Login
Register
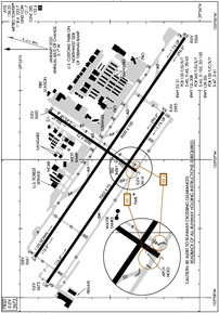
BJC
Rocky Mountain Metro Airport
Official FAA Data Effective 2026-01-22 0901Z
From the Flight Deck
VFR Chart of KBJC
Sectional Charts at SkyVector.com
IFR Chart of KBJC
Enroute Charts at SkyVector.com
Location Information for KBJC
Coordinates: N39°54.53' / W105°7.03'Located 09 miles NW of Denver, Colorado on 1700 acres of land. View all Airports in Colorado.
Surveyed Elevation is 5673 feet MSL.
Operations Data
|
|
Airport Communications
| ATIS: | 126.25 (303-466-8744) |
|---|---|
| AWOS-3: | Tel. 720-887-8067 |
| METRO TOWER: | 118.6 123.95 233.7 |
| METRO GROUND: | 121.7 |
| DENVER APPROACH: | 125.125 263.025 |
| DENVER DEPARTURE: | 125.125 263.025 |
| IC: | 233.7 |
| CLEARANCE DELIVERY: | 132.6 |
| RAMMS STAR: | 120.35 379.3 |
| BRNKO RNAV STAR: | 127.05 363.25 |
| LARKS: | 120.35 |
| DUNNN RNAV STAR: | 128.45 251.075 |
| LARKS STAR: | 379.3 |
| TOMSN STAR: | 119.3 307.3 |
| QUAIL STAR: | 120.35 379.3 |
| POWDR STAR: | 120.35 379.3 |
| DANDD STAR: | 120.35 379.3 |
| CTAF: | 118.600 |
| AWOS-3PT at EIK (6.9 NE): | 133.825 303-604-4339 |
| AWOS-3 at BDU (9.3 NW): | 118.825 303-541-9540 |
| AWOS-3 at LMO (15.5 N): | 120.0 303-684-7545 |
- FREQ 121.5 NOT AVBL.
Nearby Navigation Aids
|
| ||||||||||||||||||||||||||||||||||||||||||
Runway 12L/30R
| Dimensions: | 9000 x 100 feet / 2743 x 30 meters | |
|---|---|---|
| Surface: | Asphalt / Grooved in Good Condition | |
| Weight Limits: | S-65, D-105, ST-150
PCR VALUE: 360/F/D/X/T
| |
| Edge Lighting: | High Intensity | |
| Runway 12L | Runway 30R | |
| Coordinates: | N39°54.92' / W105°7.70' | N39°54.08' / W105°6.12' |
| Elevation: | 5660.5 | 5565.9 |
| Traffic Pattern: | Left | Right |
| Runway Heading: | 124° True | 304° True |
| Declared Distances: | TORA:9000 TODA:9000 ASDA:9000 LDA:9000 | TORA:9000 TODA:9000 ASDA:9000 LDA:9000 |
| Markings: | Precision Instrument in fair condition. | Precision Instrument in fair condition. |
| Glide Slope Indicator | P4L (3.00° Glide Path Angle) | P4L (3.00° Glide Path Angle) |
| Approach Lights: | MALSR 1,400 Foot Medium-intensity Approach Lighting System with runway alignment indicator lights. | |
| REIL: | Yes | |
Runway 12R/30L
| Dimensions: | 7002 x 75 feet / 2134 x 23 meters | |
|---|---|---|
| Surface: | Asphalt / Grooved in Good Condition | |
| Weight Limits: | S-47, D-61
PCR VALUE: 150/F/C/X/T
| |
| Edge Lighting: | Medium Intensity | |
| Runway 12R | Runway 30L | |
| Coordinates: | N39°54.85' / W105°7.89' | N39°54.20' / W105°6.66' |
| Elevation: | 5673.3 | 5595.4 |
| Traffic Pattern: | Right | Left |
| Runway Heading: | 124° True | 304° True |
| Declared Distances: | TORA:7002 TODA:7002 ASDA:7002 LDA:7002 | TORA:7002 TODA:7002 ASDA:7002 LDA:7002 |
| Markings: | Non-Precision Instrument in fair condition. | Non-Precision Instrument in fair condition. |
| Glide Slope Indicator | P2L (3.00° Glide Path Angle) | P2L (3.00° Glide Path Angle) |
| REIL: | Yes | Yes |
Runway 03/21
| Dimensions: | 3600 x 75 feet / 1097 x 23 meters | |
|---|---|---|
| Surface: | Asphalt in Fair Condition | |
| Weight Limits: | S-40, D-45, ST-65
PCR VALUE: 130/F/D/X/T
| |
| Edge Lighting: | Medium Intensity | |
| Runway 03 | Runway 21 | |
| Coordinates: | N39°54.35' / W105°7.08' | N39°54.84' / W105°6.65' |
| Elevation: | 5616.0 | 5600.0 |
| Traffic Pattern: | Left | Right |
| Runway Heading: | 34° True | 214° True |
| Declared Distances: | TORA:3600 TODA:3600 ASDA:3600 LDA:3600 | TORA:3600 TODA:3600 ASDA:3600 LDA:3600 |
| Markings: | Basic in fair condition. | Basic in fair condition. |
| Glide Slope Indicator | P2L (3.00° Glide Path Angle) | P2L (3.00° Glide Path Angle) |
Services Available
| Fuel: | 100LL (blue), Jet-A |
|---|---|
| Transient Storage: | Hangars,Tiedowns |
| Airframe Repair: | MAJOR |
| Engine Repair: | MAJOR |
| Bottled Oxygen: | HIGH/LOW |
| Bulk Oxygen: | HIGH/LOW |
| Other Services: | AIR FREIGHT SERVICES,AVIONICS,CARGO HANDLING SERVICES,CHARTER SERVICE,PILOT INSTRUCTION,AIRCRAFT RENTAL,AIRCRAFT SALES,ANNUAL SURVEYING |
Ownership Information
| Ownership: | Publicly owned | |
|---|---|---|
| Owner: | JEFFERSON COUNTY | |
| 100 JEFFERSON CO PKWY | ||
| GOLDEN, CO 80419 | ||
| (303) 271-4850 | ||
| Manager: | ERICK DAHL | |
| 11755 AIRPORT WAY | ||
| BROOMFIELD, CO 80021 | ||
| (303) 271-4851 | ||
Other Remarks
- THIS AIRPORT HAS BEEN SURVEYED BY THE NATIONAL GEODETIC SURVEY.
- BIRDS & WILDLIFE ON & INVOF RWY.
- TWY C1 & D MKD WITH REFLECTORS.
- N TRML RAMP SLP EXCEEDS RCMDD STD.
- HEL ARR/DEP FM RWY & TWYS.
- ARFF INDEX B AVBL PPR - 720-352-0395
- PILOTS ARE REQUESTED TO AVOID FLIGHT DUE TO NESTING EAGLES: BLW 6500 FT MSL, BJC VOR 25 DEG RADIAL, 2.7 DME; OVER STANDLEY LAKE BLW 8000 FT MSL, BJC VOR 150 DEG RADIAL, 3.0 DME.
- NOISE ABATEMENT PROC IN EFCT - 303-271-4850.
- FLIGHT NOTIFICATION SERVICE (ADCUS) AVBL.
- 0LL 100LL SELF SVC.
- WHEN ATCT CLSD ACTVT MALSR RWY 30R; REIL RWY 12L, 12R & 30L; PAPI RWY 03, 12L, 12R, 21, 30L & 30R; MIRL RWY 03/21 & 12R/30L; HIRL RWY 12L/30R - CTAF.
Weather Minimums
Standard Terminal Arrival (STAR) Charts
- BRNKO FOUR (RNAV)

