Login
Register
NQI
Kingsville NAS Airport
Official FAA Data Effective 2026-04-16 0901Z
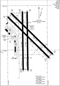
VFR Chart of KNQI
Sectional Charts at SkyVector.com
IFR Chart of KNQI
Enroute Charts at SkyVector.com
Location Information for KNQI
Coordinates: N27°30.27' / W97°48.50'Located 03 miles E of Kingsville, Texas. View all Airports in Texas.
Surveyed Elevation is 49 feet MSL.
Operations Data
|
|
Airport Communications
| ATIS: | 282.25 |
|---|---|
| KINGSVILLE TOWER: | 124.1 377.05 |
| KINGSVILLE GROUND: | 239.05 |
| KINGSVILLE APPROACH: | 119.9 290.45 |
| KINGSVILLE DEPARTURE: | 121.05 266.8 |
| CLEARANCE DELIVERY: | 328.4 |
| BASE OPS: | 274.8 |
| EMERG: | 121.5 243.0 |
| PMSV METRO: | 225.6 |
| AWOS-3P at IKG (12.2 W): | 119.075 361-592-9152 |
| AWOS-3 at RBO (17.6 N): | 118.175 361-767-1982 |
| ASOS at ALI (18.3 NW): | 119.225 361-668-0069 |
- APCH/DEP SVC PRVDD BY HOUSTON ARTCC (ZHU) ON FREQS 128.15/350.3 (SARITA RCAG) WHEN KINGSVILLE APCH CLSD.
- TRANS ACFT CTC APCH CTL 25 NM OUT.
- PMSV AVBL SUM 1000-0500Z++ MON-THU; 1000-2200Z++ FRI; 2000-0100Z++ SUN. WIN 1000-0500Z++ MON-THU; 1000-2200Z++ FRI; 1930-0100Z++ SUN.
Nearby Navigation Aids
|
| ||||||||||||||||||||||||||||||||||||
Runway 13L/31R
| Dimensions: | 8000 x 198 feet / 2438 x 60 meters | |
|---|---|---|
| Surface: | PEM in Fair Condition | |
| Weight Limits: | 49 /R/C/W/T | |
| Edge Lighting: | High Intensity | |
| Runway 13L | Runway 31R | |
| Coordinates: | N27°30.84' / W97°48.91' | N27°29.91' / W97°47.86' |
| Elevation: | 48.1 | 36.5 |
| Runway Heading: | 134° True | 314° True |
| Markings: | Precision Instrument in fair condition. | Precision Instrument in fair condition. |
| Glide Slope Indicator | P4L (3.00° Glide Path Angle) | |
| REIL: | Yes | Yes |
Runway 13R/31L
| Dimensions: | 8000 x 198 feet / 2438 x 60 meters | |
|---|---|---|
| Surface: | PEM in Fair Condition | |
| Weight Limits: | 48 /R/C/W/T | |
| Edge Lighting: | High Intensity | |
| Runway 13R | Runway 31L | |
| Coordinates: | N27°30.75' / W97°49.01' | N27°29.83' / W97°47.95' |
| Elevation: | 49.6 | 41.2 |
| Runway Heading: | 134° True | 314° True |
| Markings: | Precision Instrument in fair condition. | Precision Instrument in fair condition. |
| Glide Slope Indicator | P4L (3.00° Glide Path Angle) | |
| REIL: | Yes | Yes |
Runway 17L/35R
| Dimensions: | 8000 x 197 feet / 2438 x 60 meters | |
|---|---|---|
| Surface: | PEM in Good Condition | |
| Weight Limits: | 60 /R/C/W/T | |
| Edge Lighting: | High Intensity | |
| Runway 17L | Runway 35R | |
| Coordinates: | N27°30.87' / W97°48.51' | N27°29.55' / W97°48.49' |
| Elevation: | 47.9 | 46.5 |
| Runway Heading: | 179° True | 359° True |
| Markings: | Precision Instrument in good condition. | Precision Instrument in good condition. |
| Glide Slope Indicator | P4L (3.00° Glide Path Angle) | |
| Approach Lights: | OLS. WAVEOFF TDZL. | ALSF1 Standard 2,400 Foot High-intensity Approach Lighting System with sequenced flashers, CATEGORY I Configuration. OLS. WAVEOFF. |
| REIL: | Yes | Yes |
| Centerline Lights: | Yes | Yes |
Runway 17R/35L
| Dimensions: | 8000 x 198 feet / 2438 x 60 meters | |
|---|---|---|
| Surface: | PEM in Fair Condition | |
| Weight Limits: | 56 /R/C/W/T | |
| Edge Lighting: | High Intensity | |
| Runway 17R | Runway 35L | |
| Coordinates: | N27°30.87' / W97°48.64' | N27°29.55' / W97°48.62' |
| Elevation: | 47.9 | 47.6 |
| Runway Heading: | 179° True | 359° True |
| Markings: | Precision Instrument in fair condition. | Precision Instrument in fair condition. |
| Glide Slope Indicator | P4L (3.00° Glide Path Angle) | |
| REIL: | Yes | Yes |
Services Available
| Fuel: | NONE |
|---|---|
| Transient Storage: | NONE |
| Airframe Repair: | NOT AVAILABLE |
| Engine Repair: | NOT AVAILABLE |
| Bottled Oxygen: | NONE |
| Bulk Oxygen: | LOW |
Ownership Information
| Ownership: | Owned by the Navy | |
|---|---|---|
| Owner: | U S NAVY | |
| OCEANOGRAPHIC OFC-CODE 3142 | ||
| WASHINGTON, DC 20373 | ||
| Manager: | COMMANDING OFFICER | |
| NAVAL AIR STATION | ||
| KINGSVILLE, TX 78363 | ||
| 361-516-4331 | ||
Other Remarks
- CAUTION: HVY JET INST TRNG DUR FLD OPR HR.
