Login
Register
SLC
Salt Lake City International Airport
Official FAA Data Effective 2026-02-19 0901Z
From the Flight Deck
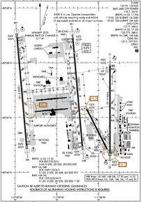
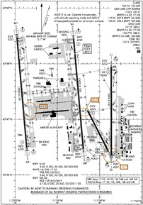
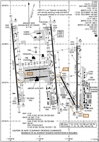
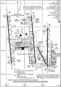
VFR Chart of KSLC
Sectional Charts at SkyVector.com
IFR Chart of KSLC
Enroute Charts at SkyVector.com
Location Information for KSLC
Coordinates: N40°47.30' / W111°58.67'Located 03 miles W of Salt Lake City, Utah on 7700 acres of land. View all Airports in Utah.
Surveyed Elevation is 4230 feet MSL.
Operations Data
|
|
Airport Communications
| D-ATIS: | 124.75 (801-325-9749) 125.625 (801-325-9749) |
|---|---|
| ASOS: | 125.625 Tel. 801-899-0709 |
| SALT LAKE CITY TOWER: | 118.3 ;RWY 14/32, 17/35 119.05 ;RWY 16L/34R 132.65 ;RWY 16R/34L 257.8 ;RWY 14/32, 16L/34R, 17/35 336.4 ;RWY 16R/34L |
| SALT LAKE CITY GROUND: | 121.9 ;RWY 14/32, 17/35 123.775 ;RWY 16L/34R, 16R/34L 348.6 |
| SALT LAKE CITY APPROACH: | 120.9 ;SOUTH OF 41 DEG LAT BLW 8000 FT 121.1 ;NORTH OF 41 DEG LAT BLW 8000 FT 124.9 ;300-340 ABV 8000 FT 125.7 126.25 128.1 ;160-250 ABV 8000 FT 128.6 ;110-160 TCH ABV 8,000 FT 135.5 ;340-110 ABV 8000 FT. 233.7 257.2 269.625 284.6 290.3 ;300-340 TCH ABV 8000 FT 307.05 319.25 322.3 ;110-160 TCH ABV 8000 FT 353.6 353.825 ;250-300 ABV 8000 FT |
| SALT LAKE CITY DEPARTURE: | 127.3 120.9 ;SOUTH OF 41 DEG LAT BLW 8000 FT 121.1 ;NORTH OF 41 DEG LAT BLW 8000 FT 125.7 126.25 126.25 ;250-300 ABV 8000 FT 128.1 ;160-250 ABV 8000 FT 128.6 ;110-160 TCH ABV 8,000 FT 135.5 ;340-110 ABV 8000 FT. 233.7 284.6 307.05 316.15 319.25 322.3 ;110-160 TCH ABV 8000 FT 353.6 353.825 ;250-300 ABV 8000 FT |
| IC: | 125.7 284.6 |
| CLEARANCE DELIVERY: | 127.3 127.3 379.975 |
| BONNEVILLE STAR: | 128.6 |
| BRIGHAM CITY STAR: | 124.9 290.3 |
| DEZRT DP: | 316.15 |
| BEARR STAR: | 124.9 290.3 |
| SPANE STAR: | 128.6 322.3 |
| CGULL DP: | 135.5 316.15 |
| EMERG: | 121.5 243.0 |
| SKEES RNAV STAR: | 124.9 290.3 |
| PITTT STAR: | 128.1 307.05 |
| ZIONZ RNAV DP: | 128.6 |
| RUGGD DP: | 135.5 316.15 |
| ANG COMD POST: | 303.15 311.0 |
| PRECLNC: | 127.3 |
| SEVYR DP: | 128.1 307.05 |
| CARTR STAR: | 124.9 351.675 |
| YUTES STAR: | 128.1 307.05 |
| ZIONZ DP: | 322.3 |
| DZERT DP: | 135.5 |
| CLASS B: | 120.9 ;SOUTH OF 41 DEG LAT 121.1 ;NORTH OF 41 DEG LAT 257.2 ;SOUTH OF 41 DEG LAT 319.25 ;NORTH OF 41 DEG LAT |
| QWENN RNAV STAR: | 128.6 322.3 |
| UNICOM: | 122.950 |
| FINAL: | 125.7 284.6 |
| PRE TAXI CLNC: | 127.3 |
| SALT LAKE DP: | 128.6 322.3 |
| JAZZZ STAR: | 128.6 322.3 |
| FAIRFIELD DP: | 128.6 322.3 |
| ARCHZ DP: | 128.1 307.05 |