- BRNKO FOUR (RNAV), CONT.1

- BRNKO FOUR (RNAV), CONT.2

- DANDD ONE

- DANDD ONE, CONT.1

- DUNNN SIX (RNAV)

- DUNNN SIX (RNAV), CONT.1

- DUNNN SIX (RNAV), CONT.2

- LANDR THREE

- LANDR THREE, CONT.1

- LARKS THREE

- LARKS THREE, CONT.1

- PINNR THREE (RNAV)

- PINNR THREE (RNAV), CONT.1

- POWDR ONE

- POWDR ONE, CONT.1

- QUAIL ONE

- RAMMS EIGHT

- RAMMS EIGHT, CONT.1

- TOMSN NINE

- TOMSN NINE, CONT.1

Instrument Approach Procedure (IAP) Charts
Departure Procedure (DP) Charts
- DENVER THREE

- DENVER THREE, CONT.1

- ECHOO ONE (RNAV)

- ECHOO ONE (RNAV), CONT.1

- MRSHH TWO (RNAV)

- MRSHH TWO (RNAV), CONT.1

- PIKES THREE

- PIKES THREE, CONT.1

- PLAINS TWO

- PLAINS TWO, CONT.1

- ROCKIES SEVEN

- ROCKIES SEVEN, CONT.1

- SKYEE ONE (RNAV)

- SKYEE ONE (RNAV), CONT.1

- WNGSS ONE (RNAV)

- WNGSS ONE (RNAV), CONT.1

- YELLOWSTONE FIVE

- YELLOWSTONE FIVE, CONT.1

Nearby Airports with Instrument Procedures
| ID | Name | Heading / Distance | ||
|---|---|---|---|---|
![]() |
KEIK | Erie Municipal Airport | 027° | 6.9 |
![]() |
KLMO | Vance Brand Airport | 352° | 15.5 |
![]() |
KDEN | Denver International Airport | 097° | 20.7 |
![]() |
KBKF | Buckley Space Force Base Airport | 126° | 21.0 |
![]() |
KAPA | Centennial Airport | 148° | 23.8 |
![]() |
KCFO | Colorado Air and Space Port Airport | 105° | 27.8 |
![]() |
KFNL | Northern Colorado Regional Airport | 008° | 32.9 |
![]() |
KGNB | Granby-Grand County Airport | 286° | 38.4 |
![]() |
KGXY | Greeley-Weld County Airport | 034° | 38.7 |
![]() |
20V | Mc Elroy Airfield Airport | 278° | 58.4 |
![]() |
KFLY | Meadow Lake Airport | 156° | 63.3 |
![]() |
KFMM | Fort Morgan Municipal Airport | 066° | 65.6 |
















