Login
Register
RBD
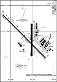
Dallas Exec Airport
Official FAA Data Effective 2025-11-27 0901Z
VFR Chart of KRBD
Sectional Charts at SkyVector.com
IFR Chart of KRBD
Enroute Charts at SkyVector.com
Location Information for KRBD
Coordinates: N32°40.88' / W96°52.13'Located 06 miles SW of Dallas, Texas on 1070 acres of land. View all Airports in Texas.
Estimated Elevation is 660 feet MSL.
Operations Data
|
|
Airport Communications
| ATIS: | 126.35 |
|---|---|
| ASOS: | Tel. 214-330-5317 |
| EXECUTIVE TOWER: | 127.25 |
| EXECUTIVE GROUND: | 119.475 |
| LONE STAR APPROACH: | 125.2 343.65 |
| LONE STAR DEPARTURE: | 125.2 343.65 |
| CLEARANCE DELIVERY: | 118.625 |
| YEAGR STAR: | 125.025 125.275 308.4 |
| REEKO STAR: | 125.2 343.65 |
| DODJE STAR: | 125.2 125.9 343.65 |
| EMERG: | 121.5 |
| JOE POOL DP: | 125.2 343.65 |
| NANDR RNAV DP: | 125.2 343.65 |
| FINGR STAR: | 124.3 125.275 282.275 308.4 |
| SWVAY STAR: | 135.975 379.9 |
| GARLAND DP: | 125.2 343.65 |
| BOTCH DP: | 125.2 343.65 |
| UNICOM: | 122.950 |
| DALLAS AREA DP: | 125.2 343.65 |
| GREGS STAR: | 118.1 306.95 |
| JFRYE STAR: | 118.1 306.95 |
| CTAF: | 127.250 |
| SLANT STAR: | 125.275 308.4 |
| AWOS-3 at 49T (6.5 NE): | 135.425 214-670-1243 |
| AWOS-3P at GPM (9.0 W): | 118.475 972-606-1433 |
| AWOS-3PT at LNC (9.9 SE): | 118.975 972-227-0471 |
Nearby Navigation Aids
|
| ||||||||||||||||||||||||||||||||||||||||||||||||||||||||||||
Runway 13/31
| Dimensions: | 7136 x 100 feet / 2175 x 30 meters | |
|---|---|---|
| Surface: | Concrete / Grooved in Excellent Condition | |
| Weight Limits: | S-40, D-90, ST-130 | |
| Edge Lighting: | Medium Intensity | |
| Runway 13 | Runway 31 | |
| Coordinates: | N32°41.32' / W96°52.68' | N32°40.49' / W96°51.70' |
| Elevation: | 653.4 | 646.9 |
| Traffic Pattern: | Left | Left |
| Runway Heading: | 135° True | 315° True |
| Displaced Threshold: | 1085 Feet | 500 Feet |
| Declared Distances: | TORA:6766 TODA:7136 ASDA:6622 LDA:5537 | TORA:6051 TODA:7136 ASDA:7101 LDA:6601 |
| Markings: | Non-Precision Instrument in good condition. | Precision Instrument in good condition. |
| Glide Slope Indicator | P4L (3.00° Glide Path Angle) | P4R (3.00° Glide Path Angle) |
| REIL: | Yes | Yes |
| Obstacles: | 42 ft Trees 201 ft from runway, 457 ft right of center APCH SLOPE 0:1 TO DSPLCD THLD OVR 20 FT TREES, 0 FT DSTC, 395 FT R. 25 FT TREES, 0-199 FT DSTC, 399 FT R. 15 FT CONC WALL, 0 FT DSTC, 385 L. |
7 ft Road 547 ft from runway, 513 ft right of center |
Runway 17/35
| Dimensions: | 3800 x 150 feet / 1158 x 46 meters | |
|---|---|---|
| Surface: | Concrete in Good Condition | |
| Weight Limits: | S-35, D-60, ST-110 | |
| Edge Lighting: | Medium Intensity | |
| Runway 17 | Runway 35 | |
| Coordinates: | N32°41.15' / W96°52.01' | N32°40.52' / W96°52.01' |
| Elevation: | 650.6 | 659.2 |
| Traffic Pattern: | Left | Left |
| Runway Heading: | 180° True | 0 |
| Markings: | Non-Precision Instrument in good condition. | Non-Precision Instrument in good condition. |
| Glide Slope Indicator | P4R (3.00° Glide Path Angle) | |
| REIL: | Yes | Yes |
| Obstacles: | 18 ft Trees 770 ft from runway, 800 ft right of center | |
Services Available
| Fuel: | 100LL (blue), Jet-A |
|---|---|
| Transient Storage: | Hangars,Tiedowns |
| Airframe Repair: | MAJOR |
| Engine Repair: | MAJOR |
| Bottled Oxygen: | NOT AVAILABLE |
| Bulk Oxygen: | HIGH/LOW |
| Other Services: | AVIONICS,CHARTER SERVICE,PILOT INSTRUCTION,AIRCRAFT RENTAL,AIRCRAFT SALES |
Ownership Information
| Ownership: | Publicly owned | |
|---|---|---|
| Owner: | CITY OF DALLAS | |
| 1500 MARILLA | ||
| DALLAS, TX 75201 | ||
| 214-670-7612 | ||
| Manager: | RAFAEL GARZA JR. | |
| 5303 CHALLENGER DR | ||
| DALLAS, TX 75237 | ||
| 214-670-7612 | ||
Other Remarks
- BIRDS & WILDLIFE ON & INVOF ARPT.
- 0LL FUEL AVBL 24 HR.
- WHEN ATCT CLSD MIRL RWYS 13/31& 17/35 PRESET LOW INTST; TO INCR INTST ACTVT - CTAF.
Weather Minimums
Standard Terminal Arrival (STAR) Charts
Instrument Approach Procedure (IAP) Charts
Departure Procedure (DP) Charts
- BOTCH ONE (RNAV)

