Login
Register
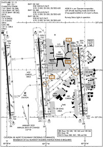
CLT
Charlotte/Douglas International Airport
Official FAA Data Effective 2025-11-27 0901Z
VFR Chart of KCLT
Sectional Charts at SkyVector.com
IFR Chart of KCLT
Enroute Charts at SkyVector.com
Location Information for KCLT
Coordinates: N35°12.79' / W80°57.08'Located 05 miles W of Charlotte, North Carolina on 5558 acres of land. View all Airports in North Carolina.
Surveyed Elevation is 747 feet MSL.
Operations Data
|
|
Airport Communications
| D-ATIS: | 121.15 ;ARR 132.1 ;DEP |
|---|---|
| ASOS: | Tel. 704-255-5973 |
| CHARLOTTE TOWER: | 118.1 ;RWY 18L/36R 126.4 ;RWY 18C/36C 133.35 ;RWY 18R/36L 257.8 |
| CHARLOTTE GROUND: | 121.8 ;WEST 121.9 ;EAST 348.6 |
| CHARLOTTE APPROACH: | 120.05 ;120-295 8000 FT & BLW 120.5 ;246-074 ABV 8000 FT 124.0 ;075-245 ABV 8000 FT 126.15 128.325 ;001-119 8000 FT & BLW 134.75 ;296-360 8000 FT & BLW 257.2 ;180-359 307.8 ;360-179 |
| CHARLOTTE DEPARTURE: | 120.05 ;120-295 8000 FT & BLW 120.5 ;246-074 ABV 8000 FT 124.0 ;075-245 ABV 8000 FT 128.325 ;001-119 8000 FT & BLW 134.75 ;296-360 8000 FT & BLW 257.2 ;180-359 307.8 ;360-179 |
| IC: | 120.05 ;120-295 8000 FT & BLW 120.5 ;246-074 ABV 8000 FT 124.0 ;075-245 ABV 8000 FT 128.325 ;001-119 8000 FT & BLW 134.75 ;296-360 8000 FT & BLW 257.2 ;180-359 307.8 ;360-179 |
| CLEARANCE DELIVERY: | 127.15 348.6 |
| STOCR STAR: | 126.15 282.325 |
| JONZE STAR: | 135.6 377.15 |
| ESTRR DP: | 120.5 257.2 |
| CHARLOTTE DP: | 120.5 ;HARAY & PITTY TRANSITIONS. RWY 36L, 36C 124.0 ;BUCKL, GANTS, LILLS & RUNIE TRANSITIONS. 124.0 ;RWY 18L, 18R, 18C, 36R 257.2 ;HARAY & PITTY TRANSITION. RWY 36L, 36C 307.8 ;GANTS, LILLS & RUNIE TRANSITIONS |
| BEAVY DP: | 120.5 ;RWY 36L, 36C 124.0 ;RWY 18L, 18R, 18C, 36R 257.2 ;RWY 36L, 36C 307.8 ;RWY 18R, 18L, 18C, 36R |
| WEAZL DP: | 120.5 257.2 |
| KWEEN DP: | 120.5 ;RWY 36L, 36C 124.0 ;RWY 18L, 18R, 18C, 36R 257.2 ;RWY 36L, 36C 307.8 ;RWY 18R, 18L, 18C, 36R |
| KERMIT DP: | 120.5 ;235-055 124.0 ;055-235 257.2 ;235-055 307.8 ;055-235 |
| CHARLOTTE DP: | 307.8 ;BUCKL TRANSITION, RWY 18L, 18R, 18C, 36R |
| ALCP: | 292.25 |
| RASLN STAR: | 126.15 282.325 |
| MLLET STAR: | 126.15 282.325 |
| CHSLY STAR: | 126.15 282.325 |
| BANKR STAR: | 135.6 377.15 |
| ICONS DP: | 120.5 ;RWY 36L, 36C 124.0 ;RWY 18L, 18R, 18C, 36R 257.2 ;RWY 36L, 36C 307.8 ;RWY 18R, 18L, 18C, 36R |
| JOJJO DP: | 120.5 257.2 |
| FILPZ STAR: | 125.35 257.2 |
| LILLS DP: | 124.0 307.8 |
| BOBZY DP: | 120.5 257.2 |
| MAJIC STAR: | 126.15 282.325 |
| UNICOM: | 122.950 |
| PARQR STAR: | 125.35 257.2 |
| KILNS DP: | 124.0 307.8 |
