Login
Register
HLR
Yoakum-Defrenn AHP Heliport
Official FAA Data Effective 2026-05-14 0901Z
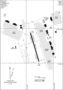
VFR Chart of KHLR
Sectional Charts at SkyVector.com
IFR Chart of KHLR
Enroute Charts at SkyVector.com
Location Information for KHLR
Coordinates: N31°8.26' / W97°42.85'Located 01 miles NE of Fort Hood (Killeen), Texas. View all Airports in Texas.
Surveyed Elevation is 910 feet MSL.
Operations Data
|
|
Airport Communications
| ATIS: | 138.6 |
|---|---|
| HOOD TOWER: | 119.65 269.45 |
| HOOD GROUND: | 133.85 225.4 |
| GRAY APPROACH: | 120.075 323.15 |
| GRAY DEPARTURE: | 120.075 323.15 |
| CLEARANCE DELIVERY: | 225.4 |
| EMERG: | 121.5 243.0 |
| FLT FLW: | 141.175 357.5 |
| RANGE CTL: | 30.45 38.3 |
| PMSV METRO: | 306.5 |
| AWOS-3PT at ILE (3.4 SE): | 128.575 254-892-3293 |
| ATIS at GRK (7.3 SW): | 124.9 |
| AWOS-3PT at TPL (15.8 E): | 134.975 254-774-8337 |
- PMSV GRAY METRO: FOR REMOTE BRIEFING SVC CTC ROBERT GRAY AAF C254-288-9620, DSN 738-9620 OR 26 OWS, BARKSDALE AFB, C318-529-2651, DSN 331-2651. WX OBSN FULLY AUTOMATED VIA ASOS - C254-286-5692..
Nearby Navigation Aids
|
| ||||||||||||||||||||||||||||||||||||||||||||||||||||||||||||
Runway 16/34
| Dimensions: | 2676 x 75 feet / 816 x 23 meters | |
|---|---|---|
| Surface: | Asphalt in Good Condition | |
| Weight Limits: | 9 /F/C/W/T | |
| Edge Lighting: | Medium Intensity | |
| Runway 16 | Runway 34 | |
| Coordinates: | N31°8.47' / W97°42.92' | N31°8.04' / W97°42.77' |
| Elevation: | 910.0 | 883.1 |
| Markings: | Basic in good condition. | Basic in good condition. |
| RVR Equipment | Rollout | Touchdown |
Ownership Information
| Ownership: | Owned by the Army | |
|---|---|---|
| Owner: | US ARMY | |
| US ARMY AERONAUTICAL SVCS AGENCY, 9325 GUNSTON RD, STE N319 | ||
| FORT BELVOIR, VA 22060-5582 | ||
| Manager: | DIRECTORATE OF AVIATION OPERATIONS | |
| BLDG 90029, CLARKE RD | ||
| FORT CAVAZOS, TX 76544 | ||
| 254-288-3811 | AMGR; DIR OF AVN OPNS: 254-288-1424 | |
Other Remarks
- CAUTION: R6302 LCTD 1.1 NM N OF AFLD.
- TRAN ALERT: LTD TRAN PRK.
- RSTD: PPR ALL TRAN ACFT, C254-288-3811, DSN 738-3811 OR C254-287-7585 DSN 737-7585. RSTD FROM F/W ACFT.
- MISC: NO TRML FCST ISSUED FOR YOAKUM-DEFRENN AHP.
- SEE FLIP AP/1 SUPPLEMENTARY ARPT RMKS.
- CAUTION: SOME ACFT OPR IN AREA WO CONSPICUOUS MRK AND BLEND WITH TERRAIN.
- TFC PAT: LEFT AND RGT TFC ALT 1500'.
- SERVICE - FUEL - A++. RAPID REFUEL OPR TIMES BY NOTAM.
- PMSV GRAY METRO: WX OBSN FULLY AUTOMATED. MANUAL BACK-UP PRVDD FOR EQUIPMENT/COMMUNICATION FAILURE ONLY DURING AFLD OPERATING HRS.
- CAUTION - EXTSV UAS ACT WI CLASS D ASP AND BTN ROBERT GRAY AAF AND R6302.
- HELIPAD (H) ON TWY G PERMLY CLSD.
- COMMUNICATIONS: PHANTOM RDO.
- CAUTION: INST FINAL APCH CRS CROSS 1 NM SW KILLEEN MUNI.
- CAUTION: INTS COPTER OPR VCNTY FT HOOD.
- RSTD: NO BASE OPS SVC AVBL AT YOAKUM-DEFRENN AHP, CTC ROBERT GRAY BASE OPS C254-288-9200, DSN 738-9200.
- OIL: SOAP.
- 16 H
- 34 H
- LGT-MIRL AHP 16-34 OPR 1400-0600++ WKD EXC FED HOL OT PCL 119.65.
Weather Minimums
Instrument Approach Procedure (IAP) Charts
Departure Procedure (DP) Charts
Nearby Airports with Instrument Procedures
| ID | Name | Heading / Distance | ||
|---|---|---|---|---|
![]() |
KILE | Skylark Field Airport | 155° | 3.4 |
![]() |
KGRK | Robert Gray AAF Airport | 234° | 7.3 |
![]() |
KTPL | Draughon-Miller Central Texas Regional Airport | 086° | 15.8 |
![]() |
KLZZ | Lampasas Airport | 265° | 24.9 |
![]() |
KGTU | Georgetown Exec Airport | 176° | 27.5 |
![]() |
KPWG | Mc Gregor Exec Airport | 044° | 29.2 |
![]() |
KBMQ | Burnet Municipal/Kate Craddock Field Airport | 228° | 36.1 |
![]() |
T74 | Taylor Municipal Airport | 157° | 36.6 |
![]() |
KACT | Waco Regional Airport | 041° | 37.7 |
![]() |
KMNZ | Hamilton Municipal Airport | 324° | 38.7 |
![]() |
KRYW | Lago Vista Tx/Rusty Allen Airport | 199° | 40.5 |
![]() |
KCNW | Tstc Waco Airport | 047° | 44.5 |







