Login
Register
BUR
Bob Hope Airport
Official FAA Data Effective 2026-02-19 0901Z
From the Flight Deck
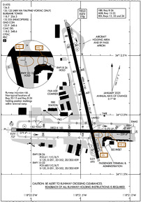
VFR Chart of KBUR
Sectional Charts at SkyVector.com
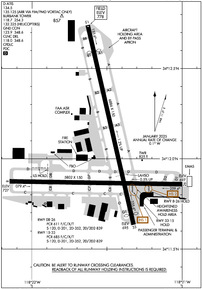
IFR Chart of KBUR
Enroute Charts at SkyVector.com
Location Information for KBUR
Coordinates: N34°12.04' / W118°21.52'Located 03 miles NW of Burbank, California on 555 acres of land. View all Airports in California.
Surveyed Elevation is 778 feet MSL.
Operations Data
|
|
Airport Communications
| D-ATIS: | 134.5 (818-843-6633) 135.125 ;ARR VIA FIM/PMD VORTAC ONLY (818-843-6633) |
|---|---|
| ASOS: | Tel. 818-841-1384 |
| BURBANK TOWER: | 118.7 132.325 ;HELICOPTERS 254.3 |
| BURBANK GROUND: | 123.9 348.6 |
| SOCAL APPROACH: | 120.4 ;VNY 280-BUR 050, NORTH 124.6 ;SOUTH BTN BUR 150-VNY 160 134.2 ;160-280 VNY, WEST 135.05 ;050-150 BUR 298.85 ;S BTN BUR 150-VNY 160 317.5 ;050-150 BUR 338.2 ;160-280 VNY WEST 360.6 ;VNY 280-BUR 050 NORTH |
| SOCAL DEPARTURE: | 120.4 ;VNY 280-BUR 050, NORTH 124.6 ;SOUTH BTN BUR 150-VNY 160 134.2 ;160-280 VNY, WEST 135.05 ;050-150 BUR 298.85 ;S BTN BUR 150-VNY 160 317.5 ;050-150 BUR 338.2 ;160-280 VNY WEST 360.6 ;VNY 280-BUR 050 NORTH |
| IC: | 120.4 ;VNY 280-BUR 050, NORTH 134.2 ;160-280 VNY, WEST 338.2 ;160-280 VNY WEST 360.6 ;VNY 280-BUR 050 NORTH |
| CLEARANCE DELIVERY: | 118.0 348.6 |
| CLASS C: | 120.4 ;VNY 280-BUR 050 124.6 ;SOUTH BTN BUR 150-VNY 160 134.2 ;160-280 VNY 135.05 ;050-150 BUR 298.85 ;S BTN BUR 150-VNY 160 317.5 ;050-150 BUR 338.2 ;160-280 VNY 360.6 ;VNY 280-BUR 050 |
| VVERA DP: | 124.6 298.85 |
| CLASS B: | 128.75 |
| OROSZ DP: | 124.6 298.85 |
| VAN NUYS DP: | 124.6 298.85 |
| LYNXX STAR: | 120.4 360.6 |
| UNICOM: | 122.950 |
| FERNANDO STAR: | 134.2 338.2 |
| THRNE STAR: | 126.7 370.95 |
| JANNY STAR: | 120.4 360.6 |
| WEESL STAR: | 120.4 360.6 |
| EMERG: | 121.5 243.0 |
| SLAPP DP: | 124.6 298.85 |
| ELMOO DP: | 135.05 317.5 |
| ROKKR STAR: | 128.75 381.55 |
| ATIS at WHP (4.4 NW): | 132.1 |
| AWOS-3PT at WHP (4.5 NW): | 132.1 818-899-9820 |
| ATIS at VNY (6.5 W): | 127.55 |
- SAID IN USE. OPERATE TRANSPONDERS WITH ALTITUDE REPORTING MODE AND ADS-B (IF EQUIPPED) ENABLED ON ALL AIRPORT SURFACES.
