Login
Register
ROC
Frederick Douglass/Greater Rochester International Airport
Official FAA Data Effective 2026-04-16 0901Z
From the Flight Deck
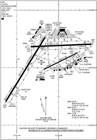
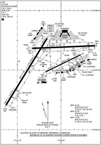
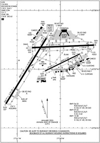
VFR Chart of KROC
Sectional Charts at SkyVector.com
IFR Chart of KROC
Enroute Charts at SkyVector.com
Location Information for KROC
Coordinates: N43°7.15' / W77°40.31'Located 03 miles SW of Rochester, New York on 1136 acres of land. View all Airports in New York.
Surveyed Elevation is 558 feet MSL.
TPA: 841 FT AGL SINGL ENG, 1441 FT AGL MULT ENG/TURBOPROP/JET.
Operations Data
|
|
Airport Communications
| ATIS: | 124.825 |
|---|---|
| ASOS: | 124.825 Tel. 585-205-7835 |
| ROCHESTER TOWER: | 118.3 254.3 |
| ROCHESTER GROUND: | 121.7 |
| ROCHESTER APPROACH: | 119.55 ;330-160 123.7 ;161-329 269.6 ;330-160 322.3 ;161-329 |
| ROCHESTER DEPARTURE: | 119.55 ;330-160 123.7 ;161-329 127.325 269.6 ;330-160 322.3 ;161-329 |
| IC: | 119.55 ;330-160 269.6 ;330-160 |
| CLEARANCE DELIVERY: | 118.8 343.65 |
| PRE TAXI CLNC: | 118.8 |
| UNICOM: | 122.950 |
| CLASS C: | 119.55 ;330-160 123.7 ;161-329 269.6 ;330-160 322.3 ;161-329 |
| EMERG: | 121.5 243.0 |
| AWOS-3P at IUA (20.0 SE): | 118.675 585-396-5861 |
| AWOS-3PT at GVQ (22.4 W): | 127.525 585-343-6369 |
| AWOS-3 at SDC (25.1 E): | 124.2 315-483-6171 |
Nearby Navigation Aids
|
| ||||||||||||||||||||||||||||||||||||||||||||||||||||||||||||
Runway 04/22
| Dimensions: | 8001 x 150 feet / 2439 x 46 meters | |
|---|---|---|
| Surface: | Asphalt / Grooved in Good Condition | |
| Weight Limits: | S-126, D-160, ST-265
PCR VALUE: 740/R/B/W/T
| |
| Edge Lighting: | High Intensity | |
| Runway 04 | Runway 22 | |
| Coordinates: | N43°6.41' / W77°41.26' | N43°7.53' / W77°40.32' |
| Elevation: | 527.4 | 558.9 |
| Traffic Pattern: | Left | Right |
| Runway Heading: | 32° True | 212° True |
| Declared Distances: | TORA:8001 TODA:8001 ASDA:8001 LDA:8001 | TORA:8001 TODA:8001 ASDA:8001 LDA:8001 |
| Markings: | Precision Instrument in good condition. | Precision Instrument in good condition. |
| Glide Slope Indicator | P4L (3.00° Glide Path Angle) | P4L (3.00° Glide Path Angle) |
| RVR Equipment | Touchdown Rollout | Touchdown Rollout |
| Approach Lights: | ALSF2 Standard 2,400 Foot High-intensity Approach Lighting System with sequenced flashers, CATEGORY II or III Configuration. | MALSR 1,400 Foot Medium-intensity Approach Lighting System with runway alignment indicator lights. |
| Centerline Lights: | Yes | Yes |
| Obstacles: | 89 ft Trees 3080 ft from runway, 760 ft right of center | 54 ft Tree 2080 ft from runway, 520 ft right of center |
Runway 10/28
| Dimensions: | 6402 x 150 feet / 1951 x 46 meters | |
|---|---|---|
| Surface: | Asphalt / Grooved in Good Condition | |
| Weight Limits: | S-126, D-160, ST-265
PCR VALUE: 1190/F/C/X/T
| |
| Edge Lighting: | High Intensity | |
| Runway 10 | Runway 28 | |
| Coordinates: | N43°7.37' / W77°40.66' | N43°7.41' / W77°39.22' |
| Elevation: | 554.9 | 541.4 |
| Traffic Pattern: | Right | Left |
| Runway Heading: | 88° True | 268° True |
| Displaced Threshold: | 298 Feet | 600 Feet |
| Declared Distances: | TORA:6402 TODA:6402 ASDA:5802 LDA:5502 | TORA:6402 TODA:6402 ASDA:6402 LDA:5802 |
| Markings: | Non-Precision Instrument in good condition. | Precision Instrument in good condition. |
| Glide Slope Indicator | P4L (3.00° Glide Path Angle) | P4L (3.00° Glide Path Angle) |
| RVR Equipment | Touchdown Rollout | Touchdown Rollout |
| Approach Lights: | MALSR 1,400 Foot Medium-intensity Approach Lighting System with runway alignment indicator lights. | |
| REIL: | Yes RY 10 REIL CONTROLLED BY ATCT BUT NOT MONITORED. | RY 10 REIL CONTROLLED BY ATCT BUT NOT MONITORED. |
| Obstacles: | 62 ft Trees 1330 ft from runway, 460 ft left of center RWY 10 APCH RATIO 26:1 TO DSPLCD THLD. |
