Login
Register
SYR
Syracuse Hancock International Airport
Official FAA Data Effective 2026-04-16 0901Z
From the Flight Deck
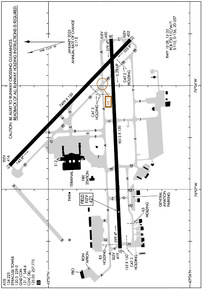
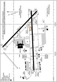
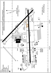
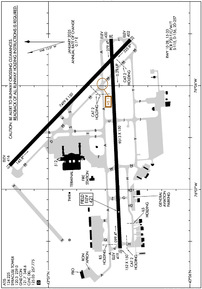
VFR Chart of KSYR
Sectional Charts at SkyVector.com
IFR Chart of KSYR
Enroute Charts at SkyVector.com
Location Information for KSYR
Coordinates: N43°6.67' / W76°6.38'Located 04 miles NE of Syracuse, New York on 2000 acres of land. View all Airports in New York.
Surveyed Elevation is 421 feet MSL.
Operations Data
|
|
Airport Communications
| ATIS: | 124.225 (315-455-3444) |
|---|---|
| ASOS: | Tel. 315-526-3244 |
| SYRACUSE TOWER: | 120.3 239.0 |
| SYRACUSE GROUND: | 121.7 348.6 |
| SYRACUSE APPROACH: | 126.125 134.275 269.125 279.6 |
| SYRACUSE DEPARTURE: | 126.125 134.275 269.125 279.6 |
| IC: | 126.125 269.125 |
| CLEARANCE DELIVERY: | 125.05 257.775 |
| AR OPS: | 245.3 |
| UNICOM: | 122.950 |
| CLASS C: | 126.125 269.125 |
| EMERG: | 121.5 243.0 |
| ANG OPS: | 379.5 |
| ASOS at FZY (18.8 NW): | 119.275 315-598-8773 |
| AWOS-3P at 6B9 (18.9 SW): | 120.125 315-685-5790 |
| AWOS-3P at VGC (28.8 SE): | 119.425 315-824-1825 |
Nearby Navigation Aids
|
| ||||||||||||||||||||||||||||||||||||||||||||||||
Runway 10/28
| Dimensions: | 9013 x 150 feet / 2747 x 46 meters | |
|---|---|---|
| Surface: | Asphalt / Grooved in Excellent Condition | |
| Weight Limits: | S-115, D-156, ST-257
PCR VALUE: 730/F/C/W/T
| |
| Edge Lighting: | High Intensity | |
| Runway 10 | Runway 28 | |
| Coordinates: | N43°6.49' / W76°7.57' | N43°6.56' / W76°5.55' |
| Elevation: | 419.0 | 399.9 |
| Traffic Pattern: | Left | Left |
| Runway Heading: | 87° True | 267° True |
| Declared Distances: | TORA:9013 TODA:9013 ASDA:9013 LDA:9013 | TORA:9013 TODA:9013 ASDA:9013 LDA:9013 |
| Markings: | Precision Instrument in good condition. | Precision Instrument in good condition. |
| Glide Slope Indicator | V4L (3.00° Glide Path Angle) | P4R (3.00° Glide Path Angle) |
| RVR Equipment | Touchdown Midfield Rollout |
Touchdown
Midfield
Rollout
RVRT SENSOR SHARED BY RWY 33.
|
| Approach Lights: | MALSR 1,400 Foot Medium-intensity Approach Lighting System with runway alignment indicator lights. | ALSF2 Standard 2,400 Foot High-intensity Approach Lighting System with sequenced flashers, CATEGORY II or III Configuration. |
| Centerline Lights: | Yes | Yes |
| Obstacles: | 64 ft Trees 2609 ft from runway, 686 ft right of center | 80 ft Trees 2924 ft from runway, 287 ft left of center |
Runway 15/33
| Dimensions: | 7499 x 150 feet / 2286 x 46 meters | |
|---|---|---|
| Surface: | Asphalt / Grooved in Good Condition | |
| Weight Limits: | S-115, D-156, ST-257
PCR VALUE: 730/F/C/W/T
| |
| Edge Lighting: | High Intensity | |
| Runway 15 | Runway 33 | |
| Coordinates: | N43°7.27' / W76°6.77' | N43°6.42' / W76°5.55' |
| Elevation: | 415.5 | 401.7 |
| Traffic Pattern: | Left | Left |
| Runway Heading: | 134° True | 314° True |
| Declared Distances: | TORA:7499 TODA:7499 ASDA:7499 LDA:7499 | TORA:7499 TODA:7499 ASDA:7499 LDA:7499 |
| Markings: | Non-Precision Instrument in good condition. | Non-Standard in good condition. |
| Glide Slope Indicator | V4L (3.00° Glide Path Angle) | P4L (3.00° Glide Path Angle) |
| RVR Equipment | Rollout | Touchdown |
| Approach Lights: | MALS 1,400 Foot Medium-intensity Approach Lighting System. | |
| Centerline Lights: | Yes | Yes |
| Obstacles: | 51 ft Trees 1440 ft from runway, 380 ft left of center | 34 ft Tree 840 ft from runway, 520 ft left of center |
Services Available
| Fuel: | 100LL (blue), Jet-A |
|---|---|
| Transient Storage: | Hangars,Tiedowns |
| Airframe Repair: | MAJOR |
| Engine Repair: | MAJOR |
| Bottled Oxygen: | HIGH/LOW |
| Bulk Oxygen: | HIGH/LOW |
| Other Services: | AIR FREIGHT SERVICES,AVIONICS,CARGO HANDLING SERVICES,CHARTER SERVICE,PILOT INSTRUCTION,AIRCRAFT RENTAL,AIRCRAFT SALES |
Ownership Information
| Ownership: | Publicly owned | |
|---|---|---|
| Owner: | CITY OF SYRACUSE | |
| CITY HALL | ||
| SYRACUSE, NY 13212 | ||
| 315-448-8805 | ||
| Manager: | JASON TERRERI | |
| 1000 COL EILEEN COLLINS BLVD | ||
| SYRACUSE, NY 13212 | ||
| 315-454-3263 | ||
Other Remarks
- NO CHTR OPS THRU PAX TRML BLDG WO PPR.
