Login
Register
CLE
Cleveland-Hopkins International Airport
Official FAA Data Effective 2026-03-19 0901Z
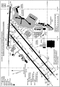
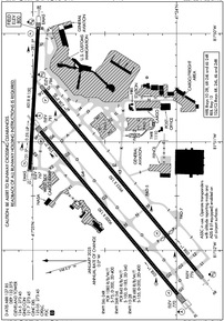
VFR Chart of KCLE
Sectional Charts at SkyVector.com
IFR Chart of KCLE
Enroute Charts at SkyVector.com
Location Information for KCLE
Coordinates: N41°24.56' / W81°51.28'Located 09 miles SW of Cleveland, Ohio on 1717 acres of land. View all Airports in Ohio.
Surveyed Elevation is 799 feet MSL.
Operations Data
|
|
Airport Communications
| D-ATIS: | 127.85 ;ARR 132.375 ;DEP |
|---|---|
| ASOS: | Tel. 216-264-9022 |
| CLEVELAND TOWER: | 124.5 273.45 |
| CLEVELAND GROUND: | 121.7 273.45 |
| CLEVELAND APPROACH: | 126.55 346.325 |
| CLEVELAND DEPARTURE: | 128.25 135.875 346.325 |
| CLEARANCE DELIVERY: | 125.05 273.45 |
| CAVVS DP: | 135.875 |
| PFLYD DP: | 128.25 |
| CLASS B: | 125.35 ;340-200 126.35 ;201-339 |
| GTLKE DP: | 128.25 |
| KKIDS DP: | 135.875 |
| EMERG: | 121.5 243.0 |
| ZAAPA DP: | 128.25 |
| UNICOM: | 122.950 |
| ASOS at BKL (10.1 NE): | 216-241-6904 |
| ATIS at BKL (10.1 NE): | 125.25 |
| ASOS at LPR (15.1 W): | 118.925 440-323-7088 |
- ASSC IN USE. OPERATE TRANSPONDERS WITH ALTITUDE REPORTING MODE AND ADS-B (IF EQUIPPED) ENABLED ON ALL AIRPORT SURFACES.
Nearby Navigation Aids
|
| ||||||||||||||||||||||||||||||||||||||||||||||||||||||||||||
Runway 06R/24L
| Dimensions: | 9953 x 150 feet / 3034 x 46 meters | |
|---|---|---|
| Surface: | Concrete / Grooved in Fair Condition | |
| Weight Limits: | S-100, D-185, ST-340
PCR VALUE: 840/R/B/W/T
| |
| Edge Lighting: | High Intensity | |
| Runway 06R | Runway 24L | |
| Coordinates: | N41°23.86' / W81°52.19' | N41°24.92' / W81°50.52' |
| Elevation: | 775.5 | 785.7 |
| Traffic Pattern: | Left | Left |
| Runway Heading: | 50° True | 230° True |
| Displaced Threshold: | 1923 Feet | |
| Declared Distances: | TORA:9956 TODA:9956 ASDA:9956 LDA:8029 | TORA:9956 TODA:9956 ASDA:9956 LDA:9956 |
| Markings: | Precision Instrument in good condition. | Precision Instrument in good condition. |
| Glide Slope Indicator | P4L (3.00° Glide Path Angle) | P4R (3.00° Glide Path Angle) |
| RVR Equipment | Touchdown Midfield Rollout | Touchdown Midfield Rollout |
| Approach Lights: | MALSR 1,400 Foot Medium-intensity Approach Lighting System with runway alignment indicator lights. | MALSR 1,400 Foot Medium-intensity Approach Lighting System with runway alignment indicator lights. |
| Centerline Lights: | Yes | Yes |
| Obstacles: | 80 ft Trees 3010 ft from runway, 370 ft right of center | |
Runway 06L/24R
| Dimensions: | 9000 x 150 feet / 2743 x 46 meters | |
|---|---|---|
| Surface: | Concrete / Grooved in Good Condition | |
| Weight Limits: | S-75, D-200, ST-400
PCR VALUE: 1080/R/B/W/T
| |
| Edge Lighting: | High Intensity | |
| Runway 06L | Runway 24R | |
| Coordinates: | N41°23.99' / W81°52.41' | N41°24.95' / W81°50.90' |
| Elevation: | 770.1 | 781.1 |
| Runway Heading: | 50° True | 230° True |
| Declared Distances: | TORA:9000 TODA:9000 ASDA:9000 LDA:9000 | TORA:9000 TODA:9000 ASDA:9000 LDA:9000 |
| Markings: | Precision Instrument in good condition. | Precision Instrument in good condition. |
| Glide Slope Indicator | P4L (3.00° Glide Path Angle) | P4R (3.00° Glide Path Angle) |
| RVR Equipment | Touchdown Midfield Rollout | Touchdown Midfield Rollout |
| Approach Lights: | ALSF2 Standard 2,400 Foot High-intensity Approach Lighting System with sequenced flashers, CATEGORY II or III Configuration. | ALSF2 Standard 2,400 Foot High-intensity Approach Lighting System with sequenced flashers, CATEGORY II or III Configuration. |
