Login
Register
VUJ
Stanly County Airport
Official FAA Data Effective 2026-02-19 0901Z
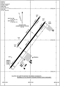
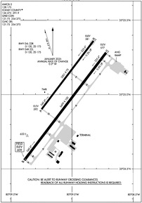
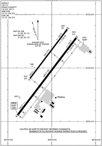
VFR Chart of KVUJ
Sectional Charts at SkyVector.com
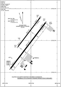
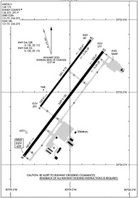
IFR Chart of KVUJ
Enroute Charts at SkyVector.com
Location Information for KVUJ
Coordinates: N35°25.00' / W80°9.05'Located 04 miles NE of Albemarle, North Carolina on 800 acres of land. View all Airports in North Carolina.
Surveyed Elevation is 609 feet MSL.
TPA: HEL 500 FT (1200 FT MSL), SMALL FW 1000 FT (1700 MSL), LRG/HVY 1500 FT (2200 FT MSL), OVHD 1500 FT (2200 FT MSL) OR AS ASGND BY TWR.
Operations Data
|
|
Airport Communications
| AWOS-3: | 128.175 Tel. 704-986-2097 |
|---|---|
| STANLY COUNTY TOWER: | 126.275 291.9 |
| STANLY COUNTY GROUND: | 121.75 254.375 |
| CHARLOTTE APPROACH: | 128.325 307.8 |
| CHARLOTTE DEPARTURE: | 128.325 307.8 |
| CLEARANCE DELIVERY: | 121.75 254.375 |
| BEAVY DP: | 128.325 307.8 |
| KWEEN DP: | 128.325 307.8 |
| KRITR DP: | 128.325 307.8 |
| LILLS DP: | 128.325 307.8 |
| CTAF: | 126.275 |
| JOOLS STAR: | 135.6 377.15 |
| KERMIT DP: | 128.325 307.8 |
| KILNS DP: | 128.325 307.8 |
| BOBZY DP: | 128.325 307.8 |
| KABEE STAR: | 126.15 282.325 |
| JOJJO DP: | 128.325 307.8 |
| ICONS DP: | 128.325 307.8 |
| NASCR STAR: | 128.325 |
| ESTRR DP: | 128.325 307.8 |
| KNIGHTS DP: | 128.325 307.8 |
| BARMY DP: | 128.325 307.8 |
| WEAZL DP: | 128.325 307.8 |
| AWOS-3 at HBI (19.0 NE): | 119.275 336-626-7933 |
| AWOS-3P at RUQ (22.8 NW): | 118.175 704-637-6197 |
| AWOS-3 at EXX (23.1 N): | 119.825 336-956-2967 |
- TWR SVCS PRVDD BY AIR GUARD.
Nearby Navigation Aids
|
| ||||||||||||||||||||||||||||||||||||||||||||||||||||||||||||
Runway 04R/22L
| Dimensions: | 5499 x 100 feet / 1676 x 30 meters | |
|---|---|---|
| Surface: | Asphalt / Grooved in Excellent Condition | |
| Weight Limits: | D-130 | |
| Edge Lighting: | High Intensity | |
| Runway 04R | Runway 22L | |
| Coordinates: | N35°24.56' / W80°9.39' | N35°25.28' / W80°8.72' |
| Elevation: | 608.9 | 577.3 |
| Traffic Pattern: | Left | Left |
| Runway Heading: | 37° True | 217° True |
| Markings: | Precision Instrument in good condition. | Precision Instrument in good condition. |
| Glide Slope Indicator | P2L (3.00° Glide Path Angle) | P2L (3.00° Glide Path Angle) |
| REIL: | Yes | Yes |
| Obstacles: | 32 ft Trees 375 ft from runway, 488 ft left of center | 137 ft Trees 4194 ft from runway, 176 ft right of center |
Runway 04L/22R
| Dimensions: | 3501 x 75 feet / 1067 x 23 meters | |
|---|---|---|
| Surface: | Asphalt in Excellent Condition | |
| Weight Limits: | D-130 | |
| Edge Lighting: | Medium Intensity | |
| Runway 04L | Runway 22R | |
| Coordinates: | N35°24.90' / W80°9.25' | N35°25.36' / W80°8.82' |
| Elevation: | 592.3 | 580.9 |
| Runway Heading: | 37° True | 217° True |
| Markings: | Basic in good condition. | Basic in good condition. |
| Obstacles: | 23 ft Fence 411 ft from runway, 301 ft left of center 10 FT HILL 0-200 FT FROM THR 200 FT LEFT OF CNTRLN. |
32 ft Trees 793 ft from runway, 270 ft right of center |
Services Available
| Fuel: | 100LL (blue), Jet A+, Jet A-1+ |
|---|---|
| Transient Storage: | Hangars,Tiedowns |
| Airframe Repair: | MAJOR |
| Engine Repair: | MAJOR |
| Bottled Oxygen: | NONE |
| Bulk Oxygen: | LOW |
| Other Services: | PILOT INSTRUCTION,PARACHUTE JUMP ACTIVITY,AIRCRAFT RENTAL |
Ownership Information
| Ownership: | Publicly owned | |
|---|---|---|
| Owner: | STANLY COUNTY | |
| 43222 LOWDER AVIATION PARKWAY | ||
| NEW LONDON, NC 28127 | ||
| 704-982-9013 | ||
| Manager: | RANDY SHANK | |
| 43222 LOWDER AVIATION PARKWAY | ||
| NEW LONDON, NC 28127 | ||
| 704-982-9013 | ||
Other Remarks
- 959 FT MSL LGTD TWR 1.5NW.
