Login
Register
FPR
Treasure Coast International Airport
Official FAA Data Effective 2026-01-22 0901Z
From the Flight Deck
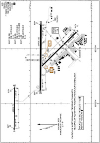
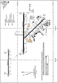
VFR Chart of KFPR
Sectional Charts at SkyVector.com
IFR Chart of KFPR
Enroute Charts at SkyVector.com
Location Information for KFPR
Coordinates: N27°29.85' / W80°22.36'Located 03 miles NW of Fort Pierce, Florida on 3844 acres of land. View all Airports in Florida.
Surveyed Elevation is 23 feet MSL.
Operations Data
|
|
Airport Communications
| ATIS: | 134.825 |
|---|---|
| ASOS: | Tel. 772-489-4281 |
| FT PIERCE TOWER: | 128.2 |
| FT PIERCE GROUND: | 119.55 |
| PALM BEACH APPROACH: | 132.8 ;SOUTH |
| PALM BEACH DEPARTURE: | 132.8 ;SOUTH |
| CTAF: | 128.200 |
| ASOS at VRB (9.7 N): | 120.575 772-978-9535 |
| ATIS at VRB (9.8 N): | 120.575 |
| AWOS-3PT at X26 (19.9 N): | 118.125 772-228-7020 |
Nearby Navigation Aids
|
| ||||||||||||||||||||||||||||||||||||||||||||||||||||||
Runway 10R/28L
| Dimensions: | 6492 x 150 feet / 1979 x 46 meters 25' PAVED SHOULDERS. | |
|---|---|---|
| Surface: | Asphalt in Fair Condition | |
| Weight Limits: | S-50, D-110, ST-230
PCR VALUE: 310/F/A/X/T
| |
| Edge Lighting: | Medium Intensity | |
| Runway 10R | Runway 28L | |
| Coordinates: | N27°29.84' / W80°22.76' | N27°29.83' / W80°21.56' |
| Elevation: | 23.0 | 21.1 |
| Traffic Pattern: | Right | Left |
| Runway Heading: | 90° True | 270° True |
| Declared Distances: | TORA:6492 TODA:6492 ASDA:6483 LDA:6483 | TORA:6492 TODA:6492 ASDA:6434 LDA:6434 |
| Markings: | Precision Instrument in good condition. | Precision Instrument in good condition. |
| Glide Slope Indicator | P4L (3.00° Glide Path Angle) | P4L (3.00° Glide Path Angle) |
| REIL: | Yes | Yes |
| Obstacles: | 26 ft Trees 1380 ft from runway, 555 ft left of center RWY 10R APCH SLP 50:1 TO AER. |
35 ft Trees 1160 ft from runway, 400 ft right of center RWY 28L APCH SLP 34:1 TO AER. |
Runway 14/32
| Dimensions: | 4755 x 100 feet / 1449 x 30 meters 50' PAVED SHOULDERS. | |
|---|---|---|
| Surface: | Asphalt in Excellent Condition | |
| Weight Limits: | S-15
PCR VALUE: 620/F/A/X/T
| |
| Edge Lighting: | Medium Intensity | |
| Runway 14 | Runway 32 | |
| Coordinates: | N27°29.81' / W80°22.32' | N27°29.25' / W80°21.70' |
| Elevation: | 22.5 | 22.9 |
| Traffic Pattern: | Right | Left |
| Runway Heading: | 135° True | 315° True |
| Markings: | Non-Precision Instrument in good condition. | Non-Precision Instrument in good condition. |
| Glide Slope Indicator | P4L (3.00° Glide Path Angle) | |
| Obstacles: | 32 ft Trees 1335 ft from runway, 260 ft right of center | 43 ft Trees 1690 ft from runway, 220 ft left of center |
Runway 10L/28R
| Dimensions: | 4000 x 75 feet / 1219 x 23 meters | |
|---|---|---|
| Surface: | Asphalt in Good Condition | |
| Weight Limits: | S-15
PCR VALUE: 130/F/A/Y/T
| |
| Edge Lighting: | Medium Intensity | |
| Runway 10L | Runway 28R | |
| Coordinates: | N27°30.26' / W80°23.46' | N27°30.26' / W80°22.72' |
| Elevation: | 22.9 | 23.0 |
| Traffic Pattern: | Right | |
| Runway Heading: | 90° True | 270° True |
| Markings: | Basic in good condition. | Basic in good condition. |
| Obstacles: | 78 ft Power Line 1765 ft from runway | 40 ft Trees 840 ft from runway, 105 ft left of center RWY 28R APCH SLP 21:1 TO AER. |
Services Available
| Fuel: | 100LL (blue), Jet-A |
|---|---|
| Transient Storage: | Hangars,Tiedowns |
| Airframe Repair: | MAJOR |
| Engine Repair: | MAJOR |
| Bottled Oxygen: | NONE |
| Bulk Oxygen: | HIGH/LOW |
| Other Services: | AIR AMBULANCE SERVICES,AVIONICS,CHARTER SERVICE,PILOT INSTRUCTION,AIRCRAFT RENTAL,AIRCRAFT SALES |
Ownership Information
| Ownership: | Publicly owned | |
|---|---|---|
| Owner: | ST. LUCIE COUNTY | |
| 2300 VIRGINIA AVE | ||
| FT PIERCE, FL 34982-5652 | ||
| 772-462-1732 | ||
| Manager: | CAMERON HOWARD | |
| 3000 CURTIS KING BOULEVARD | ||
| FT PIERCE, FL 34946 | ||
| 772-462-1727 | ||
Other Remarks
- THIS AIRPORT HAS BEEN SURVEYED BY THE NATIONAL GEODETIC SURVEY.
