Login
Register
OKC
Okc Will Rogers International Airport
Official FAA Data Effective 2025-11-27 0901Z
VFR Chart of KOKC
Sectional Charts at SkyVector.com
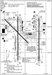
IFR Chart of KOKC
Enroute Charts at SkyVector.com
Location Information for KOKC
Coordinates: N35°23.58' / W97°36.05'Located 06 miles SW of Oklahoma City, Oklahoma on 8081 acres of land. View all Airports in Oklahoma.
Surveyed Elevation is 1295 feet MSL.
Operations Data
|
|
Airport Communications
| D-ATIS: | 125.85 (405-686-4707) |
|---|---|
| ASOS: | Tel. 405-674-4013 |
| ROGERS TOWER: | 119.35 120.25 269.45 |
| ROGERS GROUND: | 121.9 348.6 |
| OKE CITY APPROACH: | 118.95 119.3 120.45 ;081-170 124.2 ;001-080 124.6 ;171-360 263.075 266.8 ;171-360 288.325 ;081-170 336.4 ;001-080 381.45 |
| OKE CITY DEPARTURE: | 118.95 120.45 ;081-170 124.2 ;001-080 124.6 ;171-360 263.075 266.8 ;171-360 288.325 ;081-170 336.4 ;001-080 |
| IC: | 124.6 ;171-360 266.8 ;171-360 |
| CLEARANCE DELIVERY: | 124.35 |
| ANG OPS: | 225.6 |
| PRE TAXI CLNC: | 124.35 |
| RIFFL RNAV STAR: | 124.2 336.4 |
| SSYKO DP: | 124.2 336.4 |
| TRUPR DP: | 124.2 336.4 |
| KRMSN DP: | 124.2 336.4 |
| EMERG: | 121.5 |
| MURAH RNAV STAR: | 124.2 336.4 |
| FUNNL DP: | 124.2 336.4 |
| CAMET RNAV STAR: | 124.6 266.8 |
| RDHWK DP: | 124.2 336.4 |
| TSDEL RNAV STAR: | 124.2 336.4 |
| GHOST RNAV STAR: | 124.6 266.8 |
| CLASS C: | 120.45 ;081-170 124.2 ;001-080 124.6 ;171-360 266.8 ;171-360 288.325 ;081-170 336.4 ;001-080 |
| YUCKS RNAV STAR: | 124.6 266.8 |
| FINAL: | 119.3 381.45 |
| WENDY DP: | 124.6 336.4 |
| TEBRD DP: | 124.2 336.4 |
| GULLI STAR: | 124.2 336.4 |
| ATIS at PWA (8.8 N): | 128.725 |
| ASOS at PWA (8.8 N): | 405-798-2013 |
| ATIS at TIK (10.6 E): | 270.1 |
Nearby Navigation Aids
|
| ||||||||||||||||||||||||||||||||||||||||||||||||||||||||||||
Runway 17L/35R
| Dimensions: | 9802 x 150 feet / 2988 x 46 meters | |
|---|---|---|
| Surface: | Concrete / Grooved in Good Condition | |
| Weight Limits: | S-120, D-250, ST-550, DT-1120
PCR VALUE: 1210/R/B/W/T
| |
| Edge Lighting: | High Intensity | |
| Runway 17L | Runway 35R | |
| Coordinates: | N35°24.31' / W97°35.34' | N35°22.69' / W97°35.34' |
| Elevation: | 1286.6 | 1282.9 |
| Traffic Pattern: | Left | Right |
| Runway Heading: | 180° True | 360° True |
| Declared Distances: | TORA:9802 TODA:9802 ASDA:9802 LDA:9802 | TORA:9802 TODA:9802 ASDA:9802 LDA:9802 |
| Markings: | Precision Instrument in good condition. | Precision Instrument in good condition. |
| Glide Slope Indicator | P4L (3.00° Glide Path Angle) | P4L (2.90° Glide Path Angle) |
| RVR Equipment | Touchdown Midfield Rollout | Touchdown Midfield Rollout |
| Approach Lights: | MALSR 1,400 Foot Medium-intensity Approach Lighting System with runway alignment indicator lights. | ALSF2 Standard 2,400 Foot High-intensity Approach Lighting System with sequenced flashers, CATEGORY II or III Configuration. |
| Centerline Lights: | Yes | Yes |
Runway 17R/35L
| Dimensions: | 9801 x 150 feet / 2987 x 46 meters | |
|---|---|---|
| Surface: | Concrete / Grooved in Good Condition | |
| Weight Limits: | S-120, D-250, ST-550, DT-1120
PCR VALUE: 1210/R/B/W/T
| |
| Edge Lighting: | High Intensity | |
| Runway 17R | Runway 35L | |
| Coordinates: | N35°24.36' / W97°36.34' | N35°22.74' / W97°36.34' |
| Elevation: | 1281.9 | 1263.6 |
| Traffic Pattern: | Right | Left |
| Runway Heading: | 180° True | 360° True |
| Declared Distances: | TORA:9800 TODA:9800 ASDA:9800 LDA:9800 | TORA:9800 TODA:9800 ASDA:9800 LDA:9800 |
| Markings: | Precision Instrument in good condition. | Precision Instrument in good condition. |
| Glide Slope Indicator | P4L (3.00° Glide Path Angle) PAPI UNUSBL 4 DEGS RIGHT OF RWY CNTRLN. | |
| RVR Equipment | Touchdown Rollout | Touchdown Rollout |
