Login
Register
SAC
Sacramento Exec Airport
Official FAA Data Effective 2025-12-25 0901Z
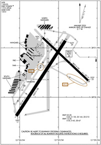
VFR Chart of KSAC
Sectional Charts at SkyVector.com
IFR Chart of KSAC
Enroute Charts at SkyVector.com
Location Information for KSAC
Coordinates: N38°30.77' / W121°29.60'Located 03 miles S of Sacramento, California on 540 acres of land. View all Airports in California.
Surveyed Elevation is 23 feet MSL.
<TPA 1000' EXCP 1500' FOR TURBINE & LARGE ACFT.
Operations Data
|
|
Airport Communications
| ATIS: | 118.075 (916-428-7066) |
|---|---|
| ASOS: | Tel. 916-421-0923 |
| EXEC TOWER: | 119.5 278.8 |
| EXEC GROUND: | 125.0 |
| NORCAL APPROACH: | 125.25 127.4 ;NORTH-EAST 257.9 317.5 ;NORTH-EAST |
| NORCAL DEPARTURE: | 125.25 127.4 ;NORTH-EAST 257.9 317.5 ;NORTH-EAST |
| IC: | 125.25 257.9 |
| CTAF: | 119.500 |
| UNICOM: | 122.950 |
| ATIS at MHR (9.6 E): | 118.325 |
| AWOS-3PT at MHR (9.6 E): | 118.325 916-366-3371 |
| AWOS-3 at MCC (10.3 NE): | 125.975 916-641-1272 |
Nearby Navigation Aids
|
| ||||||||||||||||||||||||||||||||||||
Runway 02/20
| Dimensions: | 5503 x 150 feet / 1677 x 46 meters | |
|---|---|---|
| Surface: | Asphalt in Good Condition | |
| Weight Limits: | S-60, D-130, ST-210 | |
| Edge Lighting: | Medium Intensity | |
| Runway 02 | Runway 20 | |
| Coordinates: | N38°30.31' / W121°30.04' | N38°31.07' / W121°29.41' |
| Elevation: | 17.3 | 23.5 |
| Traffic Pattern: | Left | |
| Runway Heading: | 33° True | 213° True |
| Markings: | Precision Instrument in good condition. | Precision Instrument in good condition. |
| Glide Slope Indicator | P4L (3.00° Glide Path Angle) | |
| Approach Lights: | MALSR 1,400 Foot Medium-intensity Approach Lighting System with runway alignment indicator lights. | |
| REIL: | Yes | |
| Obstacles: | 33 ft Tree 1350 ft from runway, 275 ft right of center | 40 ft Tree 1430 ft from runway, 250 ft right of center |
Runway 12/30
| Dimensions: | 3837 x 100 feet / 1170 x 30 meters | |
|---|---|---|
| Surface: | Asphalt in Good Condition | |
| Weight Limits: | S-30, D-43, ST-67 | |
| Edge Lighting: | Medium Intensity | |
| Runway 12 | Runway 30 | |
| Coordinates: | N38°31.10' / W121°29.70' | N38°30.67' / W121°29.12' |
| Elevation: | 22.7 | 23.4 |
| Traffic Pattern: | Left | |
| Runway Heading: | 133° True | 313° True |
| Markings: | Basic in good condition. | Basic in good condition. |
| Glide Slope Indicator | P4L (3.00° Glide Path Angle) | P4L (3.50° Glide Path Angle) |
| REIL: | Yes | Yes |
| Obstacles: | 40 ft Tree 1200 ft from runway, 201 ft right of center | 50 ft Tree 1050 ft from runway, 100 ft left of center |
Helipad H1
| Dimensions: | 60 x 60 feet / 18 x 18 meters | |