| JAMMN STAR: | 128.1 307.05 |
| AWOS-3PT at SVR (10.2 S): | 134.425 801-562-0271 |
| AWOS-3PT at TVY (20.1 SW): | 119.725 435-882-6648 |
| ATIS at HIF (20.1 N): | 134.925 |
- ASDE-X IN USE. OPERATE TRANSPONDERS WITH ALTITUDE REPORTING MODE AND ADS-B (IF EQUIPPED) ENABLED ON ALL AIRPORT SURFACES.
- ANG.
Nearby Navigation Aids
|
| ||||||||||||||||||||||||||||||||||||
Runway 16L/34R
| Dimensions: | 12002 x 150 feet / 3658 x 46 meters | |
|---|---|---|
| Surface: | Asphalt / Grooved in Good Condition | |
| Weight Limits: | S-120, D-250, ST-458, DT-977
PCR VALUE: 1069/F/D/X/T
| |
| Edge Lighting: | High Intensity | |
| Runway 16L | Runway 34R | |
| Coordinates: | N40°48.45' / W111°58.62' | N40°46.48' / W111°58.39' |
| Elevation: | 4229.1 | 4224.3 |
| Traffic Pattern: | Left | Left |
| Runway Heading: | 175° True | 355° True |
| Declared Distances: | TORA:12002 TODA:12002 ASDA:12002 LDA:12002 | TORA:12002 TODA:12002 ASDA:12002 LDA:12002 |
| Markings: | Precision Instrument in good condition. | Precision Instrument in good condition. |
| Glide Slope Indicator | P4L (3.00° Glide Path Angle) | P4L (3.00° Glide Path Angle) |
| RVR Equipment | Touchdown Midfield Rollout | Touchdown Midfield Rollout |
| Approach Lights: | ALSF2 Standard 2,400 Foot High-intensity Approach Lighting System with sequenced flashers, CATEGORY II or III Configuration. | ALSF2 Standard 2,400 Foot High-intensity Approach Lighting System with sequenced flashers, CATEGORY II or III Configuration. |
| Centerline Lights: | Yes | Yes |
Runway 16R/34L
| Dimensions: | 12000 x 150 feet / 3658 x 46 meters | |
|---|---|---|
| Surface: | Concrete / Grooved in Good Condition | |
| Weight Limits: | S-120, D-250, ST-550, DT-1120
PCR VALUE: 1370/R/D/W/T
| |
| Edge Lighting: | High Intensity | |
| Runway 16R | Runway 34L | |
| Coordinates: | N40°48.47' / W111°59.96' | N40°46.50' / W111°59.73' |
| Elevation: | 4223.4 | 4228.8 |
| Runway Heading: | 175° True | 355° True |
| Declared Distances: | TORA:12000 TODA:12000 ASDA:12000 LDA:12000 | TORA:12000 TODA:12000 ASDA:12000 LDA:12000 |
| Markings: | Precision Instrument in good condition. | Precision Instrument in good condition. |
| Glide Slope Indicator | P4L (3.00° Glide Path Angle) | P4L (3.00° Glide Path Angle) |
| RVR Equipment | Touchdown Midfield Rollout | Touchdown Midfield Rollout |
| Approach Lights: | ALSF2 Standard 2,400 Foot High-intensity Approach Lighting System with sequenced flashers, CATEGORY II or III Configuration. | ALSF2 Standard 2,400 Foot High-intensity Approach Lighting System with sequenced flashers, CATEGORY II or III Configuration. |