| Centerline Lights: | Yes | Yes |
| Obstacles: | 97 ft Trees 3689 ft from runway, 847 ft right of center | |
Runway 10/28
| Dimensions: | 6018 x 150 feet / 1834 x 46 meters | |
|---|---|---|
| Surface: | Asphalt-Concrete / Grooved in Fair Condition | |
| Weight Limits: | S-155, D-200, ST-400
PCR VALUE: 680/R/B/W/T
| |
| Edge Lighting: | High Intensity | |
| Runway 10 | Runway 28 | |
| Coordinates: | N41°25.02' / W81°51.25' | N41°24.96' / W81°49.94' |
| Elevation: | 767.1 | 799.5 |
| Traffic Pattern: | Left | Left |
| Runway Heading: | 93° True | 273° True |
| Declared Distances: | TORA:6018 TODA:6018 ASDA:6018 LDA:6018 | TORA:6018 TODA:6018 ASDA:6018 LDA:6018 |
| Markings: | Non-Precision Instrument in good condition. | Precision Instrument in good condition. |
| Glide Slope Indicator | P4L (3.00° Glide Path Angle) UNUSBL BYD 8 DEGS L & R OF CNTRLN. | P4R (3.00° Glide Path Angle) |
| RVR Equipment | Rollout | Touchdown |
| Approach Lights: | MALSF 1,400 Foot Medium-intensity Approach Lighting System with sequenced flashers. | |
| REIL: | Yes | |
| Obstacles: | 51 ft Tree 262 ft from runway, 490 ft left of center | 25 ft Pole 1252 ft from runway, 392 ft left of center |
Services Available
| Fuel: | 100LL (blue), Jet A-1+ |
|---|---|
| Transient Storage: | Hangars,Tiedowns |
| Airframe Repair: | MAJOR |
| Engine Repair: | MAJOR |
| Bottled Oxygen: | HIGH/LOW |
| Bulk Oxygen: | HIGH/LOW |
| Other Services: | AIR FREIGHT SERVICES,AVIONICS,CHARTER SERVICE,AIRCRAFT RENTAL |
Ownership Information
| Ownership: | Publicly owned | |
|---|---|---|
| Owner: | CITY OF CLEVELAND | |
| CLEVELAND HOPKINS INTL, PO BOX 81009 | ||
| CLEVELAND, OH 44181-0009 | ||
| 216-265-6000 | ||
| Manager: | FRANK WILLIAMS | |
| PO BOX 81009, 5300 RIVERSIDE DR | ||
| CLEVELAND, OH 44181-3130 | ||
| 216-265-6127 | ||
Other Remarks
- DEER, COYOTES, & BIRDS INCLG WATERFOWL ON & INVOF ARPT.
- NASA GLENN RESEARCH CENTER; NASA RAMP PPR CALL 216-433-2031; 0800-1730 MON-FRI. CONTACT NASA OPNS ON FREQ 122.925 WITHIN 50 NM.
- ADCUS AVBL MON-SUN DURING HOURS 0800-2000LCL; LTD AVBLTY DURING OFF HOURS; ALL REQ FOR SVC MUST BE MADE WITH THE U.S. CUST SVC OFC LCTD AT GATE A-14 CALL (216) 267-3600 DURG LISTED HRS.
- PAD 2 AND TAXILANE Y1 RSTRD TO GROUP II ACFT LESS THAN 79 FT WINGSPAN.
- ALL APCHS ARE OVR NOISE SENSITIVE AREAS. ARPT LATE NGT NOISE ABATEMENT PROCEDURES ARE IN EFFECT 2300-0600. ADDITIONAL NOISE ABATEMENT PROCEDURES ARE IN EFFECT CALL AMGR NORMAL BUSINESS HRS AT 216-265-6090.
- TWYS CLSD OCT-APR TO SUPPORT DEICING OPS: TWY M; TWY J2; TWY M1 BTN TWY L & TWY J1; TWY M2 BTN TWY L & TWY J1.
- RAMP AREA CONCOURSE D BTN GATES D1, D28 CLSD EXC ACFT WINGSPAN LESS THAN 86 FT.
- PAD 3 BAYS 1-5 CLOSED TO ACFT WITH WINGSPAN OVER 134 FT.
- PAD 3 BAY 6 CLOSED TO ACFT WITH WINGSPAN OVER 94 FT.
- TXL H CLSD TO ACFT WITH WINGSPAN OVR 171 FT.
- TWY F CLSD TO ACFT WITH WINGSPAN OVR 118 FT.
- RWY 6L ALSO HAS LGTD PLINE 99 FT ABV RWY END, 4266 FT FM RWY END, 966 FT L OF CNTRLN, 41:1 OBSTN CLNC SLOPE.
- EMAS - ENGINEERED MATERIALS ARRESTING SYSTEM, 170 FT IN WIDE X 275 FT LENGTH, LOCATED AT DEPARTURE END OF RY 10.
- EMAS - ENGINEERED MATERIALS ARRESTING SYSTEM, 170 FT IN WIDE 365 FT IN LENGTH, LOCATED AT DEPARTURE END OF RY 28.
Weather Minimums
Standard Terminal Arrival (STAR) Charts
Instrument Approach Procedure (IAP) Charts
- ILS OR LOC RWY 06L

