Login
Register
PNS
Pensacola International Airport
Official FAA Data Effective 2025-12-25 0901Z
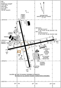
VFR Chart of KPNS
Sectional Charts at SkyVector.com
IFR Chart of KPNS
Enroute Charts at SkyVector.com
Location Information for KPNS
Coordinates: N30°28.41' / W87°11.20'Located 03 miles NE of Pensacola, Florida on 1211 acres of land. View all Airports in Florida.
Surveyed Elevation is 120 feet MSL.
OVHD 1500 FT.
Operations Data
|
|
Airport Communications
| ATIS: | 121.25 |
|---|---|
| ASOS: | 121.25 Tel. 850-436-4799 |
| PENSACOLA TOWER: | 119.9 257.8 |
| PENSACOLA GROUND: | 121.9 348.6 |
| PENSACOLA APPROACH: | 360.725 118.6 ;251-339 119.0 ;340-159 124.05 132.1 269.375 ;340-159 351.825 ;251-339 360.725 |
| PENSACOLA DEPARTURE: | 360.725 118.6 ;251-339 119.0 ;340-159 124.05 125.35 132.1 269.375 ;340-159 351.825 ;251-339 360.725 |
| IC: | 119.0 ;340-159 269.375 ;340-159 |
| CLEARANCE DELIVERY: | 123.725 256.875 348.6 348.6 |
| EMERG: | 121.5 243.0 |
| PRE TAXI CLNC: | 348.6 |
| CTAF: | 119.900 |
| UNICOM: | 122.950 |
| CLASS C: | 118.6 ;251-339 119.0 ;340-159 120.65 ;160-250 269.375 ;340-159 270.8 ;160-250 351.825 ;251-339 |
| ATIS at NPA (9.9 SW): | 266.8 |
| ASOS at NDZ (15.9 NE): | 850-623-7210 |
| ATIS at NDZ (16.2 NE): | 273.575 |
- TA35 LLWAS UNMON 2300-0530.
Nearby Navigation Aids
|
| ||||||||||||||||||||||||||||||||||||||||||||||||||||||||||||
Runway 17/35
| Dimensions: | 7004 x 150 feet / 2135 x 46 meters | |
|---|---|---|
| Surface: | Concrete / Grooved in Good Condition | |
| Weight Limits: | S-120, D-250, ST-550, DT-1058
PCR VALUE: 930/R/B/W/T
| |
| Edge Lighting: | High Intensity | |
| Runway 17 | Runway 35 | |
| Coordinates: | N30°28.97' / W87°11.44' | N30°27.85' / W87°11.14' |
| Elevation: | 120.9 | 102.7 |
| Traffic Pattern: | Left | Left |
| Runway Heading: | 167° True | 347° True |
| Markings: | Precision Instrument in good condition. | Precision Instrument in good condition. |
| Glide Slope Indicator | P4L (3.00° Glide Path Angle) | P4L (3.00° Glide Path Angle) |
| RVR Equipment | Touchdown | Touchdown |
| Approach Lights: | MALSR 1,400 Foot Medium-intensity Approach Lighting System with runway alignment indicator lights. | |
| REIL: | Yes | |
| Centerline Lights: | Yes | Yes |
| Obstacles: | 86 ft Power Line 4390 ft from runway, 500 ft left of center 4275 FT TWR 900 FT L EL 204. |
|
Runway 08/26
| Dimensions: | 7000 x 150 feet / 2134 x 46 meters | |
|---|---|---|
| Surface: | Asphalt / Grooved in Fair Condition | |
| Weight Limits: | S-120, D-250, ST-550, DT-1120
FDOT AVN OFC STATEWIDE PCR DVLPMT PROGRAM SEPTEMBER 2024.