| Centerline Lights: | Yes | Yes |
Runway 17/35
| Dimensions: | 9596 x 150 feet / 2925 x 46 meters | |
|---|---|---|
| Surface: | Asphalt / Grooved in Good Condition | |
| Weight Limits: | S-60, D-200, ST-350, DT-850
PCR VALUE: 900/F/D/X/U
| |
| Edge Lighting: | High Intensity | |
| Runway 17 | Runway 35 | |
| Coordinates: | N40°47.94' / W111°57.72' | N40°46.36' / W111°57.72' |
| Elevation: | 4221.7 | 4226.8 |
| Traffic Pattern: | Left | Left |
| Runway Heading: | 180° True | 360° True |
| Displaced Threshold: | 324 Feet | |
| Declared Distances: | TORA:9596 TODA:9596 ASDA:9596 LDA:9596 | TORA:9596 TODA:9596 ASDA:9596 LDA:9272 |
| Markings: | Precision Instrument in good condition. | Precision Instrument in good condition. |
| Glide Slope Indicator | P4R (3.00° Glide Path Angle) | P4L (3.00° Glide Path Angle) |
| RVR Equipment | Touchdown Rollout | Touchdown Rollout |
| Approach Lights: | MALSR 1,400 Foot Medium-intensity Approach Lighting System with runway alignment indicator lights. | MALSR 1,400 Foot Medium-intensity Approach Lighting System with runway alignment indicator lights. |
| Centerline Lights: | Yes | Yes |
| Obstacles: | 24 ft Antenna 1005 ft from runway, 250 ft left of center HAS 24 FT ANT 1005 FT, 250 FT, 50:1 SLOPE TO DTHR. |
|
Runway 14/32
RWY 14/32 CLSD BLW 1200 FT RVR. | ||
| Dimensions: | 4893 x 150 feet / 1491 x 46 meters | |
|---|---|---|
| Surface: | Asphalt / Grooved in Good Condition | |
| Weight Limits: | S-60, D-200, ST-350, DT-850
PCR VALUE: 900/F/D/X/U
| |
| Edge Lighting: | High Intensity | |
| Runway 14 | Runway 32 | |
| Coordinates: | N40°47.14' / W111°58.27' | N40°46.43' / W111°57.79' |
| Elevation: | 4224.7 | 4226.8 |
| Traffic Pattern: | Left | Left |
| Runway Heading: | 153° True | 333° True |
| Declared Distances: | TORA:4893 TODA:4893 ASDA:4893 LDA:4893 | TORA:4893 TODA:4893 ASDA:4893 LDA:4893 |
| Markings: | Basic in good condition. | Basic in good condition. |
| Glide Slope Indicator | P4L (3.00° Glide Path Angle) | P4L (3.00° Glide Path Angle) |
Runway HB
LIGHTED POLE 51 FT AGL 383 FT ESE OF HELIPAD B. | ||
| Dimensions: | 60 x 60 feet / 18 x 18 meters | |
|---|---|---|
| Surface: | Asphalt in Good Condition | |
| Edge Lighting: | Perimeter | |
| Coordinates: | N40°46.45' / W111°57.40' | N0°0.00' / E0°0.00' |
| Elevation: | 4220.4 | |
| Markings: | Basic in fair condition. | |
Runway HF
| Dimensions: | 60 x 60 feet / 18 x 18 meters | |
|---|---|---|
| Surface: | Asphalt in Good Condition | |
| Edge Lighting: | Perimeter | |
| Coordinates: | N40°46.94' / W111°57.56' | N0°0.00' / E0°0.00' |
| Elevation: | 4220.0 | |
| Markings: | Basic in fair condition. | |
