Login
Register
MEM
Frederick W Smith International Airport
Official FAA Data Effective 2026-01-22 0901Z
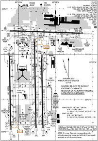
VFR Chart of KMEM
Sectional Charts at SkyVector.com
IFR Chart of KMEM
Enroute Charts at SkyVector.com
Location Information for KMEM
Coordinates: N35°2.54' / W89°58.60'Located 03 miles S of Memphis, Tennessee on 3900 acres of land. View all Airports in Tennessee.
Surveyed Elevation is 340 feet MSL.
Operations Data
|
|
Airport Communications
| D-ATIS: | 127.75 |
|---|---|
| ASOS: | 127.75 Tel. 901-842-8483 |
| MEMPHIS TOWER: | 118.3 ;RWY 09/27 119.7 ;RWY 18L/36R, 18C/36C 128.425 ;RWY 18R/36L 257.8 |
| MEMPHIS GROUND: | 121.0 ;RWY 09/27 121.65 ;RWY 18R/36L 121.9 ;RWY 18L/36R, 18C/36C 379.2 |
| MEMPHIS APPROACH: | 119.1 ;176-355 125.8 ;356-175 291.6 ;176-355 338.3 ;356-175 |
| MEMPHIS DEPARTURE: | 124.15 ;356-175 124.65 ;176-355 284.7 ;176-355 385.45 ;356-175 |
| IC: | 119.1 ;176-355 125.8 ;356-175 291.6 ;176-355 338.3 ;356-175 |
| CLEARANCE DELIVERY: | 125.2 125.2 |
| GRRIZ DP: | 124.65 284.7 |
| ANG COMD POST: | 138.1 353.45 |
| OLEMS DP: | 124.65 284.7 |
| CHLDR DP: | 124.65 284.7 |
| UNICOM: | 122.950 |
| HOTRD DP: | 124.65 284.7 |
| ZUMIT DP: | 124.65 284.7 |
| AUTMN DP: | 124.65 284.7 |
| NIKEI DP: | 124.65 284.7 |
| CRSON DP: | 124.15 385.45 |
| FINAL: | 120.925 126.05 ;RWY 09/27 126.7 263.6 |
| JTEEE DP: | 124.65 284.7 |
| BINKY DP: | 124.65 284.7 |
| PIEPE DP: | 124.65 284.7 |
| BBKNG DP: | 124.15 385.45 |
| PRE TAXI CLNC: | 125.2 125.2 |
| GOETZ DP: | 124.15 385.45 |
| DUCKZ DP: | 124.65 284.7 |
| EMERG: | 121.5 243.0 |
| CLASS B: | 119.1 ;176-355 125.8 ;356-175 291.6 ;176-355 338.3 ;356-175 |
| AZONE DP: | 124.15 385.45 |
| SELPH DP: | 124.15 385.45 |
| GENEH DP: | 124.15 385.45 |
| GMBUD DP: | 124.15 385.45 |
| AWOS-3 at OLV (10.1 SE): | 119.925 662-893-5906 |
| ATIS at OLV (10.1 SE): | 119.925 |
| AWOS-3PT at M01 (10.2 N): | 118.35 901-354-9296 |
- ASDE-X IN USE. OPERATE TRANSPONDERS WITH ALTITUDE REPORTING MODE AND ADS-B (IF EQUIPPED) ENABLED ON ALL AIRPORT SURFACES.
Nearby Navigation Aids
|
| ||||||||||||||||||||||||||||||||||||||||||||||||||||||
Runway 18C/36C
| Dimensions: | 11120 x 150 feet / 3389 x 46 meters | |
|---|---|---|
| Surface: | Concrete / Grooved in Good Condition | |
| Weight Limits: | S-120, D-250, ST-550, DT-1120
SINGLE BELLY TWIN TANDEM LNDG GEAR - 621.
PCR VALUE: 1253/R/C/W/T
| |
| Edge Lighting: | High Intensity | |
| Runway 18C | Runway 36C | |
| Coordinates: | N35°3.28' / W89°58.57' | N35°1.44' / W89°58.53' |
| Elevation: | 270.6 | 340.9 |
| Traffic Pattern: | Left | Right |
| Runway Heading: | 179° True | 359° True |
| Declared Distances: | TORA:11120 TODA:11120 ASDA:11120 LDA:11120 | TORA:11120 TODA:11120 ASDA:10715 LDA:10715 |
| Markings: | Precision Instrument in good condition. | Precision Instrument in good condition. |
| Glide Slope Indicator | P4L (3.00° Glide Path Angle) | |
| RVR Equipment | Touchdown Midfield Rollout | Touchdown Midfield Rollout |
| Approach Lights: | MALSR 1,400 Foot Medium-intensity Approach Lighting System with runway alignment indicator lights. | ALSF2 Standard 2,400 Foot High-intensity Approach Lighting System with sequenced flashers, CATEGORY II or III Configuration. |
| Centerline Lights: | Yes | Yes |
| Obstacles: | 64 ft Pole 2593 ft from runway, 804 ft right of center | 36 ft Tree 1849 ft from runway, 745 ft left of center |