| KRITR DP: | 120.5 257.2 |
| EMERG: | 121.5 243.0 |
| BTSEY STAR: | 125.35 |
| BARMY DP: | 124.0 307.8 |
| JOOLS STAR: | 135.6 377.15 |
| UNARM STAR: | 135.6 377.15 |
| CLASS B: | 120.05 ;120-295 8000 FT & BLW 120.5 ;246-074 ABV 8000 FT 124.0 ;075-245 ABV 8000 FT 128.325 ;001-119 8000 FT & BLW 134.75 ;296-360 8000 FT & BLW 257.2 ;180-359 307.8 ;360-179 |
| KNIGHTS DP: | 120.05 ;DEBIE, NEANO TRANSITIONS 120.05 ;FLYYN, CEGAL TRANSITIONS, 18L, 18C, 18R 120.5 ;FLYYN, CEGAL TRANSITIONS RWY 36L, 36C, 36R 128.325 ;055-235 128.325 ;PEKNN, LILLS, HAMLN, ANDYS TRANSITIONS 257.2 ;235-055 307.8 ;055-235 |
| LIINN STAR: | 125.35 257.2 |
| ASOS at AKH (10.1 W): | 135.725 704-868-9034 |
| ASOS at UZA (14.5 S): | 120.775 803-981-9388 |
| ATIS at JQF (15.8 NE): | 133.675 |
- ASDE-X IN USE. OPERATE TRANSPONDERS WITH ALTITUDE REPORTING MODE AND ADS-B (IF EQUIPPED) ENABLED ON ALL AIRPORT SURFACES.
- OTS INDEFLY.
- CD FREQ 127.2 OTS INDEFLY AT GASTONIA MUNI (AKH), GASTONIA, NC.
Nearby Navigation Aids
|
| ||||||||||||||||||||||||||||||||||||||||||||||||||||||||||||
Runway 18C/36C
| Dimensions: | 10000 x 150 feet / 3048 x 46 meters | |
|---|---|---|
| Surface: | Concrete / Grooved in Good Condition | |
| Weight Limits: | S-93, D-200, ST-350, DT-650
PCR VALUE: 1009/R/C/W/T
| |
| Edge Lighting: | High Intensity | |
| Runway 18C | Runway 36C | |
| Coordinates: | N35°13.64' / W80°57.19' | N35°12.00' / W80°57.05' |
| Elevation: | 742.0 | 692.2 |
| Runway Heading: | 176° True | 356° True |
| Declared Distances: | TORA:10000 TODA:10000 ASDA:10000 LDA:10000 | TORA:10000 TODA:10000 ASDA:10000 LDA:10000 |
| Markings: | Precision Instrument in good condition. | Precision Instrument in good condition. |
| Glide Slope Indicator | P4R (3.00° Glide Path Angle) | P4L (3.00° Glide Path Angle) |
| RVR Equipment | Touchdown Midfield Rollout | Touchdown Midfield Rollout |
| Approach Lights: | MALSR 1,400 Foot Medium-intensity Approach Lighting System with runway alignment indicator lights. | ALSF2 Standard 2,400 Foot High-intensity Approach Lighting System with sequenced flashers, CATEGORY II or III Configuration. |
| Centerline Lights: | Yes | Yes |
| Obstacles: | 25 ft Road 1350 ft from runway, 425 ft left of center | |
Runway 18R/36L
| Dimensions: | 9000 x 150 feet / 2743 x 46 meters | |
|---|---|---|
| Surface: | Concrete / Grooved in Excellent Condition | |
| Weight Limits: | S-93, D-200, ST-350, DT-650
PCR VALUE: 627/R/C/W/T
| |
| Edge Lighting: | High Intensity | |
| Runway 18R | Runway 36L | |
| Coordinates: | N35°13.52' / W80°58.05' | N35°12.04' / W80°57.92' |
| Elevation: | 743.9 | 744.0 |
