Login
Register
OCF
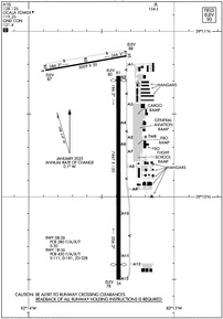
Ocala International-Jim Taylor Field Airport
Official FAA Data Effective 2026-04-16 0901Z
VFR Chart of KOCF
Sectional Charts at SkyVector.com
IFR Chart of KOCF
Enroute Charts at SkyVector.com
Location Information for KOCF
Coordinates: N29°10.31' / W82°13.45'Located 04 miles W of Ocala, Florida on 1532 acres of land. View all Airports in Florida.
Surveyed Elevation is 90 feet MSL.
Operations Data
|
|
Airport Communications
| ATIS: | 128.125 |
|---|---|
| AWOS-3PT: | 128.125 Tel. 352-237-8525 |
| OCALA TOWER: | 119.25 |
| OCALA GROUND: | 121.4 |
| JACKSONVILLE APPROACH: | 118.6 251.15 |
| JACKSONVILLE DEPARTURE: | 118.6 251.15 |
| CTAF: | 119.250 |
| AWOS-3T at X60 (17.0 NW): | 118.425 352-528-9949 |
| AWOS-3 at INF (22.5 S): | 119.975 352-560-6012 |
| AWOS-3 at CGC (25.9 SW): | 118.325 352-563-6600 |
Nearby Navigation Aids
|
| ||||||||||||||||||||||||||||||||||||||||||
Runway 18/36
| Dimensions: | 7468 x 150 feet / 2276 x 46 meters | |
|---|---|---|
| Surface: | Asphalt / Grooved in Good Condition | |
| Weight Limits: | S-111, D-181, ST-328
PCR VALUE: 450/F/A/X/T
| |
| Edge Lighting: | High Intensity | |
| Runway 18 | Runway 36 | |
| Coordinates: | N29°10.73' / W82°13.38' | N29°9.50' / W82°13.38' |
| Elevation: | 80.1 | 75.9 |
| Traffic Pattern: | Left | Left |
| Runway Heading: | 180° True | 360° True |
| Displaced Threshold: | 160 Feet | 560 Feet |
| Declared Distances: | TORA:7468 TODA:7468 ASDA:6718 LDA:6558 | TORA:7468 TODA:7468 ASDA:6911 LDA:6351 |
| Markings: | Precision Instrument in fair condition. | Precision Instrument in fair condition. |
| Glide Slope Indicator | P4L (3.00° Glide Path Angle) | P4L (3.00° Glide Path Angle) |
| Approach Lights: | MALSR 1,400 Foot Medium-intensity Approach Lighting System with runway alignment indicator lights. | |
| Obstacles: | 60 ft Trees 2600 ft from runway, 530 ft right of center | 46 ft Tree 2530 ft from runway, 410 ft right of center |
Runway 08/26
RWY 08/26 NOT AVBL FOR PART 121/PART 380 OPS WITH SKED PAX CARRYING OPS MORE THAN 9 PAX SEATS AND NON-SKED PAX CARRYING OPS MORE THAN 30 PAX SEATS. | ||
| Dimensions: | 3010 x 50 feet / 917 x 15 meters | |
|---|---|---|
| Surface: | Asphalt in Good Condition | |
| Weight Limits: | S-30
PCR VALUE: 280/F/A/X/T
| |
| Runway 08 | Runway 26 | |
| Coordinates: | N29°10.76' / W82°13.88' | N29°10.85' / W82°13.33' |
| Elevation: | 87.1 | 88.0 |
| Traffic Pattern: | Left | Left |
| Runway Heading: | 80° True | 260° True |
| Markings: | Basic in fair condition. | Basic in fair condition. |
| Obstacles: | 50 ft Trees 1205 ft from runway, 105 ft left of center | 25 ft Power Line 1045 ft from runway, 170 ft left of center |
Services Available
| Fuel: | 100LL (blue), Jet A-1+ |
|---|---|
| Transient Storage: | Hangars,Tiedowns |
| Airframe Repair: | MAJOR |
| Engine Repair: | MAJOR |
| Bottled Oxygen: | HIGH |
| Bulk Oxygen: | HIGH/LOW |
| Other Services: | AVIONICS,CHARTER SERVICE,PILOT INSTRUCTION,AIRCRAFT RENTAL,AIRCRAFT SALES |
Ownership Information
| Ownership: | Publicly owned | |
|---|---|---|
| Owner: | CITY OF OCALA | |
| 1770 SW 60TH AVENUE, SUITE 600 | ||
| OCALA, FL 34474 | ||
| 352-629-8377 | ||
| Manager: | MATTHEW GROW | |
| 1770 SW 60TH AVE, SUITE 600 | ||
| OCALA, FL 34474 | ||
| 352-629-8377 | ||
Other Remarks
- TWY A1 RSTRD TO ACFT WITH WINGSPAN 60 FT OR LESS.
