Login
Register
POB
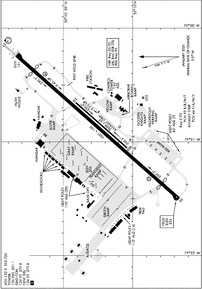
Pope AAF Airport
Official FAA Data Effective 2026-01-22 0901Z
VFR Chart of KPOB
Sectional Charts at SkyVector.com
IFR Chart of KPOB
Enroute Charts at SkyVector.com
Location Information for KPOB
Coordinates: N35°10.25' / W79°0.87'Located 12 miles NW of Fayetteville, North Carolina. View all Airports in North Carolina.
Estimated Elevation is 218 feet MSL.
TPA: OVERHEAD TFC PAT 1782 FT AGL/ 2000 FT MSL, RWY 23 ENTER 3 NM INITIAL; NO OVHD RWY 05.
Operations Data
|
|
Airport Communications
| D-ATIS: | 132.3 353.725 |
|---|---|
| POPE TOWER: | 135.025 236.6X 291.1 |
| POPE GROUND: | 124.55 275.8 |
| FAYETTEVILLE APPROACH: | 125.175 ;271-090 133.0 ;091-270 285.575 ;271-090 290.25 ;091-270 |
| FAYETTEVILLE DEPARTURE: | 125.175 ;271-090 133.0 ;091-270 285.575 ;271-090 290.25 ;091-270 |
| IC: | 133.0 ;091-270 290.25 ;091-270 |
| CLEARANCE DELIVERY: | 275.8 |
| PTD: | 139.3 372.2 |
| PMSV METRO: | 342.5 |
| EMERG: | 121.5 243.0 |
| CLASS C: | 125.175 ;271-090 133.0 ;091-270 285.575 ;271-090 290.25 ;091-270 |
| COMD POST: | 134.1X 257.1X 319.4 340.8 381.3 |
| ATIS at FBG (4.5 SE): | 139.25 |
| ATIS at FAY (12.6 SE): | 121.25 |
| ASOS at FAY (12.7 SE): | 121.25 910-484-1546 |
- ATIS BROADCASTS BIRD WATCH CONDS WHEN MODERATE TO SEVERE. ABSENCE OF THIS BROADCAST INDICATES LOW BIRD ACTVTY.
- (ATIS DESCRIPTION) TPA: DIGITAL-ATIS, DATA LINK ENABLED.
- DIGITAL ATIS, DATA LINK ENABLED.
Nearby Navigation Aids
|
| ||||||||||||||||||||||||||||||||||||||||||||||||||||||||||||
Runway 05/23
| Dimensions: | 7501 x 150 feet / 2286 x 46 meters | |
|---|---|---|
| Surface: | Concrete / Grooved in Good Condition | |
| Weight Limits: | 93 /R/B/W/T | |
| Edge Lighting: | High Intensity | |
| Runway 05 | Runway 23 | |
| Coordinates: | N35°9.79' / W79°1.37' | N35°10.72' / W79°0.37' |
| Elevation: | 217.6 | 190.7 |
| Traffic Pattern: | Left | Right |
| Runway Heading: | 41° True | 221° True |
| Declared Distances: | LDA:7501 | LDA:7501 |
| Markings: | Precision Instrument in good condition. | Precision Instrument in good condition. |
| Glide Slope Indicator | P4L (3.00° Glide Path Angle) | P4L (3.00° Glide Path Angle) |
| RVR Equipment | Touchdown | Touchdown |
| Approach Lights: | ALSF1 Standard 2,400 Foot High-intensity Approach Lighting System with sequenced flashers, CATEGORY I Configuration. | |
| REIL: | Yes | |
Runway 051/231
RWY 051/231 USED AS AN ASSAULT STRIP. | ||
| Dimensions: | 3000 x 60 feet / 914 x 18 meters | |
|---|---|---|
| Surface: | Asphalt | |
| Weight Limits: | 44 /F/A/W/T | |
| Edge Lighting: | Low Intensity | |
| Runway 051 | Runway 231 | |
| Traffic Pattern: | Right | Left |
| Markings: | Non-Precision Instrument in good condition. | Non-Precision Instrument in good condition. |
Services Available
| Fuel: | Jet-A, A++ |
|---|---|
| Transient Storage: | Hangars |
| Airframe Repair: | MINOR |
| Engine Repair: | MINOR |
| Bottled Oxygen: | NONE |
| Bulk Oxygen: | LOW |
| Other Services: | CARGO HANDLING SERVICES |
Ownership Information
| Ownership: | Owned by the Army | |
|---|---|---|
| Owner: | POPE AAF | |
| BASE OPERATIONS, 393 SURVEYUR ST BLDG 708 | ||
| FAYETTEVILLE, NC 28308 | ||
| 910-396-0011 | BASE OPERATIONS. | |
| Manager: | AIRFIELD MANAGEMENT | |
| POPE FIELD, 393 SURVEYUR ST BLDG 708 | ||
| FAYETTEVILLE, NC 28308 | ||
Other Remarks
- BEARING STRENGTH RWY 05-23: ST175; TDT760; TRT585.