| Runway Heading: | 176° True | 356° True |
| Declared Distances: | TORA:9000 TODA:9000 ASDA:9000 LDA:9000 | TORA:9000 TODA:9000 ASDA:9000 LDA:9000 |
| Markings: | Precision Instrument in good condition. | Precision Instrument in good condition. |
| Glide Slope Indicator | P4R (2.80° Glide Path Angle) | P4L (3.00° Glide Path Angle) |
| RVR Equipment | Touchdown Midfield Rollout | Touchdown Midfield Rollout |
| Approach Lights: | ALSF2 Standard 2,400 Foot High-intensity Approach Lighting System with sequenced flashers, CATEGORY II or III Configuration. | ALSF2 Standard 2,400 Foot High-intensity Approach Lighting System with sequenced flashers, CATEGORY II or III Configuration. |
| Centerline Lights: | Yes | Yes |
Runway 18L/36R
ENGINEERED MATERIALS ARRESTING GEAR SYSTEM (EMAS) 255 FT IN LENGTH BY 170 FT IN WIDTH AT THE DEPARTURE END OF RWY 36R. | ||
| Dimensions: | 8676 x 150 feet / 2644 x 46 meters | |
|---|---|---|
| Surface: | Asphalt-Concrete / Grooved in Good Condition | |
| Weight Limits: | S-93, D-200, ST-350, DT-650
PCR VALUE: 1076/R/D/W/T
| |
| Edge Lighting: | High Intensity | |
| Runway 18L | Runway 36R | |
| Coordinates: | N35°13.48' / W80°56.17' | N35°12.06' / W80°56.05' |
| Elevation: | 745.9 | 723.4 |
| Traffic Pattern: | Left | Left |
| Runway Heading: | 176° True | 356° True |
| Declared Distances: | TORA:8676 TODA:8676 ASDA:8676 LDA:8676 | TORA:8676 TODA:8676 ASDA:8390 LDA:8390 |
| Markings: | Precision Instrument in good condition. | Precision Instrument in good condition. |
| Glide Slope Indicator | P4L (3.00° Glide Path Angle) | P4R (3.00° Glide Path Angle) |
| RVR Equipment | Touchdown Midfield Rollout | Touchdown Midfield Rollout |
| Approach Lights: | ALSF2 Standard 2,400 Foot High-intensity Approach Lighting System with sequenced flashers, CATEGORY II or III Configuration. | |
| REIL: | Yes | |
| Centerline Lights: | Yes | Yes |
| Obstacles: | 19 ft Railroad 523 ft from runway | |
Services Available
| Fuel: | 100LL (blue), Jet-A, A++ |
|---|---|
| Transient Storage: | Tiedowns |
| Airframe Repair: | MAJOR |
| Engine Repair: | MAJOR |
| Bottled Oxygen: | NONE |
| Bulk Oxygen: | HIGH/LOW LIQUID OXYGEN ALSO AVBL. |
| Other Services: | AIR FREIGHT SERVICES,AIR AMBULANCE SERVICES,AVIONICS,CARGO HANDLING SERVICES,CHARTER SERVICE,AIRCRAFT RENTAL,AIRCRAFT SALES,ANNUAL SURVEYING |
Ownership Information
| Ownership: | Publicly owned | |
|---|---|---|
| Owner: | CITY OF CHARLOTTE | |
| 600 EAST FOURTH ST | ||
| CHARLOTTE, NC 28202 | ||
| 704-336-2241 | ||
| Manager: | HALEY GENTRY | |
| 5601 WILKINSON BLVD. | ||
