Login
Register
DAL
Dallas Love Field Airport
Official FAA Data Effective 2025-10-30 0901Z
VFR Chart of KDAL
Sectional Charts at SkyVector.com
IFR Chart of KDAL
Enroute Charts at SkyVector.com
Location Information for KDAL
Coordinates: N32°50.76' / W96°51.05'Located 05 miles NW of Dallas, Texas on 1300 acres of land. View all Airports in Texas.
Surveyed Elevation is 486 feet MSL.
Operations Data
|
|
Airport Communications
| D-ATIS: | 120.15 (214-358-5355) |
|---|---|
| ASOS: | Tel. 214-353-1551 |
| LOVE TOWER: | 118.7 123.7 239.3 |
| LOVE GROUND: | 121.75 348.6 |
| LONE STAR APPROACH: | 124.3 ;NORTH 125.2 ;SOUTH 282.275 ;NORTH 343.65 ;SOUTH |
| LONE STAR DEPARTURE: | 118.55 ;EAST 118.55 ;TURBOJETS 124.3 ;NORTH PROPS 125.125 ;SOUTH 125.125 ;TURBOJETS 125.2 ;SOUTH PROPS 282.275 ;NORTH PROPS 290.35 ;EAST 319.85 ;TURBOJETS 343.65 ;SOUTH PROPS |
| CLEARANCE DELIVERY: | 127.9 |
| CURLO RNAV DP: | 125.125 353.95 |
| KKITY RNAV DP: | 125.125 353.95 |
| EMERG: | 121.5 243.0 |
| WORTH DP: | 118.55 ;RWY 31L, 31R 125.125 ;RWY 13L, 13R 290.35 ;RWY 31L, 31R 353.95 ;RWY 13L, 13R |
| KRUMM DP: | 118.55 290.35 |
| TRI-GATE DP: | 125.2 ;SOUTH |
| CLASS B: | 124.3 ;340-090 125.2 ;091-180 282.275 ;340-090 343.65 ;091-180 |
| MNNDO STAR: | 125.025 125.2 263.025 343.65 |
| TEXOMA DP: | 118.55 290.35 |
| GARLAND DP: | 118.55 290.35 |
| DALLAS AREA DP: | 118.55 290.35 |
| LOVE DP: | 118.55 290.35 |
| DRYYE STAR: | 135.975 379.9 |
| HIBIL STAR: | 124.3 282.275 |
| RAMBL RNAV DP: | 290.35 |
| HERBZ STAR: | 118.1 306.95 |
| VENUS DP: | 125.125 353.95 |
| RAMBL DP: | 126.475 363.15 |
| BOTCH DP: | 124.3 ;RY 31L/R PROPS 125.2 ;RY 13L/R PROPS 282.275 ;RY 31L/R PROPS 343.65 ;RY 13L/R PROPS |
| JOE POOL DP: | 118.55 ;RWY 31L, 31R 125.125 ;RWY 13L, 13R 290.35 ;RWY 31L, 31R 353.95 ;RWY 13L, 13R |
| COYOTE DP: | 124.3 ;RWY 31L/R 125.2 ;RWY 13L/R 282.275 ;RWY31L/R 343.65 ;RWY 13L/R |
| ESNYE DP: | 118.55 290.35 |
| KUSSO DP: | 124.3 ;RWY 31L, 31R 125.2 ;RWY 13L, 13R 282.275 ;RWY 31L, 31R 343.65 ;RWY 13L, 13R |
| YEAGR STAR: | 125.2 343.65 |
| LNDRE RNAV DP: | 118.55 290.35 |
| KINGDOM DP: | 124.3 ;RWY 31L, 31R 125.2 ;RWY 13L, 13R 282.275 ;RWY 31L, 31R 343.65 ;RWY 13L, 13R |
| BACHMAN DP: | 118.55 290.35 |
| FINGR STAR: | 124.3 125.275 282.275 308.4 |
| SWTSR RNAV DP: | 118.55 290.35 |
| AWOS-3 at 49T (5.1 SE): | 135.425 214-670-1243 |
| AWOS-3PT at ADS (7.4 N): | 972-386-4855 |
| ATIS at ADS (7.4 N): | 133.4 |
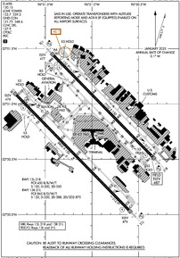
- SAID IN USE. OPERATE TRANSPONDERS WITH ALTITUDE REPORTING MODE AND ADS-B (IF EQUIPPED) ENABLED ON ALL AIRPORT SURFACES.
Nearby Navigation Aids
|
| ||||||||||||||||||||||||||||||||||||||||||||||||||||||||||||
Runway 13R/31L
| Dimensions: | 8800 x 150 feet / 2682 x 46 meters | |
|---|---|---|
| Surface: | Concrete / Grooved in Good Condition | |
| Weight Limits: | S-120, D-250, ST-388, DT-875
PCR VALUE: 865/R/D/W/T
| |
| Edge Lighting: | High Intensity | |
| Runway 13R | Runway 31L | |
| Coordinates: | N32°51.08' / W96°51.81' | N32°50.04' / W96°50.60' |
| Elevation: | 476.4 | 476.4 |
| Traffic Pattern: | Right | |
| Runway Heading: | 136° True | 316° True |
| Displaced Threshold: | 489 Feet | |