68 ft Trees 1213 ft from runway, 663 ft right of center RWY 28 APCH RATIO 26:1 TO DSPLCD THLD. |
Runway 07/25
RWY 07/25 NOT AVBL FOR PART 121/PART 380 OPS WITH SKED PAX CARRYING OPS MORE THAN 9 PAX SEATS AND NON-SKED PAX CARRYING OPS MORE THAN 30 PAX SEATS. | ||
| Dimensions: | 4000 x 100 feet / 1219 x 30 meters | |
|---|---|---|
| Surface: | Asphalt in Excellent Condition | |
| Weight Limits: | 95 /F/C/X/T, S-32, D-42 | |
| Edge Lighting: | Medium Intensity | |
| Runway 07 | Runway 25 | |
| Coordinates: | N43°6.97' / W77°40.36' | N43°7.26' / W77°39.55' |
| Elevation: | 545.0 | 536.0 |
| Traffic Pattern: | Right | Left |
| Runway Heading: | 64° True | 244° True |
| Declared Distances: | TORA:4000 TODA:4000 ASDA:4000 LDA:4000 | TORA:4000 TODA:4000 ASDA:4000 LDA:4000 |
| Markings: | Non-Precision Instrument in good condition. | Non-Precision Instrument in good condition. |
| Glide Slope Indicator | P4R (3.00° Glide Path Angle) | |
| REIL: | Yes RY 07 REIL CONTROLLED BY ATCT BUT NOT MONITORED. | Yes RY 07 REIL CONTROLLED BY ATCT BUT NOT MONITORED. |
| Obstacles: | 58 ft Pole 1740 ft from runway, 320 ft right of center | 82 ft Tree 2720 ft from runway, 430 ft right of center |
Services Available
| Fuel: | 100LL (blue), Jet-A, J8 |
|---|---|
| Transient Storage: | Hangars,Tiedowns |
| Airframe Repair: | MAJOR |
| Engine Repair: | MAJOR |
| Bottled Oxygen: | HIGH/LOW |
| Bulk Oxygen: | HIGH/LOW |
| Other Services: | AVIONICS,CARGO HANDLING SERVICES,CHARTER SERVICE,PILOT INSTRUCTION,AIRCRAFT RENTAL,AIRCRAFT SALES,ANNUAL SURVEYING |
Ownership Information
| Ownership: | Publicly owned | |
|---|---|---|
| Owner: | COUNTY OF MONROE | |
| COUNTY OFFICE BLDG | ||
| ROCHESTER, NY 14614 | ||
| 585-753-7020 | ||
| Manager: | ANDREW MOORE | |
| 1200 BROOKS AVE | ||
| ROCHESTER, NY 14624 | ||
| 585-753-7056 | ||
Other Remarks
- NO PRACTICE APCHS OR MAINT ENG RUN-UPS BTN 2300-0600.
- MULTIPLE UNSHIELDED LGTS IN FINAL APCH AREA RY 28.
- TWY "A2" CLSD TO HEAVY ACFT.
- TWY "F" FROM TWY "F1" TO RY 07 CLSD TO ACFT W/WINGSPAN GREATER THAN 100 FT.
- PAPI RWY 22; PAPI RWY 10, RWY 25 AND RWY 28 OPERATE 24 HRS.
- TERMINAL RAMP IS UNCONTROLLED. DO NOT CALL FOR PUSH/POWER BACK. ADVISE GROUND CONTROL WHEN READY TO TAXI FOR DEPARTURE.
- BE ALERT DURG LNDG/TKOF RYS 25 & 28 - THLDS IN CLOSE PROXIMITY TO EACH OTHER.
- BIRDS; DEER & COYOTE ON & INVOF ARPT.
- 80 FT OBST LGTD TWR 1250 FT WEST OF RY 04/22 CNTRLN 1000 FT SOUTH OF EXTDD CNTRLN RY 10/28.
- FOR DOD ACFT.
- TPA: 841 FT AGL SINGL ENG, 1441 FT AGL MULT ENG/TURBOPROP/JET.
- ENGINEERED MATERIALS ARRESTING SYSTEM (EMAS) 368 FT IN LENGTH BY 160 FT IN WIDTH LCTD AT THE DER 28.
Weather Minimums
Instrument Approach Procedure (IAP) Charts
Departure Procedure (DP) Charts
Nearby Airports with Instrument Procedures
| ID | Name | Heading / Distance | ||
|---|---|---|---|---|
![]() |
7G0 | Ledgedale Airpark Airport | 289° | 11.3 |
![]() |
5G0 | Le Roy Airport | 234° | 14.2 |
![]() |
KIUA | Canandaigua Airport | 129° | 19.8 |
![]() |
KGVQ | Genesee County Airport | 256° | 22.5 |
![]() |
KSDC | Williamson/Sodus Airport | 073° | 25.2 |
![]() |
9G6 | Pine Hill Airport | 277° | 26.7 |
![]() |
KDSV | Dansville Municipal Airport | 183° | 33.0 |
![]() |
9G3 | Akron/Jesson Field Airport | 260° | 36.1 |
![]() |
KPEO | Penn Yan/Yates County Airport | 136° | 39.8 |
![]() |
0G7 | Finger Lakes Regional Airport | 109° | 41.7 |
![]() |
KBQR | Buffalo-Lancaster Regional Airport | 254° | 43.0 |
![]() |
KHTF | Hornell Municipal Airport | 180° | 44.2 |









Comments
Chart Supplement / NAV Aid Listing
PLEASE put the PDF link for the FAA NAV Aid listing back on the left side of these airport location information pages. I noticed last week that it is no longer there on airport listings, just the airport diagram, IFR chart, etc.. We use this all the time and it was nice to have right there, rather than having to goto the FAA site for it. Thank You!