- BOTCH ONE (RNAV), CONT.1

- DALLAS FOUR

- DALLAS FOUR, CONT.1

- GARLAND SIX

- GARLAND SIX, CONT.1

- JOE POOL EIGHT

- JOE POOL EIGHT, CONT.1

- KINGDOM FIVE

- KINGDOM FIVE, CONT.1

- KUSSO ONE (RNAV)

- KUSSO ONE (RNAV), CONT.1

- NANDR THREE (RNAV)

- NANDR THREE (RNAV), CONT.1

- TEXOMA FIVE

- TEXOMA FIVE, CONT.1

- WORTH ONE

- WORTH ONE, CONT.1

Nearby Airports with Instrument Procedures
| ID | Name | Heading / Distance | ||
|---|---|---|---|---|
![]() |
KGPM | Grand Prairie Municipal Airport | 276° | 9.1 |
![]() |
KLNC | Lancaster Regional Airport | 128° | 9.9 |
![]() |
KDAL | Dallas Love Field Airport | 005° | 9.9 |
![]() |
KGKY | Arlington Municipal Airport | 264° | 11.5 |
![]() |
KJWY | Mid-Way Regional Airport | 189° | 13.5 |
![]() |
KDFW | Dallas-Fort Worth International Airport | 326° | 15.5 |
![]() |
KADS | Addison Airport | 005° | 17.3 |
![]() |
KHQZ | Mesquite Metro Airport | 076° | 17.6 |
![]() |
KFWS | Fort Worth Spinks Airport | 252° | 23.3 |
![]() |
F41 | Ennis Municipal Airport | 153° | 23.5 |
![]() |
KFTW | Fort Worth Meacham International Airport | 288° | 26.3 |
![]() |
F46 | Ralph M Hall/Rockwall Municipal Airport | 055° | 26.5 |