| Declared Distances: | TORA:8800 TODA:8800 ASDA:8800 LDA:8310 | TORA:8800 TODA:8800 ASDA:8000 LDA:8000 |
| Markings: | Precision Instrument in good condition. | Precision Instrument in good condition. |
| Glide Slope Indicator | P4R (3.00° Glide Path Angle) | P4L (3.08° Glide Path Angle) |
| RVR Equipment | Touchdown Midfield | Touchdown Midfield |
| Approach Lights: | MALSR 1,400 Foot Medium-intensity Approach Lighting System with runway alignment indicator lights. | |
| Centerline Lights: | Yes | Yes |
| Obstacles: | APCH SLOPE 50:1 FM DSPLCD THR. |
692 ft Building 21555 ft from runway, 2102 ft left of center |
Runway 13L/31R
| Dimensions: | 7752 x 150 feet / 2363 x 46 meters | |
|---|---|---|
| Surface: | Concrete / Grooved in Good Condition | |
| Weight Limits: | S-100, D-200, ST-350
PCR VALUE: 450/R/B/W/T
| |
| Edge Lighting: | High Intensity | |
| Runway 13L | Runway 31R | |
| Coordinates: | N32°51.44' / W96°51.41' | N32°50.52' / W96°50.35' |
| Elevation: | 476.9 | 486.9 |
| Traffic Pattern: | Left | Right |
| Runway Heading: | 136° True | 316° True |
| Displaced Threshold: | 399 Feet | |
| Declared Distances: | TORA:7752 TODA:7752 ASDA:7752 LDA:7352 | TORA:7752 TODA:7752 ASDA:6952 LDA:6952 |
| Markings: | Precision Instrument in good condition. | Precision Instrument in good condition. |
| Glide Slope Indicator | P4R (3.00° Glide Path Angle) | P4L (3.00° Glide Path Angle) |
| RVR Equipment | Touchdown Rollout | Touchdown Rollout |
| Approach Lights: | MALSR 1,400 Foot Medium-intensity Approach Lighting System with runway alignment indicator lights. | MALSR 1,400 Foot Medium-intensity Approach Lighting System with runway alignment indicator lights. |
| Centerline Lights: | Yes | Yes |
| Obstacles: | 30 ft Pole 1227 ft from runway, 628 ft right of center | |
Services Available
| Fuel: | 100LL (blue), Jet-A |
|---|---|
| Transient Storage: | Hangars,Tiedowns |
| Airframe Repair: | MAJOR |
| Engine Repair: | MAJOR |
| Bottled Oxygen: | HIGH/LOW |
| Bulk Oxygen: | HIGH/LOW |
| Other Services: | AIR AMBULANCE SERVICES,AVIONICS,CHARTER SERVICE,PILOT INSTRUCTION,AIRCRAFT RENTAL,AIRCRAFT SALES |
Ownership Information
| Ownership: | Publicly owned | |
|---|---|---|
| Owner: | CITY OF DALLAS | |
| CITY HALL | ||
| DALLAS, TX 75201 | ||
| 214-670-3011 | ||
| Manager: | PATRICK CARRENO | |
| DEPARTMENT OF AVIATION, 7555 LEMMON AVENUE | ||
| DALLAS, TX 75209 | ||
| 214-670-5683 | ||
Other Remarks
- TWY ALL CLSD TO ACFT WITH WINGSPAN 118 FT AND GTR EXC 1 HR PPR. 214-288-3069.
- LDG FEE APRT
- ACFT USING K RUNUP PAD BTN 0600-0000 MUST OBTAIN APVL FM ARPT OPNS CNTR 214-670-5683 PRIOR TO ENTERING.
- K RUNUP PAD CLSD 0000-0600.
- PILOTS CONDUCTING EFVS OPS; BE AWARE LED ALS IN USE RWY 31L & RWY 31R.
- NOISE SENSITIVE AREAS ALL QUADRANTS; NOISE ABATEMENT PROCEDURES IN EFFECT JET AND AIRCRAFT OVER 12,500 LBS USE RWY 13R/31L BETWEEN 2100-0600 LCL. FOR INFORMATION CALL 214-670-5683.
- BIRDS ON & INVOF ARPT. BIRD ACTIVITY TRINITY RIVER BOTTOM 3 MILES SW SIDE
- PVT PILOT CERT OR BTR RQRD TO TKOF OR LAND.
- NO STUDENT SOLO FLIGHTS PERMITTED.
- TWY K CLSD THRU TRAFFIC.
- PAEW ON ARPT.
Weather Minimums
Standard Terminal Arrival (STAR) Charts
Instrument Approach Procedure (IAP) Charts
- ILS OR LOC RWY 13L

