |
![]() |
KRBG | Roseburg Regional Airport | 337° | 56.1 |
![]() |
O46 | Weed Airport | 160° | 56.8 |
![]() |
KBOK | Brookings Airport | 254° | 65.7 |
![]() |
4S1 | Gold Beach Municipal Airport | 272° | 69.0 |
![]() |
KCEC | Jack Mc Namara Field Airport | 240° | 70.6 |
![]() |
KOTH | Southwest Oregon Regional Airport | 316° | 87.0 |
![]() |
77S | Hobby Field Airport | 356° | 93.5 |
![]() |
KACV | California Redwood Coast-Humboldt County Airport | 213° | 100.5 |
![]() |
KEUG | Mahlon Sweet Field Airport | 352° | 106.0 |
![]() |
S21 | Sunriver Airport | 034° | 109.6 |








