Login
Register
SQL
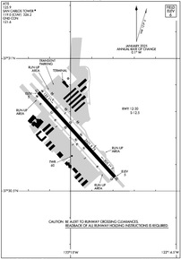
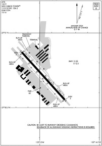
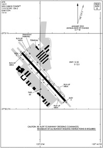
San Carlos Airport
Official FAA Data Effective 2025-12-25 0901Z
VFR Chart of KSQL
Sectional Charts at SkyVector.com
IFR Chart of KSQL
Enroute Charts at SkyVector.com
Location Information for KSQL
Coordinates: N37°30.71' / W122°14.97'Located 02 miles NE of San Carlos, California on 110 acres of land. View all Airports in California.
Surveyed Elevation is 5 feet MSL.
APPLIES TO BOTH-FIXED WING AND HEL.
Operations Data
|
|
Airport Communications
| ATIS: | 125.9 (650-593-0613) |
|---|---|
| AWOS-3P: | 125.9 Tel. 650-593-0613 |
| SAN CARLOS TOWER: | 119.0 326.2 |
| SAN CARLOS GROUND: | 121.6 |
| NORCAL APPROACH: | 133.95 135.65 251.05 310.8 317.6 338.2 |
| NORCAL DEPARTURE: | 135.65 310.8 |
| CTAF: | 119.000 |
| UNICOM: | 122.950 |
| ATIS at PAO (7.1 SE): | 135.275 |
| ASOS at SFO (8.5 NW): | 650-250-5841 |
| D-ATIS at SFO (8.8 NW): | 118.85 |
- FREQ 121.5 NOT AVAILABLE.
Nearby Navigation Aids
|
| ||||||||||||||||||||||||||||||||||||
Runway 12/30
| Dimensions: | 2621 x 75 feet / 799 x 23 meters | |
|---|---|---|
| Surface: | Asphalt in Fair Condition | |
| Weight Limits: | S-12 | |
| Edge Lighting: | Medium Intensity | |
| Runway 12 | Runway 30 | |
| Coordinates: | N37°30.87' / W122°15.15' | N37°30.55' / W122°14.79' |
| Elevation: | 5.0 | 5.1 |
| Traffic Pattern: | Left HEL RIGHT TFC RWY 12/LEFT TFC RWY 30. |
Right FIXED-WING RIGHT TFC RWY 30/LEFT TFC RWY 12. |
| Runway Heading: | 138° True | 318° True |
| Markings: | Non-Precision Instrument in good condition. | Non-Precision Instrument in good condition. |
| Glide Slope Indicator | V2L (3.00° Glide Path Angle) | V2L (3.00° Glide Path Angle) UNUSBL BYD 8 DEG LEFT OF CNTRLN. |
| REIL: | Yes | Yes |
| Obstacles: | 18 ft Pole 565 ft from runway, 80 ft right of center | LEVEE 7' LGTD DIKE 100' E OF CNTRLN AT THR, EXTENDING TO 60' E OF CNTRLN AT END OF PRIMARY SFC. |
Services Available
| Fuel: | 100LL (blue), Jet-A, Jet A+, UL94 |
|---|---|
| Transient Storage: | Tiedowns |
| Airframe Repair: | MINOR |
| Engine Repair: | MINOR |
| Bottled Oxygen: | NONE |
| Bulk Oxygen: | LOW |
| Other Services: | CHARTER SERVICE,PILOT INSTRUCTION,AIRCRAFT RENTAL,AIRCRAFT SALES |
Ownership Information
| Ownership: | Publicly owned | |
|---|---|---|
| Owner: | SAN MATEO COUNTY | |
| 555 COUNTY CENTER, 5TH FLOOR | ||
| REDWOOD CITY, CA 94063-1665 | ||
| 650-573-3700 | DIR OF PUB WORKS - ANN M. STILLMAN. | |
| Manager: | GRETCHEN KELLY | |
| 620 AIRPORT DR | ||
| SAN CARLOS, CA 94070 | ||
| 650-573-3700 | ||
Other Remarks
- FOR CD WHEN ATCT IS CLSD CTC NORCAL APCH AT 916-361-3829.
- RABBIT AVIATION 130.00
- LRG HEL SHOULD AVOID OVERFLIGHT OF DIRT INFIELD AREAS.
- NO TGL OR STOP AND GO LDGS WHEN ATCT CLSD.
- CALM WIND RWY 12.
- NOISE SENSITIVE AREAS S THRU NE OF ARPT. FOR NOISE ABATEMENT PROCEDURES CTC AMGR (650) 573-3700.
- MIGRATORY BIRD ACT ON & INVOF OF ARPT.
- 100 FT STEEL TRANSMISSION TWRS AND POWERLINES LCTD 750 FT WEST AND PARALLEL TO RWY 12/30.
- 7 FT LIGHTED DIKE LCTD IN RWY SAFETY AREA ON APCH END RWY 30.
- WHEN ATCT CLSD; ACTVT MIRL RWY 12/30 & REIL RWY 12/30 - 119.0
- APPLIES TO BOTH-FIXED WING AND HEL.
Weather Minimums
Standard Terminal Arrival (STAR) Charts
Instrument Approach Procedure (IAP) Charts
Nearby Airports with Instrument Procedures
| ID | Name | Heading / Distance | ||
|---|---|---|---|---|
![]() |
KPAO | Palo Alto Airport | 115° | 7.1 |
![]() |
KSFO | San Francisco International Airport | 316° | 8.8 |
![]() |
KHWD | Hayward Exec Airport | 034° | 10.7 |
![]() |
KNUQ | Moffett Federal Airfield Airport | 120° | 11.2 |
![]() |
KHAF | Half Moon Bay Airport | 270° | 12.0 |
![]() |
KOAK | Oakland San Francisco Bay Airport | 006° | 12.6 |
![]() |
KSJC | Norman Y Mineta San Jose International Airport | 120° | 17.7 |
![]() |
KRHV | Reid-Hillview of Santa Clara County Airport | 117° | 23.2 |
![]() |
KLVK | Livermore Municipal Airport | 061° | 23.2 |
![]() |
KCCR | Buchanan Field Airport | 017° | 30.1 |
![]() |
CA35 | San Rafael Airport | 336° | 32.9 |
![]() |
C83 | Byron Airport | 057° | 35.3 |