| CHARLOTTE, NC 28208 | ||
| 704-359-4000 | ||
Other Remarks
- RWY SFC COND INFO DURG DUTY HRS PHONE ANG OPS V583-9177/9144 OR AIRBORNE 292.2.
- RWY STATUS LGTS IN OPR.
- TWY C4 AND C6: WHEN TAXIING AIRCRAFT WITH COCKPIT TO MAIN GEAR DISTANCE GREATER THAN 90 FT, PILOT MUST PERFORM JUDGEMENTAL OVERSTEERING INSTEAD OF COCKPIT OVER CENTERLINE STEERING.
- GROUP IV ACFT WITH A WINGSPAN GTR THAN 118 FT ARE PROHIBITED FM EXITING RWY 18L/36R AT TWY C10.
- TWY C10 UNUSBL FOR TXG ONTO RWY 18L/36R.
- CLT RAMP, NON-MOVMT AREA, IS CTLD RAMP; CTC RAMP CTL PRIOR TO ENTERING.
- DUAL TAXI BTN DEP CALL SPOTS 11/12 AND 13N/13S RSTRD TO ONE ACFT LESS THAN 214 FT AND ONE ACFT LESS THAN 118 FT OR TWO ACFT LESS THAN 171 FT.
- DUAL TAXI BTN DEP CALL SPOTS 22/23 AND 24N/24S RSTRD TO ACFT WITH WINGSPANS LESS THAN 118 FT.
- GROUP III ACFT WITH A WINGSPAN GTR THAN 79 FT ARE PROHIBITED FM MAKING A NBND TURN ONTO TWY C WHEN TAXIING WB ON TWY A.
- TWY D, RESTRICTED TO 15 MPH OR LESS WITH WINGSPAN 171 FT AND GREATER.
- GROUP III ACFT WITH A WINGSPAN GTR THAN 79 FT ARE PROHIBITED FM MAKING A SBND TURN ONTO TWY C WHEN TAXIING NWBND ON TWY R.
- TWY C FROM THE APCH OF RWY 18L TO TWY J AND TWY M FROM THE APRON TO RWY 18L/36R RSTRD TO 15 MPH OR LESS WITH WINGSPAN 171 FT AND GTR.
- GROUP VI ACFT WITH A WINGSPAN GTR THAN 214 FT (65M) ARE PROHIBITED ON TWY M BETWEEN THE TRML RAMP AND TWY C, AS WELL AS TWY C NORTH OF TWY M.
- ALL ACFT ARE PROHIBITED FM EXITING RWY 36R SEBD AT TWY R.
- TRML RAMP BLUE TXL FROM SPOT 29W TO SPOT 34S MAX WINGSPAN 82 FT.
- TRML RAMP ORANGE TXL FROM SPOT 26S TO SPOT 27E MAX WINGSPAN 118 FT.
- TRML RAMP YELLOW TXL FROM SPOT 29C TO SPOT 33C MAX WINGSPAN 118 FT.
- TRML RAMP ORANGE TXL FROM SPOT 29E TO SPOT 34N MAX WINGSPAN 82 FT.
- TRML RAMP BLUE TXL AT SPOT 28S BTN CONCOURSE D & E ALLEY MAX WINGSPAN 118 FT.
- TRML RAMP BLUE TXL FROM SPOT 26N TO SPOT 27W MAX WINGSPAN 118 FT.
- TRML RAMP ORANGE TXL AT SPOT 28N BETWEEN CONCOURSE D & E ALLEY MAX WINGSPAN 94 FT.
- AIRPLANE DESIGN GROUP-V AND ABV ACFT ARE PROHIBITED FM DEP RWY 18L.
- ACFT WITH WINGSPAN GTR THAN 118 FT USE JUDGMENTAL OVERSTEER INSTEAD OF COCKPIT OVER CNTRLN STEERING ENTERING AND EXITING RWY 18L/36R.
- BE ALERT FOR FLOCKS OF MIGRATORY BIRDS ON & INVOF ARPT.
- MILITARY: ANG: CTC COMD POST 30 MIN PRIOR LDG. AMOPS/COMD POST - 292.25 (CALL NEWSREEL).
- SUCCESSIVE OR SIMULTANEOUS DEPARTURES FROM RWY 18L AND RWY 18C ARE APPROVED WITH COURSE DIVERGENCE BEGINNING NO FURTHER THAN 4 MILES FROM END OF RWY.
- 0LL A++(MIL), 100 & O-156 AVBL.
Weather Minimums
Standard Terminal Arrival (STAR) Charts
- BANKR FIVE (RNAV)