- BEARING STRENGTH RWY 13R/31L: ST175 SBTT593 TRT585.
- BEARING STRENGTH RWY 17R/35L: ST175 SBTT593 TRT585.
- BEARING STRENGTH RWY 17L/35R: ST175 SBTT593 TRT585.
- SERVICE - LGT: OLS GS 3.25DEG.
- JASU: 1(NC-10) 1(GTC-85).
- FUEL: JAA.
- FLUID: SP PRESAIR LOX.
- OIL: O-148-156.
- TRAN ALERT: EXPC SVCG DLAS WKEND. SVC NOT AVBL SUN TIL 2300Z++. TRAN CREW IS RESPONSIBLE FOR FUELING ACFT. DRAG CHUTE REPACK UNAVBL.
- CAUTION: BIRD AND LARGE WILDLIFE HAZARD.
- TRAN ACFT CTC APP CON 25 NM OUT.
- CAUTION: AVOID OVFT OF CHEMICAL PLANT 5 NM N.
- CAT C AFLD.
- TFC PAT: ARR TSNT ACFT EXP ENR DESCENT.
- TFC PAT: USE LDG/TAXI LGT FOR FINAL PORTION OF INST APCH DURG VFR.
- RSTD: PPR FOR NON-CNATRA ACFT CTC BASE OPS DURG FLD OPR HR DSN 876-6108, C361-516-6108. FOR CALP PROCESSING CTC AFLD MGR VIA BASE OPS.
- MISC: DURG FCLP PERIODS OR SINGLE RWY OPNS PRACTICE APCHS FOR TRANS ACFT MAY BE DENIED. PRACTICE APCHS FOR TRANS ACFT MAY BE PERMITTED AT ALL OTHER TIMES BUT DLYS OR WAVE-OFFS SHOULD BE ANTICIPATED.
- BEARING STRENGTH RWY 13L/31R: ST 175 SBTT593 TRT585.
- AVBL ONLY DURG HRS OF OPN.
- HOOK E28(B) (1050').
- HOOK E28(B) (1550').
- HOOK E28(B) (1675').
- HOOK E28(B) (1250').
- HOOK E28(B) (1503').
- HOOK E28(B) (1500').
- HOOK E28(B) (1600').
- HOOK E28(B) (1516').
Weather Minimums
Instrument Approach Procedure (IAP) Charts
Departure Procedure (DP) Charts
Nearby Airports with Instrument Procedures
| ID | Name | Heading / Distance | ||
|---|---|---|---|---|
![]() |
KIKG | Kleberg County Airport | 283° | 12.2 |
![]() |
KRBO | Nueces County Airport | 021° | 17.5 |
![]() |
KALI | Alice International Airport | 320° | 18.3 |
![]() |
KCRP | Corpus Christi International Airport | 045° | 22.9 |
![]() |
KBKS | Brooks County Airport | 223° | 24.5 |
![]() |
KNOG | Orange Grove Nalf Airport | 331° | 26.6 |
![]() |
KNGP | Corpus Christi NAS (Truax Field) Airport | 067° | 29.8 |
![]() |
KRAS | Mustang Beach Airport | 064° | 42.5 |
![]() |
KHBV | Jim Hogg County Airport | 259° | 50.4 |
![]() |
KBEA | Beeville Municipal Airport | 000° | 51.4 |
![]() |
TX2 | Chase Field Industrial Airport | 008° | 51.9 |
![]() |
KRKP | Aransas County Airport | 049° | 53.5 |