- OBJECT 2.5 FT AGL LCTD 39 FT NORTH OF TWY A1 CNTRLN.
- RWY 36 RTHL NOT STD.
- RWY 18/36 REDL NOT STD.
- RWY 18 RENL NOT STD.
- RWY 18/36 SAFETY AREA NONSTD IRG SFC FM ONGOING WILDLIFE BURROW MITIGATATION.
- RWY 08/26 SAFETY AREA NONSTD IREG SFC FM ONGOING WILDLIFE BURROW MITIGATATION.
- RWY 18/36 EDGE MARKINGS E SIDE NOT STD BTN TWY A2 AND TWY A6.
- 24 HR PPR FOR ACFT EQUIPPED WITH WEATHER MODIFICATION OR GEOENGINEERING EQPT 352-629-8377.
- ACFT DEP RWY 18 MNTN RWY HDG TO 800 FT AGL OR TIL RCHG END OF RWY WHICHEVER OCRS LTR BFR MAKING LEFT TURNS.
- TWY A1, A8, A9 & A12 E OF TWY A; TWY A NORTH OF TWY A2; CLSD TO ACR.
- CUSTOM SVC UNAVBL.
- SFC CONDS NOT RPRTD 1700-0700L.
- FOR CD IF UNA TO CTC ON FSS FREQ, CTC JACKSONVILLE APCH AT 904-741-0284.
- FEE FOR ACR OPS ONLY.
- CALM WIND RWY.
- WHEN ATCT CLSD ACTVT MALSR RWY 36; PAPI RWY 18 & 36; HIRL RWY 18/36 - CTAF.
Weather Minimums
Instrument Approach Procedure (IAP) Charts
Nearby Airports with Instrument Procedures
| ID | Name | Heading / Distance | ||
|---|---|---|---|---|
![]() |
X35 | Marion County Airport | 230° | 10.4 |
![]() |
KINF | Inverness Airport | 192° | 22.6 |
![]() |
KLEE | Leesburg International Airport | 133° | 30.2 |
![]() |
KGNV | Gainesville Regional Airport | 355° | 31.1 |
![]() |
X23 | Umatilla Municipal Airport | 116° | 33.5 |
![]() |
28J | Palatka Municipal/Lt Kay Larkin Field Airport | 043° | 40.4 |
![]() |
42J | Keystone Heights Airport | 012° | 41.3 |
![]() |
KBKV | Brooksville-Tampa Bay Regional Airport | 196° | 43.5 |
![]() |
X04 | Orlando Apopka Airport | 129° | 43.8 |
![]() |
KDED | Deland Municipal-Sidney H Taylor Field Airport | 097° | 49.8 |
![]() |
KCTY | Cross City Airport | 301° | 53.9 |
![]() |
KFIN | Flagler Exec Airport | 071° | 56.1 |