| Approach Lights: | MALSR 1,400 Foot Medium-intensity Approach Lighting System with runway alignment indicator lights. | MALSR 1,400 Foot Medium-intensity Approach Lighting System with runway alignment indicator lights. |
| Centerline Lights: | Yes | Yes |
Runway 13/31
| Dimensions: | 7800 x 150 feet / 2377 x 46 meters | |
|---|---|---|
| Surface: | Concrete / Grooved in Excellent Condition | |
| Weight Limits: | S-120, D-250, ST-550, DT-1120
PCR VALUE: 1220/R/C/W/T
| |
| Edge Lighting: | Medium Intensity | |
| Runway 13 | Runway 31 | |
| Coordinates: | N35°24.28' / W97°36.95' | N35°23.37' / W97°35.85' |
| Elevation: | 1278.7 | 1286.0 |
| Traffic Pattern: | Right | Left |
| Runway Heading: | 135° True | 315° True |
| Declared Distances: | TORA:7800 TODA:7800 ASDA:7800 LDA:7800 | TORA:7800 TODA:7800 ASDA:7800 LDA:7800 |
| Markings: | Non-Precision Instrument in good condition. | Non-Precision Instrument in good condition. |
| Glide Slope Indicator | P4L (3.00° Glide Path Angle) | P4L (3.00° Glide Path Angle) |
| REIL: | Yes | Yes |
Runway 18/36
RWY 18/36 NOT AVBL FOR PART 121/PART 380 OPS WITH SKED PAX CARRYING OPS MORE THAN 9 PAX SEATS AND NON-SKED PAX CARRYING OPS MORE THAN 30 PAX SEATS. | ||
| Dimensions: | 3079 x 75 feet / 938 x 23 meters | |
|---|---|---|
| Surface: | Asphalt in Good Condition | |
| Weight Limits: | S-120, D-205, ST-304, DT-808
PCR VALUE: 560/F/C/W/T
| |
| Runway 18 | Runway 36 | |
| Coordinates: | N35°23.61' / W97°36.46' | N35°23.11' / W97°36.46' |
| Elevation: | 1274.9 | 1271.3 |
| Traffic Pattern: | Right | Left |
| Runway Heading: | 180° True | 360° True |
| Declared Distances: | TORA:3079 TODA:3079 ASDA:3079 LDA:3079 | TORA:3079 TODA:3079 ASDA:3079 LDA:3079 |
| Markings: | Basic in good condition. | Basic in good condition. |
Services Available
| Fuel: | 100LL (blue), Jet-A |
|---|---|
| Transient Storage: | Hangars,Tiedowns |
| Airframe Repair: | MAJOR |
| Engine Repair: | MAJOR |
| Bottled Oxygen: | HIGH/LOW |
| Bulk Oxygen: | HIGH/LOW |
| Other Services: | AIR FREIGHT SERVICES,AVIONICS,CARGO HANDLING SERVICES,CHARTER SERVICE,PILOT INSTRUCTION,AIRCRAFT RENTAL,AIRCRAFT SALES |
Ownership Information
| Ownership: | Publicly owned | |
|---|---|---|
| Owner: | OKLAHOMA CITY AIRPORT TRUST | |
| 7100 TERMINAL DR; BOX 937 | ||
| OKLAHOMA CITY, OK 73159-0937 | ||
| 405-316-3200 | ||
| Manager: | JEFF MULDER | |
| 7100 TERMINAL DR; BOX 937 | ||
| OKLAHOMA CITY, OK 73159-0937 | ||
| 405-623-3007 | ||
Other Remarks
- RY 18/36 USED AS TWY WHEN NOT USED AS RY.
- RY 18/36 VFR DALGT OPNS ONLY EXCEPT FOR AIR NATIONAL GUARD.
- FLIGHT NOTIFICATION SERVICE (ADCUS) AVBL.
- COMPASS ROSE RSTRD TO ACFT UNDER 95000 LBS EXCP ANG C-130. TWY B NORTH OF COMPASS ROSE RSTRD TO ACFT UNDER 120000 LBS EXCP ANG C-130.
- PILOTS OF ACFT WITH WING SPANS GREATER THAN 118 FT MUST USE JUDGMENTAL OVER STEERING AT ALL TWY INTXNS.
- TWYS H2 AND G EAST OF TWY H CLSD INDEFLY.
- NUMEROUS BIRDS ON & INVOF ARPT.
- MIL: SVC: FUEL A, A+ (405-218-3000 EXT 1) (NC-100LL).
- RSTD: FAA AERONAUTICAL CENTER RAMP PHONE 405-954-9783 AND EMAIL MXC@FAA.GOV.
- PILOTS CONDUCTING EFVS OPS; BE AWARE LED ALS IN USE RWY 17L & RWY 35L.
- RY 18/36 600 FT WEST OF RY 17R/35L ON EXISTING TWY.
- TWY G WEST OF RWY 17R/35L, TWY A2 EAST OF TWY A, TWY D SOUTHWEST OF RWY 13/31, TWYS: A1, B, AND C2 NOT AVBL FOR PART 121/PART 380 OPS WITH SKED PAX CARRYING OPS MORE THAN 9 PAX SEATS AND NON-SKED PAX CARRYING OPS MORE THAN 30 PAX SEATS.
- TWY G WEST OF TWY B CLSD TO ALL EXCEPT U.S. MARSHALS SERVICE ACFT.
- TWY C2 CLSD TO ALL OPNS EXCEPT METRO TECH TFC.
- ALL RAMPS ARE UNCONTROLLED.
Weather Minimums
Standard Terminal Arrival (STAR) Charts
Instrument Approach Procedure (IAP) Charts
- ILS OR LOC RWY 17L

