Login
Register
LGA
Laguardia Airport
Official FAA Data Effective 2025-11-27 0901Z
VFR Chart of KLGA
Sectional Charts at SkyVector.com
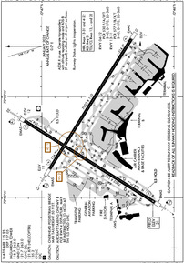
IFR Chart of KLGA
Enroute Charts at SkyVector.com
Location Information for KLGA
Coordinates: N40°46.63' / W73°52.36'Located 04 miles E of New York, New York on 680 acres of land. View all Airports in New York.
Surveyed Elevation is 20 feet MSL.
Operations Data
|
|
Airport Communications
| D-ATIS: | 125.95 ;ARR (718-424-4713) 127.05 ;DEP (718-424-4713) |
|---|---|
| ASOS: | Tel. 929-229-1994 |
| LAGUARDIA TOWER: | 118.7 263.0 |
| LAGUARDIA GROUND: | 121.7 121.85 127.675 263.0 |
| NEW YORK APPROACH: | 120.05 120.8 124.95 127.3 128.8 ;FINAL 132.7 263.0 |
| NEW YORK DEPARTURE: | 120.4 124.45 127.05 263.0 |
| CLEARANCE DELIVERY: | 121.875 ;HELICOPTER 135.2 |
| MILTON STAR: | 127.3 |
| EMERG: | 121.5 243.0 |
| NOBBI STAR: | 120.8 263.0 |
| CLASS B: | 126.05 ;NORTH, FREQS WITHIN 6 NM ARE TWR CNTRLD FREQS 126.05 ;SOUTH 263.0 ;FREQS WITHIN 6 NM ARE TWR CNTRLD FREQS 125.7 ;071-142 126.4 ;329-071 127.6 ;270-328 128.125 ;142-231 128.55 ;231-270 257.65 ;329-071 269.0 ;142-231 353.75 ;071-142 379.9 ;231-270 379.9 ;270-328 |
| PRE TAXI CLNC: | 135.2 |
| CLASS B/S: | 120.55 ;329-071 |
| VADDR STAR: | 120.8 257.65 |
| PROUD STAR: | 127.3 263.0 |
| KORRY STAR: | 127.3 |
| APPLE STAR: | 124.55 317.425 127.3 263.0 119.75 269.25 |
| UNICOM: | 122.950 |
| AWOS-3PT at JRB (7.7 SW): | 128.175 212-425-1534 |
| D-ATIS at JFK (9.3 SE): | 117.7 ;ARR-NE |
| D-ATIS at TEB (9.6 NW): | 114.2 |
- ASDE-X IN USE. OPERATE TRANSPONDERS WITH ALTITUDE REPORTING MODE AND ADS-B (IF EQUIPPED) ENABLED ON ALL AIRPORT SURFACES.
- (CLASS_B_AIRSPACE) EXPECT TO LEAVE AND RE-ENTER THE CLASS B AIRSPACE DURING MODERATE TO HEAVY ARRIVAL PERIODS.
Nearby Navigation Aids
|
| ||||||||||||||||||||||||||||||||||||||||||||||||||||||||||||
Runway 04/22
| Dimensions: | 7002 x 150 feet / 2134 x 46 meters | |
|---|---|---|
| Surface: | Asphalt-Concrete / Grooved in Excellent Condition | |
| Weight Limits: | S-80, D-170, ST-360
PCR VALUE: 530/F/A/X/T
| |
| Edge Lighting: | High Intensity | |
| Runway 04 | Runway 22 | |
| Coordinates: | N40°46.15' / W73°53.05' | N40°47.13' / W73°52.24' |
| Elevation: | 20.5 | 11.5 |
| Traffic Pattern: | Left | |
| Runway Heading: | 32° True | 212° True |
| Declared Distances: | TORA:7002 TODA:7002 ASDA:7002 LDA:7002 | TORA:7002 TODA:7002 ASDA:7002 LDA:7002 |
| Markings: | Precision Instrument in good condition. | Precision Instrument in good condition. |
| Glide Slope Indicator | P4R (3.14° Glide Path Angle) | P4R (3.00° Glide Path Angle) |
| RVR Equipment | Touchdown Rollout | Touchdown Rollout |
| Approach Lights: | MALSR 1,400 Foot Medium-intensity Approach Lighting System with runway alignment indicator lights. | ALSF1 Standard 2,400 Foot High-intensity Approach Lighting System with sequenced flashers, CATEGORY I Configuration. |
| Centerline Lights: | Yes | Yes |
| Obstacles: | 80 ft Building 2950 ft from runway, 400 ft right of center +11 FT FENCE 245 FT RIGHT OF RWY END. |
|
Runway 13/31
| Dimensions: | 7002 x 150 feet / 2134 x 46 meters | |
|---|---|---|
| Surface: | Asphalt-Concrete / Grooved in Excellent Condition | |
| Weight Limits: | S-80, D-170, ST-360
PCR VALUE: 577/F/B/X/T
| |
| Edge Lighting: | High Intensity | |
| Runway 13 | Runway 31 | |
| Coordinates: | N40°46.94' / W73°52.71' | N40°46.32' / W73°51.43' |
