Login
Register
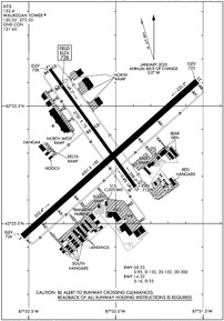
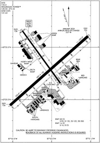
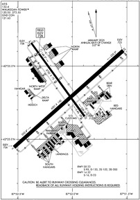
UGN
Waukegan Ntl Airport
Official FAA Data Effective 2024-04-18 0901Z
From the Flight Deck
VFR Chart of KUGN
Sectional Charts at SkyVector.com
IFR Chart of KUGN
Enroute Charts at SkyVector.com
Location Information for KUGN
Coordinates: N42°25.33' / W87°52.07'Located 35 miles N of Chicago/Waukegan, Illinois on 600 acres of land. View all Airports in Illinois.
Surveyed Elevation is 728 feet MSL.
Operations Data
|
|
Airport Communications
| ATIS: | 132.4 |
|---|---|
| ASOS: | Tel. 847-782-0876 |
| WAUKEGAN TOWER: | 120.05 273.55 |
| WAUKEGAN GROUND: | 121.65 |
| CHICAGO APPROACH: | 120.55 |
| CHICAGO DEPARTURE: | 120.55 |
| GOPAC STAR: | 126.5 307.0 |
| EMERG: | 121.5 |
| CTAF: | 120.050 |
| ATIS at ENW (10.8 N): | 127.175 |
| ASOS at ENW (10.9 N): | 262-652-7730 |
| ASOS at PWK (18.2 S): | 847-465-0291 |
- ATCT OPERATED BY CONTRACT WITH ITAP (INTERNATIONAL TECHNICAL AVIATION PERSONNEL INC).
Nearby Navigation Aids
|
| ||||||||||||||||||||||||||||||||||||||||||||||||||||||||||||
Runway 05/23
| Dimensions: | 6001 x 150 feet / 1829 x 46 meters | |
|---|---|---|
| Surface: | Asphalt / Grooved in Good Condition | |
| Weight Limits: | S-95, D-120, ST-200 | |
| Edge Lighting: | High Intensity | |
| Runway 05 | Runway 23 | |
| Coordinates: | N42°24.95' / W87°52.54' | N42°25.61' / W87°51.54' |
| Elevation: | 725.8 | 723.4 |
| Traffic Pattern: | Left | Right |
| Runway Heading: | 48° True | 228° True |
| Markings: | Precision Instrument in good condition. | Precision Instrument in good condition. |
| Glide Slope Indicator | V4L (3.00° Glide Path Angle) | V4L (3.00° Glide Path Angle) |
| Approach Lights: | MALSR 1,400 Foot Medium-intensity Approach Lighting System with runway alignment indicator lights. | |
| REIL: | Yes | |
| Obstacles: | 12 ft Road 281 ft from runway, 502 ft left of center | 34 ft Tree 1090 ft from runway, 419 ft right of center |
Runway 14/32
| Dimensions: | 3750 x 75 feet / 1143 x 23 meters | |
|---|---|---|
| Surface: | Asphalt in Good Condition | |
| Weight Limits: | S-16, D-23 | |
| Edge Lighting: | Medium Intensity | |
| Runway 14 | Runway 32 | |
| Coordinates: | N42°25.66' / W87°52.38' | N42°25.16' / W87°51.89' |
| Elevation: | 727.9 | 712.0 |
| Traffic Pattern: | Left | Left |
| Runway Heading: | 144° True | 324° True |
| Displaced Threshold: | 489 Feet | |
| Markings: | Basic in good condition. | Basic in good condition. |
| Glide Slope Indicator | V4L (3.50° Glide Path Angle) | |
| Obstacles: | 29 ft Road 205 ft from runway, 125 ft left of center APCH RATIO IS 26:1 AT DSPLCD THLD. |
|