|---|---|---|
| Surface: | Asphalt in Good Condition | |
| Edge Lighting: | Perimeter | |
| Coordinates: | N38°30.62' / W121°29.94' | N0°0.00' / E0°0.00' |
| Elevation: | 19.0 | |
Services Available
| Fuel: | 100LL (blue), Jet-A |
|---|---|
| Transient Storage: | Tiedowns |
| Airframe Repair: | MAJOR |
| Engine Repair: | MAJOR |
| Bottled Oxygen: | HIGH/LOW |
| Bulk Oxygen: | HIGH/LOW |
| Other Services: | AIR FREIGHT SERVICES,AIR AMBULANCE SERVICES,AVIONICS,CHARTER SERVICE,PILOT INSTRUCTION,AIRCRAFT RENTAL,AIRCRAFT SALES,ANNUAL SURVEYING |
Ownership Information
| Ownership: | Publicly owned | |
|---|---|---|
| Owner: | CITY OF SACRAMENTO | OPERATED BY CO OF SACRAMENTO |
| 6151 FREEPORT BLVD. | ||
| SACRAMENTO, CA 95322-3518 | ||
| 916-875-9035 | ||
| Manager: | RON OGLE | FLESHMANL@SACCOUNTY.GOV |
| 6151 FREEPORT BLVD | ||
| SACRAMENTO, CA 95822 | ||
| 916-875-9035 | APT MGR HRS 0800-1630 M-F | |
Other Remarks
- RY 20 CALM WIND RY.
- NO TOUCH & GO LNDGS, LOW APPCHS OR PRACTICE INST APPCHS BTN HRS 2100-0600 LOCAL; FOR MORE INFO CALL (916) 874-0359.
- BIRDS INVOF OF APRT.
- DITCH AND CONCRETE BRIDGE IN RY 02/20 SAFETY AREA LCTD 500 FT PRIOR TO RY 02 THLD ON CL.
- ARPT NOISE ABATEMENT PROCEDURES IN EFFECT 2100-0600 FOR MORE INFO CALL (916) 875-9037 OR (916) 875-9035.
- ARPT 24HR EMERGENCY 916-929-5000.
- PRIOR PERMISSION FROM AIRPORT OPERATOR REQUIRED FOR ACFT OVER 50,000 LBS MAX TAKEOFF WEIGHT.
- DSTC BTN TWY A AND TWY B CNTRLN IS 75 FT.
- RWY 12 BLAST PAD MARKINGS NOT STD.
- FOR CD WHEN ATCT IS CLSD CTC NORCAL APCH AT 916-361-6874.
- GOLF COURSE LGTS SHINE ACROSS RY 02 FINAL APCH 800 FT RY CL DUSK TO 2200.
- NO MID-FIELD, INTERSECTION OR FORMATION TKOFS.
- DUSK-DAWN. WHEN ATCT CLSD ACTVT ALL AIRFIELD LGTS - CTAF.
- DUSK-DAWN. WHEN ATCT CLSD ACTVT APT BCN - CTAF
- <TPA 1000' EXCP 1500' FOR TURBINE & LARGE ACFT.
Weather Minimums
Instrument Approach Procedure (IAP) Charts
Nearby Airports with Instrument Procedures
| ID | Name | Heading / Distance | ||
|---|---|---|---|---|
![]() |
KMHR | Sacramento Mather Airport | 074° | 9.6 |
![]() |
KMCC | Mc Clellan Airfield Airport | 025° | 10.3 |
![]() |
KSMF | Sacramento International Airport | 337° | 11.9 |
![]() |
KEDU | University Airport | 274° | 13.8 |
![]() |
KDWA | Yolo County Airport | 283° | 17.6 |
![]() |
O41 | Watts-Woodland Airport | 298° | 20.3 |
![]() |
1O3 | Lodi Airport | 150° | 21.4 |
![]() |
O88 | Rio Vista Municipal Airport | 207° | 21.6 |
![]() |
KVCB | Nut Tree Airport | 250° | 23.5 |
![]() |
KLHM | Lincoln Regional/Karl Harder Field Airport | 015° | 24.7 |
![]() |
KSUU | Travis AFB Airport | 233° | 25.2 |
![]() |
KAUN | Auburn Municipal Airport | 035° | 32.8 |






