Login
Register
PAE
Seattle Paine Field International Airport
Official FAA Data Effective 2025-12-25 0901Z
From the Flight Deck
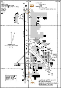
VFR Chart of KPAE
Sectional Charts at SkyVector.com
IFR Chart of KPAE
Enroute Charts at SkyVector.com
Location Information for KPAE
Coordinates: N47°54.44' / W122°16.93'Located 06 miles SW of Everett, Washington on 1315 acres of land. View all Airports in Washington.
Surveyed Elevation is 606 feet MSL.
Operations Data
|
|
Airport Communications
| ATIS: | 128.65 (425-355-9797) |
|---|---|
| ASOS: | Tel. 425-355-6192 |
| PAINE TOWER: | 120.2 ;RWY 16L/34R 132.95 ;RWY 16R/34L 256.7 |
| PAINE GROUND: | 121.8 339.8 |
| SEATTLE APPROACH: | 128.5 306.9 |
| SEATTLE DEPARTURE: | 128.5 306.9 |
| IC: | 132.95 ;RWY 16R/34L |
| CLEARANCE DELIVERY: | 127.175 |
| OLYMPIA STAR: | 125.6 273.45 |
| CTAF: | 132.950 |
| UNICOM: | 122.950 |
| AR OPS: | 34.1FM |
| AWOS-3PT at AWO (15.9 N): | 135.625 360-435-8045 |
| ASOS at BFI (21.8 S): | 206-658-6435 |
| ATIS at BFI (22.7 S): | 127.75 |
- FREQ 121.5 NOT AVBL.
Nearby Navigation Aids
|
| ||||||||||||||||||||||||||||||||||||||||||||||||||||||
Runway 16R/34L
WHEN ATCT CLSD INT DEP NA. TGL NA 0700-0900 MON-FRI. RUNUP AREA AT A4. | ||
| Dimensions: | 9010 x 150 feet / 2746 x 46 meters | |
|---|---|---|
| Surface: | Asphalt-Concrete / Grooved in Good Condition FIRST 1000 FT RWY 16R CONC. | |
| Weight Limits: | S-114, D-189, ST-320, DT-770
PCR VALUE: 460/F/B/X/T
| |
| Edge Lighting: | High Intensity | |
| Runway 16R | Runway 34L | |
| Coordinates: | N47°55.28' / W122°17.15' | N47°53.80' / W122°17.12' |
| Elevation: | 562.7 | 577.6 |
| Traffic Pattern: | Right | |
| Runway Heading: | 179° True | 359° True |
| Declared Distances: | TORA:9010 TODA:9010 ASDA:9010 LDA:9010 | TORA:9010 TODA:9010 ASDA:9010 LDA:9010 |
| Markings: | Precision Instrument in good condition. | Non-Precision Instrument in good condition. |
| Glide Slope Indicator | P4R (3.00° Glide Path Angle) | P4L (3.00° Glide Path Angle) |
| RVR Equipment | Touchdown Rollout | Touchdown Rollout |
| Approach Lights: | MALSR 1,400 Foot Medium-intensity Approach Lighting System with runway alignment indicator lights. | MALSF 1,400 Foot Medium-intensity Approach Lighting System with sequenced flashers. |
| Centerline Lights: | Yes | Yes |
| Obstacles: | 125 ft Trees 4000 ft from runway, 930 ft right of center | |
Runway 16L/34R
CLSD 0500-1500Z. AVOID INT DEP. LTD TO HEL 8000 LB OR LESS. RUNUP AREAS NEAR F1, F5, G4 & NON-MOV AREA W OF G1. | ||
| Dimensions: | 3004 x 75 feet / 916 x 23 meters | |
|---|---|---|
| Surface: | Asphalt in Good Condition | |
| Weight Limits: | 4 /F/B/Y/T, S-12 | |
| Edge Lighting: | Medium Intensity | |
| Runway 16L | Runway 34R | |
| Coordinates: | N47°54.39' / W122°16.30' | N47°53.89' / W122°16.30' |
| Elevation: | 602.9 | 599.8 |
| Traffic Pattern: | Right | |
| Runway Heading: | 180° True | 360° True |
| Declared Distances: | TORA:3004 TODA:3004 ASDA:3004 LDA:3004 | TORA:3004 TODA:3004 ASDA:3004 LDA:3004 |
| Markings: | Basic in good condition. | Basic in good condition. |
| Glide Slope Indicator | P2L (3.25° Glide Path Angle) | P2L (3.00° Glide Path Angle) |
| REIL: | Yes | Yes |
| Obstacles: | 9 ft Pole 400 ft from runway, 100 ft left of center | 25 ft Pole 690 ft from runway, 125 ft left of center |
Services Available
| Fuel: | 100LL (blue), Jet-A |
|---|---|
| Transient Storage: | Hangars,Tiedowns |
| Airframe Repair: | MAJOR |
| Engine Repair: | MAJOR |
| Bottled Oxygen: | HIGH |
| Bulk Oxygen: | HIGH |
| Other Services: | AIR FREIGHT SERVICES,AVIONICS,CHARTER SERVICE,PILOT INSTRUCTION,AIRCRAFT RENTAL,AIRCRAFT SALES |
Ownership Information
| Ownership: | Publicly owned | |
|---|---|---|
| Owner: | SNOHOMISH COUNTY | |
| 3000 ROCKEFELLER AVE. | ||
| EVERETT, WA 98201 | ||
| 425-388-5110 | ||
| Manager: | JOSHUA MARCY | |
| 9901 24TH PL. W, SUITE A | ||
| EVERETT, WA 98204 | ||
| 425-308-2347 | ||
Other Remarks
- BIRDS ON & INVOF ARPT.