Runway 18R/36L
A-GEAR: ENGRD MTRL EMAS 316 FT LEN 178 FT WID DEP END RWY 18R. | ||
| Dimensions: | 9320 x 150 feet / 2841 x 46 meters | |
|---|---|---|
| Surface: | Concrete / Grooved in Good Condition | |
| Weight Limits: | S-120, D-250, ST-550, DT-1120
SINGLE BELLY TWIN TANDEM LNDG GEAR - 621.
PCR VALUE: 1253/R/C/W/T
| |
| Edge Lighting: | High Intensity | |
| Runway 18R | Runway 36L | |
| Coordinates: | N35°2.97' / W89°59.25' | N35°1.43' / W89°59.21' |
| Elevation: | 288.4 | 320.8 |
| Traffic Pattern: | Right | Left |
| Runway Heading: | 179° True | 359° True |
| Declared Distances: | TORA:9320 TODA:9320 ASDA:9320 LDA:9320 | TORA:9320 TODA:9320 ASDA:9320 LDA:9320 |
| Markings: | Precision Instrument in good condition. | Precision Instrument in good condition. |
| Glide Slope Indicator | P4L (3.00° Glide Path Angle) | |
| RVR Equipment | Touchdown Midfield Rollout | Touchdown Midfield Rollout |
| Approach Lights: | MALSR 1,400 Foot Medium-intensity Approach Lighting System with runway alignment indicator lights. | ALSF2 Standard 2,400 Foot High-intensity Approach Lighting System with sequenced flashers, CATEGORY II or III Configuration. |
| Centerline Lights: | Yes | Yes |
| Obstacles: | 30 ft Tree 1284 ft from runway, 662 ft left of center | |
Runway 18L/36R
| Dimensions: | 9000 x 150 feet / 2743 x 46 meters | |
|---|---|---|
| Surface: | Concrete / Grooved in Good Condition | |
| Weight Limits: | S-120, D-250, ST-550, DT-1120
SINGLE BELLY TWIN TANDEM LNDG GEAR - 621.
PCR VALUE: 1207/R/C/W/T
| |
| Edge Lighting: | High Intensity | |
| Runway 18L | Runway 36R | |
| Coordinates: | N35°2.93' / W89°58.38' | N35°1.45' / W89°58.35' |
| Elevation: | 277.6 | 334.3 |
| Runway Heading: | 179° True | 359° True |
| Declared Distances: | TORA:9000 TODA:9000 ASDA:9000 LDA:9000 | TORA:9000 TODA:9000 ASDA:9000 LDA:9000 |
| Markings: | Precision Instrument in good condition. | Precision Instrument in good condition. |
| Glide Slope Indicator | P4L (3.00° Glide Path Angle) | P4R (3.00° Glide Path Angle) |
| RVR Equipment | Touchdown Midfield Rollout | Touchdown Midfield Rollout |
| Approach Lights: | MALSR 1,400 Foot Medium-intensity Approach Lighting System with runway alignment indicator lights. | ALSF2 Standard 2,400 Foot High-intensity Approach Lighting System with sequenced flashers, CATEGORY II or III Configuration. ALSF2 UNMNTD. |
| Centerline Lights: | Yes | Yes |
| Obstacles: | 101 ft Trees 2780 ft from runway, 739 ft right of center | |
Runway 09/27
| Dimensions: | 8946 x 150 feet / 2727 x 46 meters | |
|---|---|---|
| Surface: | Concrete / Grooved in Good Condition | |
| Weight Limits: | S-120, D-250, ST-550, DT-1120
PCR VALUE: 1253/R/C/W/T
| |
| Edge Lighting: | High Intensity | |
| Runway 09 | Runway 27 | |
| Coordinates: | N35°3.52' / W89°59.14' | N35°3.47' / W89°57.35' |
| Elevation: | 253.2 | 292.0 |
| Traffic Pattern: | Left | |
| Runway Heading: | 92° True | 272° True |
| Declared Distances: | TORA:8946 TODA:8946 ASDA:8946 LDA:8946 | TORA:8946 TODA:8946 ASDA:8946 LDA:8946 |
| Markings: | Precision Instrument in good condition. | Precision Instrument in good condition. |
| Glide Slope Indicator | P4L (3.00° Glide Path Angle) | |
| RVR Equipment | Touchdown Rollout | Touchdown Rollout |
