Login
Register
FOK
Francis S Gabreski Airport
Official FAA Data Effective 2026-02-19 0901Z
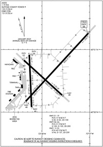
VFR Chart of KFOK
Sectional Charts at SkyVector.com
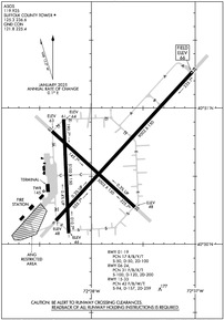
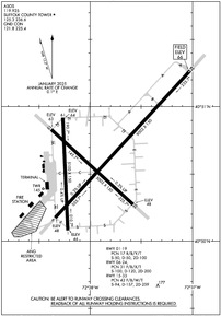
IFR Chart of KFOK
Enroute Charts at SkyVector.com
Location Information for KFOK
Coordinates: N40°50.62' / W72°37.91'Located 03 miles N of Westhampton Beach, New York on 1451 acres of land. View all Airports in New York.
Surveyed Elevation is 66 feet MSL.
Operations Data
|
|
Airport Communications
| ASOS: | 119.925 Tel. 631-288-0588 |
|---|---|
| SUFFOLK TOWER: | 125.3 236.6 |
| SUFFOLK GROUND: | 121.8 225.4 |
| NEW YORK APPROACH: | 125.975 343.65 |
| NEW YORK DEPARTURE: | 125.975 343.65 |
| ANG OPS: | 328.475 |
| NELIE STAR: | 120.05 343.75 |
| CTAF: | 125.300 |
| EMERG: | 121.5 |
| ASOS at HWV (10.8 W): | 119.625 631-399-7095 |
| AWOS-3PT at JPX (18.7 E): | 118.075 631-537-2527 |
| ATIS at ISP (21.5 W): | 120.725 |
- ATCT OPRD BY SUFFOLK ATC CORP.
Nearby Navigation Aids
|
| ||||||||||||||||||||||||||||||||||||||||||||||||||||||||||||
Runway 06/24
| Dimensions: | 9002 x 150 feet / 2744 x 46 meters RWY 06/24 1000 FT SAFETY AREA EACH END. | |
|---|---|---|
| Surface: | Asphalt-Concrete in Good Condition 6000 FT ASPH OVERLAY IN CNTR OF RWY. | |
| Weight Limits: | 31 /F/B/X/T, S-100, D-120, ST-200 | |
| Edge Lighting: | High Intensity | |
| Runway 06 | Runway 24 | |
| Coordinates: | N40°50.17' / W72°38.34' | N40°51.27' / W72°37.02' |
| Elevation: | 47.5 | 66.1 |
| Traffic Pattern: | Left | Right |
| Runway Heading: | 43° True | 223° True |
| Markings: | Precision Instrument in good condition. | Precision Instrument in good condition. |
| Glide Slope Indicator | P2L (3.00° Glide Path Angle) | P4L (3.00° Glide Path Angle) |
| Approach Lights: | MALSR 1,400 Foot Medium-intensity Approach Lighting System with runway alignment indicator lights. | |
| REIL: | Yes | |
| Obstacles: | 85 ft Trees 1776 ft from runway, 278 ft left of center +30 FT TREES, 135-285 FT FM RWY END, 357-530 FT RIGHT; +50 FT STRUCTURE, 1500 FT FM RWY, 78 FT RIGHT. |
70 ft Trees 1086 ft from runway, 620 ft left of center +85 FT TO 91 FT TREES, 2160 FT TO 2350 FT FM RWY, PERPENDICULAR TO EXTDD RWY CNTRLN. |
Runway 01/19
| Dimensions: | 5100 x 150 feet / 1554 x 46 meters SOUTH END RWY 900 FT & NORTH END RWY 1000 FT ARE SAFETY AREAS. | |
|---|---|---|
| Surface: | Asphalt-Concrete in Fair Condition | |
| Weight Limits: | 17 /R/B/Y/T, S-50, D-50, ST-100 | |
| Runway 01 | Runway 19 | |
| Coordinates: | N40°50.08' / W72°38.22' | N40°50.92' / W72°38.27' |
| Elevation: | 46.3 | 64.2 |
| Runway Heading: | 357° True | 177° True |
| Markings: | Basic in good condition. | Basic in good condition. |
| Obstacles: | 55 ft Trees 1342 ft from runway, 219 ft left of center +40 FT TO 55 FT TREES, 1280 FT TO 1360 FT FM RWY, PERPENDICULAR TO EXTDD RWY CNTRLN. |
49 ft Trees 1014 ft from runway, 329 ft left of center +33 FT TO 47 FT TREES, 1000 FT TO 1080 FT FM RWY, PERPENDICULAR TO EXTDD RWY CNTRLN. |
Runway 15/33
| Dimensions: | 5002 x 150 feet / 1525 x 46 meters RWY 15/33 1000 FT SAFETY AREA EACH END. | |
|---|---|---|
| Surface: | Asphalt in Good Condition | |
| Weight Limits: | 42 /F/B/W/T, S-94, D-157, ST-259 | |
| Edge Lighting: | Medium Intensity | |
| Runway 15 | Runway 33 | |
| Coordinates: | N40°50.83' / W72°38.38' | N40°50.27' / W72°37.58' |
| Elevation: | 63.0 | 48.1 |
| Traffic Pattern: | Left | Right |
| Runway Heading: | 132° True | 313° True |
| Markings: | Non-Precision Instrument in good condition. | Non-Precision Instrument in good condition. |
| Glide Slope Indicator | P2L (3.00° Glide Path Angle) | V4L (3.00° Glide Path Angle) |
| REIL: | Yes | Yes |
| Obstacles: | 58 ft Trees 1067 ft from runway, 153 ft left of center +35 FT TO 52 FT TREES, 1112 FT TO 1141 FT FM RWY, PERPENDICULAR TO EXTDD RWY CNTRLN. |
42 ft Trees 1070 ft from runway, 250 ft left of center +30 FT TO 33 FT TREES, 1035 FT TO 1103 FT FM RWY, PERPENDICULAR TO EXTDD RWY CNTRLN. |
Services Available
| Fuel: | 100LL (blue), Jet-A |
|---|---|
| Transient Storage: | Hangars,Tiedowns |
| Airframe Repair: | MAJOR |
| Engine Repair: | MAJOR |
| Bottled Oxygen: | HIGH/LOW |
| Bulk Oxygen: | NONE |
| Other Services: | AVIONICS,CHARTER SERVICE,AIRCRAFT SALES |
Ownership Information
| Ownership: | Publicly owned | |
|---|---|---|
| Owner: | COUNTY OF SUFFOLK | |
| COUNTY CENTER | ||
| RIVERHEAD, NY 11901 | ||
| (631) 852-8095 | ||
| Manager: | JOSHUA SMITH | |
| GABRESKI AIRPORT, ADMINISTRATION BLDG #1 | ||
| WESTHAMPTON, NY 11978 | ||
| 631-852-8095 | ||
Other Remarks
- OIL - O-148-156(MIL) SOAP.