- ILS OR LOC RWY 17R

- ILS OR LOC RWY 35L

- ILS OR LOC RWY 35R

- ILS RWY 35R (SA CAT I)

- ILS RWY 35R (CAT II)

- ILS RWY 17R (SA CAT II)

- RNAV (RNP) Z RWY 17L

- RNAV (RNP) Z RWY 17R

- RNAV (RNP) Z RWY 35L

- RNAV (RNP) Z RWY 35R

- RNAV (GPS) RWY 13

- RNAV (GPS) RWY 31

- RNAV (GPS) Y RWY 17L

- RNAV (GPS) Y RWY 17R

- RNAV (GPS) Y RWY 35L

- RNAV (GPS) Y RWY 35R

- VOR RWY 17L

Departure Procedure (DP) Charts
Nearby Airports with Instrument Procedures
| ID | Name | Heading / Distance | ||
|---|---|---|---|---|
![]() |
KPWA | Wiley Post Airport | 344° | 8.8 |
![]() |
KTIK | Tinker AFB Airport | 082° | 10.6 |
![]() |
KOUN | University of Oklahoma Westheimer Airport | 144° | 10.9 |
![]() |
KRCE | Clarence E Page Municipal Airport | 297° | 12.3 |
![]() |
KHSD | Sundance Airport | 337° | 13.5 |
![]() |
1K4 | David Jay Perry Airport | 155° | 15.6 |
![]() |
KRQO | El Reno Regional Airport | 283° | 20.4 |
![]() |
KCHK | Chickasha Municipal Airport | 225° | 25.3 |
![]() |
KGOK | Guthrie/Edmond Regional Airport | 018° | 28.9 |
![]() |
KSNL | Shawnee Regional Airport | 093° | 32.4 |
![]() |
2O8 | Hinton Municipal Airport | 280° | 37.0 |
![]() |
KCQB | Chandler Regional Airport | 062° | 43.0 |