| Approach Lights: | MALSR 1,400 Foot Medium-intensity Approach Lighting System with runway alignment indicator lights. | MALSR 1,400 Foot Medium-intensity Approach Lighting System with runway alignment indicator lights. |
| Centerline Lights: | Yes | Yes |
| Obstacles: | 27 ft Pole 1243 ft from runway, 607 ft left of center | 50 ft Pole 1707 ft from runway, 662 ft right of center |
Services Available
| Fuel: | 100LL (blue), Jet-A, Jet A+, A++ |
|---|---|
| Transient Storage: | Hangars,Tiedowns |
| Airframe Repair: | MAJOR |
| Engine Repair: | MAJOR |
| Bottled Oxygen: | NOT AVAILABLE |
| Bulk Oxygen: | HIGH/LOW |
| Other Services: | AIR FREIGHT SERVICES,AVIONICS,CARGO HANDLING SERVICES,CHARTER SERVICE,AIRCRAFT RENTAL,AIRCRAFT SALES |
Ownership Information
| Ownership: | Publicly owned | |
|---|---|---|
| Owner: | MEMPHIS SHELBY CNTY ARPT AUTH | |
| 2491 WINCHESTER RD. | ||
| MEMPHIS, TN 38116-3856 | ||
| 901-922-8000 | ||
| Manager: | TERRY BLUE | |
| 2491 WINCHESTER RD., SUITE 113 | ||
| MEMPHIS, TN 38116-3856 | ||
| 901-922-8000 | ||
Other Remarks
- TWY N NORTH OF TWY V, TWY C NORTH OF TWY V, TWY S NORTH OF TWY V AND TWY V WEST OF TWY N DESIGNATED AS NON-MOVEMENT AREAS.
- LRG & HVY EBND ACFT ON TWY V FOR RWY 27 HOLD SHORT AT MNM THRUST AREA SIGN.
- PPR FOR TAXI CLNC ON TWY N NORTH OF TWY V, TWY S NORTH TWY V & TWY C NORTH OF TWY V - FEDEX RAMP ATCT 131.5.
- TWY V BTN SPOT 7W & RWY 27 RSTR TO ACFT WITH WINGSPAN OF 171 FT 6 IN OR LESS.
- TWY V BTN TWY S & Y RSTR TO ACFT WITH TAIL HEIGHT 65 FT 10 IN OR LESS.
- ANG-PPR DSN 726-7131/7505, C901-291-7131/7505. MIL RAMP OPS 1230-0430Z++ MON-FRI; CLSD ALTN MON & HOL. MIL RAMP CLSD OUTSIDE OF PUB HR WITHOUT OG/CC APVL DSN 726-7557, C901-291-7557. TSNT ACFT MAINT NOT AVBL. REFUEL SVC FOR OTR THAN C17 ACFT RQR QUALIFIED CREW CHIEF OR CREWMEMBERS. NON-C17 ACFT SUPPORT PRVDD BY CONTRACT FBO ON FLD. SECURITY AVBL 24 HRS, DSN 726-7101, C901-291-7101. COMD POST DSN 726-7148/7311/7312, C901-291-7148/7311/7312. OPR 1230-0430Z++ MON-FRI, CLSD ALTN MON AND HOL DUE TO ALTN WORK SCHED. AFLD MGR DOES NOT ISSUE OR STORE COMSEC FOR TRAN CRES. TMPRY STOR OF CLASSIFIED MATERIALS UP TO TOP SECRET AT COMD POST.
- CTC RAMP CONTROL 121.8 FOR ENTRY ON ANG RAMP. ANG FREQS 138.95 353.45. AFT HR CTC COMMAND POST - DSN 726-7148; C901-291-7311/7312 OR SECURITY FORCES - DSN 726-7101; C901-291-7101/7133.
- HOLD SHORT INSTRN READ BACK RQR.
- BASH PHASE II APR-MAY & AUG-OCT; CURRENT BIRD WATCH COND NOT ON ATIS.
- ANG RAMP OFFL BUS ONLY; PPR - V966-8131. TSNT ACFT RQR FOLLOW ME ASSIST ENTERING ANG RAMP.
- PPR FOR TAXI CLNC FM N & S CARGO RAMP PRKG - 121.9.
- COMMUNICATIONS-ANG COMD POST: RADIO CALL GRACELAND OPS.
- NOISE ABATEMENT PROC IN EFCT. SUCCESSIVE AND/OR SIMUL DEP APVD ON RWY 36L-18R & RWY 36C-18C OR RWY 36L-18R & RWY 36R-18L WITH COURSE DVRGNC NO LATER THAN 2.27 NM FROM RWY END.
- ANG: PPR 24 HR PN RQR; OFFL BUS ONLY.
- AIRCRAFT WITH WINGSPANS GREATER THAN 118 FEET RESTRICTED FROM TAXIING ON TWY J NORTH OF TWY U.
- ANG-ATIS INFO RPRTS BIRD ACT H24.
- HELI OPS TO/FM TRML BLDG NA.
- MIL: MIL RAMP OPS AT REDUCED ARFF, DOWNGRADED TO YELLOW.
- TWY N BTN TWY M & TWY M7 CLSD TO WINGSPAN MORE THAN 171.5 FT EXC TAX SPEED LESS THAN 15 MPH.
- MEM AD AP ALL SAFETY AREA NOT STD GRADING.
- PILOTS CONDUCTING EFVS OPS; BE AWARE LED ALS IN USE RWY 18L.
- BIRDS INVOF ARPT.
Weather Minimums
Standard Terminal Arrival (STAR) Charts
Instrument Approach Procedure (IAP) Charts
- ILS OR LOC RWY 09

