Login
Register
NEW
Lakefront Airport
Official FAA Data Effective 2026-01-22 0901Z
From the Flight Deck
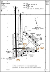
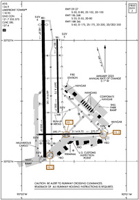
VFR Chart of KNEW
Sectional Charts at SkyVector.com
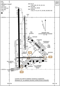
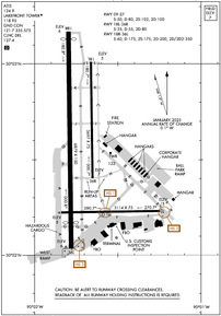
IFR Chart of KNEW
Enroute Charts at SkyVector.com
Location Information for KNEW
Coordinates: N30°2.55' / W90°1.69'Located 04 miles NE of New Orleans, Louisiana on 473 acres of land. View all Airports in Louisiana.
Surveyed Elevation is 7 feet MSL.
Operations Data
|
|
Airport Communications
| ATIS: | 124.9 |
|---|---|
| ASOS: | Tel. 504-245-4366 |
| LAKEFRONT TOWER: | 118.95 |
| LAKEFRONT GROUND: | 121.7 335.575 |
| NEW ORLEANS APPROACH: | 123.85 ;SOUTH 133.15 ;NORTH 256.9 ;SOUTH 290.3 ;NORTH |
| NEW ORLEANS DEPARTURE: | 123.85 ;SOUTH 133.15 ;NORTH 256.9 ;SOUTH 290.3 ;NORTH |
| CLEARANCE DELIVERY: | 127.4 127.4 ;WHEN NEW TWR CLSD |
| CTAF: | 118.950 |
| MNSTR STAR: | 133.15 ;EAST 290.3 ;EAST |
| OLEDD STAR: | 125.5 ;WEST 350.35 ;WEST |
| AWDAD STAR: | 125.5 ;WEST 350.35 ;WEST |
| D-ATIS at MSY (12.4 W): | 127.55 |
| ATIS at NBG (12.9 S): | 279.55 |
| ASOS at MSY (13.2 W): | 504-471-4486 |
- TA35 BASIC RADAR SVC OUTSIDE OF NEW ORLEANS CLASS B BOUNDARIES AVBL.
Nearby Navigation Aids
|
| ||||||||||||||||||||||||||||||||||||||||||||||||||||||||||||
Runway 18R/36L
| Dimensions: | 6879 x 150 feet / 2097 x 46 meters | |
|---|---|---|
| Surface: | Asphalt / Grooved in Good Condition FEW LOW SPOTS NEAR INTERSECTION OF RY 09/27-HOLDING WATER. | |
| Weight Limits: | S-60, D-175, ST-200, DT-350 | |
| Edge Lighting: | Medium Intensity | |
| Runway 18R | Runway 36L | |
| Coordinates: | N30°3.17' / W90°1.80' | N30°2.03' / W90°1.78' |
| Elevation: | 5.7 | 5.7 |
| Traffic Pattern: | Right | |
| Runway Heading: | 179° True | 359° True |
| Displaced Threshold: | 239 Feet | 820 Feet |
| Declared Distances: | TORA:6880 TODA:6880 ASDA:6035 LDA:5510 | TORA:6880 TODA:6880 ASDA:5955 LDA:5135 |
| Markings: | Precision Instrument in good condition. | Non-Precision Instrument in good condition. |
| Glide Slope Indicator | P4L (3.00° Glide Path Angle) | P4L (3.00° Glide Path Angle) |
| Approach Lights: | MALSR 1,400 Foot Medium-intensity Approach Lighting System with runway alignment indicator lights. | |
| REIL: | Yes | |
| Obstacles: | 6 ft Other 300 ft from runway PIER. APCH RATIO 50:1 FM DSPLCD THR. |
7 ft Berm 200 ft from runway APCH RATIO 32:1 AT DSPLCD THR; +77' SILO 2500'; 580' R. +7 FT WALL 150 FT FM RY END. |
Runway 18L/36R
| Dimensions: | 3697 x 75 feet / 1127 x 23 meters | |
|---|---|---|
| Surface: | Asphalt in Good Condition | |
| Weight Limits: | S-35, D-55, ST-80 | |
| Edge Lighting: | Medium Intensity | |
| Runway 18L | Runway 36R | |
| Coordinates: | N30°3.01' / W90°1.66' | N30°2.40' / W90°1.65' |
| Elevation: | 5.2 | 6.7 |
| Traffic Pattern: | Right | |
| Runway Heading: | 179° True | 359° True |
| Declared Distances: | TORA:3697 TODA:3697 ASDA:3697 LDA:3697 | TORA:3697 TODA:3697 ASDA:3697 LDA:3697 |
| Markings: | Basic in good condition. | Basic in good condition. |
| Glide Slope Indicator | P4L (3.00° Glide Path Angle) RWY 36R PAPI UNUSBL BTN 2100 AND 0700 LOCAL | |
| REIL: | Yes | Yes |
| Obstacles: | 54 ft Building 2035 ft from runway, 35 ft left of center | |
Runway 09/27
| Dimensions: | 3114 x 75 feet / 949 x 23 meters | |
|---|---|---|