- MISC: REGIONAL TRAINING SITE (RTS) SUPPORT COORD THRU 145 AW/CE DSN 231-4229.
- ANG: PPR ONLY IF UTILIZING ANG RAMP AND FBO RAMP, 235 CAOS/ATM C704-422-2551.
- HEAVY PARACHUTE JUMPING NORTH END OF RWY 22L/R.
- FOR CD WHEN ATCT IS CLSD CTC CHARLOTTE APCH AT 704-359-0241.
- FBO OPERATIONAL HRS 0800-1800.
- MILITARY FUEL - A+ (C704-982-9013, 1300-0000Z++, OT C704-984-3542 OR C704-961-8964) (NC-100LL). FUEL AVBL FROM FBO 1400-2200Z++, OTHER TIMES PPR, C704-982-9013.
- RSTD: ANG RAMP RSTD TO MIL USE ONLY WITH PPR. CTC 235 CAOS/ATM DSN 484-2551, C704-422-2551 OR C704-763-4633 AFT DUTY HOURS.
- CAUTION: BE ALERT FOR HIGH SPEED LOW LEVEL MIL ACFT IN VCNTY. FRQ NGT MIL OPR. FREQ ASSAULT OPS TO RWY 22R. DEER AND BIRD HAZARD.
- 0LL 100LL AVBL SELF SVC H24 WITH CREDIT CARD.
- ACTVT REIL RWY 04R & 22L; HIRL RWY 04R/22L; MIRL RWY 04L/22R - CTAF. PAPI RWY 04R & 22L ON DRG TWR OPN, OTHER TIMES - CTAF.
- TPA: HEL 500 FT (1200 FT MSL), SMALL FW 1000 FT (1700 MSL), LRG/HVY 1500 FT (2200 FT MSL), OVHD 1500 FT (2200 FT MSL) OR AS ASGND BY TWR.
Weather Minimums
Standard Terminal Arrival (STAR) Charts
Instrument Approach Procedure (IAP) Charts
Departure Procedure (DP) Charts
Nearby Airports with Instrument Procedures
| ID | Name | Heading / Distance | ||
|---|---|---|---|---|
![]() |
43A | Montgomery County Airport | 096° | 17.8 |
![]() |
KHBI | Asheboro Regional Airport | 041° | 19.0 |
![]() |
KRUQ | Mid-Carolina Regional Airport | 307° | 22.7 |
![]() |
KEXX | Davidson County Exec Airport | 341° | 23.1 |
![]() |
KAFP | Anson County/Jeff Cloud Field Airport | 171° | 24.0 |
![]() |
KJQF | Concord-Padgett Regional Airport | 266° | 27.4 |
![]() |
KEQY | Charlotte/Monroe Exec Airport | 224° | 33.3 |
![]() |
8A7 | Twin Lakes Airport | 333° | 33.4 |
![]() |
KSCR | Siler City Municipal Airport | 061° | 36.0 |
![]() |
KRCZ | Richmond County Airport | 148° | 36.9 |
![]() |
14A | Lake Norman Airpark Airport | 288° | 38.5 |
![]() |
KSOP | Moore County Airport | 105° | 38.9 |