- ILS OR LOC RWY 18C

- ILS OR LOC RWY 18L

- ILS OR LOC RWY 18R

- ILS OR LOC RWY 27

- ILS OR LOC RWY 36C

- ILS OR LOC RWY 36L

- ILS OR LOC RWY 36R

- ILS RWY 36C (CAT II - III)

- ILS RWY 36L (CAT II - III)

- ILS RWY 36R (CAT II - III)

- RNAV (RNP) X RWY 18L

- RNAV (RNP) X RWY 18R

- RNAV (RNP) Y RWY 18C

- RNAV (RNP) Y RWY 18L

- RNAV (RNP) Y RWY 18R

- RNAV (GPS) RWY 09

- RNAV (GPS) RWY 27

- RNAV (GPS) RWY 36C

- RNAV (GPS) RWY 36L

- RNAV (GPS) RWY 36R

- RNAV (GPS) Z RWY 18C

- RNAV (GPS) Z RWY 18L

- RNAV (GPS) Z RWY 18R

Departure Procedure (DP) Charts
- AUTMN SIX (RNAV)

- AUTMN SIX (RNAV), CONT.1

- AZONE SEVEN (RNAV)

- AZONE SEVEN (RNAV), CONT.1

- BBKNG SEVEN (RNAV)

- BBKNG SEVEN (RNAV), CONT.1

- BINKY SIX (RNAV)

- BINKY SIX (RNAV), CONT.1

- CHLDR FIVE (RNAV)

- CHLDR FIVE (RNAV), CONT.1

- CRSON SEVEN (RNAV)

- CRSON SEVEN (RNAV), CONT.1

- DUCKZ FIVE (RNAV)

- DUCKZ FIVE (RNAV), CONT.1

- ELVIS FOUR

- ELVIS FOUR, CONT.1

- ELVIS FOUR, CONT.2

- GENEH SEVEN (RNAV)

- GENEH SEVEN (RNAV), CONT.1

- GMBUD SEVEN (RNAV)

- GMBUD SEVEN (RNAV), CONT.1

- GOETZ SEVEN (RNAV)

- GOETZ SEVEN (RNAV), CONT.1

- GRRIZ FIVE (RNAV)

- GRRIZ FIVE (RNAV), CONT.1

- HOTRD FIVE (RNAV)

- HOTRD FIVE (RNAV), CONT.1

- JTEEE FIVE (RNAV)

- JTEEE FIVE (RNAV), CONT.1

- NIKEI FIVE (RNAV)

- NIKEI FIVE (RNAV), CONT.1

- OLEMS SIX (RNAV)

- OLEMS SIX (RNAV), CONT.1

- PIEPE SIX (RNAV)

- PIEPE SIX (RNAV), CONT.1

- SELPH SEVEN (RNAV)

- SELPH SEVEN (RNAV), CONT.1

- ZUMIT FIVE (RNAV)

- ZUMIT FIVE (RNAV), CONT.1

Nearby Airports with Instrument Procedures
| ID | Name | Heading / Distance | ||
|---|---|---|---|---|
![]() |
KOLV | Olive Branch/Taylor Field Airport | 112° | 10.1 |
![]() |
M01 | General Dewitt Spain Airport | 338° | 10.2 |
![]() |
KAWM | West Memphis Municipal Airport | 293° | 13.9 |
![]() |
2M8 | Charles W Baker Airport | 008° | 14.3 |
![]() |
KNQA | Millington/Memphis Airport | 015° | 19.5 |
![]() |
M41 | Holly Springs-Marshall County Airport | 122° | 26.6 |
![]() |
KUTA | Tunica Municipal Airport | 220° | 28.2 |
![]() |
KFYE | Fayette County Airport | 070° | 30.3 |
![]() |
M04 | Covington Municipal Airport | 030° | 37.6 |
![]() |
7M4 | Osceola Municipal Airport | 357° | 38.9 |
![]() |
KPMU | Panola County Airport | 174° | 40.9 |
![]() |
KDRP | Delta Regional Airport | 276° | 42.1 |