Nearby Navigation Aids
|
| ||||||||||||||||||||||||||||||||||||||||||
Runway 15/33
| Dimensions: | 6886 x 150 feet / 2099 x 46 meters | |
|---|---|---|
| Surface: | Asphalt-Concrete / Grooved in Excellent Condition | |
| Weight Limits: | S-120, D-201, ST-352, DT-839
PCR VALUE: 685/F/C/X/T
| |
| Edge Lighting: | Medium Intensity | |
| Runway 15 | Runway 33 | |
| Coordinates: | N34°12.74' / W118°21.63' | N34°11.63' / W118°21.32' |
| Elevation: | 778.0 | 694.5 |
| Traffic Pattern: | Right | Left |
| Runway Heading: | 167° True | 347° True |
| Displaced Threshold: | 909 Feet | 350 Feet |
| Declared Distances: | TORA:6885 TODA:6885 ASDA:6885 LDA:5976 | TORA:6885 TODA:6885 ASDA:6885 LDA:6535 |
| Markings: | Non-Precision Instrument in good condition. | Non-Precision Instrument in good condition. |
| Glide Slope Indicator | P4L (3.25° Glide Path Angle) UNUSBL BYD 5 DEGS LEFT OF CNTRLN. | P4L (3.20° Glide Path Angle) PAPI UNUSBL BYD 2 DEG RIGHT OF CNTRLN. |
| REIL: | Yes | Yes |
| Obstacles: | 30 ft Railroad 200 ft from runway, 250 ft left of center APCH RATIO 36:1 TO DSPLCD THR. +15 FT ROAD 100-200 FT FROM RY END; +14 FT BLAST FENCE; MULTIPLE LIGHT STANDARDS 15 FT FROM END OF RY. |
31 ft Pole 201 ft from runway, 240 ft right of center APCH RATIO 22:1 TO DSPLCD THR. +20 FT POLE 198 FT FROM RY THR; +14 FT BLAST FENCE AT THR. |
Runway 08/26
| Dimensions: | 5802 x 150 feet / 1768 x 46 meters | |
|---|---|---|
| Surface: | Asphalt-Concrete / Grooved in Excellent Condition | |
| Weight Limits: | S-120, D-201, ST-352, DT-839
PCR VALUE: 611/F/C/X/T
| |
| Edge Lighting: | High Intensity | |
| Runway 08 | Runway 26 | |
| Coordinates: | N34°11.87' / W118°22.15' | N34°11.86' / W118°21.00' |
| Elevation: | 727.4 | 697.3 |
| Traffic Pattern: | Right | Left |
| Runway Heading: | 91° True | 271° True |
| Declared Distances: | TORA:5801 TODA:5801 ASDA:5801 LDA:5801 | TORA:5801 TODA:5801 ASDA:5801 LDA:5801 |
| Markings: | Precision Instrument in good condition. | Non-Precision Instrument in good condition. |
| Glide Slope Indicator | P4L (3.00° Glide Path Angle) PAPI UNUSBL BYD 6.5 DEGS LEFT OF RWY CNTRLN. | |
| RVR Equipment | Touchdown | Rollout |
| Approach Lights: | MALSR 1,400 Foot Medium-intensity Approach Lighting System with runway alignment indicator lights. | |
| REIL: | Yes | |
| Obstacles: | 14 ft Road 300 ft from runway | 40 ft Pole 245 ft from runway, 410 ft right of center RWY 26 APCH RATIO 11:1 TO THR. +28' SIGN 90 FT FM RY THLD, +14 FT BLAST FENCE AT THLD. |
Services Available
| Fuel: | 100LL (blue), Jet-A, Jet A+, UL94 |
|---|---|
| Transient Storage: | Hangars |
| Airframe Repair: | MAJOR |
| Engine Repair: | MAJOR |
| Bottled Oxygen: | HIGH |
| Bulk Oxygen: | HIGH |
| Other Services: | AIR FREIGHT SERVICES,AVIONICS,CARGO HANDLING SERVICES,CHARTER SERVICE,PILOT INSTRUCTION,AIRCRAFT RENTAL,AIRCRAFT SALES |
Ownership Information
| Ownership: | Publicly owned | |
|---|---|---|
| Owner: | BURBANK-GLENDALE-PASADENA APT | |
| 2627 HOLLYWOOD WAY | ||
| BURBANK, CA 91505 | ||
| 818-840-8840 | ||
| Manager: | THOMAS HENDERSON, DIRECTOR OF OPS | |
| 2627 HOLLYWOOD WAY | ||
| BURBANK, CA 91505 | ||
| 818-840-8830 | ||
Other Remarks
- ACFT IN TFC PAT (1225 FT AGL) AT WHITEMAN AIRPARK 5 MI NW.
- HANG GLIDER ACTIVITY BTN 5 & 10 NM NORTH OF ARPT 6000 FT AGL SR-SS.
- TWY G RSTRD TO ACFT WITH WINGSPAN OF 95 FT OR LESS.
