Login
Register
GMU
Greenville Downtown Airport
Official FAA Data Effective 2025-11-27 0901Z
From the Flight Deck
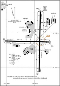
VFR Chart of KGMU
Sectional Charts at SkyVector.com
IFR Chart of KGMU
Enroute Charts at SkyVector.com
Location Information for KGMU
Coordinates: N34°50.88' / W82°21.00'Located 03 miles E of Greenville, South Carolina on 385 acres of land. View all Airports in South Carolina.
Surveyed Elevation is 1048 feet MSL.
TPA: 800 FT AGL FOR LGT ACFT, 1000 FT AGL FOR HVY ACFT.
Operations Data
|
|
Airport Communications
| ATIS: | 127.075 |
|---|---|
| ASOS: | 127.075 Tel. 864-239-0014 |
| GREENVILLE TOWER: | 119.9 257.7 |
| GREENVILLE GROUND: | 121.25 |
| GREER APPROACH: | 118.8 270.275 |
| GREER DEPARTURE: | 118.8 270.275 |
| CTAF: | 119.900 |
| UNICOM: | 122.950 |
| BWALL DP: | 118.8 270.275 |
| BIMMR DP: | 118.8 270.275 |
| ATIS at GYH (5.5 S): | 127.325 |
| AWOS-3 at GYH (5.5 S): | 127.325 864-277-5674 |
| ASOS at GSP (6.7 E): | 864-334-6232 |
- APCH/DEP SVC PRVDD BY ATLANTA ARTCC ON FREQS 135.35/263.125 (OWING RCAG) WHEN APCH CTL CLSD.
Nearby Navigation Aids
|
| ||||||||||||||||||||||||||||||||||||||||||||||||||||||||||||
Runway 01/19
ARRESTING GEAR/SYSTEM: ENGINEERED MATERIAL ARRESTING SYSTEM (EMAS) 157 FT IN LENGTH BY 113 FT IN WIDTH AT THE DEPARTURE END OF RWY 01. | ||
| Dimensions: | 5393 x 100 feet / 1644 x 30 meters | |
|---|---|---|
| Surface: | Asphalt / Grooved in Excellent Condition | |
| Weight Limits: | 23 /F/C/X/T, S-61, D-81, ST-151 | |
| Edge Lighting: | High Intensity | |
| Runway 01 | Runway 19 | |
| Coordinates: | N34°50.43' / W82°20.92' | N34°51.32' / W82°20.89' |
| Elevation: | 988.6 | 1048.0 |
| Traffic Pattern: | Left | Right |
| Runway Heading: | 1° True | 181° True |
| Markings: | Precision Instrument in good condition. | Non-Precision Instrument in good condition. |
| Glide Slope Indicator | P4L (3.00° Glide Path Angle) | P4L (3.50° Glide Path Angle) |
| Approach Lights: | MALSF 1,400 Foot Medium-intensity Approach Lighting System with sequenced flashers. | |
| REIL: | Yes | |
| Obstacles: | 35 ft Tree 1247 ft from runway, 293 ft right of center | 117 ft Tree 2580 ft from runway, 406 ft left of center |
Runway 10/28
| Dimensions: | 4000 x 80 feet / 1219 x 24 meters | |
|---|---|---|
| Surface: | Asphalt in Good Condition | |
| Weight Limits: | 16 /F/C/Y/T, S-43, D-62 | |
| Edge Lighting: | Medium Intensity | |
| Runway 10 | Runway 28 | |
| Coordinates: | N34°50.89' / W82°21.53' | N34°50.87' / W82°20.73' |
| Elevation: | 994.3 | 1014.7 |
| Traffic Pattern: | Left | Right |
| Runway Heading: | 91° True | 271° True |
| Displaced Threshold: | 267 Feet | 271 Feet |
| Declared Distances: | TORA:3998 TODA:3998 ASDA:3728 LDA:3463 | TORA:3998 TODA:3998 ASDA:3733 LDA:3463 |
| Markings: | Non-Precision Instrument in good condition. | Non-Precision Instrument in good condition. |
| Glide Slope Indicator | P2L (3.00° Glide Path Angle) | |
| REIL: | Yes | |
| Obstacles: | 36 ft Tree 707 ft from runway, 188 ft left of center RWY 10 APCH IS 28:1 AT DSPLCD THLD. MULT TREES 89 FT FROM RWY 10 PAVEMENT END. |