- ITNRNT DEP OF SML ACFT OVR 250 HORSE PWR RWY 34R.
- TWY A-2 RSTRD TO 30000 LB.
- S 1200 FT E EDGE TWY A, TXL E FM SE CORNER OF W HNGRS TO TWY A & TXL H FM NW EDGE OF W HNGRS TO TXL E NOT VSB FM ATCT.
- TAXILANE E RSTRD TO WINGSPAN LESS THAN 171 FT. ACFT WINGSPAN OF 171 FT OR GREATER ON TAXILANE E, TUG OPS ONLY. EAST 500 FT OF TAXILANE E RSTRD TO WINGSPAN LESS THAN 49 FT.
- TWY C BTN TRML RAMP & CTL RAMP RSTRD WINGSPAN 68 FT OR LESS. TWY D, F, G & L RSTRD WINGSPAN LESS THAN 49 FT. TWY A4, A5, K7 & B RSTRD WINGSPAN LESS THAN 118 FT. TXL H RSTRD WINGSPAN LESS THAN 49 FT.
- DIVD FLTS NA EXC EMERG OR PPR - ARPT OPS 425-388-5125.
- BOEING RAMP ACES PPR - 206-544-5900. BFR TAX TO BOEING RAMP CTC BOEING TWR 123.475 OR 425-342-5900.
- NOISE SENS ARPT; NOISE ABATEMENT PROC REQ UNLESS DRCTD BY ATCT; ITNRNT ARR & LOW APCH OF SML ACFT OVR 250 HORSE PWR AUZD RWY 16L & 34R. 0500-1500Z++ IF WIND & PER ALLOW ARR RWY 16R; DEP RWY 34L. NOISE ABATEMENT & TFC PROC - 425-388-5125.
- TWY K1 CLSD UNDER 30000 LB.
- TSNT HEL EXP LNDG/TKOF TWY B.
- ARPT CONDS UNMNT 0000-0600.
- EMERG 121.5 UNMNT BY ATCT. SEATTLE TRACON MNT 121.5 FOR EVERETT PAE.
- FOR CD WHEN ATCT IS CLSD CTC SEATTLE APCH AT 206-214-4722.
- TKOF CLNC RWY 16R FULL LEN; ENT RWY VIA TWY A1 UNLESS TWY AA SPECIFIED.
- LRG ACFT FLY W PAT OVR WTR; SML ACFT FLY E PAT OVR ARPT.
- CTN: 80 FT LGT POLES SW EDGE BRAVO RAMP.
- MEDEVAC SVCS ARE CONDUCTED FM THE FBO AT THE BRAVO RAMP.
- ALERT; RWY 16R/34L CNVGG TFC BASE TO FNL 2100-0700.
- AVOID LOW LVL OTFC OF BOEING RAMP NE CORNER OF ARPT.
- TRNG OPS NA AFT 2200 HRS.
- 0LL 100LL SELF SVC H24 WITH CREDIT CARD AT CTL RAMP. HEL SELF SVC NA. AFT HR - 425-355-6600.
- WHEN ATCT CLSD, ACTVT MALSR RWY 16R; MALSF 34L; HIRL RWY 16R/34L - CTAF. PAPI RWY 34L OPR CONSLY.
Weather Minimums
Standard Terminal Arrival (STAR) Charts
Instrument Approach Procedure (IAP) Charts
Departure Procedure (DP) Charts
Nearby Airports with Instrument Procedures
| ID | Name | Heading / Distance | ||
|---|---|---|---|---|
![]() |
S43 | Harvey Field Airport | 091° | 7.2 |
![]() |
KAWO | Arlington Municipal Airport | 017° | 16.0 |
![]() |
KBFI | Boeing Field/King County International Airport | 182° | 22.7 |
![]() |
0S9 | Jefferson County International Airport | 292° | 23.0 |
![]() |
KRNT | Renton Municipal Airport | 173° | 25.0 |
![]() |
KOKH | Delaurentis Airport | 322° | 26.0 |
![]() |
KSEA | Seattle-Tacoma International Airport | 182° | 27.5 |
![]() |
KNUW | Whidbey Island NAS (Ault Field) Airport | 330° | 30.6 |
![]() |
KPWT | Bremerton Ntl Airport | 218° | 31.8 |
![]() |
KBVS | Skagit Regional Airport | 350° | 34.3 |
![]() |
S50 | Auburn Municipal Airport | 176° | 34.9 |
![]() |
KTIW | Tacoma Narrows Airport | 197° | 40.2 |








