Login
Register
FNT
Bishop International Airport
Official FAA Data Effective 2026-04-16 0901Z
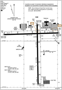
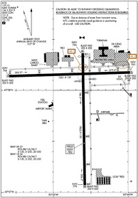
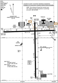
VFR Chart of KFNT
Sectional Charts at SkyVector.com
IFR Chart of KFNT
Enroute Charts at SkyVector.com
Location Information for KFNT
Coordinates: N42°57.93' / W83°44.68'Located 03 miles SW of Flint, Michigan on 1550 acres of land. View all Airports in Michigan.
Surveyed Elevation is 782 feet MSL.
Operations Data
|
|
Airport Communications
| ATIS: | 133.15 |
|---|---|
| ASOS: | Tel. 810-202-2914 |
| FLINT TOWER: | 126.3 257.9 |
| FLINT GROUND: | 121.9 |
| GREAT LAKES APPROACH: | 118.8 128.55 257.9 |
| GREAT LAKES DEPARTURE: | 118.8 128.55 257.9 |
| CLEARANCE DELIVERY: | 121.75 |
| CLASS C: | 118.8 257.9 |
| CLASS C/S: | 128.55 |
| CTAF: | 126.300 |
| UNICOM: | 122.950 |
| AWOS-3P at RNP (17.2 W): | 118.025 989-729-2967 |
| AWOS-3P at D95 (21.7 E): | 134.050 810-664-5038 |
| AWOS-3P at OZW (22.6 SW): | 118.875 517-546-4450 |
- EMERG FREQS NOT AVBL AT TWR.
- APCH/DEP SVC PRVDD BY CLEVELAND ARTCC (ZOB) ON FREQS 126.75/348.75 (FLINT RCAG) WHEN GREAT LAKES APCH CTL CLSD.
Nearby Navigation Aids
|
| ||||||||||||||||||||||||||||||||||||||||||||||||||||||||||||
Runway 18/36
| Dimensions: | 7852 x 150 feet / 2393 x 46 meters | |
|---|---|---|
| Surface: | Asphalt / Grooved in Good Condition | |
| Weight Limits: | S-120, D-250, ST-550
PCR VALUE: 850/F/A/W/T
| |
| Edge Lighting: | High Intensity | |
| Runway 18 | Runway 36 | |
| Coordinates: | N42°58.36' / W83°44.61' | N42°57.07' / W83°44.58' |
| Elevation: | 763.9 | 779.0 |
| Traffic Pattern: | Left | Left |
| Runway Heading: | 179° True | 359° True |
| Displaced Threshold: | 202 Feet | |
| Declared Distances: | TORA:7852 TODA:7852 ASDA:7852 LDA:7650 | TORA:7852 TODA:7852 ASDA:7652 LDA:7652 |
| Markings: | Non-Precision Instrument in good condition. | Non-Precision Instrument in good condition. |
| Glide Slope Indicator | P4R (3.00° Glide Path Angle) PAPI UNUSBL BYD 8 DEGS LEFT OF CNTRLN. | P4L (3.00° Glide Path Angle) |
| REIL: | Yes | Yes |
| Obstacles: | 79 ft Tree 2229 ft from runway, 299 ft left of center APCH RATIO 28:1 TO DTHR. |
69 ft Tree 1945 ft from runway, 485 ft left of center |
Runway 09/27
| Dimensions: | 7201 x 150 feet / 2195 x 46 meters | |
|---|---|---|
| Surface: | Asphalt / Grooved in Good Condition | |
| Weight Limits: | S-120, D-250, ST-550
PCR VALUE: 800/F/A/W/T
| |
| Edge Lighting: | High Intensity | |
| Runway 09 | Runway 27 | |
| Coordinates: | N42°58.14' / W83°45.59' | N42°58.17' / W83°43.98' |
| Elevation: | 763.8 | 762.5 |
| Traffic Pattern: | Left | Left |
| Runway Heading: | 88° True | 268° True |
| Declared Distances: | TORA:7201 TODA:7201 ASDA:7201 LDA:7201 | TORA:7201 TODA:7201 ASDA:7201 LDA:7201 |
| Markings: | Precision Instrument in good condition. | Precision Instrument in good condition. |
| Glide Slope Indicator | P4R (3.00° Glide Path Angle) | P4L (3.00° Glide Path Angle) |
| RVR Equipment | Touchdown | Rollout |
| Approach Lights: | MALSR 1,400 Foot Medium-intensity Approach Lighting System with runway alignment indicator lights. | MALSR 1,400 Foot Medium-intensity Approach Lighting System with runway alignment indicator lights. |
| Obstacles: | 60 ft Trees 2460 ft from runway, 540 ft left of center | 76 ft Trees 2968 ft from runway, 98 ft right of center |
Services Available
| Fuel: | 100LL (blue), Jet-A |
|---|---|
| Transient Storage: | Hangars,Tiedowns |
| Airframe Repair: | MAJOR |
| Engine Repair: | MAJOR |
| Bottled Oxygen: | NONE |
| Bulk Oxygen: | NOT AVAILABLE |
| Other Services: | AIR FREIGHT SERVICES,CARGO HANDLING SERVICES,CHARTER SERVICE,PILOT INSTRUCTION,AIRCRAFT SALES |
Ownership Information
| Ownership: | Publicly owned | |
|---|---|---|
| Owner: | BISHOP INTL ARPT AUTH | |
| G-3425 W BRISTOL RD | ||
| FLINT, MI 48507 | ||
| 810-235-6560 | ||
| Manager: | NINO SAPONE | |
| G-3425 W BRISTOL RD | ||
| FLINT, MI 48507 | ||
| 810-701-0992 | ||
Other Remarks
- BIRDS & DEER ON & INVOF ARPT.
- FOR CD WHEN ATCT CLSD CTC GREAT LAKES APCH AT 269-459-3345, WHEN APCH CLSD CTC CLEVELAND ARTCC AT 440-774-0224/0490.
- 0LL 100LL AVBL SELF SVC AT GOLF TEES.
- WHEN ATCT CLSD ACTVT MALSR RWY 09 & 27; REIL RWY 18 & 36; HIRL RWY 09/27 & 18/36 - CTAF.
Weather Minimums
Standard Terminal Arrival (STAR) Charts
Instrument Approach Procedure (IAP) Charts
Nearby Airports with Instrument Procedures
| ID | Name | Heading / Distance | ||
|---|---|---|---|---|
![]() |
9G2 | Prices Airport | 186° | 9.5 |
![]() |
KRNP | Owosso Community Airport | 275° | 17.4 |
![]() |
D95 | Dupont/Lapeer Airport | 073° | 21.7 |
![]() |
KOZW | Livingston County/Spencer J Hardy Airport | 207° | 22.7 |
![]() |
KPTK | Oakland County International Airport | 141° | 23.0 |
![]() |
Y47 | Oakland Southwest Airport | 169° | 28.2 |
![]() |
KHYX | Saginaw County/H W Browne Airport | 349° | 28.5 |
![]() |
KCFS | Tuscola Area Airport | 023° | 32.4 |
![]() |
D98 | Romeo State Airport | 106° | 35.5 |
![]() |
77G | Marlette Township Airport | 053° | 35.4 |
![]() |
3CM | James Clements Municipal Airport | 349° | 35.5 |
![]() |
KVLL | Oakland/Troy Airport | 135° | 35.6 |