- POWER ENGINE RUN-UPS FOR ACFT GTR THAN 1200 LBS PROHIBITED IN ALL AREAS EXC ON TWY D RUN-UP AREA OR AS COORDINATED WITH ATCT.
- 14 FT BLAST FENCE 35 FT FM DEP END RY 15.
- 14 FT BLAST FENCE 93 FT FM DEP END RY 33.
- 8 FT BLAST FENCE 260 FT FM DEP END OF RY 26.
- 14 FT BLAST FENCE 256 FT FROM DEP END RY 08.
- TWY A RESTRICTED TO ACFT WITH WINGSPAN OF 171 FT OR LESS.
- PILOTS SHOULD CALL AHEAD FOR ARPT NOISE RULES (818) 840-8840.
- RSTRNS AND FINES EFF 2200-0700 FOR STAGE 2 JETS, CERTAIN PROPS, RUN-UPS AND FLT TRG ACT, CALL (818) 840-8840 BFR OPRG.
- TWY B RESTRICTED TO ACFT WITH WINGSPAN OF 79 FT OR LESS BEGINNING 300 FT NORTH OF TWY D AND CONTINUING NORTH.
- NO GA ACFT PARKING AT TERMINAL RAMP.
- TURBULENT CONDS NEAR ARPT AT TIMES OF HIGH WINDS FROM NORTH & EAST. DOWNDRAFTS/WINDSHEAR MAY OCCUR AT LIFTOFF OR ON FINAL.
- ACFT WILL USE EASY PWR WHEN LVG ASGND GATE. CTN MUST BE USED WHEN TAXIING FM TRML AREA DUE TO CLOSE PROXIMITY TO THE TRML. PSNL AND GND EQUIP IN AREA.
- ACFT WITH WINGSPAN GTR THAN 95 FT EXP BACK TAXI ON RWY 15/33 FOR A RWY 33 DEP.
- ACFT RSTRD FROM TAXIING SB PAST GATE B1 ON TRML RAMP.
- ACFT WITH WINGSPAN GTR THAN 79 FT RSTRD FROM USING TWY C W OF TWY C8.
- RWY 26 CLSD TO TKOF/JET ACFT WITH FOUR OR MORE ENGS.
- X-BLEED STARTS PROHIBITED IN ALL NON-MOVMT AREAS INCLG THE AIRLINE TRML RAMP. ATC MAY APV X-BLEED STARTS ON TWY A NORTH OF TWY D, ALL OTHER REQS MUST BE COORDD AND APVD BY OPS.
- WHEN KBUR LDG RWY 08 USE CTN FOR TCAS RA DUE TO ACFT IN KVNY RWY 16L/34R TFC PAT (TPA 1802 MSL).
- BIRD ACTIVITY NORTH END RY 15/33 AND WEST END RY 08/26.
- RWY 08 CLSD TKOF ACFT GTR THAN 12500 LBS.
- ENGINEERED MATERIAL ARRESTING SYSTEM (EMAS) 170 FT LENGTH BY 350 FT WIDTH LCTD AT THE DER 08.
Weather Minimums
Standard Terminal Arrival (STAR) Charts
Instrument Approach Procedure (IAP) Charts
Departure Procedure (DP) Charts
Nearby Airports with Instrument Procedures
| ID | Name | Heading / Distance | ||
|---|---|---|---|---|
![]() |
KWHP | Whiteman Airport | 322° | 4.4 |
![]() |
KVNY | Van Nuys Airport | 274° | 6.6 |
![]() |
KSMO | Santa Monica Municipal Airport | 202° | 12.0 |
![]() |
KLAX | Los Angeles International Airport | 189° | 15.7 |
![]() |
KHHR | Jack Northrop Field/Hawthorne Municipal Airport | 175° | 16.7 |
![]() |
KEMT | San Gabriel Valley Airport | 112° | 17.5 |
![]() |
KTOA | Zamperini Field Airport | 177° | 23.8 |
![]() |
KLGB | Long Beach (Daugherty Field) Airport | 155° | 25.1 |
![]() |
KFUL | Fullerton Municipal Airport | 136° | 27.3 |
![]() |
KSLI | Los Alamitos AAF Airport | 147° | 29.0 |
![]() |
KPMD | Palmdale Usaf Plant 42 Airport | 027° | 29.1 |
![]() |
KPOC | Brackett Field Airport | 102° | 29.5 |