| Surface: | Asphalt in Fair Condition | |
| Weight Limits: | S-50, D-80, ST-100 | |
| Edge Lighting: | Medium Intensity | |
| Runway 09 | Runway 27 | |
| Coordinates: | N30°2.22' / W90°1.84' | N30°2.23' / W90°1.25' |
| Elevation: | 4.9 | 4.7 |
| Traffic Pattern: | Left | Right |
| Runway Heading: | 89° True | 269° True |
| Declared Distances: | TORA:3113 TODA:3113 ASDA:3113 LDA:3113 | TORA:3113 TODA:3113 ASDA:3113 LDA:3113 |
| Markings: | Basic in good condition. | Basic in fair condition. |
| Glide Slope Indicator | P4L (3.00° Glide Path Angle) | P4R (3.20° Glide Path Angle) |
| REIL: | Yes | |
| Obstacles: | 4 ft Berm 267 ft from runway | 14 ft Road 543 ft from runway, 161 ft right of center |
Services Available
| Fuel: | 100LL (blue), Jet-A |
|---|---|
| Transient Storage: | Hangars,Tiedowns OVERNIGHT PARKING ON TERMINAL RAMP MUST BE COORDINATED WITH FBO |
| Airframe Repair: | MAJOR |
| Engine Repair: | MAJOR |
| Bottled Oxygen: | HIGH |
| Bulk Oxygen: | HIGH |
| Other Services: | AIR AMBULANCE SERVICES,AVIONICS,CHARTER SERVICE,PILOT INSTRUCTION,AIRCRAFT RENTAL,AIRCRAFT SALES |
Ownership Information
| Ownership: | Publicly owned | |
|---|---|---|
| Owner: | ORLEANS LEVEE DISTRICT | |
| 6001 STARS AND STRIPES BLVD, SUITE 204 | ||
| NEW ORLEANS, LA 70126 | ||
| 504-243-4010 | ||
| Manager: | BRUCE MARTIN | |
| 6001 STARS & STRIPES BLVD, SUITE 204 | ||
| NEW ORLEANS, LA 70126 | ||
| 504-243-4010 | ||
Other Remarks
- PPR REQUIRED FOR ACFT TRNSPG ANY ITEMS LISTED IN PART 175 TITLE 49. CONTACT 504-606-9264
- TWY A UNEVEN PAVEMENT.
- FOR ASSTNC AFTER 2100 LOCAL CTC AMGR 504-874-0459
- FOR FICONS AFTER HRS CALL ARFF 504-606-9264.
- BOAT MASTS UP TO 80 FT WI 0.5NM OF AER RWY 27.
- ARPT WINDCONE FOR BALL PARK RAMP LGTS OTS PERMLY.
- CAUTION TWY F BTN TRML RAMP AND FLT LN FST RAMP IREG SFC.
- FOR CD WHEN ATCT IS CLSD CTC MSY APCH AT 504-471-4350 OR 127.4
- CTC ARPT MGR FOR DSGND RAMP SPACE FOR PUB USE AT ARPT
- BIRDS ON & INVOF ARPT.
- BOATS AS HIGH AS 80 FT PASS WI 400 FT OF RWY 09 THLD.
- ARFF CPBLTY EQUIVALENT TO INDEX B.
- FUEL NOT AVAILABLE WITHIN 100' OF TERMINAL BUILDING
- WHEN TWR CLSD ACTVT MALSR RWY 18R; MIRL RWY 18R/36L; TWY B, C, D, E, F, H, EAST HNGRLN - PRESET LOW INTST. ACTVT 5 CLICKS FOR MED AND 7 CLICKS FOR HIGH - CTAF.
- FOR ARPT BCN CTC ATCT.
Weather Minimums
Standard Terminal Arrival (STAR) Charts
Instrument Approach Procedure (IAP) Charts
Nearby Airports with Instrument Procedures
| ID | Name | Heading / Distance | ||
|---|---|---|---|---|
![]() |
KMSY | Louis Armstrong New Orleans International Airport | 256° | 12.4 |
![]() |
KNBG | New Orleans NAS Jrb (Alvin Callender Field) Airport | 179° | 12.9 |
![]() |
KASD | Slidell Airport | 030° | 21.1 |
![]() |
KAPS | Port of South Louisiana Exec Regional Airport | 275° | 29.0 |
![]() |
KMJD | Picayune Municipal Airport | 036° | 33.1 |
![]() |
KHDC | Hammond Northshore Regional Airport | 324° | 35.1 |
![]() |
KHSA | Stennis International Airport | 056° | 35.6 |
![]() |
KGAO | South Lafourche Leonard Miller Jr Airport | 198° | 38.0 |
![]() |
KHUM | Houma-Terrebonne Airport | 229° | 43.6 |
![]() |
L83 | Thibodaux Municipal Airport | 247° | 45.5 |
![]() |
KBXA | George R Carr Memorial Air Field Airport | 010° | 46.9 |
![]() |
KREG | Louisiana Regional Airport | 279° | 48.1 |











Comments
Lakefront Airport
The staff and service at Lakefront flightline first were very good. I would go out of my way to visit again.
Pages