Login
Register
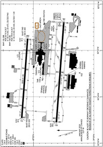
CMH
John Glenn Columbus International Airport
Official FAA Data Effective 2026-01-22 0901Z
VFR Chart of KCMH
Sectional Charts at SkyVector.com
IFR Chart of KCMH
Enroute Charts at SkyVector.com
Location Information for KCMH
Coordinates: N39°59.82' / W82°53.53'Located 06 miles E of Columbus, Ohio on 2265 acres of land. View all Airports in Ohio.
Surveyed Elevation is 815 feet MSL.
Operations Data
|
|
Airport Communications
| D-ATIS: | 124.6 |
|---|---|
| ASOS: | 124.6 Tel. 614-333-9354 |
| COLUMBUS TOWER: | 132.7 257.8 |
| COLUMBUS GROUND: | 121.9 348.6 |
| COLUMBUS APPROACH: | 125.95 ;280-099 134.0 ;100-279 279.6 ;100-279 317.775 ;280-099 371.975 ;280-099 |
| COLUMBUS DEPARTURE: | 125.95 ;280-099 134.0 ;100-279 279.6 ;100-279 317.775 ;280-099 371.975 ;280-099 |
| IC: | 125.95 ;280-099 371.975 ;280-099 |
| CLEARANCE DELIVERY: | 126.3 |
| DUBLN STAR: | 125.95 371.975 |
| OPS: | 122.775 ;DEICE PAD CONTROL |
| EMERG: | 121.5 243.0 |
| CBUSS STAR: | 125.95 371.975 |
| SCRLT STAR: | 134.0 |
| JAKTZ STAR: | 134.0 |
| UNICOM: | 122.950 |
| CLPRR STAR: | 134.0 |
| CLASS C: | 125.95 ;280-099 134.0 ;100-279 279.6 ;100-279 317.775 ;280-099 |
| ATIS at OSU (9.7 NW): | 121.35 |
| ASOS at OSU (9.9 NW): | 121.35 614-451-2465 |
| ATIS at LCK (11.1 S): | 132.75 |
- SAID IN USE. OPERATE TRANSPONDERS WITH ALTITUDE REPORTING MODE AND ADS-B (IF EQUIPPED) ENABLED ON ALL AIRPORT SURFACES.
Nearby Navigation Aids
|
| ||||||||||||||||||||||||||||||||||||||||||||||||||||||||||||
Runway 10R/28L
| Dimensions: | 10114 x 150 feet / 3083 x 46 meters | |
|---|---|---|
| Surface: | Asphalt / Grooved in Good Condition | |
| Weight Limits: | S-120, D-250, ST-550, DT-1120
PCR VALUE: 778/F/A/X/T
| |
| Edge Lighting: | High Intensity | |
| Runway 10R | Runway 28L | |
| Coordinates: | N39°59.62' / W82°54.55' | N39°59.50' / W82°52.39' |
| Elevation: | 804.9 | 815.0 |
| Traffic Pattern: | Left | Left |
| Runway Heading: | 94° True | 274° True |
| Declared Distances: | TORA:10114 TODA:10114 ASDA:10114 LDA:10114 | TORA:10114 TODA:10114 ASDA:10114 LDA:10114 |
| Markings: | Precision Instrument in good condition. | Precision Instrument in good condition. |
| Glide Slope Indicator | P4L (3.00° Glide Path Angle) | P4L (3.00° Glide Path Angle) |
| RVR Equipment | Touchdown Rollout | Touchdown Rollout |
| Approach Lights: | MALSR 1,400 Foot Medium-intensity Approach Lighting System with runway alignment indicator lights. | MALSR 1,400 Foot Medium-intensity Approach Lighting System with runway alignment indicator lights. |
| Centerline Lights: | Yes | Yes |
Runway 10L/28R
| Dimensions: | 8000 x 150 feet / 2438 x 46 meters | |
|---|---|---|
| Surface: | Asphalt / Grooved in Good Condition | |
| Weight Limits: | S-120, D-242, ST-472, DT-965
PCR VALUE: 557/F/A/X/T
| |
| Edge Lighting: | High Intensity | |
| Runway 10L | Runway 28R | |
| Coordinates: | N40°0.19' / W82°54.46' | N40°0.10' / W82°52.75' |
| Elevation: | 814.7 | 812.3 |
| Traffic Pattern: | Left | Left |
| Runway Heading: | 94° True | 274° True |
| Declared Distances: | TORA:8000 TODA:8000 ASDA:8000 LDA:8000 | TORA:8000 TODA:8000 ASDA:8000 LDA:8000 |
| Markings: | Precision Instrument in good condition. | Precision Instrument in good condition. |
| Glide Slope Indicator | P4L (3.00° Glide Path Angle) | P4R (3.00° Glide Path Angle) |
| RVR Equipment | Touchdown Rollout | Touchdown Rollout |
| Approach Lights: | MALSR 1,400 Foot Medium-intensity Approach Lighting System with runway alignment indicator lights. | MALSR 1,400 Foot Medium-intensity Approach Lighting System with runway alignment indicator lights. |
Services Available
| Fuel: | 100 (green), Jet A-1+ |
|---|---|
| Transient Storage: | Hangars,Tiedowns |
| Airframe Repair: | MAJOR |
| Engine Repair: | MAJOR |
| Bottled Oxygen: | HIGH/LOW |
| Bulk Oxygen: | NONE |
| Other Services: | AIR FREIGHT SERVICES,AIR AMBULANCE SERVICES,AVIONICS,CARGO HANDLING SERVICES,CHARTER SERVICE,PILOT INSTRUCTION,AIRCRAFT RENTAL,AIRCRAFT SALES |
Ownership Information
| Ownership: | Publicly owned | |
|---|---|---|
| Owner: | COLUMBUS REGIONAL AIRPORT AUTH | |
| 4600 INTERNATIONAL GATEWAY | ||
| COLUMBUS, OH 43219 | ||
| 614-239-4000 | ||
| Manager: | JOE NARDONE | |
| COLUMBUS REGIONAL AIRPORT AUTHORITY, 4600 INTERNATIONAL GATEWAY | ||
| COLUMBUS, OH 43219 | ||
| 614-239-4004 | ||
Other Remarks
- MODEL ACFT TFC WITHIN A 1 NM RDS OF A POINT 8 NM ON A 010 DEG BRG FM THE ARPT; SFC - 5000 FT AGL; SR-SS DLY.