- ILS OR LOC RWY 06R

- ILS OR LOC RWY 24L

- ILS OR LOC RWY 24R

- ILS OR LOC RWY 28

- ILS RWY 24R (SA CAT I)

- ILS RWY 06L (CAT II - III)

- ILS RWY 24R (CAT II - III)

- ILS RWY 06R (SA CAT II)

- ILS RWY 24L (SA CAT II)

- RNAV (RNP) Z RWY 06L

- RNAV (RNP) Z RWY 06R

- RNAV (RNP) Z RWY 24L

- RNAV (RNP) Z RWY 24R

- RNAV (GPS) RWY 10

- RNAV (GPS) RWY 28

- RNAV (GPS) Y RWY 06L

- RNAV (GPS) Y RWY 06R

- RNAV (GPS) Y RWY 24L

- RNAV (GPS) Y RWY 24R

Departure Procedure (DP) Charts
Nearby Airports with Instrument Procedures
| ID | Name | Heading / Distance | ||
|---|---|---|---|---|
![]() |
KBKL | Burke Lakefront Airport | 049° | 10.1 |
![]() |
1G1 | Elyria Airport | 247° | 12.0 |
![]() |
KLPR | Lorain County Regional Airport | 255° | 15.1 |
![]() |
1G5 | Medina Municipal Airport | 166° | 17.2 |
![]() |
KCGF | Cuyahoga County Airport | 060° | 19.0 |
![]() |
3G3 | Wadsworth Municipal Airport | 169° | 24.8 |
![]() |
1G3 | Kent State University Airport | 127° | 25.2 |
![]() |
KLNN | Lake County Exec Airport | 051° | 26.6 |
![]() |
KAKR | Akron Fulton International Airport | 141° | 28.4 |
![]() |
KPOV | Portage County Airport | 113° | 29.8 |
![]() |
KBJJ | Wayne County Airport | 182° | 32.1 |
![]() |
5A1 | Norwalk/Huron County Airport | 252° | 33.0 |