Services Available
| Fuel: | 100LL (blue), Jet-A |
|---|---|
| Transient Storage: | Hangars,Tiedowns |
| Airframe Repair: | MAJOR |
| Engine Repair: | MAJOR |
| Bottled Oxygen: | HIGH/LOW |
| Bulk Oxygen: | HIGH/LOW |
| Other Services: | AIR FREIGHT SERVICES,AVIONICS,CARGO HANDLING SERVICES,CHARTER SERVICE,PILOT INSTRUCTION,AIRCRAFT RENTAL |
Ownership Information
| Ownership: | Publicly owned | |
|---|---|---|
| Owner: | WAUKEGAN PORT DISTRICT | |
| PO BOX 620 | ||
| WAUKEGAN, IL 60079 | ||
| 847-244-0055 | ||
| Manager: | SKIP GOSS | |
| 2601 PLANE REST DRIVE | EMAIL ADDRESS: SGOSS@WAUKEGANPORT.COM | |
| WAUKEGAN, IL 60087 | ||
| 847-244-0055 | ||
Operational Statistics
| Single Engine Aircraft Based on Field: | 85 | Statistics collected for 12 month period ending 2018-07-31 | |
|---|---|---|---|
| Multi-Engine Aircraft Based on Field: | 8 | Annual Commercial Operations: | 1 |
| Jet Aircraft Based on Field: | 39 | Annual Commuter Operations: | none |
| Helicopters Based on Field: | 1 | Annual Air Taxi Operations: | 3792 |
| Military Aircraft Based on Field: | none | Annual Military Operations: | 861 |
| Gliders Based on Field: | none | Annual GA Local Operations: | 19231 |
| Ultralights Based on Field: | none | Annual GA Itinerant Operations: | 21130 |
Other Remarks
- BIRDS ON & INVOF ARPT.
- FOR CD WHEN ATCT IS CLSD CTC CHICAGO APCH AT 847-289-0926.
- 0LL FUEL IS PRVDD BY A DOD CONTRACT. 100 LL AVBL 24HR WITH CREDIT CARD FM SELF SERVE PUMP ON TSNT RAMP.
- ACTVT MALSR RWY 23; REIL RWY 05; HIRL RWY 05/23; TWY LGTS - CTAF. WHEN ATCT CLSD, MIRL RWY 14/32 PRESET TO LOW INTST, TO INCR INTST & ACTVT - CTAF.
- FOR US CUSTOMS 2 HRS MIN ADVN NOTICE RQRD MON-FRI 11:00 - 19:00 LCL & BY 4PM FRI FOR WKEND ARRS. CTC CBP (224)529-1468.
Weather Minimums
Standard Terminal Arrival (STAR) Charts
Instrument Approach Procedure (IAP) Charts
Departure Procedure (DP) Charts
Nearby Airports with Instrument Procedures
| ID | Name | Heading / Distance | ||
|---|---|---|---|---|
![]() |
KENW | Kenosha Regional Airport | 345° | 10.8 |
![]() |
C81 | Campbell Airport | 237° | 10.9 |
![]() |
KPWK | Chicago Exec Airport | 184° | 18.5 |
![]() |
KRAC | Batten International Airport | 006° | 20.5 |
![]() |
10C | Galt Field Airport | 267° | 22.6 |
![]() |
3CK | Lake In The Hills Airport | 237° | 24.0 |
![]() |
KBUU | Burlington Municipal Airport | 309° | 25.2 |
![]() |
KORD | Chicago O'Hare International Airport | 183° | 26.8 |
![]() |
KMKE | General Mitchell International Airport | 357° | 31.5 |
![]() |
57C | East Troy Municipal Airport | 315° | 31.7 |
![]() |
KDPA | Dupage Airport | 208° | 35.2 |
![]() |
KMDW | Chicago Midway International Airport | 172° | 38.5 |