31 ft Tree 444 ft from runway, 110 ft right of center RWY 28 APCH IS 36:1 AT DSPLCD THLD. |
Helipad H1
| Dimensions: | 50 x 50 feet / 15 x 15 meters | |
|---|---|---|
| Surface: | Concrete in Good Condition | |
| Weight Limits: | S-20 | |
| Edge Lighting: | Perimeter | |
| Coordinates: | N34°51.03' / W82°20.99' | N0°0.00' / E0°0.00' |
| Elevation: | 1019.0 | |
Helipad H2
| Dimensions: | 50 x 50 feet / 15 x 15 meters | |
|---|---|---|
| Surface: | Concrete in Good Condition | |
| Weight Limits: | S-20 | |
| Edge Lighting: | Perimeter | |
| Coordinates: | N34°51.11' / W82°20.78' | N0°0.00' / E0°0.00' |
| Elevation: | 1024.0 | |
Services Available
| Fuel: | 100LL (blue), Jet-A |
|---|---|
| Transient Storage: | Hangars,Tiedowns |
| Airframe Repair: | MAJOR |
| Engine Repair: | MAJOR |
| Bottled Oxygen: | HIGH/LOW |
| Bulk Oxygen: | HIGH/LOW |
| Other Services: | AIR AMBULANCE SERVICES,AVIONICS,CARGO HANDLING SERVICES,CHARTER SERVICE,PILOT INSTRUCTION,AIRCRAFT RENTAL,AIRCRAFT SALES,ANNUAL SURVEYING |
Ownership Information
| Ownership: | Publicly owned | |
|---|---|---|
| Owner: | GREENVILLE AIRPORT COMMISSION | |
| 100 TOWER DR, UNIT 2 | ||
| GREENVILLE, SC 29607 | ||
| 864-242-4777 | ||
| Manager: | JAMES STEPHENS | |
| 100 TOWER DR, UNIT 2 | ||
| GREENVILLE, SC 29607 | ||
| 864-242-4777 | ||
Other Remarks
- ACFT OPER IN THE GREENVILLE ARPT TFC AREA S THRU E BE ALERT FOR JET & CONVENTIONAL TFC DES ON THE GREENVILLE-SPARTANBURG LOC CRS.
- ACFT INBD FROM THE SSW OR ON ILS RWY 01 APCH BE ALERT FOR TFC 4.5 MI S OPERG IN THE DONALDSON FIELD ARPT TFC PAT AT 1800 FT OR BLW.
- NO OVNGT PRKG ON HELIPADS.
- NO ACFT PMTD ON TWYS 'C' OR 'D' WHEN ACFT GTR THAN 12500 LBS IS OPERG ON RWY 10/28.
- RWY 10/28 RSTRD TO SMALL ACFT (LESS THAN 12500 LBS) WHEN ACFT OPERG ON TWYS C OR D.
- NOISE ABATEMENT PROCS IN EFCT, CTC ARPT MGR 864-242-4777.
- ATC-CTL. WHEN ATCT CLSD ACTVT MALSF RWY 01; REIL RWY 19; HIRL RWY 01/19; PERIMETER LGTS H1, H2, AND TWY LGHTS - CTAF. REIL RWY 28; PAPI RWY 01, 19, 28; MIRL RWY 10/28 UNAVBL WHEN TWR CLSD.
- TPA: 800 FT AGL FOR LGT ACFT, 1000 FT AGL FOR HVY ACFT.
Weather Minimums
Standard Terminal Arrival (STAR) Charts
Instrument Approach Procedure (IAP) Charts
Departure Procedure (DP) Charts
Nearby Airports with Instrument Procedures
| ID | Name | Heading / Distance | ||
|---|---|---|---|---|
![]() |
KGYH | Donaldson Field Airport | 193° | 5.5 |
![]() |
KGSP | Greenville Spartanburg International Airport | 066° | 7.1 |
![]() |
KLQK | Pickens County Airport | 262° | 17.6 |
![]() |
KSPA | Spartanburg Downtown Memorial/Simpson Field Airport | 077° | 19.9 |
![]() |
KAND | Anderson Regional Airport | 220° | 27.6 |
![]() |
KCEU | Oconee County Regional Airport | 248° | 28.5 |
![]() |
KLUX | Laurens County Airport | 135° | 28.5 |
![]() |
35A | Union County, Troy Shelton Field Airport | 105° | 36.3 |
![]() |
KAVL | Asheville Regional Airport | 345° | 36.5 |
![]() |
KGRD | Greenwood County Airport | 165° | 37.0 |
![]() |
KFQD | Rutherford County/Marchman Field Airport | 030° | 40.3 |
![]() |
KEHO | Shelby-Cleveland County Regional Airport | 056° | 44.3 |