- ILS OR LOC RWY 13R

- ILS OR LOC RWY 31L

- ILS OR LOC RWY 31R

- ILS RWY 13L (SA CAT I - II)

- ILS RWY 31R (SA CAT I - II)

- RNAV (RNP) W RWY 13L

- RNAV (RNP) W RWY 13R

- RNAV (RNP) X RWY 13L

- RNAV (RNP) X RWY 13R

- RNAV (RNP) Z RWY 31L

- RNAV (RNP) Z RWY 31R

- RNAV (GPS) Y RWY 13L

- RNAV (GPS) Y RWY 13R

- RNAV (GPS) Y RWY 31L

- RNAV (GPS) Y RWY 31R

- RNAV (GPS) Z RWY 13L

- RNAV (GPS) Z RWY 13R

Departure Procedure (DP) Charts
- BACHMAN ONE

- BACHMAN ONE, CONT.1

- BOTCH ONE (RNAV)

- BOTCH ONE (RNAV), CONT.1

- COYOTE FOUR

- COYOTE FOUR, CONT.1

- CURLO SIX (RNAV)

- CURLO SIX (RNAV), CONT.1

- DALLAS THREE

- DALLAS THREE, CONT.1

- EMMTT FOUR (RNAV)

- EMMTT FOUR (RNAV), CONT.1

- ESNYE SEVEN (RNAV)

- ESNYE SEVEN (RNAV), CONT.1

- GARLAND SIX

- GARLAND SIX, CONT.1

- JOE POOL EIGHT

- JOE POOL EIGHT, CONT.1

- KINGDOM FIVE

- KINGDOM FIVE, CONT.1

- KKITY FIVE (RNAV)

- KKITY FIVE (RNAV), CONT.1

- KRUMM ONE

- KRUMM ONE, CONT.1

- KUSSO ONE (RNAV)

- KUSSO ONE (RNAV), CONT.1

- LNDRE FIVE (RNAV)

- LNDRE FIVE (RNAV), CONT.1

- LOVE SEVEN

- LOVE SEVEN, CONT.1

- RAMBL SIX (RNAV)

- RAMBL SIX (RNAV), CONT.1

- SNSET FOUR (RNAV)

- SNSET FOUR (RNAV), CONT.1

- SWTSR SEVEN (RNAV)

- SWTSR SEVEN (RNAV), CONT.1

- TEXOMA FIVE

- TEXOMA FIVE, CONT.1

- TRINITY EIGHT

- VENUS FOUR

- VENUS FOUR, CONT.1

- WORTH ONE

- WORTH ONE, CONT.1

Nearby Airports with Instrument Procedures
| ID | Name | Heading / Distance | ||
|---|---|---|---|---|
![]() |
KADS | Addison Airport | 005° | 7.4 |
![]() |
KDFW | Dallas-Fort Worth International Airport | 288° | 9.9 |
![]() |
KRBD | Dallas Exec Airport | 185° | 9.9 |
![]() |
KGPM | Grand Prairie Municipal Airport | 228° | 13.3 |
![]() |
KGKY | Arlington Municipal Airport | 228° | 16.4 |
![]() |
KHQZ | Mesquite Metro Airport | 110° | 17.3 |
![]() |
KLNC | Lancaster Regional Airport | 157° | 17.4 |
![]() |
F46 | Ralph M Hall/Rockwall Municipal Airport | 076° | 21.6 |
![]() |
KJWY | Mid-Way Regional Airport | 187° | 23.4 |
![]() |
KTKI | Mckinney Ntl Airport | 033° | 23.8 |
![]() |
KAFW | Perot Field/Fort Worth Alliance Airport | 290° | 25.2 |
![]() |
KFTW | Fort Worth Meacham International Airport | 266° | 25.9 |











Comments
Runway closure
Monday, August 5th, Runway 13L/31R CLOSED for construction for approximately 85 days with an estimated reopening date of October 29th.
JM
Admin