Login
Register
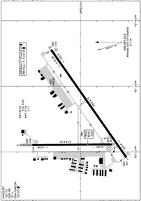
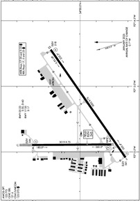
ORK
North Little Rock Municipal Airport
Official FAA Data Effective 2026-02-19 0901Z
VFR Chart of KORK
Sectional Charts at SkyVector.com
IFR Chart of KORK
Enroute Charts at SkyVector.com
Location Information for KORK
Coordinates: N34°49.99' / W92°15.25'Located 04 miles N of North Little Rock, Arkansas on 621 acres of land. View all Airports in Arkansas.
Surveyed Elevation is 545 feet MSL.
TPA FOR HELS 500 FT AGL, PROP ACFT 1000 FT AGL, TURBOPROP ACFT 1500 FT AGL
Operations Data
|
|
Airport Communications
| AWOS-3PT: | 123.775 Tel. 501-906-6529 |
|---|---|
| LITTLE ROCK APPROACH: | 119.5 306.2 |
| LITTLE ROCK DEPARTURE: | 119.5 306.2 |
| CLEARANCE DELIVERY: | 121.6 |
| UNICOM: | 123.075 |
| CTAF: | 123.075 |
| D-ATIS at LIT (6.4 S): | 125.65 |
| ASOS at LIT (6.4 S): | 501-376-0247 |
| ATIS at LRF (7.4 NE): | 251.1 |
Nearby Navigation Aids
|
| ||||||||||||||||||||||||||||||||||||||||||||||||||||||||||||
Runway 05/23
| Dimensions: | 5002 x 75 feet / 1525 x 23 meters | |
|---|---|---|
| Surface: | Concrete in Good Condition | |
| Weight Limits: | S-30, D-60 | |
| Edge Lighting: | Medium Intensity | |
| Runway 05 | Runway 23 | |
| Coordinates: | N34°49.71' / W92°15.54' | N34°50.19' / W92°14.72' |
| Elevation: | 541.2 | 518.0 |
| Traffic Pattern: | Right | |
| Runway Heading: | 55° True | 235° True |
| Markings: | Precision Instrument in good condition. | Non-Precision Instrument in good condition. |
| Glide Slope Indicator | P2R (3.00° Glide Path Angle) | P2L (3.00° Glide Path Angle) |
| REIL: | Yes | Yes |
| Obstacles: | 16 ft Trees 950 ft from runway, 100 ft right of center | |
Runway 17/35
| Dimensions: | 3019 x 75 feet / 920 x 23 meters | |
|---|---|---|
| Surface: | Asphalt in Fair Condition | |
| Weight Limits: | S-17 | |
| Edge Lighting: | Medium Intensity | |
| Runway 17 | Runway 35 | |
| Coordinates: | N34°50.30' / W92°15.45' | N34°49.80' / W92°15.44' |
| Elevation: | 544.1 | 541.1 |
| Traffic Pattern: | Right | Left CALM WIND PREFERRED TKOF/LNDG TO THE NORTH WHEN POSSIBLE. |
| Runway Heading: | 180° True | 360° True |
| Markings: | Non-Precision Instrument in fair condition. | Non-Precision Instrument in fair condition. |
| Glide Slope Indicator | P2L (3.00° Glide Path Angle) | P2L (3.00° Glide Path Angle) |
| REIL: | Yes | |
| Obstacles: | 12 ft Ground 200 ft from runway, 200 ft left of center +12 FT BERM 100 FT FM RY END 200 FT L & R OF CNTRLN EXTENDED INTO PRIMARY SFC. |
26 ft Trees 1100 ft from runway |
Services Available
| Fuel: | 100LL (blue), Jet-A |
|---|---|
| Transient Storage: | Tiedowns |
| Airframe Repair: | MAJOR |
| Engine Repair: | MAJOR |
| Bottled Oxygen: | NONE |
| Bulk Oxygen: | NONE |
| Other Services: | CHARTER SERVICE,PILOT INSTRUCTION,AIRCRAFT RENTAL,AIRCRAFT SALES |
Ownership Information
| Ownership: | Publicly owned | |
|---|---|---|
| Owner: | CITY OF NORTH LITTLE ROCK | |
| PO BOX 5757 | ||
| NORTH LITTLE ROCK, AR 72119 | ||
| 501-340-5302 | ||
| Manager: | VIRGINIA YOUNG | |
| 8240 REMOUNT ROAD | ||
| NORTH LITTLE ROCK, AR 72118 | ||
| 501-835-5654 | ||
Other Remarks
- FOR CD WHEN UNA VIA FREQ CTC LITTLE ROCK APCH 501-379-2908 OR LITTLE ROCK ATCT 501-379-2911
- RY 23 THLD NOT VISIBLE FM RY 17 THLD.
- DEER ON & INVOF ARPT.
- RY 17/35 500 FT BLAST PAD NORTH END.
- FOR ARPT ACCESS CALL 501-835-5654; 501-529-1051
- ULTRALIGHT ACTIVITY ON & INVOF ARPT.
- 0LL 100LL AVBL 24 HR SELF SERVICE WITH CREDIT CARD.
- ACTVT REIL RWYS 05, 23, 17; MIRL RWYS 05/23 & 17/35 - CTAF. PAPI RWYS 05, 23, 17 & 35 OPR CONSLY.
- TPA FOR HELS 500 FT AGL, PROP ACFT 1000 FT AGL, TURBOPROP ACFT 1500 FT AGL
Weather Minimums
Instrument Approach Procedure (IAP) Charts
Nearby Airports with Instrument Procedures
| ID | Name | Heading / Distance | ||
|---|---|---|---|---|
![]() |
KLIT | Bill and Hillary Clinton Ntl/Adams Field Airport | 166° | 6.4 |
![]() |
KLRF | Little Rock AFB Airport | 046° | 7.4 |
![]() |
KSUZ | Saline County Regional Airport | 217° | 18.3 |
![]() |
KCXW | Conway Regional Airport | 307° | 18.6 |
![]() |
4M3 | Carlisle Municipal Airport | 093° | 26.8 |
![]() |
KBDQ | Morrilton Municipal Airport | 308° | 29.0 |
![]() |
9M8 | Sheridan-Grant County Regional Airport | 189° | 30.7 |
![]() |
KSRC | Searcy Regional Airport | 048° | 34.0 |
![]() |
KSGT | Stuttgart Municipal Carl Humphrey Field Airport | 112° | 36.4 |
![]() |
KMPJ | Petit Jean Park Airport | 299° | 37.1 |
![]() |
M78 | Malvern Municipal Airport | 220° | 39.1 |
![]() |
KHBZ | Heber Springs Municipal Airport | 016° | 42.3 |