- CAUTION: AFLD LGT INTMT BTN SS/SR DUE TO LCL NGT VISION TNG, NON-PARTICIPATING ACFT CTC TWR TO INCR INTS.
- CAUTION: ACFT SHOULD EXERCISE EXTREME CAUTION WHEN TAXIING ON GREEN, YELLOW AND RAMPS DUE TO WG TIP CLNC.
- TFC PAT: DEPART MAINTAIN 1500 FT OR BLO UNTIL DEPARTURE EOR. OVHD 2000 FT, RWY 23 ENTER 3 NM INITIAL, R BRK. NO OVHD RWY 05. RECTANGULAR 1500 FT. RWY 23 R TFC, RWY 05 L TFC.
- CSTMS/AG/IMG: CSTMS FOR NON-US ACTIVE DUTY PERS RQR 5 HR PN TO POPE AMCC DSN 424-9000 OR C910-394-9000.
- CSTMS/AG/IMG: CSTMS AND AG FOR ACTIVE DUTY PERSONNEL RQRS 3 HR PN TO AMCC DSN 424-9000 OR C910-394-9000.
- MISC: CLASS C AIRSPACE.
- MISC: RWY 05-23 GROOVED. ALL INBD ACFT CTC TWR. RWY DIST MKR NOT AVBL E SIDE OF RWY.
- MISC: ALL ACFT CARRYING EXPLOSIVE CARGO ARE RQR TO REPORT THE EXPLOSIVE AND NET EXPLOSIVE WT TO POPE AMCC ON INBD.
- MISC: NO COMSEC AVBL. TRAN AIRCREWS SHOULD PLAN TO ARR WITH APPROPRIATE AMOUNT OF COMSEC TO COMPLETE ENTIRE MSN.
- MISC: INBD/OUBD ACFT RQR IMT PACKAGES, CTC POPE AMCC.
- LGT: HIRL LCTD 16 FT FR RWY 05/23 EDGE.
- MISC: 24 HOUR PRIOR COORDINATION WITH AFLD MGMT RQR FOR USE OF ALTN PARKING LCTN. AFLD MGMT C910-394-6508, DSN 424-6508.
- PMSV METRO: AUTOMATED AN/FMQ-19 IN USE.
- PMSV METRO: FULL WX SVC AVBL MON-FRI 0600L/1100Z - 2200L/0300Z. CLOSED WEEKENDS AND FEDERAL HOLIDAYS UFN. IF A FLIGHT WEATHER BRIEFING IS REQUIRED WHEN THE WEATHER STATION IS CLOSED, CONTACT SIMMONS AAF WEATHER AT 910-396-7414.
- CAUTION: ALL TWY EDGE LGT AND RWY 05/23 EDGE AND APCH LGT EQUIPPED WITH NSTD LED FIXTURES. LED FIXTURES MAY NOT BE COMPATIBLE WITH ALL NVD OR ENHANCED FLIGHT VISION SYSTEMS.
- CAUTION: DENSE AIR TFC ALL QUAD, ALL ALT.