| Elevation: | 11.6 | 6.5 |
| Runway Heading: | 122° True | 302° True |
| Declared Distances: | TORA:7002 TODA:7002 ASDA:7002 LDA:7002 | TORA:7002 TODA:7002 ASDA:7002 LDA:7002 |
| Markings: | Precision Instrument in good condition. | Precision Instrument in good condition. |
| Glide Slope Indicator | P4L (3.10° Glide Path Angle) PAPI RWY 13 UNUSBL 8 DEGS LEFT OF CNTRLN AND 9 DEGS RIGHT OF CNTRLN. | P4R (3.00° Glide Path Angle) |
| RVR Equipment | Touchdown Rollout | Touchdown Rollout |
| Approach Lights: | MALSR 1,400 Foot Medium-intensity Approach Lighting System with runway alignment indicator lights. | |
| REIL: | Yes | |
| Centerline Lights: | Yes | Yes |
| Obstacles: | 95 ft Building 2750 ft from runway, 510 ft right of center | |
Helipad H1
| Dimensions: | 45 x 45 feet / 14 x 14 meters | |
|---|---|---|
| Surface: | Asphalt in Excellent Condition | |
| Coordinates: | N40°46.56' / W73°52.86' | N0°0.00' / E0°0.00' |
| Elevation: | 11.9 | |
Services Available
| Fuel: | 100LL (blue), Jet-A |
|---|---|
| Transient Storage: | Tiedowns |
| Airframe Repair: | MAJOR |
| Engine Repair: | MAJOR |
| Bottled Oxygen: | HIGH/LOW |
| Bulk Oxygen: | HIGH/LOW |
| Other Services: | AIR FREIGHT SERVICES,AVIONICS,CARGO HANDLING SERVICES,CHARTER SERVICE |
Ownership Information
| Ownership: | Publicly owned | |
|---|---|---|
| Owner: | PORT. AUTH. OF N.Y. & N.J. | LEASEE. PROPERTY OWNED BY THE CITY OF NEW YORK. |
| 4 WORLD TRADE CENTER | ||
| NEW YORK, NY 10048 | ||
| 212-435-3703 | ||
| Manager: | ANTHONY VERO | |
| HANGAR #7, THIRD FLOOR | PORT AUTHORITY OF NEW YORK AND NEW JERSEY. | |
| FLUSHING, NY 11371 | ||
| 718-533-3401 | ||
Other Remarks
- FLOCKS OF BIRDS ON & INVOF ARPT.
- CODED TRANSPONDER RQRD. VFR RSVN INFO AVBL ON ATIS.
- SHIP MASTS IN APCH RWY 31.
- FOR NOISE ABATEMENT RSTRNS CALL 212-435-3782 DURG NML BUS HRS.
- B767-400 ACFT RSTRD TO 10 KTS ON TWYS DD, Z, B & AA.
- TWYS F & D WEST OF TWY BB CLSD TO ACFT WITH WINGSPANS IN EXCESS OF 125 FT.
- OBST SIGN STRUCTURE UNKN (39 AGL) 500 FT E RWY 4/22 CNTRLN & 4800 FT S RWY 13/31 CNTRLN.
- RUNWAY STATUS LIGHTS IN OPERATION.
- SPECIAL AIR TFC RULES-PART 93; HIGH DENSITY ARPT; PRIOR RSVN RQRD; SEE AIM.
- OVHD PAX BRIDGES ON N SIDE OF TERMINAL B PRVD 50 FT TAIL HGT CLNC WHEN ON TAXILANE CNTRLN.
- RWY 13/31: NW 944 FT OF RWY IS A DECK OVR WTR; RWY FRICTION MAY BE DIFFERENT THAN RMNG PTN OF RWY DURG WINT WX.
- RWY 04/22: NE 1776 FT OF RWY IS A DECK OVR WTR; RWY FRICTION MAY BE DIFFERENT THAN RMNG PTN OF RWY DURG WINT WX.
- ACFT OPS & TWY WT RSTRNS EXIST FOR ADG-III & ADG-IV. PLEASE CTC LGA ARPT OPS AT 718-533-3700 FOR MORE INFO.
- MAG ANOMALIES MAY AFFECT COMPASS HDG WHEN USING EXTENSION RWYS 13 & 22 FOR TKOF.
- TWYS G, P, R & U CONCRETE DECK RSTD TO 5KT TURNS; 10KTS STRAIGHT.
- ENGINEERED MATERIALS ARRESTING SYSTEM (EMAS) 215 FT IN LENGTH BY 170 FT IN WIDTH LCTD AT THE DER 04.
- EMAS PARTIALLY DAMAGED RESULTING IN REDUCED ARRESTING CAPABILITY. ENGINEERED MATERIALS ARRESTING SYSTEM (EMAS) 327 FT IN LENGTH BY 170 FT IN WIDTH LCTD AT THE DER 13.
- ENGINEERED MATERIALS ARRESTING SYSTEM (EMAS) 272 FT IN LENGTH BY 170 FT IN WIDTH LCTD AT THE DER 22.
- ENGINEERED MATERIALS ARRESTING SYSTEM (EMAS) 215 FT IN LENGTH BY 170 FT IN WIDTH LCTD AT THE DER 31.
Weather Minimums
Standard Terminal Arrival (STAR) Charts
Instrument Approach Procedure (IAP) Charts
- ILS OR LOC RWY 04

