Login
Register
BQK
Brunswick Golden Isles Airport
Official FAA Data Effective 2025-11-27 0901Z
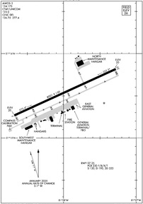
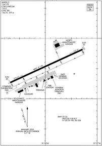
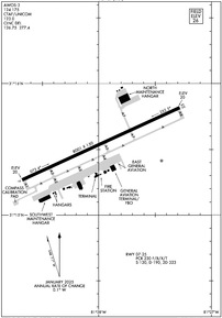
VFR Chart of KBQK
Sectional Charts at SkyVector.com
IFR Chart of KBQK
Enroute Charts at SkyVector.com
Location Information for KBQK
Coordinates: N31°15.54' / W81°27.98'Located 05 miles N of Brunswick, Georgia on 2003 acres of land. View all Airports in Georgia.
Surveyed Elevation is 25 feet MSL.
Operations Data
|
|
Airport Communications
| AWOS-3: | 124.175 Tel. 912-261-0531 |
|---|---|
| CTAF: | 123.000 |
| UNICOM: | 123.000 |
| AWOS-3PT at WX3 (0.2 W): | 124.175 |
| AWOS-3PT at SSI (7.5 SE): | 120.025 912-602-0972 |
| AWOS-3PT at JES (27.5 NW): | 118.125 912-427-0855 |
- APCH/DEP SVC PRVDD BY JACKSONVILLE ARTCC (ZJX) ON FREQS 126.75/277.4 (BRUNSWICK RCAG).
- CLNC DEL PRVDD BY JACKSONVILLE ARTCC (ZJX) ON FREQS 126.75/277.4 (BRUNSWICK RCAG).
Nearby Navigation Aids
|
| ||||||||||||||||||||||||||||||||||||||||||||||||||||||||||||
Runway 07/25
| Dimensions: | 8001 x 150 feet / 2439 x 46 meters 25 FT FULL STRENGTH SHOULDERS EACH SIDE. | |
|---|---|---|
| Surface: | Asphalt / Grooved in Good Condition | |
| Weight Limits: | S-120, D-190, ST-323
PCR VALUE: 230/F/B/X/T
| |
| Edge Lighting: | High Intensity | |
| Runway 07 | Runway 25 | |
| Coordinates: | N31°15.27' / W81°28.68' | N31°15.82' / W81°27.28' |
| Elevation: | 19.8 | 20.3 |
| Traffic Pattern: | Left | Left |
| Runway Heading: | 65° True | 245° True |
| Markings: | Precision Instrument in fair condition. | Precision Instrument in fair condition. |
| Glide Slope Indicator | P4L (3.00° Glide Path Angle) | P4L (3.00° Glide Path Angle) |
| Approach Lights: | MALSR 1,400 Foot Medium-intensity Approach Lighting System with runway alignment indicator lights. | |
| REIL: | Yes | |
Services Available
| Fuel: | 100LL (blue), Jet-A |
|---|---|
| Transient Storage: | Hangars,Tiedowns |
| Airframe Repair: | MAJOR |
| Engine Repair: | MAJOR |
| Bottled Oxygen: | NONE |
| Bulk Oxygen: | NONE |
| Other Services: | CARGO HANDLING SERVICES,CHARTER SERVICE,PILOT INSTRUCTION,AIRCRAFT RENTAL |
Ownership Information
| Ownership: | Publicly owned | |
|---|---|---|
| Owner: | GLYNN COUNTY AIRPORT COMMISSION | |
| 295 AVIATION PARKWAY SUITE 205 | ||
| BRUNSWICK, GA 31525 | ||
| (912) 265-2070 | ||
| Manager: | ROBERT J. BURR | |
| 295 AVIATION PKWY. SUITE 205 | ||
| BRUNSWICK, GA 31525 | ||
| 912-265-2070 | ||
Other Remarks
- BIRDS ON & IN VCNTY OF ARPT DURG HVY RAINS & HIGH NORTHEASTERLY WINDS.
- DEER ON & INVOF ARPT.
- USE CTN DUE TO CONGESTED ASP WITH TURBINE, NON-TURBINE AND TRAINING ACFT. KSSI LOCATED 7NM SE.
- ALL VFR ACFT ADHERE TO STD LH TFC PAT.
- ALL ARRIVALS AND DEP, INCLUDING ACFT FLYING INST APPROACHES, ARE REQSTD TO RPRT 10 MILES FROM THE AP, INTNS AND PSN REPORTS TO "BRUNSWICK" CTAF 123.00.
- ADDITIONAL APT SAFETY BULLETINS POSTED AT WWW.FLYGCAIRPORTS.COM/SAFETY.
- FOR CD CTC JACKSONVILLE ARTCC AT 904-845-1592.
- ACTVT MALSR RWY 07; REIL RWY 25; PAPI RWY 07 & 25; HIRL RWY 07/25 - CTAF.
Weather Minimums
Instrument Approach Procedure (IAP) Charts
Nearby Airports with Instrument Procedures
| ID | Name | Heading / Distance | ||
|---|---|---|---|---|
![]() |
KSSI | St Simons Island Airport | 148° | 7.5 |
![]() |
09J | Jekyll Island Airport | 169° | 11.2 |
![]() |
4J1 | Brantley County Airport | 262° | 22.8 |
![]() |
KJES | Jesup-Wayne County Airport | 309° | 27.7 |
![]() |
KLHW | Wright AAF (Fort Stewart)/Midcoast Regional Airport | 352° | 38.0 |
![]() |
KFHB | Fernandina Beach Municipal Airport | 179° | 38.7 |
![]() |
KJAX | Jacksonville International Airport | 194° | 47.2 |
![]() |
KAYS | Waycross-Ware County Airport | 269° | 47.8 |
![]() |
KSVN | Hunter AAF Airport | 019° | 47.9 |
![]() |
KNRB | Mayport Ns (Adm David L Mcdonald Field) Airport | 177° | 52.0 |
![]() |
KSAV | Savannah/Hilton Head International Airport | 014° | 53.7 |
![]() |
KBHC | Baxley Municipal Airport | 300° | 54.8 |