- RSTD - NO 180 DEG TURNS PMTD ON ASPH SECTION OF RWY 06/24.
- CAUTION: BIRDS AND DEER HAZ. PJE VCNTY OF ARPT.
- CSTMS/AG/IMG: US CSTMS CLNC SVC AVBL WITH PN (FRG) 631-753-2691 (MIL FLTS WILL COORD THRU BASE OPNS 631-723-7362/7364). MIN 24 HR PN ON RGLR BUS DAY PRECDNG SVC RQR DATE, MAX PAX 15. US CSTMS HRS BTN 0800 AND 2200 LOCAL.
- CLASS D AIRSPACE EFF 1200-0400Z++; OT CLASS G.
- MILITARY: ANG: PPR OFFL BUS. FOR USE OF ANG RAMP. OFFL BUS ONLY PPR ALL ACFT, 48 HR PN, CTC AFLD OPS DSN 456-7362, C631-723-7362 DRG DUTY HR. TUE-FRI PPR DRG OFF-DUTY HR. 106 OG/CC APVL REQUIRED NML DUTY HR. NML DUTY HR 1200-2130++ MON-FRI. CLSD SAT, SUN, HOL AND EV OTR MON. LTD RAMP SPACE. TRAN ACFT MAY BE DIVERTED TO CIV FBO DRG NON-DUTY HR. NON-STANDARD MARKINGS ON HH-60 APRON; WHITE PAINTED LINES DENOTING A ROADWAY ON THE APRON BY THE PODS INDICATING WHERE A VEHICLE MUST DRIVE IN ORDER TO MAINTAIN ALL NECESSARY WINGTIP CLEARANCES.
- VOLUNTARY NOISE ABATEMENT PROCS IN EFCT; SEE ARPT WEBSITE.
- ANG: ADVSY FOR TRAN AIRCREWS - WING TIP CLNC WAIVER IN EFFECT ON GUARD C-130 RAMP.
- FUEL: A++ (MIL) AVBL.
- BEARING STRENGTH RWY 01-19: S38 T49
- FOR CD WHEN ATCT CLSD CTC NEW YORK APCH AT 516-683-2449.
- RCMDD RSVN WITH FBO PRIOR TO ARR.
- WHEN SAFETY AND OPNS ALLOW, RWY 24 PREF FOR NOISE ABATEMENT.
- BEARING STENGTH RWY 06-24: S100 DW120 DT 200.
- BEARING STENGTH RWY 15-33: S94 DW157 DT259.
- JASU: AVBL DUR ANG OPR HR. (A/M32A-86) 2(MA-1A).
- FUEL: AVBL DUR ANG OPR HR. J8(MIL) (NC-100LL, A).
- FLUID - SP DE-ICE LOX.
- 15/33 MIL MAX EFFORT LDG STRIP MKGS (3500 X 60) INCLD WITH NPI RWY MKGS.
- WHEN ATCT CLSD ACTVT MALSR RWY 24; REIL RWY 06, 15, & 33; PAPI RWY 06, 15 & 24; VASI RWY 33; HIRL RWY 06/24; MIRL RWY 15/33 - CTAF.
Weather Minimums
Standard Terminal Arrival (STAR) Charts
Instrument Approach Procedure (IAP) Charts
Nearby Airports with Instrument Procedures
| ID | Name | Heading / Distance | ||
|---|---|---|---|---|
![]() |
87N | Southampton Heliport | 088° | 7.5 |
![]() |
KHWV | Brookhaven Airport | 263° | 10.8 |
![]() |
KJPX | East Hampton Town Airport | 068° | 18.6 |
![]() |
KISP | Long Island Mac Arthur Airport | 262° | 21.5 |
![]() |
KHVN | Tweed/New Haven Airport | 335° | 27.7 |
![]() |
KBDR | Bridgeport/Sikorsky Airport | 310° | 29.5 |
![]() |
KSNC | Chester Airport | 009° | 32.9 |
![]() |
KMTP | Montauk Airport | 066° | 35.2 |
![]() |
KFRG | Republic Airport | 259° | 36.3 |
![]() |
0B8 | Elizabeth Field Airport | 047° | 36.6 |
![]() |
KGON | Groton-New London Airport | 042° | 39.5 |
![]() |
KMMK | Meriden Markham Municipal Airport | 347° | 40.9 |