- BANKR FIVE (RNAV), CONT.1

- BTSEY TWO

- CHSLY SIX (RNAV)

- CHSLY SIX (RNAV), CONT.1

- CHSLY SIX (RNAV), CONT.2

- FILPZ FOUR (RNAV)

- FILPZ FOUR (RNAV), CONT.1

- JONZE FIVE (RNAV)

- JONZE FIVE (RNAV), CONT.1

- JOOLS ONE (RNAV)

- LIINN THREE

- LIINN THREE, CONT.1

- MAJIC FOUR

- MLLET THREE (RNAV)

- PARQR FOUR (RNAV)

- PARQR FOUR (RNAV), CONT.1

- RASLN THREE

- STOCR FOUR (RNAV)

- STOCR FOUR (RNAV), CONT.1

- STOCR FOUR (RNAV), CONT.2

Instrument Approach Procedure (IAP) Charts
- ILS OR LOC RWY 18C

- ILS OR LOC RWY 18L

- ILS OR LOC RWY 18R

- ILS OR LOC RWY 36C

- ILS OR LOC RWY 36L

- ILS OR LOC RWY 36R

- ILS RWY 18R (SA CAT I)

- ILS RWY 36L (SA CAT I)

- ILS RWY 36R (SA CAT I)

- ILS RWY 18R (CAT II - III)

- ILS RWY 36C (CAT II - III)

- ILS RWY 36L (CAT II - III)

- ILS RWY 36R (CAT II - III)

- RNAV (RNP) Z RWY 18C

- RNAV (RNP) Z RWY 36C

- RNAV (GPS) Y RWY 18C

- RNAV (GPS) Y RWY 18L

- RNAV (GPS) Y RWY 18R

- RNAV (GPS) Y RWY 36C

- RNAV (GPS) Y RWY 36L

- RNAV (GPS) Y RWY 36R

Departure Procedure (DP) Charts
- RNAV DP AAUP

- RNAV DP AAUP, CONT.1

- BARMY FIVE (RNAV)

- BARMY FIVE (RNAV), CONT.1

- BEAVY SIX (RNAV)

- BEAVY SIX (RNAV), CONT.1

- BOBZY FIVE (RNAV)

- BOBZY FIVE (RNAV), CONT.1

- CHARLOTTE THREE

- CHARLOTTE THREE, CONT.1

- ESTRR FIVE (RNAV)

- ESTRR FIVE (RNAV), CONT.1

- ICONS FIVE (RNAV)

- ICONS FIVE (RNAV), CONT.1

- JOJJO FIVE (RNAV)

- JOJJO FIVE (RNAV), CONT.1

- KERMIT FOUR

- KERMIT FOUR, CONT.1

- KILNS FIVE (RNAV)

- KILNS FIVE (RNAV), CONT.1

- KNIGHTS THREE

- KNIGHTS THREE, CONT.1

- KRITR SIX (RNAV)

- KRITR SIX (RNAV), CONT.1

- KWEEN FIVE (RNAV)

- KWEEN FIVE (RNAV), CONT.1

- LILLS THREE (RNAV)

- WEAZL FIVE (RNAV)

- WEAZL FIVE (RNAV), CONT.1

Nearby Airports with Instrument Procedures
| ID | Name | Heading / Distance | ||
|---|---|---|---|---|
![]() |
KAKH | Gastonia Municipal Airport | 266° | 9.8 |
![]() |
KUZA | Rock Hill/York County/Bryant Field Airport | 201° | 14.5 |
![]() |
KJQF | Concord-Padgett Regional Airport | 048° | 15.8 |
![]() |
KIPJ | Lincolnton-Lincoln County Regional Airport | 327° | 19.2 |
![]() |
KEQY | Charlotte/Monroe Exec Airport | 125° | 20.0 |
![]() |
N52 | Jaars-Townsend Airport | 154° | 23.2 |
![]() |
14A | Lake Norman Airpark Airport | 006° | 24.1 |
![]() |
KDCM | Chester Catawba Regional Airport | 205° | 28.1 |
![]() |
KLKR | Lancaster County-Mc Whirter Field Airport | 170° | 29.8 |
![]() |
KEHO | Shelby-Cleveland County Regional Airport | 274° | 32.0 |
![]() |
KSVH | Statesville Regional Airport | 359° | 33.1 |
![]() |
KRUQ | Mid-Carolina Regional Airport | 039° | 33.4 |