- 8 FT FENCE 400 FT FM CNTRLN ON NORTH SIDE OF RWY 10R/28L AND EAST OF RWY 14/32.
- VOLUNTARY NOISE ABATEMENT PROCS IN EFCT, CTC ARPT MGMT AT 772-462-1732.
- LGTD ARFF COM ANT 125 FT AGL (149 FT AMSL) LCTD 793 FT SSE OF RWY 27 THLD.
- RWY 10L/28R VFR TRNG RWY.
- HIGH TENSION PLINES 1/4 SM 'W' AER 10L UNMKD & UNLIGHTED.
- DRAINAGE CHANNEL 80 FT WIDE, 10 FT DEEP, 600 FT FM AER 10L.
- DRAINAGE CHANNEL 80 FT WIDE, 10 FT DEEP 530 FT AER 28R. 2 FT DRAINAGE DITCH 361 FT FR RY 10R THLD 259 FT RIGHT.
- 2 FT DRAINAGE DITCH 797 FT FM THR RWY 28L 349 FT LEFT.
- 2 FT DRAINAGE DITCH 367 FT 'W' OF TWY 'A1' BTWN TWY 'A' & RWY 10L/28R.
- FOR CD, IF UNA VIA GCO, CTC PALM BEACH APCH AT 561-684-9047 OR 561-275-1430.
- GCO AVBL ON FREQ 119.55 PALM BEACH CD.
- EXTENSIVE FLIGHT TRAINING ON AND WITHIN 20 MILES OF ARPT BLO 6000 FT. VFR TRAINING ACFT OUTSIDE OF CLASS D AIRSPACE TRANSMIT INTENDED ACTIVITY ON 123.3.
- NUMEROUS FLOCKS OF BIRDS & WILDLIFE ON AND INVOF ARPT.
- TWY C1 RESTRICTED TO ACFT WITH A WING SPAN OF 105 FT OR LESS.
- 0LL 100LL SELF SERVE
- ACTVT REIL RWY 10R & 28L; MIRL RWY 10L/28R, 10R/28L & 14/32 - CTAF.
Weather Minimums
Instrument Approach Procedure (IAP) Charts
Nearby Airports with Instrument Procedures
| ID | Name | Heading / Distance | ||
|---|---|---|---|---|
![]() |
KVRB | Vero Beach Regional Airport | 345° | 9.8 |
![]() |
X26 | Sebastian Municipal Airport | 340° | 20.0 |
![]() |
KSUA | Witham Field Airport | 156° | 20.6 |
![]() |
KOBE | Okeechobee County Airport | 241° | 29.0 |
![]() |
X59 | Valkaria Airport | 340° | 29.4 |
![]() |
06FA | William P Gwinn Airport | 176° | 35.3 |
![]() |
KMLB | Melbourne Orlando International Airport | 338° | 39.0 |
![]() |
F45 | North Palm Beach County General Aviation Airport | 168° | 39.8 |
![]() |
KCOF | Patrick Space Force Base Airport | 344° | 45.9 |
![]() |
KPHK | Palm Beach County Glades Airport | 202° | 46.0 |
![]() |
KPBI | Palm Beach International Airport | 163° | 50.9 |
![]() |
KSEF | Sebring Regional Airport | 267° | 51.8 |