PCR VALUE: 780/F/A/X/T
| |
| Edge Lighting: | High Intensity | |
| Runway 08 | Runway 26 | |
| Coordinates: | N30°28.28' / W87°11.76' | N30°28.52' / W87°10.45' |
| Elevation: | 97.1 | 113.4 |
| Traffic Pattern: | Left | Left |
| Runway Heading: | 78° True | 258° True |
| Markings: | Precision Instrument in fair condition. | Precision Instrument in fair condition. |
| Glide Slope Indicator | P4L (3.00° Glide Path Angle) | P4L (3.00° Glide Path Angle) |
| REIL: | Yes | Yes |
| Obstacles: | 29 ft Trees 1365 ft from runway, 410 ft right of center 405 FT TREES R OF CNTRLN 200 FT BFR AER. |
43 ft Trees 1690 ft from runway, 355 ft left of center |
Services Available
| Fuel: | 100 (green), 100LL (blue), Jet-A |
|---|---|
| Transient Storage: | Hangars,Tiedowns |
| Airframe Repair: | MAJOR |
| Engine Repair: | MAJOR |
| Bottled Oxygen: | NONE |
| Bulk Oxygen: | HIGH |
| Other Services: | CHARTER SERVICE,PILOT INSTRUCTION,AIRCRAFT RENTAL,AIRCRAFT SALES |
Ownership Information
| Ownership: | Publicly owned | |
|---|---|---|
| Owner: | CITY OF PENSACOLA | |
| 2430 AIRPORT BLVD SUITE 225 | ||
| PENSACOLA, FL 32504 | ||
| 850-436-5000 | ||
| Manager: | MATT COUGHLIN, C.M. | |
| 2430 AIRPORT BLVD SUITE 225 | ||
| PENSACOLA, FL 32504 | ||
| 850-436-5000 | ||
Other Remarks
- BIRDS ON & INVOF ARPT.
- TWY C SOUTH OF RWY 8/26, C1, C2, TWY D EAST OF RWY 17/35, D1, D2, D3, D4, & D5 ARE 35 FT WIDE; CLSD TO ACFT WITH A WINGSPAN MORE THAN 79 FT.
- RUN-UP PAD FOR PISTON ACFT LCTD ON TWY D BTWN D1 & C; FACE NOSE OF ACFT S; OTR ACFT RUN-UP INFO - AMGR.
- CTN: RWY 08 APCHS MAY MISTAKE SAUFLEY FIELD NOLF LCTD 7 MI W FOR PNS.
- FOR CD IF UNA TO CTC ON FSS FREQ, CTC PENSACOLA APCH AT 850-266-6884 OR 850-266-6885.
- NEW APRON SOUTH OF U.S. CUSTOMS AND BORDER PROTECTION (CBP) TEMPORARILY CLSD EXC FOR ACFT BEING PROCESSED BY CBP.
- 24 HR PPR FOR ACFT EQUIPPED WITH WEATHER MODIFICATION OR GEOENGINEERING EQPT 850-436-5111.
- TBJT WITH MAX TKOF WT OVR 75000 LBS EXCT STD NOISE ABATEMENT DEP PROFILE IAW FAA AC 91-53.
- FIXED WING VFR DEP PROCD TO ARPT BDRY BFR TURNING UNLESS DRCTD BY ATC.
- HELICOPTER LNDG CTC PENSACOLA AVN 850-434-0636. HELICOPTER PARKING IS LOCATED W OF PENSACOLA AVN RAMP.
- PREFERRED DEP RWY.
- BLACK HOLE ILLUSION EXISTS DURG NGT APCH.
- WHEN ATCT CLSD, ACTVT MALSR RWY 17; TDZ RWY 17; HIRL RWY 17/35, 08/26 - CTAF.
- OVHD 1500 FT.
Weather Minimums
Instrument Approach Procedure (IAP) Charts
Nearby Airports with Instrument Procedures
| ID | Name | Heading / Distance | ||
|---|---|---|---|---|
![]() |
KNPA | Pensacola NAS (Forrest Sherman Field) Airport | 223° | 9.9 |
![]() |
2R4 | Peter Prince Field Airport | 045° | 14.0 |
![]() |
KNDZ | Whiting Field NAS South Airport | 033° | 16.2 |
![]() |
KNSE | Whiting Field NAS North Airport | 029° | 17.1 |
![]() |
KHRT | Hurlburt Field Airport | 095° | 26.0 |
![]() |
5R4 | Holk Field At Foley Municipal Airport | 264° | 26.8 |
![]() |
KJKA | Gulf Shores International/Jack Edwards Field Airport | 246° | 27.5 |
![]() |
KVPS | Eglin AFB/Destin-Ft Walton Beach Airport | 088° | 34.3 |
![]() |
12J | Brewton Municipal Airport | 010° | 35.1 |
![]() |
0R1 | Atmore Municipal Airport | 337° | 35.2 |
![]() |
KCQF | H L Sonny Callahan Airport | 268° | 35.8 |
![]() |
KEGI | Duke Field,(Eglin Af Aux Nr 3) Airport | 072° | 36.0 |










Comments
FBO Support
Pensacola Aviation, supported our little operation, in a timely and friendly manner. Look forward to stopping there again.
Jim Goolsby, Collings foundation , B-24 pilot.
Jim "Pappy" Goolsby
Pages