Services Available
| Fuel: | 100LL (blue), A++, Jet A-1+ |
|---|---|
| Transient Storage: | Hangars,Tiedowns |
| Airframe Repair: | MAJOR |
| Engine Repair: | MAJOR |
| Bottled Oxygen: | HIGH/LOW |
| Bulk Oxygen: | HIGH/LOW |
| Other Services: | AIR FREIGHT SERVICES,AIR AMBULANCE SERVICES,AVIONICS,CARGO HANDLING SERVICES,CHARTER SERVICE,PILOT INSTRUCTION,AIRCRAFT RENTAL,AIRCRAFT SALES |
Ownership Information
| Ownership: | Publicly owned | |
|---|---|---|
| Owner: | SALT LAKE CITY | |
| CITY AND COUNTY BLDG | ||
| SALT LAKE CITY, UT 84101 | ||
| 801-575-2460 | ||
| Manager: | MATTHEW BROWN | |
| P.O. BOX 145550 | ||
| SALT LAKE CITY, UT 84114-5550 | ||
| 801-575-2460 | ||
Other Remarks
- SURFACE MOVEMENT GUIDANCE CONTROL SYSTEM & LOW VISIBILITY TAXI PROCEDURES.
- DUE TO TFC VOL, LCL DEPARTURE AND ARR OPNS ARE DISCOURAGED AND DLAS CAN BE EXPCD BTN 1500-1730Z++ AND 0130-0300Z++.
- SVFR IS NOT RCMD AT THE ARPT, IF REQD, EXPT DLAS.
- MILITARY: ANG RAMP: OPR 1430-2230Z++ MON-THU. CLSD FRI-SUN AND HOL. OFFL BUS ONLY. PPR REQ 48 HR ALL ACFT, VALID 1 HR +/- ETA. TRAN PRK/SVC EXTREMELY LTD. BASE OPS DSN 245-2274, C801-245-2274. MIL ALT HILL AFB (KHIF) 25 NM N. ALL ACFT CTC HIVE CTL (COMD POST) 20 MIN OUT WITH ETA AND REQ.
- MILITARY: ANG RAMP: ALL ACFT CTC HIVE CONTROL WITH LDG & DEP TIMES. COMD POST DSN: 245-2416/2417; C801-245-2416/2417. PHASE II WILDLIFE ACT DURING MIGRATION/MORNING/EVENING HRS FR OCT-APR. CTC HIVE CTL FOR CURRENT BIRD-WATCH COND.
- SEE FLIP AP/1 SUPPLEMENTARY ARPT INFO.
- MILITARY: COMMUNICATIONS: ANG COMD POST - CALL UTAH CONTROL.
- USE CAUTION FOR EXTENSIVE PARAGLIDING OPS INVOF POINT OF THE MOUNTAIN.
- SEE CURRENT NOTAMS FOR DATES AND ADDITIONAL INFO.
- FLOCK OF BIRDS ON AND IN VICINITY OF ARPT.
- TWY G RSTD TO WINGSPANS LESS THAN 171 FT BTWN TWY G2 AND G3.
- USE MINIMUM THRUST IN CONSTRUCTION AREAS.
- CONTACT GROUND ON 123.775 BEFORE TAXIING OUT OF NORTH CARGO.
- MILITARY: ANG RAMP: NSTD PAVEMENT MARK ON RAMP.
- TWY K RSTRD TO ACFT WITH WINGSPAN LESS THAN 171 FT.
- HELIPADS B AND F LOCATED ON GENERAL AVIATION APRONS.
- TWY F BTN TWY F2 & TWY F3 NORTH SIDE SAFETY AREA NOT STD.
- TWY F BTN TWY F5 AND TWY G CLSD TO ACFT WINGSPAN MORE THAN 171 FT.
- APRON DEICE PAD FOR TWY L SOUTH OF DEICE SPOT 7L CLSD TO ACFT WINGSPAN MORE 171 FT.
- ACR APN ACES NR 14 CLSD TO ACFT WINGSPAN MORE THAN 171 FT.
- ACR APN ACES NR 12 CLSD TO ACFT WINGSPAN MORE THAN 171 FT.
- ACR APN ACES NR 10 CLSD TO ACFT WINGSPAN MORE THAN 171 FT.
- TXL 3 EAST/3 WEST CLSD TO ACFT WINGSPAN MORE THAN 171 FT.
- + MIL.
Weather Minimums
Standard Terminal Arrival (STAR) Charts
- BEARR FIVE