- CAUTION: ILS GS ANT 30 FT HI, 1111 FT FR APCH END AND 400 FT LEFT OF CNTRLN RWY 23.
- RSTD: REQ FOR PPR WILL BE TAKEN NO EARLIER THAN 3 DAYS PRIOR TO PLANNED MSN. CTC AMOPS DSN 424-6508/09/10 OR C910-394-6508/09/10. ALL INBD ACFT WITH VIP CTC POPE AMCC 30 MIN OUT. PPR EXC DV ACFT DSN 424-6508/09/10.
- RSTD: PARKING SPOT P-13 CLSD EXC FOR CONTINGENCY OPR.
- RSTD: TWY LEADING TO GOLDEN KNIGHTS RAMP CLSD TO USAF C130 AND LARGER ACFT DUE TO TWY WIDTH LESS THAN 75 FT.
- JASU: (A/M32A-86) 1(MA-1A).
- MISC: ALL ACFT OPR ON AMC MSN, INCL JA/ATT WILL COORD RQR/PARK WITH 43 AW/OSO DSN 424-7388 FAX EXTN 7380. ALL INBD ACFT OPR ON AMC MSN AND ALL ACFT RQRG IMT PACKAGES CTC POPE COMD POST.
- MISC: FIRST 1000 FT RWY 23 AND FIRST 300 FT RWY 05 ARE CONC. MID 6200 FT ASPHALT.
- MISC. STD USAF RSRS APPLIED EXC C-130 5000 FT DUR DAYTIME.
- MISC: STORAGE AVBL AT AFLD MGT UP TO AND INCL SECRET.
- MISC: OBSN POINT OBSTACLE 330 DEG - 090 DEG.
- FLUID: SP LPOX LOX.
- OIL: O-128-IN CAN ONLY; -133-148.
- RSTD: EFFECTIVE RWY 05-23 (BTN DISPL THLD) AVBL FOR TKOF AND LDG IS 7501 FT. DO NOT LAND PRIOR TO RWY THLD. DISPL THLD MAY BE USED FOR TKOF AND LDG ROLLOUT. OFFL TERPS END OF RWY FOR OBST PROTECTION IS MRK THLD. DO NOT USE OPPOSITE END DISPL THLD FOR TKOF COMPUTATIONS OR TKOF ROLL.
- RSTD: REQ FOR PPR WILL BE TAKEN NO EARLIER THAN 3 DAYS PRIOR TO PLANNED MSN. CTC AMOPS DSN 424-6508/09/10 OR C910-394-6508/09/10. PPR EFF +/- 3 HRS OF ASGN TIME.
- RSTD: CAT E APCH MIN UNAVBL DUE R5311 LCTD 2.5 NM DEP END RWY 23.
- TPA: OVERHEAD TFC PAT 1782 FT AGL/ 2000 FT MSL, RWY 23 ENTER 3 NM INITIAL; NO OVHD RWY 05.
Weather Minimums
Instrument Approach Procedure (IAP) Charts
Nearby Airports with Instrument Procedures
| ID | Name | Heading / Distance | ||
|---|---|---|---|---|
![]() |
5W4 | P K Airpark Airport | 223° | 12.5 |
![]() |
KFAY | Fayetteville Regional/Grannis Field Airport | 148° | 12.6 |
![]() |
KHRJ | Harnett Regional Jetport Airport | 047° | 18.7 |
![]() |
KSOP | Moore County Airport | 282° | 18.8 |
![]() |
KTTA | Raleigh Exec Jetport At Sanford-Lee County Airport | 350° | 25.0 |
![]() |
KMEB | Laurinburg/Maxton Airport | 217° | 28.5 |
![]() |
KLBT | Lumberton Regional Airport | 183° | 33.7 |
![]() |
KCTZ | Clinton-Sampson County Airport | 109° | 34.0 |
![]() |
KJNX | Johnston Regional Airport | 053° | 37.8 |
![]() |
KSCR | Siler City Municipal Airport | 323° | 40.0 |
![]() |
43A | Montgomery County Airport | 288° | 40.2 |
![]() |
KRCZ | Richmond County Airport | 245° | 40.4 |