- ALL SURFACES AROUND TERMINAL; NORTH OF TWY 'D' & SOUTH OF TWY 'E' ARE NON-MOVEMENT AREAS.
- NOISE BARRIER LOCATED AT SE SIDE OF AIRFIELD RESTRICTED TO ACFT WITH WINGSPAN LESS THAN 79 FT.
- TO REQ LDG RIGHTS CTC US CUSTOMS BETWEEN 1230-0300Z, MON-FRI AT 614-497-1865.
- FLIGHT NOTIFICATION SERVICE (ADCUS) AVBL.
- TWY F1 RSTRD TO AIRCRAFT WITH WINGSPAN LESS THAN 120 FT.
- BIRDS INVOF ARPT.
- TWYS R2, R3, R4, R5 AND R6 RSTRD TO WINGSPAN LESS THAN 118 FT.
- TWY R1 RSTRD TO ACFT WITH WINGSPAN LESS THAN 79 FT.
- TAXILANE CONCOURSE A BTN TWY D3 AND TWY D4 CLSD TO ACFT WINGSPAN MORE THAN 130 FT.
- TAXILANE CONCOURSE C BTN TWY J AND TWY K CLSD TO ACFT WINGSPAN MORE THAN 135 FT.
- HOLD PAD FOR RWY 28L RSTRD TO ACFT WITH WINGSPAN LESS THAN 118 FT.
- PILOTS CONDUCTING EFVS OPS; BE AWARE LED ALS IN USE RWY 28L.
- TWY D-5 PAVEMENT (NORTH OF TWY D) IS RSTRD TO ACFT WITH WINGSPAN LESS THAN 79 FT.
- BE ALERT: RY 10L/28R RESTRICTIONS ON STAGE I & II TURBOJET ACFT 2200-0800 & ON STAGE III TURBOJET ACFT 2200-0700. PRACTICE APCHS FOR HIGH NOISE LEVEL TYPE ACFT INCLUDING NON-STAGE III MIL JET ACFT SHALL NOT BE APPROVED UNLESS RY 10R/28L IS IN USE & THE APCH TERMINATES IN A FULL STOP TAXI-BACK OPN.
- RWY 10L BLAST PAD 200 FT X 200 FT.
- RWY 28R BLAST PAD 200 FT X 200 FT.
Weather Minimums
Standard Terminal Arrival (STAR) Charts
Instrument Approach Procedure (IAP) Charts
Nearby Airports with Instrument Procedures
| ID | Name | Heading / Distance | ||
|---|---|---|---|---|
![]() |
KOSU | Ohio State University Airport | 300° | 9.7 |
![]() |
KLCK | Rickenbacker International Airport | 188° | 11.1 |
![]() |
KTZR | Bolton Field Airport | 243° | 12.7 |
![]() |
KLHQ | Fairfield County Airport | 143° | 18.1 |
![]() |
KDLZ | Delaware Municipal/Jim Moore Field Airport | 329° | 19.8 |
![]() |
KVTA | Licking County Regional Airport | 085° | 19.9 |
![]() |
KMRT | Union County Airport | 302° | 25.2 |
![]() |
4I3 | Knox County Airport | 040° | 26.1 |
![]() |
KUYF | Madison County Airport | 261° | 26.6 |
![]() |
KCYO | Pickaway County Memorial Airport | 188° | 29.1 |
![]() |
4I9 | Morrow County Airport | 003° | 31.7 |
![]() |
KRZT | Ross County Airport | 190° | 33.9 |