- BEARR FIVE, CONT.1

- BONNEVILLE TWO

- BRIGHAM CITY FIVE

- BRIGHAM CITY FIVE, CONT.1

- CARTR ONE (RNAV)

- CARTR ONE (RNAV), CONT.1

- JAMMN FIVE

- JAMMN FIVE, CONT.1

- JAZZZ ONE (RNAV)

- PITTT ONE (RNAV)

- PITTT ONE (RNAV), CONT.1

- QWENN SIX (RNAV)

- SKEES SIX (RNAV)

- SKEES SIX (RNAV), CONT.1

- SPANE EIGHT

- YUTES ONE (RNAV)

Instrument Approach Procedure (IAP) Charts
- ILS OR LOC RWY 16L

- ILS OR LOC RWY 16R

- ILS OR LOC RWY 17

- ILS OR LOC RWY 34L

- ILS OR LOC RWY 34R

- ILS RWY 16R (SA CAT I)

- ILS RWY 34L (SA CAT I)

- ILS RWY 34R (SA CAT I)

- ILS RWY 17 (SA CAT I - II)

- ILS RWY 16L (CAT II - III)

- ILS RWY 16R (CAT II - III)

- ILS RWY 34L (CAT II - III)

- ILS RWY 34R (CAT II - III)

- RNAV (RNP) Z RWY 16L

- RNAV (RNP) Z RWY 16R

- RNAV (RNP) Z RWY 17

- RNAV (RNP) Z RWY 34L

- RNAV (RNP) Z RWY 34R

- RNAV (RNP) Z RWY 35

- RNAV (GPS) Y RWY 16L

- RNAV (GPS) Y RWY 16R

- RNAV (GPS) Y RWY 17

- RNAV (GPS) Y RWY 34L

- RNAV (GPS) Y RWY 34R

- RNAV (GPS) Y RWY 35

- LDA RWY 35

Departure Procedure (DP) Charts
Nearby Airports with Instrument Procedures
| ID | Name | Heading / Distance | ||
|---|---|---|---|---|
![]() |
KTVY | Bolinder Field/Tooele Valley Airport | 238° | 20.0 |
![]() |
KHIF | Hill AFB Airport | 000° | 20.1 |
![]() |
KOGD | Ogden-Hinckley Airport | 356° | 24.4 |
![]() |
KHCR | Heber Valley Airport | 126° | 31.1 |
![]() |
KPVU | Provo Municipal Airport | 161° | 36.1 |
![]() |
KSPK | Spanish Fork Municipal/Woodhouse Field Airport | 159° | 41.1 |
![]() |
KBMC | Brigham City Regional Airport | 355° | 46.1 |
![]() |
KEVW | Evanston-Uinta County Burns Field Airport | 055° | 51.8 |
![]() |
KLGU | Logan-Cache Airport | 005° | 60.4 |
![]() |
U14 | Nephi Municipal Airport | 175° | 63.3 |
![]() |
KFBR | Fort Bridger Airport | 062° | 80.0 |
![]() |
KDTA | Delta Municipal Airport | 196° | 87.7 |






Comments
Monarch Air Group provides
Monarch Air Group provides private jet charter to Salt Lake City. Salt Lake City International Airport (SLC, KSLC) is four miles west of downtown Salt Lake City. It is a major public airport that serves charter jets to and from Salt Lake City.