- HVY ACFT CTC ARPT COMMISSIONER FOR PRKG AVBL AT C315-455-3263. LTD METRO AVBL AT DSN 243-2185. C315-233-2185 OR CTC OWS DSN 576-9755/9702. ALL TSNT ACFT REQ NOISE ABATEMENT BRIEFING.
- MILITARY: ANG: COMS OPS - 140.425 379.5 RMKS: (COBRA OPS) CTC ANG OPS 15 MIN PRIOR TO ARR.
- RSTD: TWY J & P SOUTH OF TWY Y CLSD TO CIV OPS.
- CTN: TWY J & P SOUTH OF TWY Y & ANG RAMP HAVE UNCTLD VEH & EQPT TFC.
- MILITARY: ANG: OPR 1030-2100Z++ MON-THUR EXC HOL. PPR TSNT ACFT OFFL BUS ONLY. AFLD MGR DSN 243-2399, C315-233-2399, AFT DUTY HR CTC C315-233-2399. PPR REQ FOR ALL TSNT ACFT DUE LTD TSNT SVC. NTFY AFLD MGR OF ETA DLA OVR 30 MIN OR MSN CNL IS RQR.
- NOISE ABATEMENT PROCS IN EFCT.
- MILITARY: ANG: HVY ACFT CTC ARPT COMMISSIONER FOR PRKG AVBL AT C315-455-3666. ALL TSNT ACFT RQR NOISE ABATEMENT BRIEFING.
- UAS OPER WI THE CONFINES OF SYRACUSE CLASS C, TIMES VARY.
- UAS OPS IN SYRACUSE APCH/DEP ASP WILL BE CONTROLLED BY SYR ATC AT ALL TIMES.
- NON-STD MKG ON MIL RAMP.
- ELEVD RWY GUARD LGTS FOR RWY 10-28 AT TWY L, J, N, H, G, M ARE NOT OPR DURG DAY
- ELEVD RWY GUARD LGTS FOR RWY 15-33 AT TWY B, K, S, M ARE NOT OPR DURG DAY.
- DEER/COYOTE/BIRDS ON & INVOF ARPT.
- NO JET ENG MAINT RUNS ABV IDLE BTWN 2300-0600.
- NO TSNT ACFT PRKG ON MAIN TRML RAMP.
- DRCT CUST NOTIFICATION IS RQRD. HRS OF NOTIFICATION ARE MON-SAT 0800-1700. ARRS OUTSIDE OF THESE HRS MUST MAKE ARRANGEMENTS DRG RGLR WORK HRS; CALL 315-455-2271.
- NSTD MRKGS; AIMING POINT MRKGS 1340 FT FM APCH END RWY.
Weather Minimums
Instrument Approach Procedure (IAP) Charts
Departure Procedure (DP) Charts
Nearby Airports with Instrument Procedures
| ID | Name | Heading / Distance | ||
|---|---|---|---|---|
![]() |
6B9 | Skaneateles Aero Drome Airport | 231° | 18.9 |
![]() |
KFZY | Oswego County Airport | 319° | 19.0 |
![]() |
B16 | Whitfords Airport | 264° | 19.1 |
![]() |
KVGC | Hamilton Municipal Airport | 123° | 28.9 |
![]() |
KRME | Griffiss International Airport | 076° | 31.6 |
![]() |
N03 | Cortland County/Chase Field Airport | 188° | 31.5 |
![]() |
0G7 | Finger Lakes Regional Airport | 245° | 32.7 |
![]() |
KITH | Ithaca Tompkins International Airport | 202° | 40.3 |
![]() |
KOIC | Lt Warren Eaton Airport | 141° | 41.6 |
![]() |
KSDC | Williamson/Sodus Airport | 279° | 45.1 |
![]() |
KPEO | Penn Yan/Yates County Airport | 236° | 50.5 |
![]() |
KART | Watertown International Airport | 004° | 53.0 |