- ILS OR LOC RWY 13

- ILS OR LOC RWY 22

- ILS RWY 22 (SA CAT I - II)

- RNAV (RNP) Z RWY 04

- RNAV (RNP) Z RWY 22

- RNAV (GPS) X RWY 22

- RNAV (GPS) X RWY 31

- RNAV (GPS) Y RWY 04

- RNAV (GPS) Y RWY 13

- RNAV (GPS) Y RWY 22

- RNAV (GPS) Y RWY 31

- RNAV (GPS) Z RWY 13

- RNAV (GPS) Z RWY 31

- LOC RWY 31

- COPTER ILS OR LOC RWY 13

- COPTER ILS OR LOC RWY 22

- COPTER RNAV (GPS) 250

- PARK VISUAL RWY 31

- RIVER VISUAL RWY 13

Departure Procedure (DP) Charts
Nearby Airports with Instrument Procedures
| ID | Name | Heading / Distance | ||
|---|---|---|---|---|
![]() |
6N5 | East 34th Street Heliport | 245° | 5.0 |
![]() |
KJRA | West 30th St Heliport | 257° | 6.3 |
![]() |
KJRB | Downtown Manhattan/Wall St Heliport | 233° | 7.7 |
![]() |
KJFK | John F Kennedy International Airport | 152° | 9.3 |
![]() |
KTEB | Teterboro Airport | 297° | 9.6 |
![]() |
KEWR | Newark Liberty International Airport | 249° | 14.4 |
![]() |
KHPN | Westchester County Airport | 023° | 18.9 |
![]() |
KLDJ | Linden Airport | 240° | 19.5 |
![]() |
KCDW | Essex County Airport | 287° | 19.5 |
![]() |
KFRG | Republic Airport | 097° | 21.1 |
![]() |
N07 | Lincoln Park Airport | 297° | 22.6 |
![]() |
KMMU | Morristown Municipal Airport | 273° | 24.7 |









